Artigos
ÁREA VERDE MÍNIMA PARA LOTEAMENTOS SUSTENTÁVEIS SEGUNDO O CICLO HIDROLÓGICO
MINIMUM GREEN AREA IN SUSTAINABLE ALLOTMENTS ACCORDING TO THE HYDROLOGIC CYCLE
ÁREA VERDE MÍNIMA PARA LOTEAMENTOS SUSTENTÁVEIS SEGUNDO O CICLO HIDROLÓGICO
Arquitetura Revista, vol. 16, núm. 1, pp. 23-45, 2020
Unisinos
Recepção: 21 Agosto 2018
Aprovação: 22 Março 2019
Resumo: O desenvolvimento urbano sustentável enfrenta, na atualidade, uma série de desafios frente às ações antrópicas, tais como a manutenção da biodiversidade urbana, a promoção das condições de vida saudável e a manutenção da qualidade ambiental. As áreas verdes possuem um enorme potencial para vencer esses desafios, porque auxiliam na manutenção do ciclo hidrológico local. Nesse contexto, estudaram-se alguns cenários que fundamentaram a determinação do valor ideal (em percentagem) de área verde mínima a ser deixada em um loteamento situado em uma área urbana, para que ele seja sustentável quanto ao ciclo hidrológico local. Ressalta-se que algumas áreas verdes, como as de preservação permanente, já são exigidas pela legislação brasileira. No entanto, algumas situações, como os loteamentos em áreas urbanas, acabam por exigir uma percentagem de área verde aquém da mínima necessária, o que acarreta consequências danosas à população: alagamentos, enchentes, deslizamento de terras, etc. Assim, para se atingir o objetivo deste estudo, realizou-se uma pesquisa baseada no princípio do método Delphi, por meio do qual alguns especialistas foram questionados sobre o valor da área verde mínima que deve ser deixada nos loteamentos sustentáveis. O resultado da aplicação do método aponta que, para a implantação de um loteamento sustentável, é necessário deixar no mínimo 25% da área a ser loteada como área verde. Na sequência, buscando-se avaliar o impacto da adoção desse valor como referência junto aos loteamentos, nesse sentido, realizou-se um estudo de caso específico, aplicando-se a percentagem sugerida no projeto de um loteamento existente, e quantificaram-se os impactos de sua aplicação, seja pela condição da perda de área construída, seja pelo ganho de área permeável.
Palavras chave: área verde, ciclo hidrológico local, loteamento sustentável, ocupação de solo, sustentabilidade de área urbana.
Abstract: Sustainable urban development faces, nowadays, all sorts of challenges from mankind’s actions such as urban biodiversity conservation, promotion of healthy living and maintenance of environmental quality. Green areas offer many potentials to win these challenges because they help maintaining the hydrologic local cycle. In this context, this research studied some scenes that worked as a mark to seek the ideal percentage to a minimum green area in an allotment, in order to allow it to become sustainable, concerning its hydrologic local cycle. It is necessary to point out that some green areas, such as the permanent ones, area already mandatory by the environmental Brazilian laws. However, some situations, like allotments in urban areas, demand a percentage of green area smaller than the minimum necessary, which leads to bad consequences towards its citizens: floods, overflow, landslides, etc. So, intending to achieve its research goals, a research based on Delphi method was realized, questioning specialists about what the ideal minimum green area percentage value would be in order to have sustainable allotments. The result of its method points out that it is considered to be necessary at least 25 % of green area. After that, in order to check environmental impact from the suggested percentage in an existing allotment, that value was projected in a case study and its application impacts were quantified, either by its decreased building area or its permeable area gain.
Keywords: green area, hydrological local cycle, sustainable allotment, land use, urban area sustainability.
INTRODUÇÃO
No âmbito do desenvolvimento urbano sustentável, discute-se sobre a série de desafios a que o meio ambiente está sujeito frente à ação antrópica, tais como os problemas relativos à manutenção da biodiversidade urbana, da qualidade ambiental e do ciclo hidrológico e à promoção de condições de vida saudável, entre outros. Nesse quesito, as áreas verdes urbanas, tema central deste artigo, oferecem suporte a um conjunto de demandas voltadas ao desenvolvimento urbano sustentável (1–5). Os impactos decorrentes das ações antrópicas têm-se mostrado mais intensos nas últimas décadas (6). Santos et al. (7) vão ao encontro desses últimos autores e relatam que, com o desenvolvimento da urbanização, são gerados impactos ambientais e socioeconômicos decorrentes dos eventos hidrológicos provocados principalmente pela redução da infiltração da água pluvial no solo, devido ao aumento das áreas impermeabilizadas.
O estudo apresentado na pesquisa não se pauta na crítica sobre o crescimento de áreas urbanas, até porque, em 2015, havia um déficit habitacional no Brasil de 6,355 milhões de domicílios (8), o que leva a uma necessidade iminente de construção de novas residências. Nesse contexto, propõe-se ações concretas para os planos de desenvolvimento urbano, com vistas a um futuro sustentável para as gerações vindouras, a partir das percepções e avaliações técnicas científicas de como deveria ser ocupado o território urbano segundo o contexto “green” sustentável.
A presente pesquisa aborda a temática da utilização das áreas verdes como elementos auxiliares na manutenção do ciclo hidrológico local, em especial a determinação e quantificação de um valor referência que possa orientar os gestores públicos quanto à taxa ideal de área verde. Como condição de validação da pesquisa, apresenta-se um estudo de caso que simula alguns cenários e permite avaliar alguns dos impactos causados pela adoção ou não do parâmetro mínimo de área verde proposto. Portanto, neste trabalho, buscou-se determinar qual deve ser o percentual de área verde mínima considerada em um loteamento “rotulado” como sustentável, localizado em área urbana municipal.
O conceito de sustentabilidade é algo multifacetado, uma explicação aceita é aquela que: “A humanidade tem a habilidade de promover o desenvolvimento sustentável para que ele atenda às necessidades do presente sem comprometer a capacidade das gerações futuras de satisfazer suas próprias necessidades” (9, p. 3.216). Segundo Miranda (10), este conceito de sustentabilidade para as gerações futuras é o que distingue uma política de desenvolvimento sustentável de uma política ambiental tradicional, e, para que se tenha a estabilidade da economia e do meio ambiente em longo prazo, são necessários a integração e o reconhecimento das preocupações econômicas, ambientais e sociais ao longo do processo de decisão.
No escopo deste artigo, o conceito de sustentabilidade está atrelado às questões ambientais e, mais especificamente, ao impacto no ciclo hidrológico local, no processo de criação de um loteamento, algo que faz parte do processo decisório de uma municipalidade no que diz respeito à ocupação da superfície e que será discutido no decorrer do texto.
O estudo considerou, na fundamentação teórica, dois temas importantes, que serão abordados: “área verde” e “loteamento sustentável”. O conhecimento adquirido e a parametrização dos elementos a partir da simulação dos potenciais cenários de loteamento sustentável ocorreram com o emprego do método. Neste artigo, detalha-se o método Delphi aplicado ao tema da pesquisa e apresentam-se os resultados obtidos, bem como discutem-se os impactos causados no “loteamento” a partir da adoção do parâmetro “área verde”. Ou seja, analisam-se os impactos do resultado obtido por meio da espacialização do valor de área verde (em percentagem) no projeto de um loteamento existente, comparando-se aspectos do loteamento com e sem a quantidade de área verde mínima, para que seja considerado sustentável.
Cabe destacar que, embora, em um loteamento, exista muitas áreas ou espaços permeáveis, ou com permeabilidade variável, ou, ainda, que não impermeabilizam a superfície por completo, limita-se, neste artigo, como já citado anteriormente, a analisar áreas permeáveis e dotadas de vegetação, ora denominadas “áreas verdes”, como segue na descrição do subitem a seguir.
Área verde urbana: sua importância e função
A Comissão Europeia (11) define área verde como:
[...] uma rede estrategicamente planejada de áreas naturais e seminaturais com atributos ambientais, projetados e gerenciados para oferecer uma ampla gama de serviços ecossistêmicos, tais como purificação da água, qualidade do ar, espaço para recreação, mitigação e adaptação do clima. Esta rede de espaços verdes (terra) e azuis (água) pode melhorar as condições ambientais e, por consequência, a saúde dos cidadãos e a qualidade de vida.
Santa Catarina (12, p. 34) descreve como área verde aquela
destinada aos espaços de domínio público, que desempenhem função ecológica, paisagística e recreativa, propiciando a melhoria da qualidade ambiental, funcional e estética da cidade. Essa área é dotada de vegetação e espaços livres de impermeabilização, admitindo-se intervenções mínimas, como caminhos, trilhas, brinquedos infantis e outros meios de passeios e divertimentos leves.
A definição supracitada será adotada como referência nesta pesquisa, pois entende-se que, para o caso de loteamentos em áreas urbanas, objeto de estudo do artigo, é fundamental que as áreas verdes sejam livres de impermeabilização, contribuindo mais intensamente com a redução dos impactos ambientais provocados pela implantação do loteamento.
Sobre a existência de áreas verdes, verifica-se que o tema tem sido foco de análises de pesquisadores nas últimas décadas. Os autores apontam suas funções reguladoras nas regiões urbanas, por exemplo, o considerável potencial para atenuar as repercussões das alterações climáticas, como temperaturas médias superiores e mudanças nos padrões de precipitação (13–15). Em consonância com esses autores, Nucci (16) afirma que as áreas verdes apresentam demasiada importância no atendimento às necessidades humanas relacionadas com a presença de vegetação, além de reduzirem substancialmente a poluição no ar e nos rios. Gómez, Jabaloyes e Vañó (17) relatam que a existência de áreas verdes acarretam na melhora do clima urbano, já que tais áreas atuam como refrigeradores e reguladores de troca de ar. Ainda com relação à temperatura, Kottmeier, Biegert e Corsmeier (18) analisaram a diferença de temperatura em áreas urbanizadas em Berlim e verificaram que as superfícies das edificações podem chegar a uma temperatura até 8°C maior que as áreas verdes na mesma cidade, fato que reforça a importância da área verde como um importante elemento na manutenção da temperatura das cidades.
Caporusso e Matias (19, p. 77) concordam com esse último autor e ainda reforçam os benefícios que as áreas verdes podem trazer para o homem nas cidades. Os autores apresentam uma lista com base em vários estudos científicos, os quais retratam fundamentalmente os seguintes parâmetros benéficos:
controle da poluição do ar e da acústica; aumento do conforto ambiental; estabilização de superfícies por meio da fixação do solo pelas raízes das plantas; abrigo à fauna; equilíbrio do índice de umidade no ar; proteção das nascentes e dos mananciais; organização e composição de espaços no desenvolvimento das atividades humanas; valorização visual e ornamental do ambiente; e recreação e diversificação da paisagem construída.
Castanheira, Bragança e Mateus (20) acrescentam que a área verde oferece também um aumento das áreas permeáveis da cidade.
Acerca das funções das áreas verdes, Toledo e Santos (21) destacam: proteção da água de abastecimento; preservação de inundações, principalmente por meio da absorção da água; e preservação de áreas de valor paisagístico, arqueológico ou biológico.
Dada a importância do tema na qualidade de vida urbana por intermédio das múltiplas funções das áreas verdes, pesquisadores como Henseke e Breuste (22) e Caporusso e Matias (19) afirmam que os departamentos de planejamento urbano têm de desenvolver estratégias de adaptação para as cidades, a fim de limitar os efeitos negativos das alterações climáticas sobre os cidadãos. Nesse processo, as áreas verdes podem desempenhar um papel relevante e que deve ser considerado como estratégico — quer seja na condição de planejamento ou gestão do espaço urbano.
Porém, mesmo (re)conhecendo sua importância, no Brasil, as áreas verdes não apresentam crescimento proporcional ao crescimento populacional que ocorre nas cidades (19). Lima e Amorim (23) ressaltam que as áreas verdes, nas regiões urbanizadas no Brasil, são obrigatórias e regidas pela Lei Federal n. 6.766, porém, essa lei delega aos municípios a responsabilidade em definir o valor mínimo de área verde a ser considerada nos loteamentos. Portanto, tem-se claro que não há um valor padrão nacional, ou um consenso sobre qual é a área adequada em locais onde a paisagem original é alterada por processos impactantes, ambientalmente falando, como no caso da implantação de loteamentos em áreas urbanas. Como exemplos, pode-se tomar como referência o município de Biguaçu, em Santa Catarina, que exige como área verde apenas 7% da área a ser loteada (art. 85 da Lei Complementar n. 12/2009); porém, para o munícipio de Anápolis, em Goiás, a administração municipal estabelece que deve ser deixada nos loteamentos (inciso II do art. 23 da Lei Complementar n. 131/2016) apenas 5% de área verde mínima; no outro extremo do processo, tem-se o caso do município de Belo Horizonte, em Minas Gerais, que requer 15% da área a ser loteada como área verde (inciso IV do parágrafo 3°do art. 53 da Lei n. 9.959/2010).
Durante a implantação de novos loteamentos, a paisagem natural é diretamente afetada, principalmente pelos serviços de desmatamento e movimentação de terra necessários. O resultado do desmatamento é visível ao longo da atividade de terraplanagem, que inicialmente consiste na remoção da vegetação preexistente. As Figuras 1a e b apresenta uma imagem do loteamento Jardim Botânico, no bairro Potecas, município de São José, Santa Catarina, durante a fase de implantação. As imagens foram obtidas com um intervalo temporal de 14 meses (novembro de 2009 e janeiro de 2011).

A primeira imagem da Figura 1 apresenta a área do loteamento Jardim Botânico - São José/SC, em novembro de 2009, aproximadamente um ano antes do início da implantação. Já a segunda imagem mostra a mesma área em janeiro de 2011. Nela, pode-se constatar o avanço do desmatamento e a terraplanagem que iniciam a configuração geométrica do sistema viário e dos quarteirões.
Como citado anteriormente, o procedimento de terraplanagem remove toda a vegetação existente na área afetada. Esse serviço, necessário à implantação do loteamento, causa consequências diretas junto ao ciclo hidrológico da bacia hidrográfica onde o empreendimento está inserido, tais como: aumento do escoamento superficial; redução da infiltração da água por consequência da maior impermeabilização do solo; maiores picos e volumes de água de chuvas; e assoreamento em galerias e canais (25, 26).
Dada a relevância e importância das áreas verdes urbanas, bem como a necessidade básica do ser humano de moradia, há de se pensar em uma alternativa viável de se edificar sem perder o foco nas demais necessidades humanas (qualidade do ar e conforto ambiental, entre outras já mencionadas). O loteamento sustentável (LS) visa suprir essa demanda com a minimização dos impactos ambientais, sobretudo com a manutenção do ciclo hidrológico local. No entanto, é necessário se discutir o percentual da área a ser loteada que deverá ser mantida/transformada como área verde, a fim de se aproveitar plenamente os benefícios por ela fornecidos, edificando-se áreas urbanas realmente sustentáveis.
Loteamento sustentável – conceito
Para este estudo, adotam-se os conceitos de LS definidos por Silveira e Oliveira (27) e trabalha-se a problemática da definição do parâmetro mínimo de área verde, em percentagem, para um LS.
Nesse contexto, o conceito de sustentabilidade está atrelado à manutenção do ciclo hidrológico local, o que significa dizer que loteamento sustentável, quanto ao ciclo hidrológico, é aquele em que a quantidade de água que entra e sai da área do LS permanece inalterada, quando comparada com os períodos de pré e pós-ocupação, ou seja, não se aumenta o escoamento superficial da água ao transportá-la para fora do perímetro do loteamento. Em boa verdade, fica mantido o equilíbrio do ciclo hidrológico na área do loteamento. O aumento do escoamento superficial ocorre em alguns pontos do loteamento, provocado pela impermeabilização de áreas com a ocupação, porém, o volume de água produzido fica retido na área interna do perímetro definidor do loteamento com o auxílio de retentores, valas de infiltração e outros dispositivos previstos em projeto. A Figura 2 ilustra esse conceito.

Ao se analisar a Figura 2, observa-se que a área verde possui um papel importante na manutenção do ciclo hidrológico local. No LS, funciona como um dos dispositivos a serem utilizados para provocar a retenção do fluxo de água na bacia hidrográfica que contém o próprio loteamento.
Porém, o questionamento latente que se apresenta no meio científico ainda precisa ser respondido, ou seja: qual deve ser a área verde mínima (em porcentagem) a ser mantida em um loteamento, para que este seja considerado sustentável segundo o ciclo hidrológico local? Para responder a essa indagação, o estudo tomou como base a aplicação do método Delphi, explorando seus recursos e definindo para alguns cenários parâmetros e correlações — baseando-se no princípio legal, ambiental e técnico-científico.
Método Delphi — princípios
Segundo Dalkey e Helmer (28), o método Delphi foi desenvolvido pela Research and Development (RAND) Corporation na década de 1950, com o objetivo de prever problemas complexos na área militar. Hoje em dia, o método Delphi é usado como uma técnica eficiente e altamente adaptativa para obter respostas junto aos problemas relacionados com as diversas áreas do conhecimento. Em sua essência, o método Delphi se configura em um conjunto de questionários aplicados de maneira sequencial (de modo iterativo) com especialistas, e as iteratividades ocorrem tomando como base o aprimoramento da percepção adquirida na fase anterior. Assim, tem-se a convergência das opiniões dos participantes após uma sequência de aplicações do procedimento técnico (29). Neste contexto, o método Delphi foi adotado na pesquisa como procedimento metodológico que fundamentou a determinação do valor da área verde mínima em loteamentos, sendo fundamentado na opinião e argumentação de um grupo de especialistas relacionados com a área.
O processo desenvolvido na aplicação do método Delphi, segundo Rowe e Wright (30), possui como principais características:
Anonimato: garantido pelo envio dos questionários sem a identificação dos participantes. Com isso, eliminam-se as pressões indevidas que normalmente encontram-se em discussões presenciais, como a persuasão pelo especialista de maior prestígio (31);
Iteração: processo sequencial de questionários intercalados com feedback. Com a iteração do questionário, os indivíduos têm a oportunidade de mudar suas opiniões e seus julgamentos sem receio dos demais especialistas (30);
Feedback: retorno do questionário aos especialistas com o resumo das respostas do grupo. Com isso, permite-se que os participantes revisem suas respostas e, se acharem necessário, alterem-nas, sendo apresentada a opção para serem expostas as razões da mudança (32);
Agregação das respostas: uso do conjunto das respostas que ficam próximas da média, ou seja, convergência das respostas.
O procedimento do método Delphi é ilustrado esquematicamente na Figura 3.

Por definição, o processo de aplicação do método Delphi tem início com a definição do tema de pesquisa na qual se pretende usá-lo. O passo seguinte configura-se em definir o nível de experiência que se deseja, ou que se pode obter dos especialistas participantes.
Em seguida, selecionam-se os participantes, e, conforme recomendam Rowe e Wright (30), essa seleção deve ser feita de forma criteriosa, para que se tenha um resultado satisfatório. Na etapa subsequente, elabora-se o questionário, o qual deve ser estruturado de acordo com os princípios metodológicos, composto por perguntas pertinentes ao tema, cuja primeira estimativa de respostas traga o valor dos elementos desejados. O questionário deve ser estruturado com cada item de modo isolado, ou seja, não deverá uma pergunta ser dependente de outra, pois a relação entre uma característica e outra será construída pela aplicação do modelo (33). Além disso, nesse questionário, podem ser adicionadas informações auxiliares que subsidiaram os especialistas em suas respostas.
Definidas as perguntas do questionário, realiza-se um pré-teste, a fim de verificar sua aplicabilidade, sua aceitação e seu valor cognitivo. Esse teste é feito enviando-se a primeira versão do questionário para um especialista responder. Após seu retorno, analisam-se os comentários/respostas fornecidos, e, se for necessário, reformulam-se os questionamentos, aprimorando seu grau de clareza.
Seguindo o princípio metodológico Delphi, o passo seguinte representa o envio do formulário a todos os especialistas participantes do processo. Com o retorno das respostas, o resultado dessa primeira enquete é analisado, segundo o cálculo dos valores de média, moda e desvio-padrão das respostas obtidas.
Concluída a primeira análise do questionário Delphi, os resultados com os dados estatísticos de cada resposta são enviados ao grupo de especialistas, bem como os comentários realizados pelos participantes e pelo mediador. Na segunda rodada, os especialistas podem alterar suas respostas, porém, é solicitado que informem os motivos das mudanças. Esse procedimento é conhecido como feedback controlado (30). A Figura 3 apresenta o fluxograma de aplicação do método.
Obtidas as respostas da segunda rodada, analisam-se as tendências de convergências das respostas, bem como verifica-se a necessidade ou não de uma nova rodada de aplicação do questionário. Se for atendido o "limiar" esperado de convergência, não se aplica o questionário e gera-se o relatório técnico, informando os participantes sobre os resultados obtidos.
Para se verificar o cumprimento da convergência das respostas, segundo Linstone e Turoff (29), não há regras definitivas, embora a segunda rodada normalmente traga a convergência de opinião. Para tanto, nesta pesquisa, considerou-se a convergência de opiniões quando o coeficiente de variação foi menor que 30%, conforme adotado por Cardoso, Abiko, Haga, Inouye e Gonçalves (35). Williams e Webb (36) reforçam essa escolha, relatando que importantes pesquisas usaram também esse valor.
APLICAÇÃO DO MÉTODO DELPHI
A fim de se determinar o valor mínimo de área verde para um LS quanto ao ciclo hidrológico, em área urbana, aplicou-se o método Delphi.
O estudo de caso contou inicialmente com a participação de 23 especialistas. Ressalta-se que o número de especialista indicado por Delbecq, Van De Vem e Gustafson (37), em uma aplicação qualquer, pode ser variável, e considera-se suficiente um número entre 10 e 15 participantes. Corroborando com o princípio técnico, Murphy et al. (38) comentam que não foi possível observar grandes vantagens entre uma pesquisa realizada com um grande número de especialistas (acima de 20), em detrimento de outras pesquisas com menor número de participantes (menos de 10), porém, o recomendável é considerar no mínimo 10 participantes. Duffield (39) concorda com a recomendação técnica dos últimos autores e conclui que o número de participantes não interfere no nível de consenso. Logo, trabalhou-se, inicialmente, com 23 especialistas que aceitaram participar da pesquisa, sendo estes selecionados por meio da análise prévia em função das características apresentadas em seu currículo, disponível na plataforma Lattes (<http://lattes.cnpq.br>), tendo cada participante no mínimo mestrado e publicação na área. Em seguida, foi desenvolvido o formulário Delphi, o qual, depois, foi enviado aos especialistas selecionados.
Com o retorno dos questionários, as respostas foram analisadas e iniciou-se a reestruturação das perguntas, baseada na proposição metodológica apresentada por Zapata (40), a qual considera o ponto de vista dos especialistas no contexto multicritério e multiatributo. Esse método de seleção visa avaliar a habilidade e o grau de experiência dos participantes. Para tanto, são elaboradas perguntas que envolvam os critérios desejados, como titulação, artigos publicados na área, projetos de pesquisas, entre outros. Cada critério e atributo tem pesos iguais ou diferentes, de forma que os especialistas recebem pontos pelos atributos desejados. No final, somam-se os pontos que cada especialista recebeu e eliminam-se 25% dos especialistas com menor pontuação.
Dessa forma, 5 participantes, entre os 23 especialistas pré-selecionados, foram desconsiderados, por não se enquadrarem no perfil desejado e definido tecnicamente pelo método apresentado por Zapata (40), restando 18 participantes.
Os resultados da primeira rodada do método Delphi foram enviados aos dezoito especialistas com os valores da média e moda e as sugestões apresentadas pelo grupo. Na primeira aplicação do questionário, os valores da média e moda foram 27,5% e 20%, respectivamente. Após o retorno da segunda rodada do método Delphi, analisaram-se as respostas dos especialistas e pôde-se observar que ocorreram mudanças. Para a segunda rodada, os valores da média e moda foram 26,9% e 20%, respectivamente. Aplicou-se, então, mais uma rodada, a terceira, com o envio das novas média e moda, bem como os comentários dos especialistas. Na sequência, analisaram-se as repostas da terceira rodada e verificou-se que ocorreu a maximização e/ou convergência do consenso, já que não houve mais alteração nas respostas. Nessa última rodada, os valores da média e moda foram 25,8% e 20%, respectivamente. Por fim, enviou-se a versão final processada com os últimos valores de média e moda para análise e sugestão dos 18 especialistas.
De posse do valor de área verde mínima obtido pelo método Delphi, e a fim de se verificar o impacto da aplicação desse valor, bem como sua viabilidade técnica, realizou-se um estudo de caso no loteamento Portal da Colina, situado no município de São José, Santa Catarina. Esse loteamento possui projetos aprovados nos órgãos competentes do município e, devido às características morfológicas de distribuição de área verde, não se enquadra no conceito de LS. Porém, esse loteamento foi adotado como estudo de caso na pesquisa por causa de sua localização (em área urbana em expansão) e pela representatividade do bairro no contexto do município, fatores que têm contribuído com uma acentuada dinâmica de desenvolvimento territorial e com impactos negativos visíveis e que vêm sendo noticiados, principalmente no que diz respeito a inundações que ocorrem a jusante na bacia hidrográfica, as quais são muito significativas. As características físicas desse empreendimento o tornaram propício à aplicação teórica do resultado obtido com o método Delphi, pois permitiram analisar o projeto nas condições em que foi aprovado e, posteriormente, avaliar os impactos da aplicação do valor de área verde mínima — que podem estar relacionados com a perda de área construída e, portanto, de lucro imobiliário para o empreendedor, ou serem relativos ao ganho de área de infiltração para minimizar os impactos ambientais.
Uma vez definida a área do estudo de caso, foram obtidas as plantas do projeto de loteamento em implantação. Utilizando-se um software CAD, elaborou-se a planta relativa à espacialização do valor de área verde mínima e, a posteriori, analisou-se a distribuição das áreas do loteamento. Foram comparados os valores de área verde existentes no projeto inicial com o obtido após a espacialização proposta para LS, buscando-se determinar a discrepância entre esses valores. Em seguida, avaliou-se o impacto das diferenças de áreas entre as duas situações, de modo que o loteamento, ao final, pudesse ser considerado sustentável quanto ao ciclo hidrológico. Nesse processo, uma inspeção em campo foi necessária, para avaliar e determinar quais áreas seriam potencialmente transformadas em áreas verdes. Por fim, cruzaram-se os resultados com as referências pesquisadas para verificar o impacto provocado no ciclo hidrológico local com as alterações propostas.
RESULTADOS E DISCUSSÕES
Aplicando-se o método descrito, questionou-se aos especialistas: “Qual deve ser o percentual mínimo da área a ser loteada que deverá ser mantida/transformada como área verde a ser exigida por uma prefeitura para loteamentos sustentáveis?”.
Para responder a essa pergunta, os especialistas deveriam levar em consideração os benefícios da presença da área verde nos loteamentos, principalmente a manutenção do ciclo hidrológico local, porém, sem desconsiderar a necessidade do empreendimento ser economicamente viável.
O resultado da aplicação do método Delphi, após três rodadas de questionamentos e ponderações, pode ser observado na Tabela 1, em que: os especialistas foram denominados E1, E2 etc.; e o símbolo % indica o percentual de área verde que o respectivo especialista indicou como ideal, dadas as argumentações com seus pares.
| Espec. | E1 | E2 | E3 | E4 | E5 | E6 | E7 | E8 | E9 |
|---|---|---|---|---|---|---|---|---|---|
| % | 20 | 20 | 20 | 20 | 30 | 35 | 30 | 40 | 20 |
| Espec. | E10 | E12 | E13 | E14 | E15 | E16 | E17 | E20 | E21 |
| % | 25 | 15 | 25 | 30 | 15 | 20 | 40 | 40 | 20 |
A identificação dos especialistas foi mantida a mesma do início ao fim da aplicação do método Delphi, ou seja, o número de identificação não se alterou durante o processo, nem mesmo quando da alteração do número de participantes. Em suma, é por isso que, apesar de o número total de especialistas participantes em todas as etapas ter sido 18, têm-se especialistas identificados com E20 e E21 na tabela anterior.
Para facilitar a visualização do resultado, verificou-se o número de respostas iguais e construiu-se o histograma apresentado na Figura 4. Salienta-se que, levando-se em consideração a opinião dos especialistas e o fato de a variável ser contínua, adotou-se o valor da média, e não o da moda, para as análises.

Conforme pode-se observar na Figura 4, 39% dos especialistas concordaram que deve ser exigido um mínimo de 20% de área verde no loteamento, 11% aceitam no mínimo 25% e 17% afirmam que são necessários 30%. Assim, pode-se afirmar que 67% dos especialistas aceitaram que, em LS, deve-se ter uma taxa mínima de área verde entre 20% e 30% da gleba.
Analisando-se os dados da opinião convergente de 67% dos especialistas, verificou-se que a média das respostas foi de 25,8%, e a moda, de 20%. Como o intuito desta pesquisa é a contribuição para definir uma norma orientativa, adotou-se o valor inteiro de 25%, a fim de aproximá-lo da sugestão de 61% dos especialistas, que indicaram um percentual mínimo de área verde entre 15% e 25%.
Castanheira, Bragança e Mateus (20) também definiram esse valor como referência durante uma pesquisa sobre três projetos internacionais de regeneração urbana sustentável (Lisboa/Portugal, Lyon/França e Londres/Inglaterra). Para os autores, a melhor prática correspondeu ao projeto de regeneração urbana em que 25% ou mais da área total de projeto fosse destinada a espaços verdes, proposição que corrobora com os valores obtidos pelo método Delphi nesta pesquisa.
Enfim, pela aplicação do método Delphi, conclui-se que é necessário prever, nos loteamentos sustentáveis, quanto ao ciclo hidrológico local, um mínimo de 25% da área total a ser loteada como área verde. Também é possível afirmar que o método mostrou-se adequado para a determinação desse valor.
IMPACTO DA IMPLANTAÇÃO DA ÁREA VERDE MÍNIMA
Conforme visto, o estudo de caso apresentado neste artigo, realizado no loteamento Portal da Colina, teve como objetivo verificar o impacto da exigência de 25% de área verde mínima, bem como sua viabilidade técnica.
Descrição do loteamento
O loteamento escolhido para se determinar os impactos de aplicação de 25% de área verde, Portal da Colina, possui uma área total de implantação de 142.367,189 m2, divididos de acordo com o apresentado na Tabela 2.
| Tipos de áreas | Área (m2) | % da área total |
|---|---|---|
| Área verde | 28.931,07 | 20,32 |
| Área institucional | 2.332,08 | 1,64 |
| Área de jardim | 3.385,14 | 2,38 |
| Área das ruas | 22.815,76 | 16,03 |
| Área dos lotes | 84.903,14 | 59,64 |
| Área total | 42.367,19 | 100,00 |
A Figura 5 apresenta o layout do loteamento com as divisões das áreas apresentadas na Tabela 2, sobreposta a uma imagem do local de implantação de novembro de 2009, antes das intervenções de obra civil.

Na Figura 5, pode-se observar que as áreas verdes do projeto aprovado foram alocadas em áreas onde já existia vegetação, e as áreas de jardim (área definida no projeto como área com vegetação rasteira) estão inseridas nas faixas de domínio da rede de alta tensão que passa pelo loteamento, conforme pôde-se constatar in loco.
A Figura 6a apresenta a imagem fotográfica de uma área verde, e a Figura 6b, a imagem fotográfica de uma área de jardim, as quais foram obtidas em setembro de 2013.

Espacialização da área verde mínima
Para que o loteamento Portal da Colina possa ser considerado como sustentável quanto ao ciclo hidrológico local, é necessário verificar se a quantidade de área verde atual do loteamento atende à exigência mínima de 25% da área total loteada, conforme definido anteriormente.
A Tabela 2 do item 4.1 apresenta a divisão da área do loteamento Portal da Colina, de acordo com o projeto original. Nessa tabela, pode-se observar que o loteamento apresenta 20,32% de área verde, ou seja, para se adequar, o loteamento precisa ter mais 4,68% de área verde, o que corresponde a 6.662,784 m2 de incremento.
Buscando-se amenizar o impacto na redução do número de lotes, primeiramente observaram-se quais áreas de jardim poderiam ser convertidas como área verde. As áreas identificadas como jardim 1, 2 e 4 (ver Figura 7) poderão ser classificadas como área verde, desde que o empreendedor realize adaptações, como o plantio de árvores. A definição do tipo e da quantidade de árvores a ser plantada deverá ficar a critério da Fundação Municipal do Meio Ambiente de São José/SC, obedecendo as legislações pertinentes.

As três áreas indicadas na Figura 7 representam um total de 962,92 m2.
Assim, incluindo-se essas áreas como verdes, ficará faltando um total de 5.733,81 m2 para se atingir os 25% de área verde.
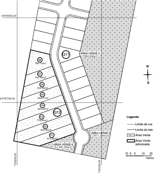
A próxima sugestão se refere a uma área que apresentava um perfil natural com grande declividade, aproximadamente 26%, porém, foi realizada uma terraplanagem no terreno para a implantação do loteamento, deixando essa área com uma inclinação menor do que a natural (conforme pode-se observar na Figura 8). Dessa forma, adotando a inclusão dessa área como parte da área verde a ser atendida pelo LS, diminui-se o impacto ambiental através da redução do volume de escavação e desmatamento, bem como da atenuação da vazão de água pluvial. Essa área está representada na Figura 9 como sendo os lotes de número 01 a 08 da quadra 12.


Com o acréscimo dessa nova área declivosa de 5.147,27 m2, atinge-se um total de 35.005,26 m2 de área verde, faltando ainda 586,54 m2 para atingir os 25% exigidos para que o loteamento seja sustentável.
Continuando-se com a proposição de transformar o loteamento com característica sustentável quanto ao ciclo hidrológico, selecionou-se, o lote 01 da quadra 2, apresentado na Figura 10, por ainda possuir uma área coberta com vegetação (árvores de médio porte), mas não sendo contabilizando como área verde. O lote possui área de 1.026,76 m2, o qual supera o valor faltante de 586,54 m2 necessário para se atingir os 25% e ainda se tem um saldo positivo de 440,22 m2. Nesse sentido, o valor espacial acima do 25% pode ser utilizado na construção das bacias de retenção, auxiliando no processo de manutenção do ciclo hidrológico local, a partir da contenção da água da bacia hidrográfica em que o loteamento está inserido, sem prejudicar a bacia a montante com um acréscimo de volume de água.

Com a transformação do lote 01 da quadra 02 em área verde, atingiu-se o total de 36.068,02m2, correspondendo a 25,33%, ultrapassando-se a meta mínima estabelecida inicialmente. Com isso, tem-se um novo quadro de áreas para o loteamento, apresentado na Tabela 3.
| Áreas | Situação inicial | Situação final | ||
|---|---|---|---|---|
| Área (m2) | % do total | Área (m2) | % do total | |
| Verde | 28.931,07 | 20,32 | 36.068,02 | 25,33% |
| Institucional | 2.332,08 | 1,64 | 2.332,08 | 1,64% |
| De jardim | 3.385,14 | 2,38 | 2.422,22 | 1,70% |
| De ruas | 22.815,76 | 16,03 | 22.815,76 | 16,03% |
| Dos lotes | 84.903,14 | 59,64 | 78.729,11 | 55,30% |
| Total | 142.367,19 | 100,00 | 142.367,19 | 100,00 |
Comparando-se o apresentado na Tabela 3 com a Tabela 2, verifica-se que a proposta de LS ficou com 6.174,03 m2 de área de lotes a menos do que o projeto original, o que correspondeu a nove lotes. A Figura 11 ilustra a divisão final do loteamento Portal da Colina apresentada na Tabela 3

Análise do impacto da adoção da área verde mínima de 25%
A adoção de uma área verde mínima de 25% da área do empreendimento acarretou, neste estudo de caso, a conversão de 4,7% de lotes em área verde. Esse número demonstrou ser viável para o empreendedor, pois entende-se que não há uma redução significativa do número de lotes a ponto de inviabilizar o empreendimento. De fato, o valor dos lotes pode ser maximizado pelo apelo green ambiental, seja por prováveis subsídios fiscais, os quais tendem a ser beneficiados aos empreendimentos sustentáveis por causa da diminuição dos custos de infraestrutura básica já providos pelo empreendedor, e que potencialmente desonera o poder público.
Mesmo sabendo-se que a área permeável não apresenta necessariamente uma cobertura de vegetação. O ganho de área permeável no loteamento configura-se de fato como um dos grandes benefícios na adoção do mínimo 25% da área verde. Essa afirmação pode ser referendada por meio dos resultados da pesquisa desenvolvida por Livingston e McCarron (41), os quais estão ilustrados na Figura 12.

Por meio da Figura 12, é possível observar que a adoção de no mínimo 25% de área verde para o LS, a qual também é permeável, chega-se à situação indicada no item C, em que se tem de 35 a 50% de superfície impermeável. Isso se deve ao fato de que, além dos 25% de área verde, cada lote também precisará deixar uma área mínima de terreno para a infiltração de água no solo de 25%, conforme a proposta adotada, apresentada por Silveira e Oliveira (27). Logo, a área de infiltração total do loteamento será de 25% de área verde obtida de áreas comuns mais 25% da área unitária dos lotes. Ou seja, para o presente estudo de caso, em que o percentual de área de lotes corresponde a 55,30% da área total do loteamento, tem-se mais 38,83% de área de infiltração correspondente à fração dos lotes individuais. Em suma, adotando-se essa proposta, sempre haverá uma área permeável maior do que 25%, evitando-se a situação indicada no item D da Figura 12, na qual tem-se de 75 a 100% da superfície impermeabilizada. Em relação ao item C da Figura 12, há um incremento de 10% de infiltração profunda, um ganho de 10% de infiltração superficial, um aumento de 5% da evapotranspiração e uma redução de 25% do escoamento superficial. A observação e preservação a esses parâmetros em um loteamento considerado sustentável significa uma redução de custos relativos a projetos e obras de drenagem superficial para o empreendedor.
Salienta-se também que o ganho de áreas verdes proporcionará, inevitavelmente, uma melhora no microclima local, uma vez que as áreas verdes tornam-se atenuantes nas temperaturas médias, conforme pesquisas apresentadas por diversos autores (13–15).
No contexto das pesquisas de Livingston e McCarron (41), Gill et al. (13), Bowler et al. (14) e Mathey et al. (15), corroboradas pelos resultados obtidos no estudo de caso deste artigo, é fundamental que se exija, por parte dos órgãos das administrações municipais, a preservação de no mínimo 25% da área verde em LS quanto ao ciclo hidrológico local.
CONCLUSÕES
Este artigo quantificou e apontou a potencialidade da área verde nos LS como meio de mitigar os problemas ambientais impactantes e comuns em áreas urbanas.
Conforme apresentado, o desenvolvimento urbano sustentável enfrenta uma série de desafios frente às ações antrópicas, tais como a manutenção da biodiversidade urbana, a promoção de condições de vida saudável e a manutenção de qualidade ambiental, entre outras. As áreas verdes oferecerem diversos potenciais para atender às demandas de aprimoramento da qualidade de vida, em especial, no auxílio da manutenção do ciclo hidrológico local, dados seus efeitos de amenização das temperaturas médias e aumento na taxa de infiltração da água no solo, entre outros. Como resultado obtido por esta pesquisa não se tem a pretensão de que as 5.570 municipalidades brasileiras adotem o parâmetro mínimo de 25% para configurarem as áreas verdes em loteamentos rotulados como sustentáveis. Ressalta-se que essa ação é somente um fator atenuante para resolver os problemas causados pela ocupação antrópica e pelo planejamento urbano confuso que temos nos centros urbanos, assim, novas pesquisas devem ser realizadas, e outras parametrizações devem ser testadas e validadas.
O Método Delphi, aplicado para quantificar o valor de área verde mínima, mostrou-se eficiente, promoveu o debate entre profissionais especialistas na área, e, a partir da análise estatística dos dados primários, chegou-se ao valor de 25% de área verde. Salienta-se que o parâmetro de 25% de área verde para um LS, segundo Livingston e McCarron (41), será responsável por um incremento de aproximadamente 10% de infiltração profunda de água da chuva, 10% de infiltração superficial de água da chuva, 5% da evapotranspiração e uma a redução de 25% do escoamento superficial, quando comparados com um cenário em que não se adote essa exigência mínima de área verde.
Espera-se que os resultados obtidos nesta pesquisa subsidiem os tomadores de decisão e os planejadores urbanos de modo que estes tenham maior consciência sobre os processos de ocupação e (re)ordenamento territorial dos loteamentos rotulados como green. Nesse contexto, há a necessidade da criação de legislação específica ou de normativas técnicas, visando ao desenvolvimento dos LS, em que o valor mínimo de área verde para loteamentos em áreas urbanas (25%) seja exigido, de modo que as prefeituras possam cobrar dos empreendedores essa exigência.
Sugere-se, ainda, que o valor de 25% de área verde mínima para loteamentos considerados sustentáveis seja discutido com outros profissionais correlatos aos projetos de engenharia. De modo similar, é importante ter o envolvimento dos órgãos competentes municipais, estaduais e federais (quando pertinente), sobre a adoção do valor de 25% de área verde nos loteamentos, no momento da análise de viabilidade do projeto, bem como em sua execução e entrega dos respectivos alvarás e licenças.
REFERÊNCIAS
GOMEZ, Francisco, JABALOYES, José, MONTERO, Luis, VICENTE, Vicente de and VALCUENDE, Manuel. Green Areas, the Most Significant Indicator of the Sustainability of Cities: Research on Their Utility for Urban Planning. Journal of Urban Planning and Development. 2011. Vol. 137, no. 3, p. 311–328. https://doi.org/10.1061/(asce)up.1943-5444.0000060.
MCDONALD, Robert I., MARCOTULLIO, Peter J. and GÜNERALP, Burak. Urbanization and Global Trends in Biodiversity and Ecosystem Services. In : Urbanization, Biodiversity and Ecosystem Services: Challenges and Opportunities: A Global Assessment. Dordrecht : Springer, 2013. p. 31–52. ISBN 9789400770881. https://doi.org/10.1007/978-94-007-7088-1_3.
NAUMANN, Sandra, MCKENNA, D, KAPHENGST, Timo, PIETERSE, Mav, RAYMENT, Matt and DAVIS, Mckenna. Design, implementation and cost elements of Green Infrastructure projects. Final report to the European Commission, DG Environment [online]. 2011. Available from: http://ec.europa.eu/environment/enveco/biodiversity/pdf/GI_DICE_FinalReport.pdf
NIEMELÄ, Jari, SAARELA, Sanna Riikka, SÖDERMAN, Tarja, KOPPEROINEN, Leena, YLI-PELKONEN, Vesa, VÄRE, Seija and KOTZE, D. Johan. Using the ecosystem services approach for better planning and conservation of urban green spaces: A Finland case study. Biodiversity and Conservation. 2010. Vol. 19, no. 11, p. 3225–3243. https://doi.org/10.1007/s10531-010-9888-8.
TZOULAS, Konstantinos, KORPELA, Kalevi, VENN, Stephen, YLI-PELKONEN, Vesa, KAŹMIERCZAK, Aleksandra, NIEMELA, Jari and JAMES, Philip. Promoting ecosystem and human health in urban areas using Green Infrastructure: A literature review. Landscape and Urban Planning. 2007. Vol. 81, no. 3, p. 167–178. https://doi.org/10.1016/j.landurbplan.2007.02.001.
REIS, Prado Ricardo Abreu and ILHA, Marina Sangoi de Oliveira. Comparação de desempenho hidrológico de sistemas de infiltração de água de chuva: poço de infiltração e jardim de chuva. Ambiente Construído. 2014. Vol. 14, no. 2, p. 79–90. https://doi.org/10.1590/s1678-86212014000200006.
SANTOS, Pedro Tyaquiçã da Silva, SANTOS, Sylvana Melo dos, MONTENEGRO, Suzana Maria Gico Lima, COUTINHO, Artur Paiva, MOURA, Glawbber Spíndola Saraiva de and ANTONINO, Antônio Celso Dantas. Telhado verde: desempenho do sistema construtivo na redução do escoamento superficial. Ambiente Construído. 2013. Vol. 13, no. 1, p. 161–174. https://doi.org/10.1590/s1678-86212013000100011.
DIREI, Diretoria de Estatística e Informações and PINHEIRO, Fundação João. Déficit habitacional no brasil 2015. [online]. 2018. P. 129. Available from: http://fjp.mg.gov.br/index.php/docman/direi-2018/871-6-serie-estatistica-e-informacoes-deficit-habitacional-no-brasil-2015291118/file
KAKOTY, Sanjeeb. Ecology, sustainability and traditional wisdom. Journal of Cleaner Production [online]. 2018. Vol. 172, p. 3215–3224. https://doi.org/10.1016/j.jclepro.2017.11.036.
MIRANDA, Renilce Alves. Sustentabilidade e Desenvolvimento Regional Sustentável no Brasil : Casos de sucesso. Dissertação, Faculdade de Economia, Universidade do Porto, 2018.
COMISSÃO EUROPEIA. Green Infrastructure (GI) — Enhancing Europe’s Natural Capital [online]. Brussels, 2013. Available from: http://eur-lex.europa.eu/legal-content/EN/TXT/?uri=CELEX:52013DC0249
SANTA CATARINA. Guia do parcelamento do solo urbano: perguntas e respostas: consultas e modelos. Florianópolis - SC : MPSC, 2010.
GILL, Susannah E., HANDLEY, John F., ENNOS, Adrian Roland and PAULEIT, Stephan. Adapting cities for climate change: The role of the green infrastructure. Built Environment. 2007. Vol. 33, no. 1, p. 115–133. https://doi.org/10.2148/benv.33.1.115.
BOWLER, Diana E., BUYUNG-ALI, Lisette, KNIGHT, Teri M. and PULLIN, Andrew S. Urban greening to cool towns and cities: A systematic review of the empirical evidence. Landscape and Urban Planning [online]. 2010. Vol. 97, no. 3, p. 147–155. https://doi.org/10.1016/j.landurbplan.2010.05.006
MATHEY, Juliane, RÖSSLER, Stefanie, BANSE, Juliane, LEHMANN, Iris and BRÄUER, Anne. Brownfields as an element of green infrastructure for implementing ecosystem services into urban areas. Journal of Urban Planning and Development. 2015. Vol. 141, no. 3, p. 1–13. https://doi.org/10.1061/(asce)up.1943-5444.0000275.
NUCCI, João Carlos. Qualidade Ambiental E Adensamento Urbano [online]. 2°. Curitiba-PR : Edição do Autor, 2008. ISBN 9788590825104. Available from: http://www.geografia.ufpr.br/laboratorios/labs
GÓMEZ, F., JABALOYES, J., Vañó E. Green Zones in the Future of Urban Planning. . 2004. Vol. 130, no. 2, p. 94–100. https://doi.org/10.1061/(asce)0733-9488(2004)130:2(94).
KOTTMEIER, Christoph, BIEGERT, Claudia and CORSMEIER, Ulrich. Effects of urban land use on surface temperature in berlin: Case study. Journal of Urban Planning and Development. 2007. Vol. 133, no. 2, p. 128–137. https://doi.org/10.1061/(asce)0733-9488(2007)133:2(128).
CAPORUSSO, D. and MATIAS, L. F. Áreas Verdes Urbanas: Avaliação e Proposta Conceitual. Anais do I Simpósio de Pós-Graduação em Geografia do Estado de São Paulo. 2008. P. 16.
CASTANHEIRA, Guilherme Silveira, BRAGANÇA, Luís and MATEUS, Ricardo. Definindo melhores práticas em projetos de Regeneração Urbana Sustentável. Ambiente Construído. 2014. Vol. 14, no. 3, p. 7–25. https://doi.org/10.1590/s1678-86212014000300002.
TOLEDO, Fabiane dos Santos and SANTOS, Douglas Gomes dos. Espaço Livre de Construção – Um Passeio Pelos Parques Urbanos. Revista da sociedade brasileira de arborização urbana. 2012. Vol. 7, no. 2, p. 10–23.
HENSEKE, Aisa and BREUSTE, Jürgen H. Climate-change sensitive residential areas and their adaptation capacities by urban green changes: Case study of linz, Austria. Journal of Urban Planning and Development. 2015. Vol. 141, no. 3, p. 1–18. https://doi.org/10.1061/(asce)up.1943-5444.0000262.
LIMA, VALÉRIA, AMORIM, Margarete C. C. T. A importância das áreas verdes para a qualidade ambiental das cidades. Revista Formação. 2006. Vol. 1, no. 13, p. 139–165. https://doi.org/10.33081/formacao.v1i13.835.
GOOGLE EARTH. Vista aérea do loteamento Jartdim Botânico, São José/SC em 2009 e 2011. Localização 27°33’29.64”S, 48°39’33.08”W, altura da câmera 30 m.
TUCCI, Carlos E M. Drenagem urbana. Ciência e Cultura [online]. 2003. Vol. 55, no. 4,p. 36–37.Available from: http://cienciaecultura.bvs.br/pdf/cic/v55n4/a20v55n4.pdf
MOTA, Francisco Suetônio. Urbanização e Meio Ambiente. 3. Rio de Janeiro : ABES, 2003.
SILVEIRA, Samuel João da and OLIVEIRA, Francisco Henrique de. Minimum Permeable Soil Area in a Sustainable Allotment. Journal of Urban Planning and Development. 2013. Vol. 140, no. 2, p. 10. https://doi.org/10.1061/(asce)up.1943-5444.0000162.
DALKEY, Norman and HELMER, Olaf. An Experimental Aplication of the Delphi Method to the Use of Experts. . 1963. P. 458–467.
LINSTONE, Harold A. and TUROFF, Murray. The Delphi Method: Techniques and Applications. Addison-Wesley, 1975. ISBN 0201042932.
ROWE, Gene and WRIGHT, George. The Delphi technique as a forecasting tool: Issues and analysis. International Journal of Forecasting. 1999. Vol. 15, no. 4, p. 353–375. https://doi.org/10.1016/s0169-2070(99)00018-7.
ONO, Ryota and WEDEMEYER, Dan J. Assessing the validity of the Delphi technique. Futures. 1994. Vol. 26, no. April, p. 289–304.
JOLSON, MARVIN A., ROSSOW, Gerald L. The delphi process in marketing decision making. Journal of Marketing Research [online]. 1971. Vol. 8, no. 4, p. 443–448. https://doi.org/10.2307/3150234.
MOURA, Ana Clara Mourão. Reflexões metodológicas como subsídio para estudos ambientais baseados em Análise de Multicritérios. Anais XIII Simpósio Brasileiro de Sensoriamento Remoto. 2007. No. 13, p. 2899–2906.
RIGGS, Walter E. The Delphi technique. An experimental evaluation. Technological Forecasting and Social Change. 1983. Vol. 23, no. 1, p. 89–94. https://doi.org/10.1016/0040-1625(83)90073-2.
CARDOSO, Luiz Reynaldo de Azevedo, ABIKO, Alex Kenya, HAGA, Heitor Cesar Riogi, INOUYE, Kelly Paiva and GONÇALVES, Orestes Marraccini. Prospecção de futuro e Método Delphi: uma aplicação para a cadeia produtiva da construção habitacional. Ambiente Construìdo. 2005. Vol. 5, no. 3, p. 63–76. https://doi.org/10.11606/t.3.2008.tde-12082008-222241.
WILLIAMS, Patricia L. and WEBB, Christine. The Delphi technique: a methodological discussion. Journal of Advanced Nursing. 1994. Vol. 19, no. 1, p. 180–186. https://doi.org/10.1111/j.1365-2648.1994.tb01066.x.
DELBECQ, ANDRE L., VAN DE VEN, ANDREW H., GUSTAFSON, David H. Group techniques for program planning: a guide to nominal group and delphi processes. Middleton - US : Green Briar Press, 1975. ISBN 0961451114.
MURPHY, M. K., BLACK, N. A., LAMPING, D. L., MCKEE, C. M., SANDERSON, C. F., ASKHAM, J. and MARTEAU, T. Consensus development methods, and their use in clinical guideline development. Health technology Assessment [online]. 1998. Vol. 2, no. 3, p. 1–83. https://doi.org/10.3310/hta2030
DUFFIELD, Christine. The Delphi technique: a comparison of results obtained using two expert panels. International Journal of Nursing Studies. 1993. Vol. 30, no. 3, p. 227–237. https://doi.org/10.1016/0020-7489(93)90033-q.
ZAPATA, Juan Carlos Revollo. Modelo Híbrido para Estimativa de Parâmetros de Referência como Suporte à Avaliação Social de Projetos. Dissertação, Pós-graduação em Engenharia de Produção, Universidade Federal de Santa Catarina, 1995.
LIVINGSTON, Eric H. and MCCARRON, Ellen. Stormwater Management. - A Guide for Floridians. Tallahassee, US, 1992.