CON CRITERIO
Integración arquitectónica de la fachada fotovoltaica. Potencial solar y percepción de usuario en la vivienda colectiva
Architectural integration of photovoltaic facade. Solar potential and user perception in the Collective Housing
Integración arquitectónica de la fachada fotovoltaica. Potencial solar y percepción de usuario en la vivienda colectiva
Arquitectura y Urbanismo, vol. XXXVII, núm. 2, pp. 33-48, 2016
Instituto Superior Politécnico José Antonio Echeverría
Recepción: 28 Agosto 2015
Aprobación: 09 Abril 2016
Financiamiento
Nº de contrato: Conicyt - AKA ERNC-007 - CONFIN
Resumen: Los sistemas de energía solar activa suelen ser incorporados en la cubierta, sin aprovechar la superficie disponible en la envolvente vertical. Este artículo plantea una novedosa revisión del potencial solar de fachada y percepción del usuario en un caso de estudio de vivienda colectiva en Concepción, Chile. Se determina la demanda energética mediante Design Builder, se calcula el potencial solar y rendimientos utilizando Vasari. Estas simulaciones permitieron determinar la capacidad del sistema fotovoltaico en esta tipología arquitectónica. Luego se hace un análisis económico y una encuesta a los usuarios. Los resultados muestran que se puede abastecer 36,59% calefacción y 134,49% iluminación; con una recuperación de la inversión de siete años. Finalmente, la percepción de los usuarios es positiva y se identifican como las mayores preocupaciones el aspecto económico y el funcionamiento del sistema. El estudio presenta un análisis integral de las condiciones arquitectónicas para la implementación de una fachada funcional-energética que sugiere un potencial de expresión arquitectónica de las nuevas tecnologías.
Palabras claves: energía solar, fachada fotovoltaica, vivienda colectiva, percepción usuario.
Abstract: The active solar energy systems are often incorporated into the roofs of buildings without use of the available surface in the vertical enclosure. This article reviews the solar potential of facades and user perception in Collective Housing in Concepcion, Chile. Energy demand is determined by Design Builder, the solar potential and performance of systems are calculated using Vasari. These simulations allowed determining the capacity of the PV system in this architectural type. Also, an economic analysis and a survey to users were made. The results show that it can supply 36.59% to heating and 134.49% to lighting; with a return on the investment of seven years. Finally, the perception of the users is positive, being identified as the biggest concern the economic aspect and the operation of the system. The study shows an energy-functional facade that suggests a potential for architectural expression with new technologies.
Keywords: solar energy, photovoltaic facade, collective housing, user perception.
Introducción
Hoy el mundo enfrenta una crisis global por el deterioro del medio ambiente, debido al efecto invernadero generado por diferentes gases, en especial las emisiones de CO2, que se asocian directamente con el sector de la energía, producidas por la combustión de energías fósiles, tales como el carbón, gas, petróleo y quema de leña 1. Este tipo de energía se genera normalmente en sistemas complejos, costosos y contaminantes 2.
Preocupaciones ambientales globales y demandas crecientes de energía, junto con un progreso constante en las tecnologías de energía renovable, están creando nuevas oportunidades para el uso de los recursos energéticos renovables, siendo la energía solar la más abundante, inagotable y limpia. La energía que llega del sol a la tierra es varias veces mayor que el actual consumo a nivel mundial 3.
En el caso de Chile, el consumo final de energía entre los años 1991 y 2011 aumentó un 122% según datos del Plan de Eficiencia Energética 2020 4 y tiene una alta dependencia energética, ya que el 70% de energía del país es importada y según el Ministerio de Energía, el año 2011 el sector comercial, público y residencial representó el 26% del consumo total de energía del país.
En el sector residencial alcanza 16% del consumo total del país, a lo que debe agregarse el consumo de los edificios públicos, estudios realizados por el Instituto de la Construcción señala que en las viviendas que se construyen en Chile el consumo de energía es de 100 y 110 kw/m2 año, para unas condiciones de confort definidas como adecuadas, lo que contrasta con la realidad nacional, donde el consumo energético puede llegar a ser menor a 10% de esa cifra en una vivienda social, lo que explica sencillamente unos niveles de confort actuales inferiores a los aceptables 5. Este consumo de energía está altamente concentrado en leña, con un 60% de participación, le siguen el gas licuado, electricidad y gas natural, provocando problemas ambientales y deteriorando la calidad de vida de los habitantes 1. El contexto chileno expuesto, se contrastó con la realidad de varios países, por ejemplo, el estudio de Kipping y Tromborg (2015) señala que en Noruega el tipo más común de calefacción en el área residencial es la calefacción eléctrica directa 6, situación que se podría explorar en Chile, con la implementación de nuevas tecnologías y energía renovable para el área residencial, tal como la solar fotovoltaica que genera energía limpia, y como oportunidad para satisfacer demanda de calefacción o iluminación. Asimismo el consumo de electricidad y la producción asociada con la calefacción ha sido vista como importante en el estudio de Klein et al (2016), debido a la demanda de energía considerable en el sector de la construcción y por el uso de combustibles fósiles que generan contaminación ambiental 7.
La electricidad y el calor son las demandas de energía más comunes de la población 8, para dar respuesta a esa necesidad la tecnología solar fotovoltaica ofrece enorme ventajas, incluso en contextos densamente urbanizados 9. En esa línea Niederhauser et al (2015) propone un nuevo sistema de calefacción/refrigeración desarrollado en base a tecnología fotovoltaica, bajo un concepto económico y ecológico para aprovechar la electricidad generada por paneles solares 10
La tecnología solar fotovoltaica como sistema, se considera a menudo como un conjunto de componentes que deben estar ocultos o superpuestos y no se consideran desde el punto de vista estético como imagen deledificio 2, por ello se genera una disociación entre arquitectura y elemento tecnológico. Lo habitual es la disposición, sobre las cubiertas convencionales, de los componentes técnicos en estricta obediencia a los requerimientos de orientación y ángulo para una óptima captación solar.
Actualmente la energía solar se ha convertido en una de las fuentes de energía renovable con mayor potencial 11 en el sector de la edificación 12. En ese contexto la aplicación de tecnología solar tiene una riqueza para satisfacer necesidades de la población, como pueden ser: calefacción, iluminación, aire acondicionado, entre otros; además de contribuir a reducir el consumo de energía que se tiene hoy en día 13. De igual manera la electricidad generada por ésta tecnología puede servir para el funcionamiento de una bomba de calor de fuente de aire 14.
Existen varios estudios sobre arquitectura solar activa, que han mostrado el potencial que existe para la generación de energía eléctrica y térmica 15) (16) (17) (18. Estas investigaciones abordan además la posibilidad de poder integrar esta tecnología, no solo como material constructivo sino de forma estética tanto en techos como fachadas, ofertando diversidad de tipologías, formas, materiales, y colores que podrían ser consideradas en el proyecto 19.
El Centro de Diseño y Producción Tecnológica Onyx Solar 20, localizado en España y Estados Unidos, desarrolla materiales fotovoltaicos para la integración en edificaciones, con el propósito de reemplazar materiales convencionales en cubiertas, lucernarios, ventanas y fachadas. Bajo dicho objetivo, Onyx Solar desarrolla soluciones de integración arquitectónica, combinando la optimización de la envolvente térmica con la generación de energía fotovoltaica. Dentro de sus principales productos tiene el vidrio fotovoltaico estándar, sin límites de color o semi transparencia.
Las investigaciones sobre tecnología solar están orientadas, precisamente, hacia la diversificación del formato y presentación de sus componentes, tanto si se trata de un elemento de transparencia u opacidad. El objetivo es que su relación con la arquitectura supere la de ser solo un soporte para equipos y contribuya a lograr que la envolvente arquitectónica tenga un rol significativo no solo en cuanto al aporte de ahorro energético y eficacia térmica, propios de su rol técnico, sino también en relación a las condiciones de iluminación, visualidad y confort interior, propios de las condiciones de habitabilidad.
La investigación de Yang (2015) coloca en relieve el interés de aplicar herramientas avanzadas de simulación y plataformas de monitoreo de rendimiento energético. También se propone impulsar la colaboración de los actores que intervienen en la integración de energía solar fotovoltaica en las edificaciones, como fabricantes, profesionales de la construcción (arquitectos, ingenieros y contratistas), investigadores y los usuarios para la mejora de la integración BIPV 21.
Diferentes posibilidades de integración arquitectónica se muestran en la investigación de Bougiatioti (2015), en los centros urbanos de Grecia y Chipre. El estudio se hace para edificios existentes. En el caso de Grecia se muestra que existen pocos edificios públicos con la instalación de tecnología fotovoltaica, se indica que los paneles fotovoltaicos se superponen a la fachada, generando así una fachada ventilada. La propuesta se centra en el uso de los balcones para la integración de BIPV por las geometrías complicadas de algunas tipologías de construcción 22.
En relación al monitoreo de edificaciones donde se ha instalado sistemas BIPV, se tiene el monitoreo de resultados de dos ejemplos que han utilizado esta tecnología en el Reino Unido, el primer ejemplo es de un edificio educativo, donde se instala BIPV en la fachada y el segundo en el techo de una vivienda unifamiliar. Esta investigación revela anomalías en el rendimiento de los sistemas y sugiere cambios en la configuración del sistema para optimizar el rendimiento 16. Asimismo el estudio de Peng et al (2013) realiza la simulación y monitoreo de datos sobre el rendimiento energético del sistema BIPV en Hong Kong, mostrando resultados de 41% de generación de energía eléctrica para el interior de un ambiente de 250 m2 (3.
En síntesis, estos estudios, centrados en el rendimiento de los sistemas, otros en la técnica y aspectos arquitectónicos no consideran al usuario, en cuanto a la percepción y aceptación de estos elementos técnicos en las fachadas como parte del proceso de integración de ésta tecnología. Cabe mencionar que los ejemplos construidos e investigaciones han sido orientados a edificios corporativos, de servicios, comerciales, y no así a proyectos residenciales. Estos antecedentes advierten que no existe una revisión exhaustiva de las condiciones arquitectónicas requeridas para vivienda, en particular en países en desarrollo y especialmente para la tipología colectiva que presenta amplias superficies verticales de fachada. En consecuencia, la propuesta se fundamenta en los aspectos económicos, técnicos, imagen de la fachada y percepción de los usuarios para la integración de la tecnología solar fotovoltaica en la fachada de la vivienda colectiva, de tal manera que la envolvente se convierta en una fachada funcional-energética.
En ese contexto el objetivo de esta investigación es demostrar que la fachada fotovoltaica podría cumplir una doble función, energética y arquitectónica, convirtiéndose en un reto y una oportunidad en el proyecto de arquitectura, y además resaltar la importancia del usuario como partícipe activo en el quehacer de la labor arquitectónica. Para lograr este objetivo se calcula la demanda energética utilizando el software Design Builder. Posteriormente se calcula el potencial solar y los rendimientos del sistema en la fachada mediante el programa Vasari de Autodesk. Con estas simulaciones se analizan los diferenciales entre demanda energética y potencial solar, permitiendo de esta manera revisar la capacidad del sistema fotovoltaico en esta tipología arquitectónica. En una segunda etapa se realiza un análisis económico de la inversión utilizando el software Green Building Studio; finalmente se realiza una consulta a los usuarios para conocer la percepción y aceptación sobre energías renovables y energía fotovoltaica.
Materialesy Métodos
Energía Solar Fotovoltaica
La energía solar es una de las fuentes de energía renovable con mayor potencial en el sector residencial 12. La unidad básica fotovoltaica es la célula solar, y con ella se componen los módulos fotovoltaicos que transforman la luz solar en electricidad. Existe una variedad de tipos condiferentes eficiencias (Figura 1) y potencias (Figuras 3 y 4). Los módulos fotovoltaicos están compuestos por varias células solares conectadas en serie o paralelo. Esta tecnología permite producir energía eléctrica limpia, aprovechando la radiación solar que llega a nuestro planeta, no produce ruido, ni emite gases nocivos, por lo que es amigable para nuestro ambiente 19.




En los sistemas más convencionales se tiene una batería para almacenar la energía producida por el sistema y el inversor que transforma la corriente continua en alterna, esta última es la que se utiliza a nivel domiciliario. También se pueden considerar sistemas conectados a la red urbana (on-grid), especialmente cuando se dispone de regulaciones que reconocen estos aportes, descontándolos de los consumos (Net-metering), o al menos de los gastos específicos (Net-billing).
Por otro lado, existen laboratorios de tecnología fotovoltaica y centros de investigación que buscan mejorar la eficiencia de las células solares, también para mejorar su apariencia (imagen) y color (Figura 2). Hoy en día se tiene la tecnología BIPV (Building Integrated Photovoltaics) que pueden ser integrados en techos y fachadas 19, productos innovadores para ser considerados en la fase del diseño y también podrían ser utilizados en el entorno construido 23.
En la actualidad, la arquitectura solar está experimentando una verdadera revolución, debido al avance de ésta tecnología, por lo que se considera como una forma prometedora para integrar las energías renovables en el campo de la edificación 24. Prueba de ello son las fachadas solares utilizadas en los procesos de calefacción, ventilación, aislamiento térmico, de generación de energía y de iluminación natural en la edificación. La fachada solar térmica integrada al edificio, ubicada en cubiertas, tiene aúnproblemas en la optimización de su funcionamiento, como por ejemplo el impacto del viento 25.
Células fotovoltaicas basadas en silicio
Los dos tipos básicos de células solares son las de silicio monocristalino y policristalino, que abarcan el 90% de disponibilidad en el mercado, siendo las primeras de mayor rendimiento 15. El rango de eficiencia de las células fotovoltaicas basadas en silicio se encuentra en 4% a 24%, siendo la tecnología monocristalino el de mayor rendimiento. La diferencia que existe entre el mínimo y máximo de eficiencia entre tecnología monocristino, policristalino y amorfo se aprecian en la figura 3.
Por otro lado, el watio pico (wp) es la medida de la potencia eléctrica que proporcionan las células PV, y se encuentra referida a una radiación de 1.000 watios por cada metro cuadrado (w/m2). La figura 4 muestra la potencia por unidad de área, se puede apreciar que se encuentran en un rango de 40 a 155 wp/m2.
Células Fotovoltaicas no basadas en Silicio
Las células fotovoltaicas de capa fina como: CdTe, CIS y CIGS se encuentran en un rango de eficiencia de 9% a 18,7% (Figura 5). Se espera que las eficiencias y potencias de la tecnología fotovoltaica conjuntamente con los sistemas BIPV mejorarán en los próximos años, por lo que se tiene un futuro prometedor en la integración arquitectónica que van acompañadas a nuevas tecnologías, diferentes soluciones y variedad de opciones de integración de PV en el sector de la edificación.

La potencia de la radiación solar varía de acuerdo a diferentes circunstancias, como el momento del día, las condiciones atmosféricas y la latitud. Aunque estas tecnologías poseen un mayor rendimiento con radiación directa en superficies perpendiculares a la trayectoria solar, también se considera su captación de radiación difusa e indirecta, entendiendo que ésta tecnología puede aprovechar ambos tipos de radiación. En ese sentido la Figura 6 muestra la irradiación global mensual y anual (suma de radiación directa y difusa), así como en diferentes ángulos abiertos a la trayectoria medidos en Kwh/m2 para la latitud de la ciudad de Concepción, Chile.

Vivienda colectiva . Importancia
La vivienda colectiva según French (2009) 28 ha sido un fértil campo de experimentación en el siglo XX e indica la importancia en el siglo XXI, debido principalmente a las formas de vida, la evolución tecnológica y sobre todo la necesidad de aumentar la densidad de las ciudades hace que esta tipología tenga una relevancia considerable.
La vivienda colectiva como espacio urbano probablemente sea la más determinante en la imagen de la ciudad, es la tipología arquitectónica que compone la mayor parte de la estructura urbana de las ciudades y es la protagonista de la mayoría de operaciones inmobiliarias 29. En el mismo sentido su importancia radica en una idea de ciudad y consolida un hacer que se reproduce como modelo, y por su impacto urbano adquiere un rol significativo tomando en cuenta su crecimiento masivo en las ciudades.
La vivienda colectiva como manifestación tipológica se ha convertido en un dispositivo de transformación urbana, arquitectónica social de la urbe latinoamericana, y es una muestra de manifestación cultural y factor constructor del paisaje urbano, por tanto, se constituye en un recurso con enormes posibilidades de puesta en valor, rehabilitación y reintegración al tejido, el paisaje y las funciones urbanas, que abre una puerta de solución, tanto a los déficits de vivienda y necesidad de repoblamiento de las áreas urbanas 30.
Tipologías de la vivienda colectiva en Chile
El Ministerio de Urbanismo y Vivienda de Chile (MINVU) 31 define a la vivienda colectiva como condominios que corresponden a viviendas insertas en copropiedades, es decir, bienes de dominio común pertenecientes a todos los copropietarios, así como también los destinados a servicios, recreación y esparcimiento o todos los espacios que el reglamento de copropiedad determine como tales.
Cabe mencionar que en Chile, la calefacción en esta tipología residencial está basada en gas como combustible fósil o electricidad, ya que otras fuentes de energía están reguladas y prohibidas en los departamentos de la vivienda colectiva.
El sistema de agrupamiento de las viviendas colectivas en Chile identifica una relación formal entre uno o más bloques con su acceso, ya sea este vertical u horizontal, donde se aprecian configuraciones independientes, paralelas, perpendiculares o con presencia de patios interiores. A partir de esta organización se establece la relación más cercana entre la vivienda y el entorno. Se llegan a identificar diez tipos de sistemas de agrupamiento de los bloques, los que se diferencian en agrupamientos simples (A) y agrupamientos compuestos (B) 32 (Figuras 7 y 8)


Estas tipologías según datos del Ministerio de Vivienda (2014) se pueden presentar de forma simultánea en el interior de un conjunto habitacional. Asimismo, señala que la mayoría de los conjuntos tiene un solo sistema de agrupamiento (89%). El sistema de agrupamiento más frecuente y principal informado ha sido el tipo A1, el bloque de acceso vertical interno, que corresponde a la tipología como caso de estudio de la presente investigación.
En la Región del Bio Bio, lugar donde se localiza el presente estudio, la tipología predominante corresponde a bloques con acceso vertical interno (A1), perteneciente al caso de estudio propuesto, con un 42,9% del total de conjuntos en la región. Con referencia al número de pisos de los edificios que forman parte de los conjuntos habitacionales, se puede mencionar que un 92% tienen de tres a cinco pisos 32.
En Chile, según datos del Ministerio de Vivienda 33 existen 14333 viviendas colectivas, las comunas con más unidades de esta tipología son Santiago 837 viviendas, Valparaiso 652, Viña del Mar 593, Antofagasta 524, Providencia 499, Concepción 427, Temuco 388 viviendas, entre las más representativas. La demanda energética anual promedio de una vivienda en Chile es 10232 kWh/año 34, lo que se distribuye en electricidad 1729,80 KWh/viv (16,91%), agua caliente sanitaria 1816,33 kWh/viv (17,75) y calefacción 561,42 kWh/ viv (56,31%). En los departamentos se utilizan fundamentalmente equipos eléctricos, o de combustible por parafina (otros sistemas están prohibidos por los riesgos de combustión), siendo creciente el uso de equipos eléctricos por su buen rendimiento térmico en periodos breves para espacios bien aislados y herméticos en climas estacionales.
Por otro lado, los departamentos presentan usualmente vanos entre un 15 y un 25% de las fachadas, proporción que se ha configurado como la más eficiente en la zona central de Chile para otorgar iluminación natural y aporte solar térmico, sin generar mayores pérdidas nocturnas e invernales 1, privilegiando la envolvente opaca con masa térmica y baja transmitancia por los extensos periodos fríos. Mayor magnitud de vanos deteriora el confort interior y genera mayores demandas energéticas, y por ende costos más altos de ejecución y/o operación.
Caso de estudio
La organización territorial de Chile se encuentra dividida en regiones, provincias y comunas. La octava región del territorio nacional es la del Bio Bio. En ella se sitúa el Área Metropolitana de Concepción, ubicada en el centro sur de Chile (Figura 9), entre los 36° 35‘y 37° 00’ de latitud sur y 72° 45 ‘a 73 ° 15’ de longitud oeste, y comprende 2830,40 km2. 35 (Figura 9).

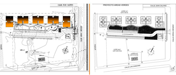
El caso de estudio ha sido el Conjunto Habitacional “Arrau Méndez”, correspondiente a una tipología de bloque, ubicado en Pedro de Valdivia Bajo en la ciudad de Concepción, Chile (Figura 10).

Identificación y datos generales
Denominación del Edificio: Conjunto Habitacional Arrau Méndez
Tipología: Vivienda colectiva en bloque
Ubicación: Ciudad de Concepción
Latitud: 36.84 °S
Año de construcción: 2009
Cantidad de pisos: 5
m2 construidos por departamento: 55
El conjunto habitacional constituido por cinco edificios de cinco pisos, cuatro departamentos por piso que suman un total 100 departamentos, cada uno con una superficie de 55 m2 (Figura 11).

Los cinco edificios como se aprecia en la Figura 12 se disponen en hilera. En referencia a su posición a los puntos cardinales, se puede apreciar una orientación casi norte de los tres edificios centrales por su lado más extenso, siendo los edificios de los extremos orientados al norte por su lado con menor superficie, de esta manera existe una superficie importante y significativa que posee radicación directa en las fachadas.

El plano del conjunto (Figura 13) muestra la orientación de los bloques y la disponibilidad de superficies en diferentes orientaciones que se pueden considerar para aprovechamiento de la radiación solar incidente.

En la Figura 14 se observa la planta tipo del caso de estudio, la organización interna consta de una caja de escalera y un hall de distribución que da acceso a los cuatro departamentos por piso. Cada departamento está distribuido en una planta tipo para todos los bloques y se cuenta con espacios interiores como estar, comedor, cocina, baño y tres dormitorios.

El sistema constructivo es de hormigón armado (HA°), con estructura soportante de muros perimetrales y medianeros de H A° y albañilería. La Figura 15 muestra detalles constructivos del edificio, se puede apreciar que los muros perimetrales han sido previstos de aislación térmica (HA° + poliestireno expandido de 20mm + yeso cartón de 8 mm), para cumplir la reglamentación térmica vigente.

Clima de la ciudad de Concepción - Zonificación climático habitacional de Chile
La norma NCh1079 ha sido preparada por la División de Normas del Instituto Nacional de Normalización de Chile, en ella se establece la zonificación habitacional del país que sirve en el diseño arquitectónico. La norma en primera instancia define diferentes conceptos relacionados atemperatura, humedad, precipitación, asoleamiento, entre otras; conceptos básicos a tener en consideración cuando se aborda el tema del clima.
La zonificación climático- habitacional incluye nueve zonas como se muestra en la Tabla 1, de acuerdo a la localización del caso de estudio situado en la ciudad de Concepción, corresponde a la zona Sur Litoral (SL).
La zona Sur Litoral según la norma corresponde la continuación de la zona CL desde el Bio Bio hasta Chiloé y Puerto Montt. Posee un clima marítimo y lluvioso, con inviernos largos y suelo con ambiente salino; de vientos fuertes y vegetación robusta; junto a una temperatura templada a fría 36.
La estación considerada es la estación Carriel Sur de Concepción, ubicada en la latitud 36° 46’ y la longitud 730 03’, a 12 metros sobre el nivel del mar. La Tabla 2 muestra datos de temperatura, humedad, precipitación, radiación global y horas de sol desglosadas en meses y medidas en la estación Carriel Sur. Según datos de la norma, en referencia a valores medios de las características climáticas de Concepción, se tiene una temperatura media en enero de 16,6 °C y en julio 8,7 °C. Junto a un asoleamiento de horas sol día 14,5 el 21 de diciembre (verano) y 9,5 el 21 de junio (invierno). Una humedad relativa de 75% en enero y 88% en julio. Una precipitación anual de 1338 mm y 118 mm de máximo en un día; vientos predominantes de sur oeste. Asimismo, la normativa señala que la transmitancia térmica de la envolvente en el caso de Concepción, corresponde 1,8 w/m2k en la envolvente vertical y 1,0 s/m2k en la techumbre.

Medios de cálculo
Actualmente existen herramientas informáticas que permiten realizar diversas simulaciones que tienen como objetivo lograr edificaciones de alta calidad y eficiencia energética. Esos software estiman y ayudan a optimizar el uso de la energía en los proyectos, para de esa manera reducir el impacto ambiental negativo de las construcciones.
En la presente investigación se utilizó el software Design Builder, versión 3.4.0.030 de 2015 (Design Builder software Ltd.) para el cálculo de demanda energética del caso de estudio. Este instrumento combina simulación energética con tecnología de modelado virtual, y posee un conjunto de herramientas para modelar instalaciones, iluminación natural, energía yemisiones. Además, permite realizar simulaciones en el motor de cálculo Energy Plus. Funciona en base a una estructura modular para proveer un análisis energético y térmico del edificio. El cálculo de potencial solar se realiza en el programa Vasari Beta 2 (2012) de Autodesk y compatible con Revit 2013, software de cálculo para la producción de energía eléctrica. Es una herramienta de diseño y análisis de edificio, orientada en la fase de diseño conceptual, que realiza análisis de energía, radiación solar y es compatible con Revit.
Se utilizó también Autodesk® Green Building Studio (GBS), versión basada en la nube, que permite ejecutar simulaciones de rendimiento del edificio para optimizar la eficiencia energética. Utiliza DOE-2.2, un motor de simulación probado y validado mediante ASHRAE Standard 140, según informa la página web de Autodesk. El software calcula el potencial de rendimiento fotovoltaico en cada superficie del modelo y el análisis de la radiación solar, y la estimación del retorno de la inversión económica.
Procedimiento - Método
Se realizó el análisis de los planos arquitectónicos y especificaciones técnicas del proyecto, para caracterizar y determinar el sistema constructivo del caso de estudio. La demanda energética se calculó con el programa Design Builder, los resultados obtenidos de carácter cuantitativo fueron procesados con la construcción de tablas comparativas y gráficos ilustrativos. Posteriormente se seleccionó el producto fotovoltaico para conocer la eficiencia y potencia a considerar en los cálculos y realizar posteriormente la simulación con el software Vasari, con el objeto de calcular el potencial solar en Kwh/m2 año en las cuatro fachadas (orientación norte, este, oeste y sur). A partir de estas simulaciones se analizaron los diferenciales entre demanda energética y potencial solar, permitiendo, de esta manera, revisar la capacidad que pudiese tener el sistema instalado en esta tipología arquitectónica. Finalmente, con el programa Green Building Studio, se realizó un análisis económico de la inversión, tomando datos y costos en el mercado local, considerando los costos de instalación y el precio de Kwh en la Ciudad de Concepción, para determinar el retorno de la inversión en años.
Dentro de la investigación también se creó un modelo tridimensional en Design Builder (Figura 16), aplicando los parámetros generales de simulación que se muestran en la Tabla 3. Para ello se consideraron las características del caso de estudio: morfología, dimensiones, actividades de los usuarios, tipo de ventanas, iluminación y características constructivas, de acuerdo a requerimiento de la herramienta informática. Cabe señalar que se realizó una entrevista con los residentes del caso de estudio y se elaboró una planilla para determinar las actividades regulares que realizan de lunes a domingo, en las diferentes estaciones del año (solsticios y equinoccios), esto para tener una aproximación real de la demanda de energía por parte de los usuarios. Todos esos datos fueron ingresados al software de simulación energética que también considera las ganancias solares en iluminación natural diurna de acuerdo al archivo climático de la ciudad de Concepción.


Bases de cálculo demanda energética
Se realizó la simulación del tercer piso del bloque central, el cual cuenta con cuatro departamentos, también se hace el cálculo de conjunto del bloque, esto para determinar las diferencias de demanda energética de acuerdo a la orientación de cada unidad habitacional. (Tabla 3, Figura 16)
Cálculo Potencial Solar
Se realizaron simulaciones con software Vasari, en una primera instancia del conjunto en que se sitúa el bloque de estudio, para determinar el potencial solar total. Posteriormente se hicieron simulaciones para cada piso del bloque, cinco en total, para determinar la diferencia de ganancia solar, considerando las sombras, llegando a determinar que las diferencias resultantes no son sustanciales (Figura 17).

Consultas - encuestas
La encuesta es utilizada como una técnica para explorar, describir y explicar la realidad social 37. Bajo esa apreciación el objetivo de aplicar el instrumento de consulta ha sido el poder evaluar el grado de percepción y aceptación de la energía fotovoltaica y energías renovables, considerando la valoración de la imagen de fachada. La encuesta pretende entonces reconocer la disposición de los habitantes de intervenir la apariencia de las residencias particulares para colocar dispositivos de captación solar. Con el objeto de retroalimentar la primera instancia, la encuesta se aplicó en dos etapas. El universo de estudio está constituido por los residentes del caso de estudio en la ciudad de Concepción, Chile. Se realizaron dieciocho encuestas; ocho en la primera etapa y diez en la segunda, correspondiendo al 90% del total de un bloque de departamentos. Se realizan de manera personal a un colectivo de edades comprendidas entre los 18 y 65 años.
Resultados
Demanda Energética
La demanda energética de cada departamento por cada mes del año se puede apreciar en la Tabla 4, donde los 2 departamentos que están ubicados al norte, son los de menor demanda, quedando con un diferencial de 30Kwh/m2 año en el caso más desfavorecido. El promedio de demanda para calefacción de todo el piso corresponde a 60 kw/m2 año y el de iluminación es de 12,45 kw/m2 año (Tabla 5), y en la Figura 18 se aprecia la comparación entre ambos.



Potencial Solar
Los resultados sobre potencial solar muestran un máximo de 577 Kwh/m2 año en la orientación más favorable (Tabla 6).

Demanda de energía y Potencial solar - caso más favorable
Los datos utilizados para determinar la demanda y potencial solar final se muestran en la Tabla 7. Se multiplicó la demanda por los 55 m2 de planta (departamento D), 45,75 x 55 resultando 2.516,30 Kw/m2 al año. El potencial obtenido se multiplicó por 10,5 que es el área disponible total en fachada norte del departamento (descontando ventanas y un 20% de área para instalación) y multiplicado por la eficiencia del panel fotovoltaico 15,2%; operación 10,5 x 0152 x 0.152, lo que da como resultado 920,95 Kw/ m2 totales al año.

Para el cálculo del porcentaje que llegaría a cubrir, se tomó el potencial total por 100, dividido entre la demanda total, resultando el 36,59% para cubrir en relación a la demanda en calefacción del departamento más favorable en referencia al potencial solar.
Calefacción e iluminación - caso promedio de cuatro departamentos
De acuerdo con los resultados obtenidos en etapas anteriores los cuales se muestran en la Tabla 8, se calculó el porcentaje que cubre la demanda en calefacción e iluminación considerando el caso promedio de los 4 departamentos.

La demanda de calefacción 60.87 Kw/m2 año se multiplica por los 55 m2 de departamento, lo que da como resultado 3.347,85 Kw/m2 al año. La demanda de iluminación 12,45 Kw/m2 año se multiplica por los 55 m2 del departamento, dando como resultado 684,75 Kw/m2 año. Por otro lado, el potencial total de acuerdo a los 10,5 m2 disponibles en fachada en orientación más favorable (norte) es de 920,95 Kw/m2 al año.
Los porcentajes que llegarían a cubrir tanto en calefacción como iluminación se muestran en la Tabla 9. Para el cálculo de porcentaje que llegaría a cubrir en calefacción se toma el potencial total por 100 y dividido entre la demanda total, resultando el 27,50% para cubrir en relación a la demanda del promedio de los cuatro departamentos. El cálculo de porcentaje que llegaría a satisfacer en iluminación se toma el potencial total por 100 y dividido entre la demanda total, resultando el 134,49% para cubrir en relación a la demanda promedio.

Económico - Financiero
El análisis económico sobre estimación de retorno de la inversión se realiza con el programa Green Building Studio de Autodesk (Figura 19), tomando datos y costos en el mercado local sobre instalación y costo de Kwh para estimar el retorno de la inversión en años. En los aspectos técnicos del sistema fotovoltaico se consideran los paneles solares, baterías, inversores de corriente y controladores de carga.

El software de cálculo considera una eficiencia de panel fotovoltaico de 7,5%; un costo de instalación por vatio de $6,70 y por m2 de $502,50 y, por último, el costo eléctrico de $ 0,90 por Kwh. Los resultados de la simulación realizada por el software muestran que el periodo de recuperación, por unidad de superficie, es de 7 años.
En el estudio no se ha contemplado la incorporación a la red urbana, debido a que en Chile ya se ha implementado una regulación de co-generación doméstica, pero solo por los montos de consumo (Net-billing). Descontando los gastos de red, que implica cerca de la mitad de la recuperación, su implementación es incipiente. Sin embargo, se estima que las regulaciones avanzarán hacia una paridad y se difundirán, evitando el almacenamiento, con lo cual el costo de implementación y de recuperación de la inversión podrá ser notablemente menor. Algo similar sucede en Sudáfrica, donde existen incentivos considerables para generar electricidad de consumo propio en base a la implementación de energía fotovoltaica 38.
Consultas - encuestas
Las personas expresan disconformidad con las fachadas de los edificios y parcialmente de su vivienda, lo que demuestra una alta disponibilidad a modificarla, tanto por razones estéticas, como de expresión particular. Frente a la presentación de alternativas de edificios con paneles, un 80% expresa su apreciación a las opciones integradas como material constructivo, en especial con colores similares a la terminación constructiva. Por otra parte, se detecta que la preocupación principal de los usuarios al querer integrar tecnología solar fotovoltaica se ve reflejada en el aspecto económico financiero, esto debido a los costos de inversión que se debería asumir, seguido del funcionamiento del sistema que lo relacionan de forma directa a la seguridad al tratarse de generación de electricidad (Figura 20).

Cabe aclarar que las imágenes que se mostraron a los encuestados corresponden a tres situaciones: superposición de paneles solares fotovoltaicos en la fachada; integración de paneles solares fotovoltaicoscomo material constructivo y por último, integración de paneles fotovoltaicos de color como material constructivo en la fachada.
Conclusiones
Los resultados obtenidos muestran que se podría abastecer en un 36,59% la demanda de calefacción en el departamento más favorable con mayor potencial solar. Aunque ciertamente la radiación también puede contribuir directamente a la calefacción, esta capacidad fue utilizada en los vanos y muros expuestos en los que no se podía incrementar la ganancia térmica. Por tanto, la conversión de energía eléctrica a partir de la captación fotovoltaica constituye una alternativa adicional utilizando los equipos disponibles y autorizados para este tipo de vivienda en altura. En relación con el promedio de los cuatro departamentos por piso, se podría cubrir el 27,5% de la demanda de calefacción; y la demanda de iluminación sería cubierta en un 134,49%. Estos datos son importantes para la toma de decisiones ya sea en la etapa proyectual para la integración de energía solar fotovoltaica o en la implementación de esta tecnología en un edificio existente, convirtiéndose así la envolvente de la edificación en una fachada funcional-energética.
Si bien la magnitud de superficie de techumbre útil sería la más conveniente para implementar esta tecnología, se puede evidenciar que la fachada útil disponible en diferentes orientaciones hace que se conviertan en el de mayor potencial en relación con el techo, convirtiéndose así en una oportunidad para mejorar el confort y la calidad de vida de los usuarios. En el mismo sentido, la fachada de los edificios residenciales como se muestra en el caso de estudio tiene una superficie valiosa que podría ser aprovechada para la instalación de sistemas solares fotovoltaicos y también así aportar a la expresión arquitectónica o imagen, en un determinado entorno urbano.
Por otro lado, el retorno de la inversión al integrar esta tecnología se estima en siete años. En referencia al tema económico financiero para integrar esta tecnología se debe recordar el estudio realizado por Sergio Zuniga “et al” en el año 2013 39, quienes sostienen que la realidad de Chile, muestra que se trata de inversiones con valores muy altos, que hacen difícil que una familia promedio pueda invertir, por lo que sería importante los subsidios gubernamentales para que se tengan escenarios favorables al incorporar estos sistemas de energía renovable en la edificación. Por lo que se podría concluir que la implementación de este tipo de proyectos con intervención en las fachadas está fuertemente condicionada por el monto de la inversión inicial tal como lo declara la encuesta de percepción del usuario realizada en la presente investigación. Aunque se evidencia el interés y buena percepción y aceptación por parte de los residentes, reflejado en la importancia que le dan a la imagen que ofrece esta tecnología en la fachada, como color, forma, opacidad y transparencia; variables importantes en el quehacer de la arquitectura.
Agradecimientos
Este trabajo forma parte de tesis en desarrollo en el Doctorado en Arquitectura y Urbanismo (DAU), de la Universidad del Bío-Bío, Concepción, Chile, con el apoyo del Proyecto Conicyt - AKA ERNC-007 - CONFIN.
Referencias
1 () Bustamante W. Guía de diseño para la eficiencia energética en la vivienda social. Santiago de Chile: Pontificia Universidad Católica; 2009.
2 () Serra R, Leal R. Practical Handbook of Photovoltaics, Pract. Handb. Photovoltaics, 2012. pp. 917-41.
3 () Peng J, Lu J, Yang L, H Y Han J. Investigation on the annual thermal performance of a photovoltaic wall mounted on a multi-layer façade. Appl Energy. 2013;112:646-56.
4 () Ministerio de Energía. Plan de acción de eficiencia energética 2020. 2013. Santiago, Chile: Ministerio de Energía.
5 () D’Alencon R. Acondicionamientos: arquitectura y técnica. Santiago de Chile: ARQ; 2008.
6 () Kipping A, Trømborg E. Hourly electricity consumption in Norwegian households - Assessing the impacts of different heating systems. Energy. 2015;93:655-71.
7 () Klein K, Langner R, Kalz D. Grid support coefficients for electricity-based heating and cooling and field data analysis of present-day installations in Germany. Appl Energy . 2016;162:853-67.
8 () Pan Z, Guo Q, Sun H. Interactions of district electricity and heating systems considering time-scale characteristics based on quasi-steady multi-energy flow. Appl Energy , 2015.
9 () Orioli A, Di Gangi A, et al. The recent change in the Italian policies for photovoltaics: Effects on the payback period and levelized cost of electricity of grid-connected photovoltaic systems installed in urban contexts. Energy. 2015;93:1989-2005.
10 () Niederhäuser E, Huguelet N, Rouge M. Novel Approach for Heating/Cooling Systems for Buildings Based on Photovoltaic-heat Pump: Concept and Evaluation. Energy Procedia. 2015;70:480-5.
11 () Koberle A, Gernaat E, Van Vuuren A. Assessing current and future techno-economic potential of concentrated solar power and photovoltaic electricity generation. Energy. 2015;89:739-56.
12 () Radmher M, Willis K, Kenechi U. A framework for evaluating WTP for BIPV in residential housing design in developing countries: A case study of North Cyprus. Energy Policy. 2014;70:207-16.
13 () Chang H, Liu Y, Shen J, et al. Experimental study on comprehensive utilization of solar energy and energy balance in an integrated solar house. Energy Convers Manag. 2015;105:967-76.
14 () Wang C, Gong G, Su H. Efficacy of integrated photovoltaicsair source heat pump systems for application in Central-south China. Renew Sustain Energy Rev. 2015;49:1190-7.
15 () Martín N, Fernández I. La envolvente fotovoltaica en la Arquitectura. Barcelona; 2007.
16 () Makki A, Omer S, Sabir H. Advancements in hybrid photovoltaic systems for enhanced solar cells performance. Renew Sustain Energy Rev . 2015;41:658-84.
17 () Palm A. An emerging innovation system for deployment of building-sited solar photovoltaics in Sweden. Environ Innov Soc Transitions. 2014;15:140-57.
18 () Rosenbloom D, Meadowcroft J. Harnessing the Sun: Reviewing the potential of solar photovoltaics in Canada. Renew Sustain Energy Rev . 2014;40:488-96.
19 () Mundo J, De Celis B, Valerdi C, Sosa J. Integración de sistemas de energía solar fotovoltaica en el edificio de oficinas del ZAE en Alemania. Hábitat Sustentable. 2012;2:59-72.
20 () ONYX SOLAR, Centro de Diseño y producción tecnológica, (en linea). (consulta: 10 de enero de 2016). Disponible en: Disponible en: http://www.onyxsolar.com/es/index.html.
21 () Yang R. Overcoming technical barriers and risks in the application of building integrated photovoltaics (BIPV): hardware and software strategies. Autom Constr. 2015;51:92-102.
22 () Bougiatioti F, Michael A. The architectural integration of active solar systems. Building applications in the Eastern Mediterranean region. Renew Sustain Energy Rev . 2015;47:966-82.
23 () Frontini F, Manfren M, Tagliabue I. A Case Study of Solar Technologies Adoption: Criteria for BIPV Integration in Sensitive Built Environment. Energy Procedia . 2012;30:1006-15.
24 () Cronemberger J, Corpas M, Cerón I, et al. BIPV technology application: Highlighting advances, tendencies and solutions through Solar Decathlon Europe houses. Energy Build. 2014;83(november):44-56.
25 () Quesada G, Rousse D, Dutil Y. A comprehensive review of solar facades. Transparent and translu cent solar facades. Renew Sustain Energy Rev . 2012;16(5):2643-51.
26 () Petter Jelle B, Breivik C, Drolsum Røkenes H. Building integrated photovoltaic products: A state-of-the-art review and future research opportunities. Sol Energy Mater Sol Cells. 2012;100:69-96.
27 () CNE, Irradiancia Solar En Territorios de la República de Chile. 2008. Santiago de Chile.
28 () French H. Vivienda Colectiva paradigmática del siglo XX. Barcelona: Gustavo Gili; 2009.
29 () REVISTA ESCALA 218, Diagnóstico Viviendas Colectivas, 2010. (en línea). (consulta: 25 de noviembre de 2015).Disponible: Disponible: http://www.plataformaarquitectura.cl/cl/02-59086/revista-escala-n%25c2%25ba217-diagnostico-viviendas-colectivas.
30 () Ferrada M. Arquitectura de la Vivienda Colectiva en Chile. Santiago de Chile: Universidad de Chile; 2013.
31 () MINVU, Ministerio de Vivienda y Urbanismo, Chile, (en línea). (consulta: 28 de diciembre de 2015). Disponible: Disponible: http://www.minvu.cl/.
32 () MINVU, Vivienda Social en Copropiedad Catastro Nacional de Condominios Sociales, 2014. Santiago, Chile.
33 () MINVU, “Vivienda Colectiva,” 2015. (en línea). (consulta: 15 de diciembre de 2015). Disponible: Disponible: http://www.observatoriourbano.cl/indurb/indicadores.asp.
34 () CORPORACION DE DESARROLLO TECNOLÓGICO CÁMARA CHILENA DE LA CONSTRUCCIÓN - CDT, Estudio de usos finales y curva de la conservación de la energía en el sector residencial, 2010. Santiago, Chile.
35 () Rojas C, Pino J, Jaque E. Strategic Environmental Assessment in Latin America: A methodological proposal for urban planning in the Metropolitan Area of Concepción (Chile). Land use policy. 2013;30(1):519-27.
36 () INN. Arquitectura y construcción - Zonificación climático habitacional para Chile y recomendaciones para el diseño arquitectónico NCH1079.Of77.1977. Santiago, Chile.
37 () Rojar A, Fernández J, Pérez C. Investigar mediante Encuestas - Fundamentos teóricos y aspectos prácticos. Madrid: 2010.
38 () Mayr D, Schmid E, Trollip H, et al. The impact of residential photovoltaic power on electricity sales revenues in Cape Town, South Africa. Util Policy. 2015;36:10-23.
39 () Zúñiga S, Álvarez M, Santander M, et al. Análisis económico de una casa eficiente con uso de energía fotovoltaica. Coquimbo Meybol Santander Ingen. Horitontes Empres. 2013;1:9-22.
Notas de autor
*Javier Guarachi Flores, Arquitecto. Universidad Mayor de San Andrés. Universidad del Bío-Bío, Concepción, Chile; Dr(c) en Arquitectura Urbanismo. E-mail: javierguarachi1@gmail.com