RESUMEN: El propósito de este artículo es discutir los aspectos relativos al tratamiento y diagnóstico de la otitis media en el perro, haciendo énfasis en las complicaciones más frecuentes observadas luego de una ablación total del canal auditivo con osteotomía de la bulla timpánica, procedimiento que en la actualidad se considera el tratamiento de elección. Además, se expone el ámbito clínico en el cual se indica esta intervención considerando otras condiciones diferentes de la otitis media. Se contrasta de manera crítica la experiencia de los autores con la literatura publicada referente a este tema en algunos aspectos que conciernen a la técnica quirúrgica y el diagnóstico.
Palabras clave: AblaciónAblación,canal auditivocanal auditivo,bulla timpánicabulla timpánica,caninoscaninos,cirugíacirugía.
SUMARY: The purpose of this article is to discuss the aspects related to the treatment and diagnosis of otitis media in dogs, emphasizing the most frequent complications observed after a total ablation of the auditory canal with osteotomy of the tympanic bulla, a procedure that is currently considered the treatment of choice. Additionally, the clinical setting in which this intervention is indicated is exposed, considering other conditions other than otitis media. The experience of the authors with the published literature regarding this topic is critically contrasted in some aspects that concern the surgical technique and the diagnosis.
Keywords: ablation, auditory canal, tympanic bulla, canines, surgery.
Artículos de revisión
Otitis media en el perro: diagnóstico, tratamiento quirúrgico y posibles complicaciones. Revisión
Otitis media in dogs: diagnosis and surgical treatment, and possible complications. Review
Recepción: 16 Mayo 2017
Aprobación: 02 Febrero 2018
La prevalencia de la otitis media (OM) en el perro fue durante mucho tiempo una incógnita, su ocurrencia se suponía alta debido a que suele ser la consecuencia de una otitis externa crónica (OEC) no resuelta, la cual es extremadamente común en esta especie, con una prevalencia reportada hasta del 20% (Saridomichelakis et al. 2007). En este sentido, Smeak e Inpanburt (2005) reportan más de un 50% de casos de OM en pacientes con OEC previa, mientras que Saridomichelakis et al. (2007) describen que esta situación se presenta en un 83%.
La colonización bacteriana del oído medio puede producirse a través de tres vías: hematógena, desde la trompa de Eustaquio o, en la mayoría de los casos, por una complicación de la OEC que no respondió al tratamiento (Smeak e Inpanburt 2005). Durante una OEC se presenta acumulación de secreciones sépticas en el fondo del canal auditivo, lo que conlleva a la destrucción y ruptura de la membrana timpánica y el paso de estas secreciones al oído medio en donde se extiende la infección (Smeak e Inpanburt 2005). Una vez las secreciones se albergan en el interior de la bulla timpánica no logran drenar fácilmente y tiende a caseificarse, si bien, ocasionalmente se produce lisis del hueso con salida a través de tractos fistulosos que comprometen estructuras nerviosas vecinas o la articulación temporo-mandibular próxima a la zona (Hardie et al. 2008).
Es frecuente que a los pacientes con OM se les trate de forma repetida para OEC, en tal caso, se realizan cultivos bacterianos y citologías del exudado con la esperanza de hallar un antibiótico efectivo. Por lo tanto, el paciente pasa por varios intentos de tratamiento que producen mejorías transitorias mientras recibe los antibióticos prescritos, pero los signos recidivan cuando los fármacos son descontinuados. Es entonces frecuente que los pacientes con OM pasen por varios tratamientos contra OEC, algunas veces incluso durante años, sin que haya sido posible obtener una cura. Como estos animales han recibido múltiples terapias antimicrobianas no es raro encontrar que los gérmenes implicados sean resistentes a los fármacos de uso común, factor que se debe tener en cuenta al formular el plan terapéutico. En la experiencia de los autores, los propietarios se cansan de esta situación y algunas veces deciden resignarse a la enfermedad del animal sin dar continuidad al tratamiento.
La OM no resuelta puede conducir a déficit auditivo y/o disfunción vestibular (Sturges et al. 2006), además, el paciente suele manifestar cambios de conducta debido al dolor intenso que la caracteriza.
El objetivo de este artículo es describir la aproximación al diagnóstico y tratamiento quirúrgico de la OM en el perro, haciendo énfasis en las posibles complicaciones de la intervención cuando se elige esta forma de tratamiento y confrontando de manera crítica la experiencia de los autores con la literatura.
Durante una OEC las reacciones hísticas del conducto auditivo externo varían de acuerdo con el microorganismo responsable, las características del exudado inflamatorio, las enzimas elaboradas y los efectos de otras enfermedades cutáneas subyacentes, como atopia, hipotiroidismo y seborrea. Debido a la configuración en "L" del conducto auditivo externo, las enzimas proteolíticas contenidas en los exudados se acumulan contra el tímpano (Smeak e Inpanburt 2005). La inflamación y destrucción enzimática resultante conducen a necrosis del epitelio y del colágeno de sostén, la membrana timpánica se adelgaza, debilita y eventualmente se rompe permitiendo que los exudados y microorganismos lleguen al oído medio. El proceso supurativo resultante hace que el epitelio de la bulla cambie de cúbico a columnar seudoestratificado, con un incremento en el número de células y glándulas secretoras, empeorando el cúmulo de secreciones (Gotthelf 2001). Adicionalmente, la lámina propia aumenta su espesor en respuesta a la inflamación y a medida que la vascularización se incrementa se origina edema y tejido de granulación; con el paso de los días dicha lámina se convierte en tejido conectivo denso y desarrolla espículas de hueso (Smeak e Inpanburt 2005).
Cuando las secreciones sépticas acumuladas a presión en el oído medio no pueden drenar por el conducto auditivo causan lisis ósea y rompen la bulla timpánica, para luego drenar hacia la cara (Figura 1-A) o comprometer la articulación temporomandibular, lo que se manifiesta con dolor al masticar y renuencia a abrir la boca (Hardie etal. 2008). Es posible observar también animales en los cuales las secreciones son muy abundantes y drenan por el conducto auditivo, rebosando y manchando la cara y la región parotídea (Gotthelf 2004), como estas secreciones son de carácter séptico, la piel de la zona se reblandece y ulcera (Figura 1-B).

El proceso inflamatorio puede involucrar el nervio facial el cual discurre muy próximo a la unión del conducto auditivo y el meato acústico externo. Cuando la inflamación es suficiente para comprometer su función se observa parálisis facial con labios caídos en el lado ipsilateral, babeo, falta de reflejo palpebral y queratitis seca (Hardie et al. 2008).
El conducto de Eustaquio comunica la nasofaringe con la bulla timpánica en su aspecto dorsomedial, próximo a esta zona se encuentra un ganglio nervioso simpático que da sus ramas al ojo y estructuras anexas, dicho ganglio también puede verse implicado en el proceso inflamatorio y esto genera signos de Síndrome de Horner (Gotthelf 2004).
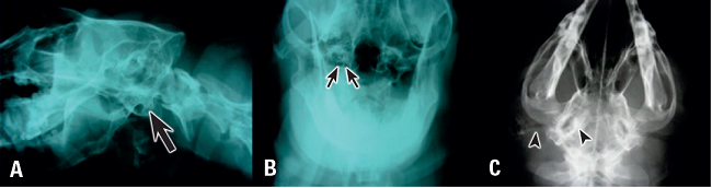
La bulla timpánica se comunica a través de las ventanas redonda y oval con el oído interno, los casos de OM no resueltos ocasionalmente conducen a otitis interna y síndrome vestibular, que se manifiesta con inclinación de la cabeza (Figura 1-C), incoordinación y falta de equilibrio (Cruz et al. 2005). También se ha descrito diseminación intra craneana con déficit de tallo cerebral (Sturges et al. 2006).
Durante el examen físico de un paciente con OM puede evidenciarse dolor en la base del conducto auditivo a la palpación y un chasquido típico relacionado con la acumulación de líquidos. El examen otoscopico generalmente es imposible debido a que el proceso inflamatorio crónico estimula el desarrollo e hiperplasia del epitelio del conducto lo que impide insertar el otoscopio (Figura 2-A), por lo cual es imposible determinar la integridad de la membrana timpánica. En algunos pacientes se descubren neoplasias en el canal auditivo; cuando su crecimiento obstruye dicho canal el drenaje de secreciones no es posible y puede crear las condiciones para que estas se diseminen al oído medio (Figura 2-B y C). Se han reportado neoplasias (Zur 2000) y pólipos (Pratschke 2003) bilaterales del conducto auditivo pero son infrecuentes.

Algunos autores recomiendan la miringotomía como procedimiento diagnóstico y terapéutico para confirmar y drenar el acúmulo de secreciones en OM (Gimmler y Daigle 2012); posiblemente en casos no avanzados, sin estenosis e hiperplasia del canal auditivo pueda realizarse este procedimiento. Ante un paciente con OEC "siempre" se indicaran ayudas diagnosticas de imagenología para descartar una OM, esta misma consideración se hará si durante el examen clínico se observa un animal con estenosis severa del canal auditivo o neoplasias que obstruyan dicho canal.
Los rayos X son la ayuda diagnóstica más barata y difundida, sin embargo, es la menos sensible ya que no siempre existen cambios de suficiente magnitud para producir signos radiológicos confiables, por eso la ausencia de signos radiológicos no descarta la enfermedad (Douster et al. 2007). En un estudio solo el 55.6 % de los pacientes presentó cambios radiográficos compatibles que apoyaran el diagnóstico (Saridomichelakis et al. 2007). En animales normales la bulla timpánica se observa como una estructura circular de pared fina, el contorno cortical es delgado y el interior de cada bulla es de radio lucido debido a la presencia de aire.
El estudio radiográfico requiere sedación profunda o anestesia. Se recomiendan las proyecciones lateral oblicua del cráneo con el lado enfermo apoyado en el chasis, ventro dorsal del cráneo y frontal con la boca abierta, con el colimador centrado en la faringe y tirando de la lengua hacia afuera para eliminar la interferencia del tejido blando. Los cambios sugerentes de OM incluyen: radio-opacidad en la bulla timpánica que suele producirse porque existe pus caseificado en su interior o crecimiento de tejido granulomatoso, neoplásico o pólipos (Pratschke 2003), es posible observar también esclerosis de la pared de la bulla timpánica o lisis de esta estructura (Figura 3-A y B). Muchas veces los Rayos X hacen evidente el grado de hiperplasia y calcificación del conducto auditivo externo que caracteriza la OEC (Figura 3-C), hallazgo muy importante porque también es una indicación de la intervención quirúrgica en OEC.

Si se presentan dudas con el estudio radiográfico, se sugiere realizar la tomo-grafía axial computarizada, la cual es una ayuda diagnóstica muy sensible para establecer la presencia de secreciones, cambios líticos o proliferativos del hueso o tejidos anormales dentro de la bulla timpánica y para determinar la amplitud de la luz del conducto auditivo externo; sus desventajas son el costo (Hardie et al. 2008) y que no está ampliamente disponible, sobre todo en ciudades pequeñas.
La ablación de canal auditivo con osteotomía lateral de la bulla timpánica está indicada no solo cuando se diagnostica OM, sino también en pacientes con OEC e hiperplasia irreversible del canal horizontal (terminal), neoplasias del canal, colesteatoma aural, fallo de intervenciones quirúrgicas previas como remoción del canal vertical y resección del aspecto lateral el canal vertical (Smeak e Inpanburt 2005). Conviene mencionar que el manejo de la OEC terminal con otras técnicas como la resección del canal vertical o la remoción del aspecto lateral del canal vertical suelen fracasar y que es mucho más efectiva la resección completa de conducto auditivo con osteotomía de la bulla (Doyle et al 2004).
La resección del canal auditivo con osteotomía de la bulla timpánica se plantea como un tratamiento radical y efectivo; no obstante, es una intervención que exige cierta experiencia en la zona operatoria ya que el procedimiento no está libre de complicaciones, algunas de ellas graves con riesgo para la vida, como la hemorragia que se origina en las venas retro articulares o las ramas de la arteria carótida externa.
Bajo anestesia general se prepara asépticamente el campo quirúrgico, es conveniente realizar un bloqueo anestésico en los nervios auriculotemporal y auricular mayor, como lo describe Otero (2006), lo que garantiza mayor analgesia en el área. La intervención se inicia realizando una incisión alrededor del aspecto más proximal de canal auditivo, esta incisión interesa la piel y el cartílago y debe incluir el trago y el antihélix, luego se practica otra incisión que empieza desde el trago y avanza hacia abajo por todo el centro de la porción vertical del canal e involucra solo la piel. Se toma el aspecto más proximal del canal auditivo con una pinza de Allis y se realiza disección roma y cortante para separar la unión de los músculos auriculares a dicho canal, esta disección se hará muy cerca al tejido cartilaginoso para evitar el trauma neurovascular. Para este procedimiento se recomienda una tijera de tejido de puntas finas que pueda introducirse entre los músculos auriculares fácilmente para separarlos o el electro bisturí si se dispone de él. La disección avanza hasta la unión del conducto con el meato acústico externo (Figura 4-A). Una vez que se ubica el meato, se separa del canal auditivo utilizado un bisturí con hoja N°11(Figura 4-B), el primer corte se hará en el aspecto proximal de canal justo en su unión al meato y luego se continúa con cortes de tijera para acabar de separar el conducto; es normal que una pequeña porción de conducto quede unida al meato, es imprescindible retirar todo este tejido ya que el epitelio está contaminado y será la fuente de tractos fistulosos en el futuro, una de las complicaciones tardías más difíciles de resolver (Smeak 2011). Al pasar por el aspecto ventrocaudal al canal auditivo horizontal durante la disección se pondrá atención en ubicar el nervio facial para evitar lesionarlo (Figura 4-C).

Para retirar los remanentes del conducto adheridos al meato acústico se puede usar una hoja N°11 raspando con ella el interior de los bordes del meato acústico (Figura 5-A). Algunos autores recomiendan morder con una gubia de Cleveland para hueso los bordes del meato y de esta forma se retiran los restos de cartílago y epitelio, para realizar esto de forma segura se debe visualizar el nervio facial (Figura 4-C) el cual debe retraerse hacia caudal. La vena retroarticular usualmente no es visible durante la cirugía por eso no debe morderse con la gubia en el aspecto craneal al meato debido al alto riesgo de trauma vascular y hemorragia severa al aplicar la gubia.
A continuación, la literatura aconseja retirar el meato acústico externo en su porción ventral y el aspecto lateral de la bulla con la gubia de Cleveland (Figura 5-B), previa retracción hacia ventral de las arterias maxilar y auricular y la vena maxilar, utilizando un elevador de bordes romos y ubicación y retracción del nervio facial. No siempre se visualizan fácilmente estas estructuras y su retracción no es una maniobra sencilla, los autores no recomienda realizar osteotomía extensa de la bulla en todos los casos, especialmente si el meato acústico es amplio, porque muchas veces puede drenarse y limpiarse de manera adecuada a través de su abertura, contario a lo que sugiere (Smeak 2011) que prefiere realizar osteotomías amplias de la bulla para evitar el riesgo de dejar remantes de tejido sépticos.

Para drenar y desbridar el interior de la cavidad timpánica se utiliza una pinza hemostática mosquito, con ella se prenden los tejidos epiteliales hiperplasicos que tapizan la cavidad timpánica, además, puede pinzarse un trozo pequeño de gasa y luego se introduce a la cavidad para realizar movimientos de limpieza en varias oportunidades hasta que la gasa salga limpia, no obstante, se debe evitar pasar esta gasa por el aspecto dorsal craneal de la cavidad ya que en este sitio se encuentran las ventanas oval y redonda.
Antes de iniciar la limpieza de la cavidad timpánica conviene tomar una muestra con hisopo estéril para cultivo y antibiograma, lo cual será útil para orientar la terapia antimicrobiana durante el postoperatorio; debe recordarse que estos pacientes han sido tratados con varios antibióticos y han desarrollado infecciones con bacterias resistentes. En este sentido, es preciso señalar que en un pequeño número de pacientes no hay crecimiento bacteriano (Coleman y Smeak 2016), en estos casos la terapia antibiótica se hará de forma empírica con fármacos activos contra Staphilococcus pseudointer-medius y Pseudomona aeruginosa debido a que son las bacterias que se cultivan con más frecuencia (Coleman y Smeak 2016; Hardie et al. 2008).
Por último, se debe lavar copiosamente la herida con suero fisiológico secando muy bien el exceso de líquido, además, se colocará un dren desde la cavidad timpánica hacia el exterior y posteriormente se cierra la herida quirúrgica evitando dejar espacio muerto. En la experiencia de los autores, los drenes no han sido de mucha utilidad y requieren de mayor vigilancia sobre el paciente para evitar que se lo retire o que ingrese contaminación a través de este. Si se coloca un dren, se monitorea la cantidad de suero sanguinolento que evacua y cuando este es escaso o nulo se retira. Se recomienda un protocolo para el dolor que incluya un AINE (carprofeno) más un opioide (tramadol) durante 10 días y terapia antibiótica mínimo de 1 mes.
La OM originada a partir de una OEC es una infección que se profundiza en el tejido esquivando la llegada del sistema inmune y los antibióticos, genera cambios anatómicos irreversibles y en la experiencia de los autores no puede resolverse con un tratamiento basado en antibióticos y lavados. Mientras no se aborde la bulla timpánica quirúrgicamente, se drenen sus contenidos y se elimine el conducto auditivo en su totalidad no habrá mejoría (Cruz et al. 2005). Contario a lo descrito en la literatura (Gimmler y Daigle 2012, Gotthelf 2004), los autores no recomiendan la miringotomía como procedimiento terapéutico o diagnóstico, debido a que la gran mayoría de pacientes presentan hiperplasia severa del conducto auditivo externo lo que hace imposible practicar esta técnica. No obstante, existen reportes de respuesta favorable al tratamiento conservador con lavados de la bulla timpánica a través de una miringotomía y terapia antibiótica de larga duración (Gotthelf 2004; Palmeiro et al. 2004). Posiblemente se trata de casos en los cuales no ha desarrollado hiperplasia severa y estenosis del canal auditivo externo.
Como se ha mencionado, esta intervención puede presentar diversas complicaciones graves. No obstante, al considerar que la OM es una condición extremadamente dolorosa que puede implicar el oído interno y aun extenderse a nivel intra craneano (Sturges et al. 2006), el riesgo-beneficio amerita recomendarla. Un conocimiento detallado de la anatomía de la región quirúrgica redunda en la disminución de complicaciones. Los casos de evolución prolongada que manifiestan dolor al abrir la boca o déficit neurológico, pueden no mejorar completamente con la cirugía (Hardie et al. 2008). No obstante, en la experiencia los autores, los animales con síndrome vestibular al momento de la cirugía se han recuperado satisfactoriamente (Cruz et al. 2005).
Algunos pacientes con OM se presentan a consulta con abundantes secreciones sépticas (Figura 1-A, B), los autores recomiendan terapia antibiótica tópica y sistémica por 15 días para disminuir la copiosidad de estas secreciones y de esta forma trabajar con un campo quirúrgico más "estéril" al momento de la intervención.
Coleman y Smeak (2016) reportaron la parálisis facial como la complicación más común de la ablación y osteotomía de la bulla timpánica (Tabla 1). En la experiencia de quien escribe las complicaciones más frecuentes incluyen los tractos fistulosos en el postoperatorio temprano y las hemorragias intraquirúrgicas. Estas últimas son una de las complicaciones más alarmantes que puede enfrentar el cirujano que emprende esta intervención, llegando a ser mortal en algunos pacientes (Doyle et al. 2004; Spivack 2013); se produce al lesionar uno de los siguientes vasos que discurren muy próximos al meato acústico: arteria auricular caudal, arteria carótida externa, arteria maxilar, vena maxilar y vena retroarticular (Figura 4-C). En estos casos, el sangrado copioso obliga a valorar el paciente para considerar la transfusión. Los vasos que sangran difícilmente se visualizan y es prácticamente imposible pinzarlos, debido a que al córtalos se retraen, esto ocurre especialmente con la vena retroarticular que emerge del foramen del mismo nombre (Smeak e Impabutr 2005); por ello, se debe prescindir de realizar disección y curetaje en el aspecto rostral del meato acústico para evitar trauma en este vaso. Smeak (2011) recomienda aplicar cera ósea en el foramen retroarticular para contener esta hemorragia.

El curetaje excesivo dentro de una bulla timpánica puede dar origen a trauma de la arteria carótida interna si la pared de la bulla está delgada por el proceso de lisis ósea. La arteria discurre en el aspecto medial de la bulla y en caso de trauma es imposible ligarla (Smeak 2011), no obstante, en el reporte de Matthiesen y Scavelli (1990) la ligadura de la arteria carótida común controló esta emergencia. También se ha sugerido taponar la cavidad de la bulla con gasa dejando una extensión hacia la herida para retirarla suavemente en 24 horas (Smeak 2011).
El nervio facial con frecuencia resulta lesionado debido a su proximidad con el meato acústico y el canal auditivo, este nervio suele estar íntimamente unido al conducto auditivo en los casos crónicos porque el proceso inflamatorio lo involucra. Emerge por el foramen estilomas-toideo, que se ubica a la 1 en punto con respecto al meato acústico y luego discurre ventral a dicho canal (Figura 4-C). Lo ideal es tenerlo ubicado al separar el conducto auditivo del meato acústico, ya que en este momento es fácil seccionarlo, pero con frecuencia no se visualiza fácilmente durante la disección y se debe trabajar pensando más en donde su ubica normalmente para no lesionarlo. El daño varía de una lesión reversible en pocas semanas, a disfunción permanente; siempre que se diagnostique disfunción nerviosa del facial se recomiendan lágrimas artificiales para mantener la humedad de la córnea.
Los primeros reportes de resección del canal auditivo con osteotomía de la bulla describieron un porcentaje importante de complicaciones cuando la osteotomía no era extensa (Mason et al. 1988, Smeak y DehofF 1986). La remoción incompleta del epitelio que tapiza el conducto auditivo es la causa más frecuente de que la infección recidiva en el postoperatorio (Smeak 2011). Usualmente, esto se manifiesta con tractos fistulosos en el área quirúrgica que pueden aparecer semanas o meses después de la intervención y que exigen otra cirugía, en la que a su vez es mucho más difícil abordar la bulla timpánica para retirar estos restos de tejido, debido a que no existe la guía del canal auditivo (Smeak 2011). En la experiencia de los autores las osteotomías amplias tienen un riesgo incrementado de trauma neuro-vascular, pues si bien facilitan en gran medida la remoción de tejidos infectados y necróticos ubicados en el interior de la bulla, con osteotomías menos extensas se requiere dedicar más tiempo y meticulosidad a la remoción de los epitelios contaminados. Se ha descrito de manera experimental un abordaje quirúrgico a la bulla timpánica menos riesgoso a través de la cavidad oral (Manou et al. 2017), no obstante, es importante recordar que en esta condición el problema no está ubicado solo en la bulla timpánica, y que la gran mayoría de pacientes requieren la ablación del canal auditivo.
También es frecuente observar celulitis en el posoperatorio temprano con o sin dehiscencia de la sutura, debido a contaminación del campo por derrames de material séptico desde la bulla timpánica (Spivack 2013). Es prácticamente imposible evitar este tipo de accidente aun con una adecuada preparación, por lo que algunos autores han recomendado cerrar con drenajes, si bien en la experiencia de quién escribe y de otros no se ven beneficios cuando se utilizan estos drenajes, además de ser más dispendioso cuidar que animal no se los retire (Devitt et al. 1977). Ante una celulitis postoperatoria se recomienda retirar algunos puntos para favorecer el drenaje, la limpieza diaria y desinfección generalmente curan por segunda intención; cuando el proceso persiste durante varias semanas se debe sospechar que el foco séptico de la OM no fue resuelto.
Los pacientes que padecen otitis externa crónica terminal, con o sin otitis media, son candidatos para la resección completa del canal auditivo con osteotomía de la bulla timpánica como tratamiento de elección frente a la terapia conservadora.
No obstante, deben realizarse más investigaciones en torno a una técnica que ofrezca mayor seguridad y que disminuya la aparición de complicaciones.
* Autor para correspondencia: jmcrusa@unal.edu.co





