Taxonomía y sistemática
Revisión del género Largus (Hemiptera: Heteroptera: Largidae) para México
Revision of the genus Largus (Hemiptera: Heteroptera: Largidae) from Mexico
Revisión del género Largus (Hemiptera: Heteroptera: Largidae) para México
Revista mexicana de biodiversidad, vol. 87, núm. 2, 2016
Instituto de Biología
Recepción: 18 Agosto 2015
Aprobación: 04 Enero 2016
Resumen: Se revisa el género Largus Hahn (Largidae: Larginae) para México, reconociéndose 8 especies: Largus bipustulatus Stål, L. cinctus Herrich-Schaeffer, L. convivus Stål, L. longulus Stål, L. maculatus Schmidt, L. maculiventris Schmidt, L. sculptilis Bliven y L. subligatus Distant. Largus brunki Schmidt es considerado sinónimo junior de L. subligatus. La presencia de L. varians Stål es cuestionada proponiendo que la localidad mexicana señalada para la misma es producto de una equivocación con L. cinctus de amplia distribución en la República Mexicana. Largus convivus, L. longulus, L. sculptilis, L. semipletus Bliven y L. semipunctatus Halstead son consideradas como especies válidas. Se incluyen nuevos datos de distribución para cada una de las 8 especies conocidas, así como mapas; el género está presente en 29 de los 32 estados del país, no habiendo aún sido recolectados en Colima, Tabasco y Zacatecas. Cada especie es ilustrada, al igual que los parámeros y la espermateca. Se provee una clave para la identificación de las especies.
Palabras clave: Insecta, Heteroptera, Revisión, México.
Abstract: The genus Largus Hahn (Largidae) is revised from Mexico, recognizing 8 valid species: Largus bipustulatus Stål, L. cinctus Herrich-Schaeffer, L. convivus Stål, L. longulus Stål, L. maculatus Schmidt, L. maculiventris Schmidt, L. sculptilis Bliven, and L. subligatus Distant. Largus brunki Schmidt is sinonimized under L. subligatus. The presence of L. varians Stål is questioned, because it might have been confused with L. cinctus, which has a broad distribution throughout the Mexican Republic. Largus convivus, L. longulus, L. sculptilis, L. semipletus Bliven, and L. semipunctatus Halstead are restated as valid species. New distributional records, including a set of maps, are presented for the 8 known species in Mexico; the genus is represented in 29 of 32 states of the country, without records in Colima, Tabasco and Zacatecas. Pictures of habitus, claspers and spermatheca are provided. An identification key to the species is presented.
Keywords: Insecta, Heteroptera, Revision, Mexico.
Introducción
La superfamilia Pyrrhocoroidea contiene 2 familias, Pyrrhocoridae y Largidae. En esta última, se encuentran insectos de hasta 55 mm de largo, muchos de colores brillantes. El cuerpo es ovoide o alargado, excepto en las especies mirmecomórficas, como las del género Arhaphe (Herrich-Schaeffer, 1850). En Largidae, las especies se caracterizan por carecer de ocelos y por presentar una venación compleja en la membrana alar, así como una frecuente fusión y obliteración de las suturas abdominales. El grupo se divide en 2 subfamilias: Larginae Amyot y Serville, 1843 restringida al nuevo mundo, y Physopeltinae Hussey, 1929 al viejo mundo. La subfamilia Larginae comprende 3 tribus: Largini Amyot y Serville, 1843 con 9 géneros, en paréntesis el número de especies conocidas: Acinocoris Hahn, 1834 (16), Fibrenus Stål, 1861 (13), Largus Hahn, 1831 (61), Lecadra Signoret, 1862 (2), Rosaphe Kirkaldy y Edwards, 1902 (7), Stenomacra Stål (8), Thaumastaneis Kirkaldy y Edwards (2), Theraneis Spinola, 1837 (21) y Vasarhelyecoris Brailovsky y Barrera, 1994 (1); Araphini Bliven, 1973 con 2 géneros: Arhaphe Herrich-Schaeffer, 1850 (17) y Pararhaphe 1988 (1), y Largulini Stehlík y Jindra, 2007 con 4 géneros: Armilargulus Stehlík y Jindra, 2007 (1), Largulus Hussey, 1927 (1), Neolargulus Stehlík y Brailovsky, 2011 (1) y Paralargulus Stehlík y Brailovsky, 2011 (1) (Hussey y Sherman, 1929; Stehlík, 2013; Stehlík y Kment, 2010). El carácter usado por Stål (1861) para reconocer a la subfamilia Larginae se encuentra en la hembra, donde el sexto segmento abdominal está dividido en la base. La subfamilia, endémica de América, está ampliamente distribuida y mayormente representada en la región Neotropical, tanto en géneros como en especies (Distant, 1880-1893; Doesburg, 1966; Halstead, 1970, 1972a; Schuh y Slater, 1995; Stehlík, 2013; Torre-Bueno, 1912).
El género Largus Hahn, 1831 se caracteriza por tener las coxas anteriores sin espinas, los ojos ligeramente pedunculados y estilizados y el corium centralmente ampliado (Distant, 1880-1893). Incluye 61 especies válidas, distribuyéndose desde el norte de los Estados Unidos de América hasta el centro de Argentina -específicamente llegando hasta la provincia del Monte-, abarcando las Antillas Mayores y Menores (Stehlík y Kment, 2010). Sus especies son de hábitos fitófagos, y habitan generalmente el suelo, la hojarasca y plantas herbáceas, arbustos y árboles (Schuh y Slater, 1995). Schmidt (1931) dividió el género Largus en 2 grupos: «grupoI» de especies con el fémur posterior sin espinas; y «grupo II» de especies con los fémures posteriores espinados. Posteriormente, subdividió el primer grupo de acuerdo con la coloración del metatórax: «I. A», con el esternito pleural posterior III blanquecino, y no correspondiendo a la coloración del resto del tórax; y «I. B», con el esternito pleural posterior III de la misma coloración que el resto del tórax (Stehlík y Kment, 2010). El grupo «I. A» únicamente se conoce en América del Sur, y el grupo «I. B» es de amplia distribución (Schmidt, 1931). Las especies revisadas en este trabajo corresponden al grupo «I. B», distribuidas desde el sur de los Estados Unidos de América hasta Colombia. De las 61 especies que conforman el género Largus solo 8 han sido citadas para México. La variación cromática es considerada como un carácter polimórfico por diversos autores, lo que llevó a problemas de sinonimizar especies diferentes. A manera de síntesis, Halstead (1972b) consideró a L. sculptilis Bliven como sinónimo junior de L. cinctus Herrich-Schaeffer y a L. semipletus Bliven con L. cinctus Herrich-Schaeffer. A su vez, Bliven en 1973 consideró a L. cinctus Herrich-Schaeffer, L. convivus Stål y L. longulus Stål como sinónimos junior de L. succinctus (Linnaeus); de igual manera a L. semipunctatus Halstead con L. sculptilis Bliven. El presente trabajo tiene como finalidad delimitar correctamente las especies mexicanas del género Largus, ampliar su distribución geográfica y elaborar una clave dicotómica para la identificación de las mismas.
Materiales y métodos
Acrónimos usados en el texto: INECOL —Instituto de Ecología, Xalapa, Veracruz— y UNAM —Colección Nacional de Insectos, Instituto de Biología, Universidad Nacional Autónoma de México—. El extenso material examinado está depositado en ambas instituciones. La revisión de las especies se basó en la morfología externa de los adultos de ambos sexos y en la morfología interna de los machos. Se utilizó un microscopio estereoscópico Zeiss SV8, con reglilla métrica, para la revisión de algunos ejemplares que tenían el cuerpo opaco y no eran perceptibles las coloraciones originales, se desarrolló una técnica que consistió en aplicar gotas de alcohol al 70% con la ayuda de un pincel delgado directamente sobre las estructuras opacas para realzar los verdaderos patrones de coloración. En algunas de las especies se presenta variación cromática, la cual es comentada al final de las redescripciones, para facilitar su reconocimiento. El tegumento de ambos sexos es examinado y descrito en conjunto al no haber variación en el mismo.
Para la extracción de los genitales del macho, se colocaron los ejemplares en solución relajante —etanol 100%, agua destilada, bencina y ácido acético— y se extrajo el pigóforo con ayuda de pinzas entomológicas. Una vez aclarado el pigóforo con hidróxido de potasio, se procedió a extraer los parámeros que se conservaron en glicerina para su posterior uso. Las fotografías de los parámeros son ilustradas en 2 vistas y fueron tomadas utilizando un microscopio Leica Z16 APO-A con una cámara Leica DFC490 de 8 megapixeles, utilizando el programa Leica Application Suite, en el Laboratorio de Microscopía y Fotografía de la Biodiversidad (II) del Instituto de Biología de la UNAM. Las fotografías de las especies, machos y hembras, fueron tomadas utilizando un microscopio estereoscópico Zeiss Stemi SV8, fuelle Nikon PB-6, lente AF-S Micro Nikkor 105 mm 1:2,8 ED y una cámara Nikon D7000. Para la elaboración y edición de los mapas de distribución se utilizó el programa DIVA-GIS 7.5.0.
Descripción
Redescripción del género Largus Hahn
Largus Hahn, 1831:13
=Euryophthalmus Laporte, 1832:38
=Wupatkius Bliven, 1956
Especie tipo: Cimex humilis. Drury, 1782
Redescripción
Individuos de talla mediana, machos de 10-14 mm y hembras de 12-17 mm; cuerpo alargado, estilizado o robusto; generalmente negros o pardos en la región ventral; dorsalmente con coloraciones negras, pardas, amarillas, anaranjadas y rojizas; cuerpo con una pilosidad fina (figs. 1 y 2).


Cabeza. Aproximadamente 1.5 veces más ancha que larga, declivente, dorsalmente aplanada con los lados paralelos delante de los ojos; tylus extendiéndose como un pequeño tubérculo, ligeramente redondeado en el ápice, más ancho a la mitad, sobrepasando el tubérculo antenífero por 1/3 y basalmente casi al mismo nivel que el tubérculo antenífero; jugum no visible desde arriba, plana y casi cubierta por el tubérculo antenífero; tubérculo antenífero de igual o mayor tamaño que la buccula, sin espinas, paralelo, dirigido hacia afuera y con el ápice plano. Distancia entre los tubérculos anteníferos aproximadamente el doble de ancho de un tubérculo; antena más corta que el cuerpo; artejo antenal I más largo, ligeramente curvado hacia afuera y más largo que la longitud máxima de la cabeza; artejos II y III cilíndricos; artejo III de menor tamaño que todos los anteriores y el IV casi del mismo tamaño que los artejos II y III combinados; tubérculo ocelar ausente; sin ocelos; ojos de tamaño mediano, ligeramente protuberantes o pedunculados, hemisféricos; tubérculo postocular poco evidente y siguiendo el contorno del ojo; buccula relativamente circular, casi del mismo tamaño que el tubérculo antenífero, sin espinas y no proyectada más allá del tercio medio del ojo; rostro alcanzando la mitad del mesosterno; artejo rostral IV el más corto, artejos II y III casi del mismo tamaño, siendo los más largos; artejo I no se extiende más allá de la cabeza y no alcanza el borde anterior del prosterno (fig. 3).

Tórax. Pronoto trapezoidal, con el collar evidente; bordes anterior, anterolaterales, posterolaterales y posterior enteros y nunca espinados; ángulos humerales redondeados e inermes; lóbulo anterior liso, desprovisto de puntos; lóbulo posterior con puntos bien marcados; callo ligeramente elevado y con puntos; prosterno, mesosterno y metasterno ligeramente surcados, sin espinas; procoxas y mesocoxas con un pequeño abultamiento entre las mismas; peritremo osteolar ubicado entre las patas II y III, con el lóbulo auriculiforme y el ostiolo pequeño (fig. 4).

Patas. Fémur delgado y ligeramente engrosado antes de la unión con la tibia; fémur anterior de ambos sexos con 2 espinas ventrales, una de mayor tamaño y la otra pequeña; fémur medio y posterior inermes; fémur posterior no excediendo el ápice del último segmento abdominal; tibias no espinadas.
Escutelo. Más ancho que largo, triangular y habitualmente equilátero.
Hemiélitros. Macrópteros, alcanzando o no el ápice del último segmento abdominal; clavus y corium ligeramente punteados (fig. 5).

Abdomen. Espiráculos abdominales circulares ocupando el centro del margen pleural; esternitos abdominales sin surco medio.
Genitales masculinos. Margen caudal de la cápsula genital formando una «V»; ángulos posterolaterales redondeados; en algunos casos presentan manchas redondeadas de color anaranjado, anaranjado-rojizo o amarillo al centro del pigóforo. Parámeros desde 0.6 mm hasta 0.8 mm; poseen un gancho superior, corto o alargado y pueden o no presentar un lóbulo del lado izquierdo; en vista dorsal se observa una costilla del lado derecho, constante en todas las especies; en vista ventral se advierte un canal de mediana profundidad a la altura media; sedas variables en número (fig. 6).

Genitales femeninos. Placas genitales grandes, de coloración variada, de color negro, pardo, anaranjado, anaranjado-rojizo o rojizo; morfológicamente la espermateca es constante en todas las especies (fig. 7).

Integumento. Cabeza glabra o cubierta por sedas de color blanco, antenas con sedas negras espaciadas; lóbulo anterior del pronoto glabro o con sedas de color blanco; esternitos abdominales usualmente cubiertos por sedas blancas; patas con sedas de color negro y blanco dispuestas alrededor de las mismas y eventualmente las tibias completamente cubiertas por sedas blancas.
Diagnosis
Se caracteriza por tener las coxas anteriores sin espinas, los ojos ligeramente pedunculados y estilizados; y el corium cerca del centro ligera pero distintivamente ampliado. La variación cromática corre desde especies de color negro y gris hasta coloraciones anaranjadas, amarillas y rojizas. Los parámeros son el carácter definitivo para separar especies distintas cuando existen variaciones cromáticas y no existen caracteres morfológicos particulares para cada especie Las especies mexicanas tienen un patrón estructural similar y las mayores diferencias se observan en los patrones de coloración específicos del pronoto, de los hemiélitros, del tórax y de las patas.
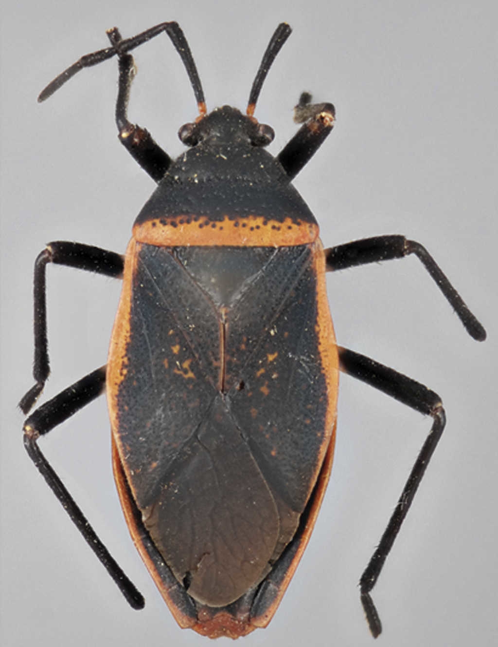
Largus sculptilis Bliven
Largus sculptilis Bliven, 1959:27
Redescripción macho. Coloración dorsal. Cabeza, incluyendo los artejos antenales I-IV, pronoto, escutelo y segmentos dorsales del abdomen negros y con las siguientes áreas anaranjado pálido: bordes posterolaterales y el borde posterior del pronoto; clavus y corium amarillo, con puntos y manchas irregulares color negro; margen costal del corium anaranjado pálido; tubérculos anteníferos y la base del primer artejo antenal de color anaranjado; ápice del tylus anaranjado; membrana del hemiélitro parda y las venas pardo oscuro; conexivo con la mitad inferior negra y la mitad superior amarilla; segmentos dorsales del abdomen negros (fig. 8). Coloración ventral. Cabeza, incluyendo los artejos rostrales I-IV, la base de la buccula, tórax, la base del peritremo osteolar, las patas y el abdomen de color negro y con las siguientes áreas anaranjado-rojizo: parte apical de la buccula, borde apical del tylus, tercio apical del peritremo osteolar, borde inferior de los acetábulos, coxas, trocánteres, tercio basal y borde apical de los fémures; cápsula genital con 2 elipses de anaranjadas al centro del pigóforo.

Estructura. Ojos poco protuberantes; rostro alcanzando el borde posterior de la mesocoxa; lóbulo anterior del pronoto suavemente convexo y ligeramente más elevado que el lóbulo posterior. Hemiélitro, alcanzando el ápice del abdomen. Parámeros de 0.8 mm de longitud y 0.3 mm de ancho en su parte media; gancho superior ligeramente curvo y alargado, midiendo aproximadamente 0.5 mm en ambos parámeros; forma en general robusta y presenta un lóbulo en el lado izquierdo; internamente con 2 espinas que convergen en forma de «V» (fig. 9).

Redescripción hembra. Coloración semejante al macho, con los segmentos conexivales VIII y IX y los segmentos dorsales del abdomen VIII y IX negros; placas genitales anaranjadas con los paraterguitos anaranjado brillante.
Variación. 1. Buccula, tubérculos anteníferos, borde inferior del tylus, collar, bordes anterolaterales y posterolaterales del pronoto, ápice del escutelo, clavus, comisura claval, corium, margen costal del corium, acetábulos, coxas, bordes de la metapleura y conexivo de color anaranjado brillante o anaranjado-rojizo. 2. Bordes anterior, anterolaterales, posterolaterales y posterior del pronoto de color amarillo o anaranjado o anaranjado-rojizo, en distintas combinaciones. 3. Clavus y corium amarillos o anaranjados y con los puntos de color negro. 4. Ápice del tylus anaranjado oscuro.
Tegumento. Cabeza, pronoto y escutelo densamente pilosos, cubiertos por gran cantidad de sedas plateadas adosadas a la superficie; cabeza con algunas sedas negras erectas y cercanas al tylus; artejo antenal I cubierto por finas sedas plateadas y pocas sedas negras erectas dirigidas hacia arriba y hacia afuera; artejos antenales II, III y IV cubiertos por finas sedas plateadas adosadas a la superficie y con sedas negras erectas dirigidas hacia arriba y hacia afuera; clavus y corium cubiertos por sedas cortas plateadas; ventralmente, la cabeza, el tórax y el abdomen densamente pilosos; patas incluyendo los acetábulos, coxas, trocánteres, fémures, tibias y artejos tarsales, densamente cubiertos por sedas plateadas adosadas a la superficie y con sedas negras y plateadas expuestas largas y erectas dirigidas hacia afuera y hacia abajo; artejos rostrales I-IV con sedas plateadas adosadas y algunas erectas; placas genitales con sedas a los lados; cabeza, lóbulo anterior del pronoto, tórax y abdomen sin puntos; lóbulo posterior del pronoto, escutelo, clavus y corium, punteados.
Medidas. Macho (N = 3). Longitud total del cuerpo 12.42 ± 1.25; longitud total de la cabeza 1.27 ± 0.08; distancia preocular 1.98 ± 0.06; distancia interocular 1.21 ± 0.06; artejos antenales I 2.47 ± 0.15, II 1.33 ± 0.09, III 0.87 ± 0, IV 1.95 ± 0.16; artejos rostrales I 1.09 ± 0.11, II 1 ± 0.04, III 0.89 ± 0.10, IV 0.46 ± 0.09; longitud total del pronoto 2.60 ± 0.23; anchura a través de los ángulos frontales 1.17 ± 0.12; anchura a través de los ángulos humerales 3.86 ± 0.30; escutelo, longitud total 1.36 ± 0.08, anchura 2 ± 0.14; longitud del fémur anterior 2.98 ± 0.20; tibia anterior 2.97 ± 0.10; longitud del fémur posterior 4.10 ± 0.08; tibia posterior 4.48 ± 0.13; tarsos I 0.96 ± 0.21, II 0.40 ± 0.03, III 0.55 ± 0.06.
Medidas. Hembra (N = 3). Longitud total del cuerpo 13.96 ± 1.25; longitud total de la cabeza 1.35 ± 0.20; distancia preocular 2.20 ± 0.17; distancia interocular 1.36 ± 0.14; artejos antenales I 2.56 ± 0.24, II 1.44 ± 0.14, III 0.94 ± 0.06, IV 1.86 ± 0.17; artejos rostrales I 1.10 ± 0.05, II 1.10 ± 0.13, III 0.95 ± 0.11, IV 0.58 ± 0.02; longitud total del pronoto 3 ± 0.48; anchura a través de los ángulos frontales 1.34 ± 0.13; anchura a través de los ángulos humerales 4.62 ± 0.54; escutelo, longitud total 1.71 ± 0.12, anchura 2.57 ± 0.24; longitud del fémur anterior 3.17 ± 0.24; tibia anterior 3.17 ± 0.33; longitud del fémur posterior 4.64 ± 0.40; tibia posterior 4.99 ± 0.69; tarsos I 0.91 ± 0.15, II 0.29 ± 0.08, III 0.51 ± 0.08.
Distribución conocida. Estados Unidos de América: Arizona. México —sin datos específicos— (Bliven, 1959).
Material examinado. Nuevos registros (IBUNAM, INECOL) (fig. 10). México: Baja California: 3♀♀, Golfo de California, isla Tiburón, 14-V-1985, V. Meléndez; 7♂♂ 2♀♀, Ensenada km 10 Chapala-Cataviña, 15-V-2009, 29¿27’33” N, 114¿26’47” O, 729 m snm, L. Cervantes, C. Mayorga; 7♀♀6♂♂, Ensenada km 12.2 Chapala-Puertecitos, 13-V-2009, 29¿28’14” N, 114¿19’42” O, 602 m snm, L. Cervantes, C. Mayorga; 7♀♀4♂♂, Ensenada km 35 Chapala-Puertecitos, 12-V-2009, 29¿36’31” N, 114¿23’51” O, 280 m snm, L. Cervantes, C. Mayorga; 5♀♀3♂♂, Ensenada, bahía San Luis Gonzaga Pozo, 12-V-2009, 29¿50’18” N, 114¿24’56” O, 5 m snm, L. Cervantes, C. Mayorga; 6♀♀3♂♂, Ensenada, Ojos Negros km 5 desviación a Parque Nacional, Constitución 1857, 19-V-2009, 31¿53’07” N, 116¿06’40” O, 968 m snm, L. Cervantes, C. Mayorga; 2♀♀2♂♂, Ensenada, bahía de Los Ángeles km 8.5 bahía de Los Ángeles-San Francisquito, 14-V-2009, 28¿52’57” N, 113¿31’51” O, 7 m snm, L. Cervantes, C. Mayorga; 1♀, Ensenada, 20 km al norte de Eréndira, 18-V-2009, 31¿24’59” N, 116¿27’38” O, 211 m snm, L. Cervantes, C. Mayorga; 2♂♂, Ensenada km 10 El Rosario-San Quintín, 16-V-2009, 30¿08’17” N, 115¿45’41” O, 77 m snm, L. Cervantes, C. Mayorga; 1♂, Ensenada km 13 Cataviña-El Rosario, 16-V-2009, 29¿49’22” N, 114¿48’34” O, 666 m snm, L. Cervantes, C. Mayorga; 12♀♀5♂♂, Ensenada km 45 Cataviña-El Rosario, 16-V-2009, 29¿57’47” N, 115¿05’54” O, 521 m snm, L. Cervantes, C. Mayorga; 1♀1♂, Ensenada km 51 Cataviña-El Rosario, 16-V-2009, 29¿57’21” N, 115¿09’35” O, 497 m snm, L. Cervantes, C. Mayorga; 1♂, Ensenada km 14 Ensenada-Tijuana, 1-III-2010, 31¿54’24” N, 116¿43’59” O, 1 m snm, L. Cervantes, C. Mayorga; 3♀♀2♂♂, Ensenada km 15 Ensenada-San Felipe, 19-V-2009, 31¿53’16” N, 116¿29’25” O, 429 m snm, L. Cervantes, C. Mayorga; 4♀♀2♂♂, Ensenada km 19 Puertecitos-Chapala, 12-V-2009, 30¿38’33” N, 114¿40’10” O, 9 m snm, L. Cervantes, C. Mayorga; 3♀♀3♂♂, Ensenada km 23 Puertecitos-Chapala, 12-V-2009, 30¿06’25” N, 114¿37’44” O, 12 m snm, L. Cervantes, C. Mayorga; 1♂, Ensenada km 25 Puertecitos-Chapala, 12-V-2009, 30¿04’17” N, 114¿36’11” O, 20 m snm, L. Cervantes, C. Mayorga; 1♂, Ensenada km 27 Chapala-Punta Prieta, 13-V-2009, 29¿14’30” N, 114¿09’28” O, 580 m snm, L. Cervantes, C. Mayorga; 3♀♀2♂♂, Ensenada km 61 Puertecitos-Chapala, bahía San Luis Gonzaga Pozo, 12-V-2009, 29¿49’42” N, 114¿25’22” O, 16 m snm, L. Cervantes, C. Mayorga; 2♀♀2♂♂, Ensenada, Santa Rosalía km 6 desviación a Santa Rosalía, 15-V-2009, 28¿42’24” N, 114¿09’17” O, 59 m snm, L. Cervantes, C. Mayorga; 1♂, Ensenada-San Pedro Mártir km 36 a San Pedro Mártir, 16-V-2009, 30¿57’20” N, 115¿51’20” O, 375 m snm, L. Cervantes, C. Mayorga; 4♀♀2♂♂, Ensenada-San Pedro Mártir km 45 a San Pedro Mártir, 18-V-2009, 30¿57’56” N, 115¿47’39” O, 739 m snm, L. Cervantes, C. Mayorga; 1♀1♂, Ensenada-San Pedro Mártir km 62 a San Pedro Mártir, 16-V-2009, 30¿57’35” N, 115¿40’05” O, 1,254 m snm, L. Cervantes, C. Mayorga; 2♀♀, Ensenada-San Pedro Mártir km 62 a San Pedro Mártir, 17-V-2009, 30¿57’25” N, 115¿41’02” O, 1,254 m snm, L. Cervantes, C. Mayorga; 3♂♂2♀♀, Ensenada-San Pedro Mártir km 71 a San Pedro Mártir, 17-V-2009, 30¿57’55” N, 115¿36’25” O, 1,756 m snm, L. Cervantes, C. Mayorga; 2♂♂1♀, Ensenada-San Pedro Mártir km 73 a San Pedro Mártir, 18-V-2009, 30¿57’53” N, 115¿36’45” O, 1,720 m snm, L. Cervantes, C. Mayorga; 8♀♀6♂♂, Ensenada-San Pedro Mártir km 75 a San Pedro Mártir, 17-V-2009, 30¿58’40” N, 115¿36’10” O, 1,775 m snm, L. Cervantes, C. Mayorga; 4♂♂, Ensenada-San Pedro Mártir km 77 a San Pedro Mártir, 17-V-2009, 30¿58’46” N, 115¿34’47” O, 2,229 m snm, L. Cervantes, C. Mayorga; 1♀, Ensenada-San Pedro Mártir, Observatorio, 17-V-2009, 30¿02’22” N, 115¿28’15” O, 2,622 m snm, L. Cervantes, C. Mayorga; 1♂, Ensenada, Parque Nacional, Constitución 1857, km 3 a Ojos Negros, 20-V-2009, 32¿00’35” N, 115¿56’52” O, 1,624 m snm, L. Cervantes, C. Mayorga; Baja California Sur: 1♀, isla Danzante, 16-V-1975, G. Gabino; 1♀, isla Carmen, 20-XII-2006, W. López Forment; Chihuahua: 1♀1♂, El Herradero, 22-IX-1984, M. García; 1♂, rancho El Capulín, noreste de Nuevo Casas Grandes, 27-IV-2005, 30¿48’04” N, 107¿46’22” O, 1,178 m snm, C. Weirauch, L. Cervantes; 1♀1♂, Temósachic km 29 Matachic-Cocomorachi, 29-IV-2005, 28¿46’56” N, 107¿52’17” O, 1,938 m snm, M. Schwartz, C. Weirauch, L. Cervantes; 2♂♂, rancho Los Mimbres, al norte de Janos, 26-IV-2005, 31¿11’20” N, 108¿44’05” O, 1,697 m snm, M. Schwartz, C. Weirauch, L. Cervantes; Coahuila: 1♀, Coahuila, km 214 carretera Cuatro Ciénegas, San Pedro de las Colonias, 19-III-1996, A. Ibarra, M. Balcázar; Ciudad de México: 1♂, Delegación Iztapalapa, VIII-1998, J. Contreras; 1♀, Milpa Alta, 6-V-1995, colección C. A. Sánchez; 4♀♀5♂♂, Reserva del Pedregal de San Ángel, Brechas 2 y 3, 13-26-VI-2006, 2,250 m snm, M. Torres; DURANGO: 2♀♀, Atotonilco, 17-VIII-1977, 2,950 m snm, H. Brailovsky; 1♂, El Salto, 17-X-1982, A. Ibarra; 2♀♀1♂, Santa Lucía, 5-VIII-1978, E. Mariño; Estado de México: 1♂, Coatlinchán, 29-VI-1968, E. Martín; 1♂, km 45 carretera Ciudad de México-Pachuca, 19-IX-2012, H. Brailovsky, E. Barrera; 1♀, Malinalco, 13-XII-1978, G. Ortega; 1♂, Polotitlán, 23-XI-2011, H. Brailovsky, E. Barrera; 1♀, Valle de Bravo, 2-X-1969, 1,700 m snm, H. Brailovsky; 1♂, Valle de Bravo, 3-VII-1969, 1,800 m snm, H. Brailovsky; 1♂, Valle de Bravo, 4-VII-1969, 1,200 m snm, H. Brailovsky; 1♀, Valle de Bravo, 12-VIII-1969, 1,860 m snm, H. Brailovsky; 1♂, Valle de Bravo, 22-VII-1970, 2,100 m snm, H. Brailovsky; Guanajuato: 1♀, 5 km al sur de Irapuato, 10-II-1980, W. López Forment; 1♂, Celaya, 7-VIII-1975, H. Brailovsky; 1♀, Cortázar, 16-XI-1961, H. Velasco P.; 1♀, NR. Aldama km 8 carretera Irapuato-León, 10-XI-2006, H. Brailovsky, E. Barrera; 1♀, presa La Purísima km 16 carretera Irapuato-Guanajuato, 12-IV-1982, H. Brailovsky; 1♀1♂, San José, San Miguel de Allende, 7-VIII-2013, H. Brailovsky, E. Barrera; 1♂, Valtierrilla 5 km al oeste de Salamanca, 10-XI-2006, H. Brailovsky, E. Barrera; 1♂, Abasolo, El Encinal, matorral espinoso, 2-X-2008, 20¿24’31” N, 101¿33’11” O, 1,760 m snm, H. Brailovsky, E. Barrera, L. Cervantes; Hidalgo: 4♀♀1♂, Huichapan, 5-VI-1999, 20¿21’887” N, 99¿38’997” O, 2,100 m snm, H. Brailovsky, E. Barrera; 2♀♀, Huichapan, 15-IV-1999, H. Brailovsky, E. Barrera; 1♂, km 15 carretera Tasquillo-Golondrinas, 6-VIII-1988, H. Brailovsky; 1♂, Tasquillo, 4-VII-1977, H. Brailovsky; 2♀♀, Tecozautla, 22-IX-1999, H. Brailovsky, E. Barrera; 1♀, Tepeji del Río, 28-VII-1996, C. Sánchez, J. Vargas; 1♂, Tulancingo, 10-VI-1990, H. Brailovsky, E. Barrera; Jalisco: 1♂, Cuitzmala, río San Nicolás, 28-VI-2006, 19¿39’05” N, 105¿10’56” O, 3 m snm, L. Cervantes, D. Brzoska; 1♂, km 56 carretera León-Aguascalientes, desviación a San Juan de los Lagos, 10-V-2002, H. Brailovsky, E. Barrera; 1♀, Tuxcueca, 28-XII-1992, Ka. y H. Brailovsky; Michoacán: 1♂, Zamora km 10 Zamora-Zacapu, 25-VI-2013, 19¿53.6’ N, 102¿23.0’O, 1,930 m snm, L. Cervantes, D. Brzoska; 1♀, Zacapu, La Virgen, rancho El Trébol, 19-III-2008, 19¿52’57” N, 101¿46’04” O, 2,000 m snm, M. Briceño; 1♀, carretera 15.3 millas al sureste de Tuxpan, VIII-1982, C.W. y L. W’Brien, G. Wibmer; 1♀, km 10 Morelia-Ciudad Hidalgo, 25-VI-2006, 19¿41’22” N, 101¿01’17” O, 2,043 m snm, L. Cervantes, D. Brzoska; 1♀, km 154 carretera Irapuato-Guadalajara, 26-VII-1984, M. García; 1♀, Tzintzuntzan, 23-IX-1987, E. Barrera; Morelos: 1♀, Tepozteco, 1-V-1981, J. Sagredo. Nuevo León: 1♀, grutas Bustamante, 22-XI-1985, F. Arias; 1♂, La Escondida-Aramberri, 24-IX-1983, A. Ibarra; 1♀, A. N. García; Puebla: 1♀, 5 km al sureste de Atlixco, municipio Atlixco, Puebla, 15-VI-1994, 18¿50’970” N, 98¿25’343” O, E. Barrera, C. Mayorga; 1♀, Atlixco, la Trinidad, 29-V-1994, H. Brailovsky, E. Barrera; 4♀♀1♂, Cantona, 11-XI-1995, H. Brailovsky, E. Barrera; 1♂, carretera Puebla-Atlixco, La Soledad, 21-III-1994, G. Ortega, E. Barrera; 1♂, San Andrés, municipio Libre, 8-VII-1990, A. Ocampo; 4♀♀4♂♂, Texcala, 26-IX-1992, H. Brailovsky, E. Barrera; Querétaro: 1♂, Cadereyta, 14-XI-1991, H. Brailovsky, E. Barrera; 1♀1♂, El Cazadero 4 km carretera Palmillas-Huichapan, 11-XI-2006, H. Brailovsky, E. Barrera; 1♂, ciudad de Querétaro, 5-16-I-2009, Ka. Brailovsky; 1♀, Galindo, San Miguel-Galindo, 22-XI-2011, H. Brailovsky, E. Barrera; 2♀♀, Huimilpan, El Vegil, 3-X-2008, 20¿26’39” N, 100¿21’44” O, 2,029 m snm, H. Brailovsky, E. Barrera, L. Cervantes; 1♀, Peñamiller, 6-XI-1997, G. Ortega, E. Barrera; 1♀, rancho Aztlán, 10 km al este de Querétaro, 1-VI-2003, W. López Forment; San Luis Potosí: 1♀1♂, Villa de Reyes, 7-X-2009, H. Brailovsky, E. Barrera; Sonora: 3♀♀1♂, Carbó, 3-XI-1986, E. Mariño, F. Arias; 1♂, Rayón, 5-XI-1986, E. Mariño; 1♂, Santa Ana, 3-XI-1986, F. Arias; 3♂♂1♀, Santa Ana, km 20 Santa Ana-Altar, 10-V-2009, 30¿35’09” N, 111¿24’49” O, 587 m snm, L. Cervantes, C. Mayorga; 1♀, Nr. Sonorita, 17-III-2013, T. Van Devender; 3♂, sierra Mariquita, 03-VIII-2013, T. R. Van Devender; Tlaxcala: 4♀♀3♂♂, Altzayanca de Hidalgo, 10-VI-2009, H. Brailovsky, E. Barrera; 1♂, Concepción Hidalgo Nazaret, 10-VI-2009, H. Brailovsky, E. Barrera; Veracruz: 1♀, Perote, Frijol Colorado, Malpaís, 10-VII-2010, Mora, Jimeno.

Bliven (1973) consideró a L. semipunctatus (Halstead) como sinónimo junior de L. sculptilis; sin embargo, se considera que ambas son especies válidas, ya que aunque presentan similitudes en la coloración del pronoto, existen diferencias en los hemiélitros como el presentar líneas rojizas o anaranjadas en los contornos del corium y del clavus en el caso de L. semipunctatus (fig. 11). Los parámeros de L. semipunctatus son muy robustos y alargados, midiendo 0.8 mm de longitud y 0.3 mm de ancho en la parte media; con el gancho superior curvo y alargado de aproximadamente 0.3 mm; el lado izquierdo con un lóbulo muy pronunciado que termina curvándose hacia la parte inferior; con espinas pequeñas sin alcanzar 0.1 mm, y convergiendo en una «U»; el lóbulo es cuadrado del lado derecho, debajo del gancho superior y el canal intermedio no es perceptible (fig. 12).


Largus sculptilis había sido previamente considerada sinónimo junior de L. cinctus por Halstead (1972b). En este estudio se considera que es una especie válida, ya que en L. sculptilis el pronoto es completamente negro, así como la mayor parte de los hemiélitros, que, además, poseen algunas manchas amarillas o anaranjadas. En L. cinctus, el lóbulo anterior del pronoto es generalmente negro y el lóbulo posterior amarillo o anaranjado; los hemiélitros son predominantemente amarillos y con manchas negras (fig. 13). Existen similitudes en la coloración de las patas, ya que ambas especies comparten patrones de coloración anaranjada en las uniones coxa-trocánter-fémur-tibia. Largus sculptilis se caracteriza por tener tanto el lóbulo anterior como el posterior del pronoto completamente negros; los hemiélitros predominantemente negros con pequeñas manchas anaranjadas, o bien el clavus y el corium anaranjados o amarillos, pero con una saturación de puntos negros. Parámeros como descritos, semejantes a los de L. cinctus (figs. 9 y 14).


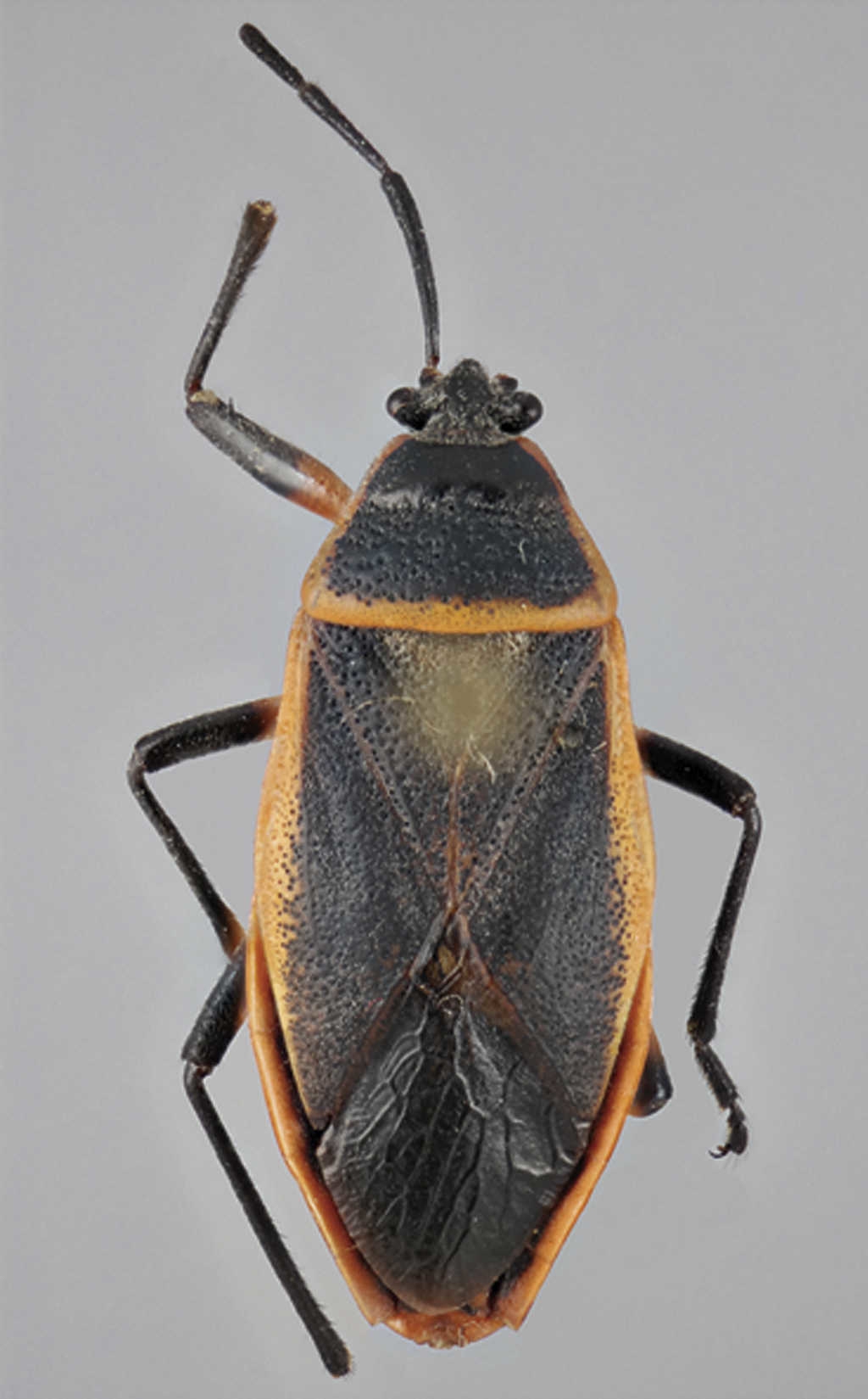
Largus cinctus Herrich-Schaeffer
Largus cinctus Herrich-Schaeffer, 1842:6
Redescripción macho. Coloración dorsal. Cabeza, incluyendo los artejos antenales I-IV, el lóbulo anterior del pronoto, escutelo, puntos del pronoto, y clavus y corium de color negro y con las siguientes áreas anaranjadas: tubérculos anteníferos, unión basal del primer artejo antenal, ápice del tylus, collar, márgenes anterolaterales y posterolaterales del pronoto, lóbulo posterior del pronoto y ápice del escutelo; clavus y corium amarillos con puntos negros; conexivo con la mitad inferior negra y la superior amarilla; segmentos dorsales del abdomen negros; membrana del hemiélitro, incluyendo las venas, de color negro con el ángulo basal pardo-anaranjado (fig. 13). Coloración ventral. Cabeza, incluyendo los artejos rostrales, tórax, porción basal del peritremo osteolar, patas y abdomen de color negro y con las siguientes áreas anaranjadas: buccula, collar, margen posterior de la metapleura, tercio apical del peritremo osteolar, borde inferior de los acetábulos, coxas, trocánteres, tercio basal y borde apical de los fémures, unión basal de las tibias y margen pleural de los esternitos abdominales III-VII; pigóforo amarillo-anaranjado.
Estructura. Ojos poco pedunculados; rostro alcanzando el borde posterior de la mesocoxa; lóbulo anterior del pronoto suavemente convexo y ligeramente más elevado que el lóbulo posterior. Hemiélitro ligeramente rebasando el ápice del abdomen. Parámeros de 0.8 mm de longitud y 0.4 mm de ancho en su parte media; gancho superior curvo y alargado, midiendo aproximadamente 0.5 mm en ambos parámeros; la forma en general es robusta con un lóbulo pronunciado del lado izquierdo; internamente con 2 espinas que convergen en forma de «U»; canal intermedio con una amplia concavidad (fig. 14).
Redescripción hembra. Coloración semejante al macho, con los segmentos conexivales VIII y IX y los segmentos dorsales del abdomen VIII y IX negros; esternito abdominal VII anaranjado rojizo oscuro, con el margen pleural amarillo; placas genitales anaranjadas y con los paraterguitos anaranjado brillante.
Variación. 1. Ápice del tylus color anaranjado oscuro. 2. Tercio apical del peritremo osteolar negro o peritremo osteolar completamente anaranjado. 3. Combinación de colores: acetábulos anaranjados; coxas, trocánteres, fémures y tibias negras; uniones fémur-tibia anaranjadas. 4. Abdomen negro con reflejos anaranjados. 5. Paraterguitos de la hembra negros y con reflejos anaranjados. 6. Membrana del hemiélitro, incluyendo las venas de color pardo. 7. Pigóforo anaranjado y con 2 elipses anaranjadas centrales. 8. Lóbulo posterior del pronoto rojo oscuro. 9. Clavus y corium anaranjado oscuro con los puntos negros.
Tegumento. Cabeza y lóbulo anterior del pronoto densamente pilosos; lóbulo posterior y escutelo con pocas sedas plateadas; clavus y corium cubiertos por finas sedas plateadas adosadas a la superficie y espaciadas entre sí; artejo antenal I cubierto por finas sedas plateadas y pocas sedas negras erectas dirigidas hacia arriba y hacia afuera; artejos antenales II y III cubiertos de la misma manera; artejo antenal IV cubierto por finísimas sedas plateadas; ventralmente, la cabeza, tórax y abdomen densamente pilosos; patas incluyendo las coxas, trocánteres, fémures, tibias y artejos tarsales, cubiertos por sedas plateadas adosadas a la superficie y, además, por sedas negras y plateadas largas y erectas dirigidas hacia afuera; artejos rostrales I-IV con sedas plateadas; cabeza, lóbulo anterior del pronoto, tórax y abdomen sin puntos; lóbulo posterior del pronoto, escutelo, clavus y corium, punteados.
Medidas. Macho (N = 3). Longitud total del cuerpo 12.75 ± 0.13; longitud de la cabeza 1.36 ± 0.03; distancia preocular 2.08 ± 0.03; distancia interocular 1.27 ± 0.05; artejos antenales I 2.65 ± 0.14, II 1.46 ± 0.01, III 0.91 ± 0.02, IV 2.02 ± 0.09; artejos rostrales I 1.17 ± 0.14, II 1.06 ± 0.08, III 0.96 ± 0.02, IV 0.56 ± 0.05; longitud total del pronoto 2.58 ± 0.13; anchura a través de los ángulos frontales 1.24 ± 0.12; anchura a través de los ángulos humerales 3.91 ± 0.06; escutelo, longitud total 1.43 ± 0.05, anchura 2.04 ± 0.02; longitud del fémur anterior 3.20 ± 0.05; tibia anterior 3.12 ± 0.13; longitud del fémur posterior 4.26 ± 0.15; tibia posterior 4.64 ± 0.08; tarsos I 1 ± 0.05, II 0.34 ± 0.02, III 0.53 ± 0.02.
Medidas. Hembra (N = 3). Longitud total del cuerpo 15.08 ± 1.68; longitud de la cabeza 1.61 ± 0.27; distancia preocular 2.31 ± 0.17; distancia interocular 1.44 ± 0.13; artejos antenales I 2.79 ± 0.36, II 1.52 ± 0.17, III 0.99 ± 0.10, IV 2.04 ± 0.04; artejos rostrales I 1.21 ± 0.02, II 1.15 ± 0.10, III 1.12 ± 0.12, IV 0.56 ± 0.08; longitud total del pronoto 3.27 ± 0.26; anchura a través de los ángulos frontales 1.28 ± 0.12; anchura a través de los ángulos humerales 5.04 ± 0.27; escutelo, longitud total 1.83 ± 0.17, anchura 2.64 ± 0.22; longitud del fémur anterior 3.37 ± 0.39; tibia anterior 3.37 ± 0.31; longitud del fémur posterior 4.84 ± 0.35; tibia posterior 5.27 ± 0.42; tarsos I 1.33 ± 0, II 0.36 ± 0.02, III 0.61 ± 0.05.
Distribución conocida. Estados Unidos de América: Oregón, Nuevo México, Nevada, Texas, Colorado, Arizona y California. México: Oaxaca, Sinaloa (Presidio de Mazatlán), Durango (Ventanas), Michoacán (Morelia), Morelos (Cuernavaca), Veracruz (Atoyac, Jalapa y Orizaba), Puebla (Tehuacán), Guerrero (Amula, Chilpancingo, La Venta, Omiltemi y Xucumanatlán), Yucatán (Temax y Valladolid), Chiapas y Baja California (San José del Cabo). Guatemala: San Gerónimo, Capetillo, Tocoy, Chacoj, Senahú, Telemán, Vera Paz, Paraíso. Costa Rica: Irazú, Orosi, río Suero, Reventazón y San Francisco. Panamá: volcán de Chiriquí (2,000-3,000 pies) y Lino. Colombia: Bogotá, Antioquia, Manaure (Blöte, 1931; Distant, 1880-1893; Stål, 1861, 1870).
Material examinado. Nuevos registros (IBUNAM, INECOL) (fig. 15). México: Aguascalientes: 2♂♂, Salto de los Salados, El Sabinal, 11-IV-2002, H. Brailovsky, E. Barrera; Baja California: 1♀, Ensenada, bahía San Luis Gonzaga Pozo, 12-V-2009, 29¿50’18” N, 114¿24’56” O, 5 m snm, L. Cervantes, C. Mayorga; 1♀1♂, golfo de California, isla Tiburón, 14-V-1985; Chiapas: 1♀, El Suspiro Berriozabal, 22-V-1974; Chihuahua: 1♀, Casas Grandes, laguna Fierro, 14-VII-1985, E. Mariño; 1♀, Janos, rancho Los Mimbres al norte de Janos, 26-IV-2005, 31¿11’24” N, 108¿42’13” O, 1,650 m snm, M. Schwartz, C. Weirauch, L. Cervantes; 1♀, Paquime Ruins-Casas Grandes, 29-VII-2005, 30¿22.1’ N, 107¿56.9” O, 1,485 m snm, D. Brzosca; Ciudad de México: 3♂♂, Reserva del Pedregal de San Ángel, Brecha 3, 13-V-2006, 2,250 m snm, M. Torres; Estado de México: 1♂, Ecatepec de Morelos, 5-II-2013, 19¿33’25.50” N, 99¿2’32.05” O, 2,243 m snm, H. Álvarez García; 1♂, Malinalco, 7-XII-1978, H. Brailovsky; 3♀♀, San Diego Alcalá, 7-XI-2000, 1,700 m snm, H. Brailovsky, E. Barrera; 1♂, Valle de Bravo, 5-VII-1969, 1,900 m snm, H. Brailovsky; 1♂, Valle de Bravo, 28-XI-1969, 2,100 m snm, H. Brailovsky; 1♀, Villa de Allende, 6-VII-1971, M. A. Morón; Guanajuato: 1♀, 5 km al sur de Irapuato, 10-IV-2002, H. Brailovsky, E. Barrera; 1♀, Celaya, 7-VIII-1975, H. Brailovsky; 1♂, presa La Purísima, km 16 carretera Irapuato-Guanajuato, 12-IV-1982, H. Brailovsky; 1♀, San Juan La Lagunita km 18, carretera Querétaro-Celaya, 9-XI-2006, H. Brailovsky, E. Barrera; 4♂♂, San Miguel de Allende, 20-V-1978, W. López F; Guerrero: 1♀, km 10 Teloloapan, El Caracol, 5-III-1987, H. Brailovsky; 1♂, km 33 carretera Iguala-Teloloapan, 28-IX-1994, 18¿24’888” N, 99¿42’527” O, E. Barrera; 1♀, km 93 carretera Iguala-Ciudad Altamirano, 23-II-1984, H. Velasco; Hidalgo: 2♂♂1♀, Huichapan, 15-IV-1999, H. Brailovsky, E. Barrera; 3♀♀1♂, Huichapan, 5-VI-1999, 20¿21’887” N, 99¿38’997” O, 2,100 m snm, H. Brailovsky, E. Barrera; 1♂, km 17 desviación Huejutla-Atencuapa, 11-III-1999, 21¿02’087” N, 98¿22’547” O, 250 m snm, H. Brailovsky, E. Barrera; 2♀♀, km 9 carretera Huejutla-Atlapexco, 28-VIII-1999, 21¿03’84” N, 98¿22’88” O, 410 m snm, E. Barrera; 1♀, Pachuca, 8-VII-1968; 1♂, Otongo, 6-IX-1980, L. Rivera; 1♂, Tecozautla, 17-IV-1999, H. Brailovsky, E. Barrera; Jalisco: 2♀♀, Autlán, 30-VI-2010, 19¿46.4’ N, 104¿21.4’ O, 920 m snm, D. Brzoska; 2♀♀, Cuitzmala, río San Nicolás, 28-VI-2006, 19¿39’05” N, 105¿10’56” O, 3 m snm, L. Cervantes, D. Brzoska; 1♀, Chapala, 10-III-1988, H. Brailovsky, L. Cervantes; 1♀, El Tuito, 30-IV-1976, H. Brailovsky; 1♀, Estación de Biología Chamela, 1-X-1976, H. Brailovsky; 1♀, isla Pajarera, 6-II-1975, H. Brailovsky; 1♀, Manantlán, 12-19-IX-1994, 1,650 m snm, G. Noguera; 1♂, Plan de Carranzas, 31-X-1986, E. Mariño; 2♂♂, río Cuitzmala, 20-I-1989, E. Ramírez; Michoacán: 1♀, 2 km al sur de Aporo, 7-III-2001, H. Brailovsky, E. Barrera; 1♀, Acámbaro, XI-1920; 1♀, Acámbaro, 10-XI-1950; 3♀♀, Morelia. 1♀, Jiquilpan km 23 Mazamitla-Jiquilpan, 25-VI-2013, 20¿00.686’ N, 102¿54.272’ O, 2,092 m snm, L. Cervantes, D. Brzoska; 1♀, Zacapu, La Virgen, rancho El Trébol, 19-III-2008, 19¿52’57” N, 101¿46’04” O, 2,000 m snm, M. Briceño; 1♂, Zamora, 28-VI-2010, 19¿56.7’ N, 102¿14.8’ O, 1,665 m snm, D. Brzoska; 1♀, Zamora km 10 Zamora-Zacapu, 25-VI-2013, 19¿53.6’N, 102¿23.0’ O, 1,930 m snm, L. Cervantes, D. Brzoska; Morelos: 1♀, Amecameca, 9-IV-1977, A. Arjona; 1♀, Cuautla, 15-IV-1984, D. Brailovsky; 1♀, Cuautla, 14-VI-2007, recolector local; 1♀, Las Estacas, 24-IX-1986, C. Deloya; 1♀, Tepalcingo, El Limón, 23-X-2006, 18¿32’34” N, 98¿56’10.4” O, 1,330 m snm, V. H. Toledo, A. M. Corona; 1♂, Tepoztlán, 25-II-1977, E. Mariño P.; 1♂, Tepoztlán, 26-III-1981, H. Brailovsky; 1♂, Tepoztlán, 9-XII-1974, H. Brailovsky; 1♀, Tepoztlán, 12-IV-1970, H. Brailovsky; 1♀, Tepoztlán, 7-III-1974, 2,105 m snm, H. Brailovsky; 1♀, Tepoztlán, 16-IX-1971, M. A. Morón; 1♂, Xochicalco, 25-II-1977, García Figueroa; Nayarit: 1♀, carretera 54 al este de San Blas, 30-VIII-1971, W.D. Nunes, T.F. Halstead; Oaxaca: 1♂, Candelaria Loxicha, Portillo del Rayo, finca El Encanto, 25-XI-2012, 15¿58’41” N, 96¿31’43” O, 1,600 m snm, L. Cervantes; 1♀, 20 km al este de Totolapan, 30-VI-1996, H. Brailovsky, E. Barrera; 1♀, km 23 Sola de Vega, Puerto Escondido, 1-VII-1990, E. Barrera, A. Cadena; 1♀, km 30 carretera El Camarón-Tehuantepec, 13-VII-2000, 1,300 m snm, E. Barrera, C. Mayorga; 1♀, Macuilxóchitl, 10-V-1985, E. Barrera; 1♀, Monte Albán, 9-III-1978, E. Barrera; 2♂♂, Santa Cruz Papalutla, 14-15-XI-1982, J. Ramos; 1♂, Pluma Hidalgo, desviación a Pluma Hidalgo, 10-X-2005, 15¿57’38” N, 96¿27’31” O, 1,000 m snm, L. Cervantes, E. Elizalde, R. Carranza; 1♀, San Lorenzo Albarradas, municipio El Camarón, 4-III-2000, E. Barrera; 1♀, Villa de Tamazulápam del Progreso, central eléctrica, 4-IV-2005, L. Cervantes, E. Elizalde, S. Gámez; Puebla: 1♂, Atlixco, 11-IX-2009, H. Brailovsky, E. Barrera; 1♂, Atlixco, La Trinidad, 29-V-1994, H. Brailovsky, E. Barrera; 1♂, Huehuetlán, 28-V-1994, H. Brailovsky, E. Barrera; 1♀, La Trinidad, 5 km al sureste de Atlixco, 15-VI-1994, 18¿50’97” N, 98¿25’34” O, E. Barrera, C. Mayorga; 2♀♀, Taxco, 27-X-1994, H. Brailovsky, C. Mayorga; 1♂, Teyuca, 28-X-1994, H. Brailovsky, C. Mayorga; Querétaro: 1♂, Cazadero, 4 km carretera Palmillas-Huichapan,11-XI-2006, H. Brailovsky, E. Barrera; 1♀, ciudad de Querétaro, 1-10-X-2010, Ka. Brailovsky; 2♀♀, Galindo: San Miguel Galindo, 22-XI-2011, H. Brailovsky, E. Barrera; Quintana Roo: 1♀, F. Carrillo Puerto de Quintana Roo, 3-X-1981, W. Canul; Sinaloa: 1♀, Concordia, La Capilla del Taxte, 4-VII-2010, 23¿25.4’ N, 105¿51.9’ O, 1,288 m snm, D. Brzoska; 1♀, Culiacán, 2-III-1975, E. Dayliss; Sonora: 1♀, Santa Ana, km 20 Santa Ana-Altar, 10-V-2009, 30¿35’09” N, 111¿24’49” O, 587 m snm, L. Cervantes, C. Mayorga; 1♀, 29 km al sureste de Tecoripa y 3 km al sur del rancho Las Peñitas, 17-X-2004, 28¿32’416” N, 109¿41’27.8” O, 733 m snm, S. Zaragoza; 1♂, Benjamín Hill, 3-XI-1986, E. Mariño; 1♀, presa Álvaro Obregón, 7-XI-1986, F. Arias; 1♀1♂, Carbó, 3-XI-1986, E. Mariño, F. Arias; 2♂♂, km 65 carretera Guaymas-Ciudad Obregón, 6-XI-1986, E. Barrera; 1♀, Yécora, 18-VII-2005, 28¿22.3’ N, 108¿55.4’ O, 1,550 m snm, D. Brzoska; 1♂, Yécora km 22 Yécora-Ciudad Obregón, 4-V-2005, 28¿22’50” N, 109¿05’10” O, 1,519 m snm, L. Cervantes, M. Schwartz; 1♀1♂, Yécora km 10 Yécora-Basaseachic, 5-V-2005, 28¿23’32” N, 108¿52’24” O, 1,732 m snm, L. Cervantes, M. Schwartz, C. Weirauch; 2♂♂4♀♀, Yécora km 30 Yécora-Hermosillo, 1-V-2005, 28¿22’04” N, 109¿03’45” O, 1,528 m snm, L. Cervantes, M. Schwartz, C. Weirauch; 3♀♀, Yécora km 39 Yécora-Ciudad Obregón, 4-V-2005, 28¿25’20” N, 109¿05’25” O, 950 m snm, L. Cervantes, M. Schwartz, C. Weirauch; 2♀♀, Rosario de Tesopaco km 7 Rosario de Tesopaco-Ciudad Obregón, 2-V-2005, 27¿44’36” N, 109¿28’16” O, 506 m snm, L. Cervantes, M. Schwartz, C. Weirauch; 1♂4♀♀, Rosario de Tesopaco km 33 Rosario de Tesopaco-Yécora, 4-V-2005, 28¿06’36” N, 109¿19’19” O, 350 m snm, L. Cervantes, M. Schwartz, C. Weirauch; 1♀, Rosario de Tesopaco km 60 Rosario de Tesopaco-Yécora, 4-V-2005, 28¿19’58” N, 109¿15’44” O, 504 m snm, L. Cervantes, M. Schwartz, C. Weirauch; Veracruz: 1♀, Los Tuxtlas, 1-X-1970. 1♀, Atoyac, 1-VII-2006, 18¿54’50” N, 96¿46’38” O, 600 m snm, L. Delgado; 1♀, Mata Verde km 152 carretera La Tinaja-Sayula, 5-VIII-2011, 18¿15’05” N, 95¿44’45” O, 0 m snm, L. Cervantes; 1♀, Actopan, Estación de Biología La Mancha, 30-IV-1999, L. Cervantes; 1♂, Actopan, Estación de Biología La Mancha, 26-IX-2003, D. Martínez.

Halstead (1972b) consideró a Largus sculptilis Bliven y L. semipletus Bliven como sinónimos junior de L. cinctus Herrich-Schaeffer. En este estudio, se reconoce la validez de las 3 especies; el problema con L. sculptilis y L. cinctus fue analizado en la redescripción previa de L. sculptilis y en cuanto a la situación con L. semipletus, se puede definir como una especie distinta, ya que existen claras diferencias en la coloración de las especies. En L. cinctus el lóbulo anterior del pronoto es generalmente negro, el lóbulo posterior amarillo o anaranjado y los hemiélitros son predominantemente amarillos y con manchas negras. Existen similitudes en la coloración de las patas, ya que ambas especies comparten patrones de coloración —patas negras, excepto el borde inferior de los acetábulos, coxas, trocánteres, tercio basal y borde apical de los fémures, unión basal de las tibias anaranjadas—. Sin embargo, en L. semipletus, el pronoto y los hemiélitros son negros y solo el borde superior del conexivo anaranjado (fig. 16).

Es importante mencionar que Bliven (1973) consideró a L. cinctus como sinónimo junior de L. succinctus (Linnaeus) y al igual que en el caso con L. semipletus, ambas especies son distintas, no solamente por no compartir una misma distribución geográfica, sino también por las diferencias morfológicas y cromáticas. Los parámeros de L. cinctus tienen la peculiaridad de tener el gancho superior claramente curvo y presentan cierta afinidad con los parámeros de L. sculptilis; sin embargo, existen diferencias en las espinas, en el canal intermedio y en el gancho superior.
Largus convivus Stål
Largus convivus Stål, 1861:196
Redescripción macho. Coloración dorsal. Cabeza, incluyendo los artejos antenales I-IV, la base de los tubérculos anteníferos, pronoto, escutelo, puntos del pronoto, clavus, corium y segmentos dorsales del abdomen de color negro, con las siguientes áreas amarillo-anaranjado: unión basal del primer artejo antenal, collar, bordes anterior, anterolaterales, posterolaterales y posterior del pronoto, comisura claval, margen costal del corium y borde superior del conexivo; ápice del tubérculo antenífero anaranjado oscuro; ápice del tylus rojo oscuro; membrana del hemiélitro, incluyendo las venas pardo oscuro (fig. 17). Coloración ventral. Cabeza, incluyendo los artejos rostrales I-IV, tórax, patas, peritremo osteolar, esternitos abdominales y la cápsula genital del color negro y esta última con reflejos anaranjados al centro y con las siguientes áreas de color anaranjado: buccula, borde anterior y posterior de la propleura, borde posterior de la metapleura, acetábulos y borde superior del margen pleural del conexivo; coxas pardas y con una ligera coloración anaranjada (fig. 18).


Estructura. Ojos ligeramente salientes sin llegar a ser pedunculados; rostro alcanzando el borde posterior de la mesocoxa; lóbulo anterior del pronoto convexo y más elevado que el lóbulo posterior. Hemiélitro, alcanzando el margen posterior del segmento abdominal VII o rebasando el ápice del abdomen. Parámeros de 0.9 mm de longitud y 0.2 mm de ancho en su parte media; gancho superior triangular y corto, midiendo aproximadamente 0.4 mm en ambos parámeros; la forma en general es estilizada y presenta una forma de «L» del lado izquierdo; internamente con 2 espinas que convergen en forma de «U»; la costilla del lado derecho es curva y se aprecia una pequeña espina debajo del gancho superior; canal intermedio casi imperceptible (fig. 19).

Redescripción hembra. Coloración semejante al macho, con las coloraciones amarillas o anaranjadas más oscuras en todas las áreas; segmentos conexivales VIII y IX y segmentos dorsales del abdomen VIII y IX negros; placas genitales negras con los paraterguitos anaranjado oscuro.
Variación. 1. Buccula, tubérculos anteníferos, borde inferior del tylus, collar, bordes anterolaterales y posterolaterales del pronoto, ápice del escutelo, clavus, comisura claval, corium, margen costal del corium, acetábulos, coxas, bordes de la metapleura y conexivo de color anaranjado brillante. 2. Únicamente de color amarillo-anaranjado los bordes anterior, posterolaterales y posterior del pronoto; bordes anterolaterales negros. 3. Franja del borde posterior del pronoto amarillo-anaranjado y ligeramente de mayor anchura. 4. Clavus y corium amarillo-anaranjado con los puntos de color negro. 5. Ápice del tylus anaranjado oscuro o anaranjado brillante.
Tegumento. Cabeza cubierta por finas sedas plateadas adosadas a la superficie y con algunas sedas negras erectas cercanas al tylus; artejo antenal I con escasas sedas plateadas adosadas a la superficie y sedas negras erectas dirigidas hacia afuera y hacia arriba; artejos antenales II y III con una mayor cantidad de sedas plateadas y negras; artejo antenal IV con finísimas sedas plateadas; pronoto piloso en el lóbulo anterior o a lo largo de todo el pronoto, cubriendo ambos lóbulos; escutelo densamente cubierto por finas sedas plateadas adosadas; clavus y corium cubiertos por finas sedas plateadas parcial o totalmente; ventralmente la cabeza, el tórax y los esternitos abdominales, incluyendo pigóforo y las placas genitales de la hembra, densamente cubiertos por sedas plateadas parcial o totalmente; ventralmente el abdomen presenta sedas erectas plateadas dirigidas hacia abajo; artejos rostrales I-IV con algunas sedas plateadas adosadas a la superficie y sedas negras erectas dirigidas hacia afuera; patas incluyendo las coxas, trocánteres, fémures, tibias y artejos tarsales densamente cubiertos por sedas plateadas y negras; cabeza, lóbulo anterior del pronoto, tórax y abdomen sin puntos; lóbulo posterior del pronoto, escutelo, clavus y corium, punteados.
Medidas. Macho (N = 3). Longitud total del cuerpo 11.42 ± 0.69; longitud de la cabeza 1.36 ± 0.16; distancia preocular 2.18 ± 0.08; distancia interocular 1.30 ± 0.03; artejos antenales I 2.53 ± 0.42, II 1.43 ± 0.10, III 0.87 ± 0.07, IV 1.97 ± 0.15; artejos rostrales I 1.03 ± 0.07, II 1.07 ± 0.07, III 0.91 ± 0.05, IV 0.59 ± 0.02; longitud total del pronoto 2.50 ± 0.17; anchura a través de los ángulos frontales 1.34 ± 0.13; anchura a través de los ángulos humerales 3.95 ± 0.20; escutelo, longitud total 1.34 ± 0.13, anchura 2.09 ± 0.17; longitud del fémur anterior 3.12 ± 0.15; tibia anterior 2.93 ± 0.15; longitud del fémur posterior 4.13 ± 0.22; tibia posterior 4.48 ± 0.08; tarsos I 0.96 ± 0.14, II 0.31 ± 0.01, III 0.56 ± 0.03.
Medidas. Hembra (N = 3). Longitud total del cuerpo 14.21 ± 0.90; longitud de la cabeza 1.73 ± 0.22; distancia preocular 2.46 ± 0.16; distancia interocular 1.61 ± 0.06; artejos antenales I 2.92 ± 0.33, II 1.59 ± 0.11, III 0.98 ± 0.05, IV 2.06 ± 0.04; artejos rostrales I 1.24 ± 0.04, II 1.20 ± 0.04, III 1.02 ± 0.09, IV 0.59 ± 0.02; longitud total del pronoto 3.08 ± 0.10; anchura a través de los ángulos frontales 1.48 ± 0.03; anchura a través de los ángulos humerales 5.08 ± 0.35; escutelo, longitud total 1.77 ± 0.14, anchura 2.76 ± 0.14; longitud del fémur anterior 3.72 ± 0.32; tibia anterior 3.33 ± 0.30; longitud del fémur posterior 5.12 ± 0.58; tibia posterior 5.32 ± 0.59; tarsos I 1.07 ± 0.28, II 0.35 ± 0.03, III 0.56 ± 0.04.
Distribución conocida. Estados Unidos de América: Arizona, California, Colorado y Texas. México: Veracruz (Orizaba y Xalapa), Oaxaca, Chihuahua (Pinos Altos), Guerrero (Omiltemi y Xucumanatlán) y Sonora. Guatemala: Quetzaltenango, El Reposo. América Central —no se mencionan datos específicos— (Distant, 1880-1893; Hussey, 1929; Stål, 1861, 1870; Van Duzee, 1923).
Material examinado. Nuevos registros (IBUNAM) (fig. 20). México: Chihuahua: 1♀1♂, Basaseachic, 30-VI-2005, L. Cervantes, C. Weirauch; 1♀, carretera 25-3.5 km norte-sur de San Juanito, 19-VII-2005, 28¿01.4’ N, 107¿35.8’ O, 2,443 m snm, D. Brzoska; 2♀♀, Hy. 25-km 72 (N-Creel), 5-VIII-2008, 27¿51.7’ N, 107¿34.9’ O, 2,363 m snm, D. Brzoska; 2♀♀, Hy. 25-km 82 (N-Creel), 27-VII-2005, 27¿48.7’ N, 107¿37.3’ O, 2,276 m snm, D. Brzoska; 1♂, Hy. 25 km 82, 19-VII-2005, S. Bocoyna; 1♀, Tejaban, 10-V-1996, W. L. Forment; Coahuila: 1♀, Cuatro Ciénegas, sierra, ejido El Oso, 1-V-2013, W. Ávalos; 1♂, Cuatro Ciénegas, rancho Orozco, 2-V-2013, W. Ávalos; 1♂, Cuatro Ciénegas, monte Pronatura, 25-IV-2013, W. Ávalos; Ciudad de México: 1♀, 2 km al suroeste de Parres, 12-VII-1981, F. Cervantes; 3♀♀1♂, km 28 carretera Xochimilco-Oaxtepec, Milpa Alta, 1-IX-1976, H. Brailovsky; 3♀♀1♂, Reserva del Pedregal de San Ángel, brecha 3, 13-V-2006, 2,250 m snm, M. Torres; 1♀, Tepepan, colección Com. Geogr. Explor; Durango: 1♀, km 140 Durango-Mazatlán, 2-XI-1991, C. R. B.; 1♂, Los Mimbres, 6-VIII-1979, E. Barrera; 3♀♀8♂♂, Navío, 15-IV-1979, R. Zurbia; Estado de México: 1♀, 20 km al suroeste de Toluca, 10-IX-1985, J. Guzmán; 1♀, San Marcos, 1-VIII-1981, R. Zurbia; Guanajuato: 1♀, Jaral del Progreso, cerro Culiacán, 1-X-2008, 20¿20’29” N, 100¿58’24” O, 2,599 m snm, E. Barrera, H. Brailovsky, L. Cervantes; Hidalgo: 1♀, km 15 carretera Tasquillo-Golondrinas, 6-VIII-1988, H. Brailovsky; JALISCO: 2♀♀1♂, Las Playas Joyas, sierra de Manantlán, 16-VI-1986, V. Bedoy; 1♂, sierra de Manantlán, 18-XII-1985, V. Bedoy; Michoacán: 1♀, Jiquilpan km 23 Mazamitla-Jiquilpan, 25-VI-2013, 20¿00.686’N, 102¿54.272’ O, 2,092 m snm, L. Cervantes, D. Brzoska; 1♀3♂♂, Zacapu, La Virgen, rancho El Trébol, 19-III-2008, 19¿52’57” N, 101¿46’04” O, 2,000 m snm, M. Briceño; Morelos: 1♀, km 4 carretera Tres Marías-Lagunas de Zempoala, 18-X-2005, 19¿09’50” N, 99¿16’37” O, 2,600 m snm, R. Mariño; Nuevo León: 1♂, cerro El Potosí, 26-VIII-1977, 2,200 m snm, A. N. Mancia A; Oaxaca: 1♀1♂, km 156 carretera Oaxaca-Puerto Ángel, 15-VI-1982, E. Barrera; 2♀♀, río Molinos, 16-VI-1982, J. Butze; Puebla: 1♀, Canoa, 13-XI-1994, H. Brailovsky, E. Barrera; 1♀, Huachinango, 8-VII-1982, A. Ibarra; 1♀, San Bernardino, Lagunas, El Calvario, 2-XI-1988, A. Barba, E. Barrera, L. Cervantes; Querétaro: 1♀, carretera Jalpan-Pinal de Amoles, 5-XI-1997, 21¿11’696” N, 99¿37’849” O, 1,180 m snm, E. Barrera, G. Ortega; 4♀♀4♂♂, San Joaquín Las Ranas, 16-X-1997, 20¿55’28” N, 99¿33’53” O, 2,450 m snm, E. Barrera, H. Brailovsky; 5♀♀1♂, San Joaquín Las Ranas, 2-VII-1999, H. Brailovsky; 5♀♀5♂♂, Zona Arqueológica Las Ranas, 7-XI-1997, E. Barrera, G. Ortega; 1♀1♂, Zona Arqueológica Las Ranas, 7-XI-1998, 20¿55’540” N, 99¿33’910” O, E. Barrera, G. Ortega; Sinaloa: 1♀1♂, Palmito, 24-VI-1970, R. Hancock; Tlaxcala: 1♀, Apizaco, 23-VIII-2003, W. Sohn; Veracruz: 1♂, Catemaco, Las Margaritas, 16-VIII-1988, L. Cervantes, A. Cadena; 1♀, Cofre de Perote, 14-IX-1989, E. Barrera; 1♂, Perote, 12-IX-1988, E. Barrera, H. Brailovsky.

Al igual que en los casos anteriores, también existen problemas al sinonimizar especies diferentes. Bliven (1973) consideró a L. convivus Stål como sinónimo junior de L. succinctus (Linnaeus). Ambas especies comparten ciertas características, como pronoto y los hemiélitros, generalmente de color negro, pero existen claras diferencias en cuanto al patrón de coloración de las patas. En L. convivus únicamente los acetábulos son de color anaranjado o rojizo brillante u oscuro y el resto de las patas son de color negro, y en L. succinctus los acetábulos, coxas, trocánteres y mitad de los fémures son anaranjados (fig. 21); por lo que ambas especies son consideradas como válidas. Largus convivus se caracteriza por tener una coloración particular en la parte dorsal, donde los tonos anaranjados que presenta en los bordes anterior, anterolaterales, posterolaterales y posterior del pronoto, en la comisura claval, en el margen costal del corium y en el borde superior del conexivo, tienen cierto brillo anaranjado que ninguna otra especie presenta, y la cual contrasta con la mayoría de las estructuras que son de color negro. Además, esta especie se separa por tener los acetábulos anaranjados o rojizos brillante u oscuro y el resto de las patas —coxas, trocánteres, fémures, tibias y tarsos— completamente negros. Los parámeros son distintos a los de las demás especies.

Largus subligatus Distant (1880-1893):221.
Largus brunki Schmidt, 1931:1
Redescripción macho. Coloración dorsal. Cabeza, incluyendo los artejos antenales I-IV, ápice del tylus, pronoto, escutelo, clavus, corium, conexivo y segmentos dorsales del abdomen de color negro y con las siguientes áreas rojizo brillante o anaranjado rojizo oscuro: margen posterior del pronoto, ángulo basal interno del clavus, la comisura claval y el margen costal del corium; membrana del hemiélitro, incluyendo las venas, de color blanco y con el ángulo basal pardo oscuro (fig. 22). Coloración ventral. Cabeza, incluyendo los artejos rostrales I-IV, la buccula, el tórax, el peritremo osteolar, las patas, el abdomen y la cápsula genital de color negro.

Estructura. Ojos no protuberantes; lóbulo anterior del pronoto convexo y ligeramente más elevado que el lóbulo posterior; rostro alcanzando el borde posterior de la mesocoxa. Hemiélitro, alcanzando el segmento abdominal VI, o rebasando el ápice del abdomen. Parámeros de 0.8 mm de longitud y 0.2 mm de ancho en su parte media; gancho superior curvo y alargado, midiendo aproximadamente 0.4 mm en ambos parámeros; la forma en general es alargada y estilizada; lóbulo del lado derecho y debajo del gancho superior evidente; internamente con 2 espinas que convergen en forma de «U» muy separadas entre sí; lado izquierdo con una ligera curvatura a la altura del canal intermedio; costilla del lado derecho muy pronunciada (fig. 23).

Redescripción hembra. Coloración semejante al macho. Segmento conexival VIII y IX, segmentos dorsales del abdomen y las placas genitales de color negro.
Variación. 1. Borde superior del conexivo rojizo brillante. 2. Ápice del escutelo anaranjado rojizo oscuro. 3. Unión basal del artejo antenal I rojizo brillante. 4. Ápice del tylus rojo oscuro.
Tegumento. Cabeza, pronoto y escutelo densamente cubiertos por sedas largas y erectas tanto plateadas como negruzcas; clavus y corium con sedas negras medianas y erectas, así como sedas plateadas cortas adosadas a la superficie; artejo antenal I con sedas plateadas, excepto el tercio apical donde presenta sedas negras y plateadas expuestas y dirigidas hacia afuera; artejos antenales II y III con sedas plateadas o negras tanto adosadas a la superficie como dirigidas hacia afuera y hacia arriba; artejo antenal IV con finísimas sedas adosadas. Ventralmente la cabeza, el tórax y el abdomen densamente pilosos; acetábulos, margen posterior del metatórax y margen posterior de los esternitos abdominales III-V con densas sedas plateadas; esternitos abdominales III-VII, incluyendo la cápsula genital y las placas genitales de la hembra, densamente cubiertas con sedas largas y erectas, tanto plateadas como parduzcas; artejos rostrales I-IV con sedas plateadas; patas incluyendo las coxas, trocánteres, fémures, tibias y artejos tarsales con numerosas sedas plateadas y parduzcas, erectas, adosadas a la superficie y densamente compactadas. Cabeza, lóbulo anterior del pronoto, tórax y abdomen sin puntos; lóbulo posterior del pronoto, escutelo, clavus y corium, punteados.
Medidas. Macho (N = 3). Longitud del cuerpo 13.96 ± 0.36; longitud total de la cabeza 1.29 ± 0.05; distancia preocular 2.31 ± 0.05; distancia interocular 1.40 ± 0.03; artejos antenales I 2.91 ± 0.30, II 1.55 ± 0.06, III 1.01 ± 0.04, IV 2.51 ± 0.08; artejos rostrales I 1.10 ± 0.10, II 1.10 ± 0.05, III 1.10 ± 0.07, IV 0.60 ± 0.01; longitud total del pronoto 3.20 ± 0.13; anchura a través de los ángulos frontales 1.33 ± 0.17; anchura a través de los ángulos humerales 4.20 ± 0.25; escutelo, longitud total 1.53 ± 0.07, anchura 2.04 ± 0.16; longitud del fémur anterior 3.68 ± 0.48; tibia anterior 3.42 ± 0.14; longitud del fémur posterior 5.02 ± 0.46; tibia posterior 4.56 ± 1.37; tarsos I 1.15 ± 0.11, II 0.41 ± 0.06, III 0.56 ± 0.04.
Medidas. Hembra (N = 3). Longitud total del cuerpo 16.71 ± 0.81; longitud de la cabeza 1.49 ± 0.17; distancia preocular 2.57 ± 0.06; distancia interocular 1.62 ± 0.06; artejos antenales I 3.53 ± 0.14, II 1.69 ± 0.09, III 1.14 ± 0.10, IV 2.36 ± 0.19; artejos rostrales I 1.20 ± 0.14, II 1.22 ± 0.10, III 1.19 ± 0.08, IV 0.64 ± 0.02; longitud total del pronoto 3.80 ± 0.28; anchura a través de los ángulos frontales 1.47 ± 0.04; anchura a través de los ángulos humerales 5.17 ± 0.13; escutelo, longitud total 1.93 ± 0.15, anchura 2.37 ± 0.37; longitud del fémur anterior 4.43 ± 0.45; tibia anterior 3.85 ± 0.15; longitud del fémur posterior 5.67 ± 0.38; tibia posterior 6.18 ± 0.16; tarsos I 1.36 ± 0.26, II 0.41 ± 0.05, III 0.63 ± 0.07.
Distribución conocida. México: Nayarit (Tepic); Guerrero (Acapulco). Guatemala: (San Gerónimo y Tocoy) (Distant, 1880-1893; Hussey, 1929).
Material examinado. Nuevos registros (IBUNAM) (fig. 24). México: Chiapas: 2♀♀2♂♂, Reserva El Ocote, 2-10-XII-1993, G. Ortega, E. Barrera, A. Casasola; Durango: 1♀, El Salto, 17-X-1982, A. Ibarra; Estado de México: 1♀, municipio de Malinalco, Puente Caporal, 2-XII-2001, 18¿53’59” N, 99¿27’32” O, 1,503 m snm, C. Hernández; 4♀♀4♂♂, San Martín Otzoloapan, H. Brailovsky, E. Barrera; 1♀1♂, Santa Bárbara 5 km poniente de Santo Tomás de los Plátanos, 26-II-1993, H. Brailovsky, E. Barrera; 1♀, Santo Tomás de los Plátanos, 31-I-1991, H. y Ka. Brailovsky; 1♂, Valle de Bravo, 25-XI-2004, W. Sohn, 1♀, Valle de Bravo, 30-XII-2004, W. Sohn, F. Brailovsky; Guerrero: 1♂, Acahuizotla, 4-V-1982, H. Brailovsky; 1♀, Acahuizotla, 4,5-VI-1982, A. Ibarra; 1♀, Acahuizotla, 19-XI-1983, M. García; 1♀, Acahuizotla, 4,5-VI-1982, H. Delfín; 1♂, Acahuizotla, Barranca Palo Morado 3.23 km al noreste de Acahuizotla cerca de Las Juntas, 2-VII-2008, 17¿22’41.5” N, 99¿26’56.2” O, 950 m snm, S. Zaragoza; 1♀, Acapulco, 7-III-1977, R. Zurbia; 2♀♀, Alcozauca, IX-1984, F. Figueroa; 1♀, km 10 carretera Cacahuamilpa-Taxco (Acuitlapan), 12-VI-2001, H. Brailovsky, E. Barrera; 1♂, km 100 Coyuca de Catalán Zihuatanejo, 7-VI-1984, H. Brailovsky; 1♂, km 4 carretera Cacahuamilpa-Tonatico, 12-VI-2001, H. Brailovsky, E. Barrera; 3♂♂, km 8 carretera Chilpancingo Omiltemi, 29-I-1982, H. Brailovsky; 1♂, km 8 carretera Chilpancingo Omiltemi, 29-I-1982, A. Ibarra; 1♀, La Mira, Acapulco, 21-VII-1943, M. Cárdenas; 1♀, Zoyatepec, 16-XI-1983, M. García; 1♂, Zoyatepec, 16-XI-1983, M. García; Jalisco: 1♀, El Tuito km 15 a Chacala, 23-VI-2013, 0¿23.0’ N, 105¿25.7’ O, 290 m snm, L. Cervantes, D. Brzoska; 1♀2♂♂, Estación de Biología Chamela, 12-I-1975, H. Brailovsky; 1♀1♂, San Buenaventura, Amacahuatitlan, 5-VIII-1997, S. Zaragoza; Morelos: 1♂, Chalcatzingo, 11-XII-1986, H. Brailovsky; 3♀♀, municipio de Jojutla, IV-1988, M.A.G.A.; 1♀2♂♂, municipio Tepalcingo, CEAMISH, 18-III-2004, 18¿31’56” N, 98¿56’18” O, 1,210 m snm, R. Mariño; 1♀1♂, municipio Tepalcingo, cerro Corona, 24-VIII-2004, 18¿28’56.6” N, 98¿55’11.8” O, 1,508 m snm, V.H. Toledo; Oaxaca: 1♂, 3 km al suroeste de San Carlos Yautepec, 3-III-2000, 1,000 m snm, E. Barrera; 1♂, Huatulco Tangolunda, 30-VI-2009, W. Sohn, F. Brailovsky; 1♀, km 5 carretera El Camarón-San Carlos Yautepec, IX-2003, 930 m snm, H. Brailovsky, E. Barrera; 2♂♂, Miahuatlán km 75 Oaxaca-Miahuatlán, 11-X-2005, 16¿28’35” N, 96¿44’36” O, 1,460 m snm, L. Cervantes, E. Elizalde, R. Carranza; 1♀, Puerto Ángel, 23-VI-1987, Morón, Deloya, Delgado; 1♂, San Pedro Juchatengo 5 km al sur de Juchatengo, 16-VI-2013, 16¿18.682’ N, 97¿07.595’ O, 1,306 m snm, L. Cervantes, D. Brzoska; 9♀♀14♂♂, Totolapan km 90 Oaxaca-Tehuantepec, 8-X-2005, 16¿40’38” N, 96¿13’51” O, 1,251 m snm, L. Cervantes, E. Elizalde, R. Carranza; Puebla: 1♂, 6 km al norte de Tehuitzingo, 28-VI-1996, H. Brailovsky, E. Barrera; Veracruz: 1♀1♂, Estación de Biología Los Tuxtlas, 30-X-2007, 18¿36’ N, 95¿04’ O, R. Mariño.

Se caracteriza por ser una de las especies mexicanas más grandes, donde las hembras alcanzan un tamaño de hasta 16-17 mm y los machos 13-14 mm; la membrana del hemiélitro es blanquecina y el cuerpo está densamente cubierto de sedas blancas; en las especies restantes la pilosidad del cuerpo es más espaciada, la membrana del hemiélitro es negra o parda clara u oscura y nunca blanquecina. El examen minucioso de L. brunki y la comparación con ejemplares de L. subligatus permitió reconocer que ambas son idénticas en los caracteres antes mencionados —morfológicos y genitales—, por lo que en este estudio L. brunki es formalmente sinonimizado con L. subligatus.
Largus bipustulatus Stål
Largus bipustulatus Stål, 1861, 18:196.
Redescripción macho. Coloración dorsal. Cabeza, incluyendo los artejos antenales I-IV, tubérculos anteníferos, pronoto, escutelo, puntos pronotales, clavus, manchas centrales discoidales de gran diámetro en el corium y los segmentos dorsales del abdomen de color negro y con las siguientes áreas anaranjado rojizo: unión basal del artejo antenal I, ápice del tylus; collar, márgenes posterolaterales y posterior del pronoto, ápice del escutelo, clavus, corium, comisura claval, margen costal del corium y conexivo; membrana del hemiélitro, incluyendo las venas, pardo oscuro (fig. 25). Coloración ventral. Artejos rostrales I-IV, buccula, tórax, patas, peritremo osteolar y los esternitos abdominales de color negro y con las siguientes áreas anaranjado brillante: borde anterior de la buccula, borde inferior de los acetábulos y la mayor parte de las coxas, trocánteres y fémures; borde apical de los fémures negros; conexivo amarillo anaranjado; cápsula genital parda con reflejos anaranjados en la parte superior y lateralmente de color negro.

Estructura. Ojos claramente pedunculados; rostro alcanzando el borde posterior de la mesocoxa; lóbulo anterior del pronoto suavemente convexo, casi imperceptible y ligeramente más elevado que el lóbulo posterior. Hemiélitro, alcanzando la mitad o el margen posterior del segmento abdominal VI. Parámeros de 0.7 mm de longitud y 0.2 mm de ancho en su parte media; gancho superior ligeramente curvo y corto, midiendo aproximadamente 0.3 mm en ambos parámeros; la forma en general es robusta con un lóbulo muy pronunciado del lado izquierdo, así como bordes irregulares en la parte superior-izquierda; internamente se aprecian 2 espinas que no convergen como tal, la espina superior es triangular y la inferior es recta; canal intermedio ancho; costilla derecha con un pequeño lóbulo debajo del gancho superior (fig. 26).

Redescripción hembra. Coloración semejante al macho; segmentos dorsales del abdomen y placas genitales de color negro con reflejos anaranjados en la parte media; segmentos conexivales VIII y IX anaranjados.
Variación. 1. Collar, márgenes posterolaterales y posterior del pronoto, clavus, corium, comisura claval, margen costal del corium y conexivo de color amarillo-anaranjado o amarillo o blanquecino. 2. Membrana del hemiélitro pardo claro al igual que las venas o con las venas pardo oscuro o blanquecinas. 3. Fémur anaranjado con la porción apical cercana a la tibia y alrededor de un cuarto del total del fémur de color negro. 4. Ápice del tylus negro o anaranjado.
Tegumento. Cabeza densamente pilosa, cubierta por sedas plateadas adosadas a la superficie y algunas sedas negras erectas dirigidas al frente y cercanas al tylus; pronoto habitualmente cubierto únicamente en el lóbulo anterior por finas sedas plateadas; escutelo por lo general densamente cubierto por finas sedas plateadas; artejo antenal I con sedas negras erectas dirigidas hacia afuera y hacia arriba y finamente cubierto por sedas plateadas adosadas a la superficie; artejos antenales II y III con sedas negras erectas; artejo antenal IV con finísimas sedas plateadas. Ventralmente, la cabeza, el tórax y el abdomen densamente pilosos con sedas plateadas; margen anterior y posterior del mesotórax y margen posterior del metatórax densamente pilosos; esternitos abdominales, incluyendo el pigóforo y las placas genitales de la hembra densamente cubiertos lateral y ventralmente por finas sedas plateadas adosadas a la superficie y, además, en la parte ventral inferior con sedas erectas plateadas dirigidas hacia abajo; artejo rostral I con finas sedas plateadas; artejos rostrales II a IV con sedas erectas tanto negras como plateadas dirigidas hacia afuera; patas incluyendo las coxas, trocánteres, fémures, tibias y artejos tarsales con numerosas sedas plateadas y parduzcas adosadas a la superficie, erectas y densamente compactadas. Cabeza, lóbulo anterior del pronoto, tórax y abdomen sin puntos; lóbulo posterior del pronoto, escutelo, clavus y corium, punteados.
Medidas. Macho (N = 3). Longitud total del cuerpo 12.33 ± 0.69; longitud de la cabeza 1.28 ± 0.16; distancia preocular 2.33 ± 0.11; distancia interocular 1.44 ± 0.05; artejos antenales I 3.11 ± 0.22, II 1.63 ± 0.19, III 1.09 ± 0.10, IV 3.06 ± 0.06; artejos rostrales I 0.84 ± 0.16, II 1.10 ± 0.05, III 1.09 ± 0.10, IV 0.58 ± 0.08; longitud total del pronoto 3 ± 0.26; anchura a través de los ángulos frontales 1.31 ± 0.02; anchura a través de los ángulos humerales 3.65 ± 0.33; escutelo, longitud total 1.32 ± 0.21, anchura 1.91 ± 0.25; longitud del fémur anterior 3.60 ± 0.10; tibia anterior 3.48 ± 0.32; longitud del fémur posterior 4.56 ± 0.20; tibia posterior 4.89 ± 0.44; tarsos I 1.15 ± 0.21, II 0.42 ± 0.09, III 0.70 ± 0.22.
Medidas. Hembra (N = 3). Longitud total del cuerpo 15 ± 0.13; longitud de la cabeza 1.57 ± 0.07; distancia preocular 2.46 ± 0.02; distancia interocular 1.55 ± 0.03; artejos antenales I 3.77 ± 0.12, II 1.87 ± 0.04, III 1.26 ± 0.03, IV 2.93 ± 0.02; artejos rostrales I 1.11 ± 0.18, II 1.20 ± 0.06, III 1.28 ± 0.02, IV 0.60 ± 0.02; longitud total del pronoto 3.47 ± 0.14; anchura a través de los ángulos frontales 1.46 ± 0.13; anchura a través de los ángulos humerales 4.52 ± 0.13; escutelo, longitud total 1.69 ± 0.04, anchura 2.40 ± 0.21; longitud del fémur anterior 4.30 ± 0.23; tibia anterior 3.98 ± 0.10; longitud del fémur posterior 5.62 ± 0.27; tibia posterior 5.83 ± 0.23; tarsos I 1.23 ± 0.04, II 0.43 ± 0.03, III 0.68 ± 0.10.
Distribución conocida. Estados Unidos de América: Texas. México: Veracruz (Orizaba). América Central —no se mencionan datos específicos— (Distant, 1880-1893; Hussey, 1929; Stål, 1861, 1870).
Material examinado. Nuevos registros (IBUNAM) (fig. 27). México: Hidalgo: 1♀, Hidalgo, km 13 carretera Huejutla Atlapexco, 17-II-1999, 350 m snm, E. Barrera; Oaxaca: 1♂, km 55 carretera Tuxtepec municipio San Juan Bautista Valle Nacional, 2-XI-2001, A. Ibarra; 1♀, km 59 carretera Valle Nacional, 4-IX-1982, C. Márquez; 1♂, Valle Nacional San Mateo Yetla, 13-X-1990, E. Barrera, E. Ramírez, A. Cadena; 1♂, Valle Nacional San Mateo Yetla, 14-X-1990, E. Barrera, E. Ramírez, A. Cadena; 2♀♀, Vistahermosa, 1-VII-1995, 1,530 m snm, J. Blackaller, A. Pérez, A. Soria; Veracruz: 1♂, Los Tuxtlas, 5-VII-1988, C. Mayorga; 1♀, San Andrés Tuxtla, 9-VIII-1964; 1♀, Veracruz, San Andrés Tuxtla, 7-IX-1966, L. Vázquez; 1♂, Tapalapa, 24-VIII-80, P.G.E.; 1♀, Tapalapa, 24-VIII-80, P.G.E.

Largus bipustulatus Stål, al igual que L. maculatus Schmidt, posee un par de manchas negras en los hemiélitros; sin embargo, las manchas en Largus bipustulatus se ubican entre el corium y el clavus, son de mayor diámetro y generalmente esféricas u ovales, mientras que en L. maculatus son de la mitad del tamaño con un aspecto alargado o rectangular. Los parámeros difieren en ambas especies.
Largus longulus Stål
Largus longulus Stål, 1861:196.
Redescripción macho. Coloración dorsal. Cabeza, incluyendo los artejos antenales I-IV, pronoto, escutelo, clavus, corium con sus respectivos puntos y los segmentos dorsales del abdomen de color negro y con las siguientes áreas anaranjadas: tubérculos anteníferos, base del primer artejo antenal, collar, bordes anterolaterales y posterolaterales del pronoto, ápice del escutelo, sutura claval, margen costal del corium y conexivo; ápice del tylus anaranjado oscuro; membrana del hemiélitro, incluyendo las venas, anaranjadas, siendo pardo claro en la parte anterior y pardo oscuro en la posterior; tercio medio del corium con una franja transversal pardo claro u oscuro (fig. 28). Coloración ventral. Cabeza, tórax, peritremo osteolar, patas, abdomen y la cápsula genital de color negro, con las siguientes áreas anaranjadas: buccula, borde apical del tylus, borde anterior y posterior de la propleura, borde posterior de la metapleura y mitad inferior de los acetábulos; coxas negras y con reflejos anaranjado oscuro; artejos rostrales I-IV pardo oscuro con reflejos anaranjados.

Estructura. Ojos claramente pedunculados; rostro alcanzando el borde posterior de la mesocoxa; lóbulo anterior del pronoto suavemente convexo y ligeramente más elevado que el lóbulo posterior; lóbulo posterior del pronoto evidentemente más ensanchado que el lóbulo anterior del pronoto. Hemiélitro, alcanzando el margen posterior del segmento abdominal VII o rebasando el ápice del abdomen. Parámeros de 0.7 mm de longitud y 0.2 mm de ancho en su parte media; gancho superior perfectamente curvo y alargado, midiendo aproximadamente 0.4 mm en ambos parámeros; forma general ligeramente robusta y recta con una leve curvatura del lado izquierdo; internamente con 2 espinas que convergen en forma de «U»; canal intermedio muy ensanchado, abarcando casi un tercio del parámero; costilla derecha pronunciada; parte inferior de los parámeros acortada (fig. 29).

Redescripción hembra. Coloración semejante al macho, con los segmentos conexivales VIII y IX, los segmentos dorsales del abdomen VIII y IX, y las placas genitales incluyendo los paraterguitos negros.
Variación. 1. Lóbulo posterior del pronoto de color negro con reflejos anaranjados o anaranjado oscuro. 2. Membrana del hemiélitro parda claro-blanquecino con las venas pardo claro o blanquecinas o membrana parda con las venas del mismo color. 3. Peritremo osteolar negro con el ápice anaranjado. 4. Segmentos abdominales, incluyendo el pigóforo, de color pardo oscuro rojizo. 5. Clavus y corium, incluyendo la sutura claval y el margen costal del corium, anaranjado, pardo o rojizo. 6. Patas con una ligera coloración parduzca oscura. 7. Ápice del tylus negro o anaranjado o rojo oscuro.
Tegumento. Cabeza, densamente pilosa; pronoto cubierto por sedas negras largas y erectas dispuestas a lo largo del lóbulo anterior y lateralmente en el lóbulo posterior, o pocas sedas plateadas y negras cortas en el lóbulo anterior y pocas sedas laterales en el lóbulo posterior; escutelo, clavus y corium cubiertos por finas sedas plateadas adosadas a la superficie; artejo antenal I cubierto por finas sedas plateadas y pocas sedas negras erectas; artejos antenales II y III cubiertos por sedas plateadas y negras; artejo antenal IV cubierto por finísimas sedas plateadas; ventralmente, la cabeza, el tórax, el abdomen y las patas incluyendo las coxas, trocánteres, fémures, tibias y artejos tarsales, densamente cubiertos por sedas plateadas y negras; artejos rostrales I-IV con sedas plateadas adosadas a la superficie y algunas erectas; cabeza, lóbulo anterior del pronoto, tórax y abdomen sin puntos; lóbulo posterior del pronoto, escutelo, clavus y corium, punteados.
Medidas. Macho (N = 3). Longitud total del cuerpo 13.13 ± 0.87; longitud de la cabeza 1.34 ± 0.05; distancia preocular 2.30 ± 0.08; distancia interocular 1.43 ± 0.06; artejos antenales I 3.09 ± 0.16, II 1.60 ± 0.13, III 1.11 ± 0.11, IV 2.82 ± 0.25; artejos rostrales I 1.08 ± 0.02, II 1.07 ± 0.07, III 0.80 ± 0.16, IV 0.62 ± 0.02; longitud total del pronoto 3.10 ± 0.23; anchura a través de los ángulos frontales 1.21 ± 0.08; anchura a través de los ángulos humerales 3.93 ± 0.16; escutelo, longitud total 1.33 ± 0.14, anchura 1.96 ± 0.09; longitud del fémur anterior 3.82 ± 0.46; tibia anterior 3.38 ± 0.19; longitud del fémur posterior 4.94 ± 0.68; tibia posterior 5.32 ± 0.53; tarsos I 1.09 ± 0.13, II 0.35 ± 0.04, III 0.59 ± 0.03.
Medidas. Hembra (N = 3). Longitud total del cuerpo 14.96 ± 0.89; longitud de la cabeza 1.44 ± 0.13; distancia preocular 2.40 ± 0.10; distancia interocular 1.57 ± 0.06; artejos antenales I 3.07 ± 0.12, II 1.54 ± 0.05, III 1.06 ± 0.01, IV 2.57 ± 0.14; artejos rostrales I 1.14 ± 0.06, II 1.09 ± 0.06, III 0.97 ± 0.02, IV 0.64 ± 0.07; longitud total del pronoto 3.38 ± 0.10; anchura a través de los ángulos frontales 1.35 ± 0.07; anchura a través de los ángulos humerales 4.66 ± 0.13; escutelo, longitud total 1.79 ± 0.04, anchura 2.43 ± 0.14; longitud del fémur anterior 3.90 ± 0.13; tibia anterior 3.37 ± 0.28; longitud del fémur posterior 5.14 ± 0.09; tibia posterior 5.19 ± 0.37; tarsos I 1 ± 0.14, II 0.36 ± 0.03, III 0.54 ± 0.02.
Distribución conocida. México: (Ciudad de México), Yucatán (Valladolid) y Baja California. Costa Rica —sin datos específicos— (Distant, 1880-1893; Hussey, 1929; Stål, 1861, 1870).
Material examinado. Nuevos registros (IBUNAM) (fig. 30). México: Campeche: 1♀, Calakmul km 78 Escárcega-Xpujil, 31-V-2001, L. Cervantes, C. Mayorga; 1♂3♀♀, Escárcega, 4-VI-1982; Chiapas: 2♀, cañada de Muñiz, carretera Tuxtla Gutiérrez Chicoasén, 12-III-1993, G. Ortega, E. Barrera; 1♂, Chorreadero, 19-IV-1980, C. Beautelspacher; 1♀, Concordia km 13, Ángel Albino Corzo-Revolución Mexicana, 17-III-2007, 15¿58’15” N, 92¿47’54” O, 587 m snm, G. Ortega, C. Mayorga, L. Cervantes; 2♀♀1♂, Ocozocoautla, El Aguacero, 15-III-2007, 16¿45’31” N, 93¿31’30” O, 571 m snm, G. Ortega, C. Mayorga, L. Cervantes; 1♀, Reserva El Ocote, 2-10-XII-1993, G. Ortega, E. Barrera, A. Casasola; 1♀, Villa Corzo desviación a Nuevo Vicente Guerrero, 17-III-2007, 16¿04’25” N, 92¿56’48” O, 556 m snm, G. Ortega, C. Mayorga, L. Cervantes; Guerrero: 1♂, 2 km al noreste de Aguas Blancas, 30-III-2006, 17¿03’13” N, 100¿02’38” O, 61 m snm, E. Barrera; Oaxaca: 1♂, 9 km al suroeste de Teotepec, 11-IX-1985, G. Ekis; 1♂, Chacahua, 5-IV-1986, E. Barrera; 1♀, Huatulco Tangolunda, 30-VI-2009, F. Brailovsky, W. Shon; 1♀, km 120 carretera Sayula-Ventosa, 19-I-1985, M. Vértiz; 1♂, Tehuantepec, 22-IX-1955; 1♂, Tehuantepec, 2-V-1981, H. Brailovsky; Quintana Roo: 1♂1♀, Chetumal, 29-X-1981, E. Barrera; 1♂, Reserva Sian Ka’an, 10-X-1986, B. Alexander; Tamaulipas: 1♂, Adolfo López Mateos, «El Chamalito”, 14-IX-2003, L. Cervantes, Q. Santiago; Veracruz: 3♀♀, Estación Biológica El Morro de la Mancha, 20,21-XII-1998; Yucatán: 1♂, Chichen Itzá; 1♂, ruta 295 km 93 río Lagartos, 18-VI-1985, F. Arias.

Bliven (1973) consideró a L. longulus como sinónimo junior de L. succinctus. En este estudio son consideradas como especies válidas, ya que en L. longulus los individuos poseen una franja transversal pardo claro u oscura en el tercio medio del corium mientras que L. succinctus no presenta ninguna franja ni manchas de ningún tipo y el cuerpo es predominantemente negro con el margen costal del corium anaranjado. El cuerpo en L. longulus es generalmente pardo oscuro y los patrones de coloración no se asemejan a los de L. succinctus. Largus longulus se separa por tener una franja transversal parda claro u oscura en el tercio medio de los hemiélitros; el pronoto se divide claramente en 2 lóbulos con los bordes redondeados y con el lóbulo anterior de menor anchura que el posterior, por lo que el pronoto adquiere un contorno campanuliforme. En las demás especies de Largus, el pronoto es trapezoidal con los bordes rectos y sin una división tan clara como en esta especie. Los parámeros son distintos.
Largus maculatus Schmidt
Largus maculatus Schmidt, 1931:26
Redescripción macho. Coloración dorsal. Cabeza, incluyendo los artejos antenales I-IV negros, con los tubérculos anteníferos y la unión basal del artejo antenal I anaranjado oscuro; ápice del tylus anaranjado oscuro; pronoto, incluyendo las puntos de color negro y con los márgenes anterior, anterolaterales, posterolaterales y posterior anaranjado oscuro; lóbulo posterior del pronoto con reflejos anaranjados; escutelo negro; clavus, corium, comisura claval y el margen costal del corium amarillos con puntos negros; tercio medio del corium con 2 manchas transversales pequeñas de color negro; membrana del hemiélitro blanquecina con las venas pardas; conexivo negro con el margen superior amarillo (fig. 31). Coloración ventral. Incluyendo los artejos rostrales I-IV, las patas, el tórax y los esternitos abdominales de color negro, con las siguientes áreas anaranjado pálido: buccula, peritremo osteolar, borde inferior de los acetábulos, la mayor parte de los trocánteres y el tercio basal de los fémures; coxas negras con reflejos anaranjados; cápsula genital negra con una mancha central amarilla.

Estructura. Ojos pedunculados; rostro alcanzando el borde posterior de la mesocoxa; lóbulo anterior del pronoto suavemente convexo y ligeramente más elevado que el lóbulo posterior. Hemiélitro, alcanzando o rebasando el ápice del abdomen. Parámeros de 0.6 mm de longitud y 0.2 mm de ancho en su parte media; gancho superior ligeramente curvo y corto, midiendo aproximadamente 0.2 mm en ambos parámeros; forma general estilizada con un lóbulo pronunciado del lado izquierdo en forma de valle; internamente con 2 espinas que convergen en forma de «U»; canal intermedio no uniforme, ensanchándose de derecha a izquierda; costilla derecha pronunciada de manera regular (fig. 32).

Redescripción hembra. Coloración semejante al macho. Segmentos conexivales VIII y IX y segmentos dorsales del abdomen VIII y IX negros; placas genitales negras con los paraterguitos anaranjado pálido.
Variación. 1. Márgenes anterior, anterolaterales, posterolaterales y posterior, clavus, corium, comisura claval, margen costal del corium y margen superior del conexivo anaranjado brillante o anaranjado rojizo brillante o rojo oscuro o pardo rojizo; tercio medio del corium siempre con las manchas transversales pequeñas de color negro. 2. Ápice del escutelo anaranjado. 3. Lóbulo anterior del pronoto anaranjado y con 2 manchas negras sobresalientes. 4. Lóbulo posterior del pronoto anaranjado con los puntos negros. 5. Peritremo osteolar anaranjado rojizo brillante o amarillo. 6. Buccula negra con reflejos anaranjados o completamente anaranjada. 7. Ápice del tylus negro o anaranjado o rojo oscuro. 8. Patas incluyendo los acetábulos, enteramente negras o acetábulos, coxas, trocánteres, tercio basal y apical del fémur de color amarillo o anaranjado brillante. 9. Segmentos abdominales amarillos o anaranjado brillantes. 10. Pro-, meso- y metapleura anaranjado oscuro o anaranjado rojizo brillante. 11. Cápsula genital negra con 2 elipses centrales de color amarillo o anaranjado o anaranjado rojizo.
Tegumento. Cabeza, pronoto y escutelo densamente cubiertos por sedas plateadas; clavus y corium con algunas sedas plateadas adosadas a la superficie y dispersas; artejo antenal I con sedas plateadas, excepto el tercio apical donde se presentan sedas negras y plateadas expuestas y dirigidas hacia afuera y hacia arriba; artejos antenales II y III con sedas plateadas o negras tanto adosadas a la superficie como dirigidas hacia afuera y hacia arriba; artejo antenal IV con finísimas sedas. Ventralmente la cabeza, el tórax, el abdomen, las patas incluyendo las coxas, trocánteres, fémures, tibias y artejos tarsales, la cápsula genital del macho y las placas genitales de la hembra densamente pilosos; artejos rostrales I-IV con sedas plateadas adosadas a la superficie y algunas erectas. Cabeza, lóbulo anterior del pronoto, tórax y abdomen sin puntos; lóbulo posterior del pronoto, escutelo, clavus y corium, punteados.
Medidas. Macho (N = 3). Longitud total del cuerpo 10.33 ± 0.95; longitud de la cabeza 1.07 ± 0.04; distancia preocular 1.96 ± 0.05; distancia interocular 1.15 ± 0; artejos antenales I 2.36 ± 0.14, II 1.30 ± 0.07, III 0.82 ± 0.07, IV 2.06 ± 0.10; artejos rostrales I 0.89 ± 0.05, II 0.89 ± 0.07, III 0.92 ± 0.07, IV 0.53 ± 0.01; longitud total del pronoto 2.37 ± 0.08; anchura a través de los ángulos frontales 1.04 ± 0; anchura a través de los ángulos humerales 3.13 ± 0.19; escutelo, longitud total 1.30 ± 0.11, anchura 1.74 ± 0.15; longitud del fémur anterior 2.83 ± 0.33; tibia anterior 2.72 ± 0.12; longitud del fémur posterior 3.62 ± 0.35; tibia posterior 3.90 ± 0.34; tarsos I 0.97 ± 0.13, II 0.36 ± 0.03, III 0.51 ± 0.05.
Medidas. Hembra (N = 3). Longitud total del cuerpo 13 ± 0.66; longitud de la cabeza 1.19 ± 0.15; distancia preocular 2.19 ± 0.06; distancia interocular 1.37 ± 0.05; artejos antenales I 2.67 ± 0.05, II 1.44 ± 0.01, III 0.85 ± 0.08, IV 1.98 ± 0.19; artejos rostrales I 1.05 ± 0.01, II 1 ± 0.05, III 1.02 ± 0.09, IV 0.56 ± 0.03; longitud total del pronoto 2.78 ± 0.19; anchura a través de los ángulos frontales 1.17 ± 0.04; anchura a través de los ángulos humerales 4.12 ± 0.22; escutelo, longitud total 1.56 ± 0.05, anchura 2.28 ± 0.05; longitud del fémur anterior 2.90 ± 0.13; tibia anterior 3.02 ± 0.14; longitud del fémur posterior 4.18 ± 0.23; tibia posterior 4.41 ± 0.13; tarsos I 1.01 ± 0.21, II 0.35 ± 0.04, III 0.52 ± 0.02.
Distribución conocida. Estados Unidos de América: Arizona y Texas. México —sin datos específicos—. Costa Rica: Turrialba (San Carlos). Panamá: Zona del Canal (Gatun, Maddem Dam) e isla de Barro Colorado. Colombia: Bogotá (río Magdalena) (Henry, 1988; Schaefer y Stehlík, 2013; Schmidt, 1931).
Material examinado. Nuevos registros (IBUNAM) (fig. 33). México: Campeche: 1♀, Calakmul, Ruinas de Calakmul, 17-XI-2001, 200 m snm, L. Cervantes, H. Brailovsky, E. Barrera; Chiapas: 1♀, 16 km al noreste de Chiapa de Corzo, 2-VII-1981, E. M. Fisher; 1♂, Bonampak, 2-V-1978, H. Brailovsky; 1♂, Bonampak, 20-V-1984, M. García; 1♂, Ixhuatán, km 3 carretera Pozo Rosarito, 12-XII-1985, F. Arias, R. Barba, L. Cervantes; 1♂, km 125 Ixtapa-Tuxtla Gutiérrez, 12-XII-1985, 1♂, km 20 carretera Tapachula-Puerto Madero, 31-VIII-1985, H. Velazco; 5♂♂2♀♀, municipio Ocosingo, Chajul, Reserva Montes Azules, 28-IV al 5-V-1986/9-11-VII-1987, F. Arias, R. Barba, L. Cervantes; 1♀, municipio Ocosingo, Montes Azules, 9-11-VII-1987, R. Barba; 4♀♀, municipio Ocosingo, Santo Domingo, 24-26-VIII-1983, V. Hernández W.; 1♂, municipio San Cristóbal, L. C. 1 km al noroeste de Vista Hermosa, 23-X-1993, R. Jones; 3♀♀, noroeste de Unión Juárez, pendiente sur del volcán Tacaná, Chiquihuites, 14-18-XI-1994, 15¿05’ N, 92¿06’ O, 1,800-2,000 m snm, A.L. Norrbom, L.E. Carroll, C. Estrada; 1♀, río Santo Domingo, 6-IV-1979, E. Barrera; 1♀, Tapachula, X-1942, M. Kuri; 1♀, Tapachula, La Chinita, 19-III-1985, M. Vértiz; Guerrero: 1♀, Acahuizotla, 22-VI-1982, M. García; 1♂, Iguala, 21-IX-1970, H. Brailovsky; 1♂, Tecpan, 17-VIII-1971, H. Brailovsky; 1♀, Tecpan de Galeana, 20-VI-2010, 17¿13’15” N, 100¿37’47” O, 40 m snm, L. Cervantes, D. Brzoska; Hidalgo: 2♂♂, km 11 carretera Huejutla-Atlapexco, 04-VIII-1999, 21¿03’95” N, 98¿22’66” O, 420 m snm, E. Barrera; 1♀, km 116 carretera Molango-Huejutla, 4-VIII-1999, E. Barrera; 2♀♀, km 13 carretera Huejutla, 17-II-1999, 380 m snm, E. Barrera; 1♂, km 13 carretera Huejutla-Atlapexco, 17-II-1999, 350 m snm, E. Barrera; 3♀♀3♂♂, km 16 carretera Calnali-Coyula, 26-XI-1998, 800 m snm, H. Brailovsky, E. Barrera; 1♂1♀, km 17 desviación Huejutla-Atencuapa, 11-III-1999, 21¿02’087” N, 98¿22’547” O, 250 m snm, H. Brailovsky, E. Barrera; 1♀, km 186 carretera Ixtlahuaco-Huejutla, 30-VIII-1999, 29¿03’38” N, 98¿33’76” O, 780 m snm, E. Barrera; 1♂1♀, km 8 desviación Huejutla de Reyes Atlapexco, 10-III-1999, 21¿04’025” N, 98¿22’819” O, 440 m snm, H. Brailovsky, E. Barrera; 15♀♀7♂♂, km 9 carretera Huejutla-Atlapexco, 28-VIII-1999, 21¿03’84” N, 98¿22’88” O, E. Barrera; 2♀♀3♂♂, Otongo, 14,15-VI-1980, L. Rivera; Jalisco: 2♂♂, Estación de Biología Chamela, 7-VII-1990, G. Ortega, C. Mayorga; Nuevo León: 2♀♀, km 23 carretera Linares-San Roberto, 26-IX-1983, M. García; 2♂♂, ladera este del Cerro de la Silla, Guadalupe, N. L., 15-IV-1976, A. N. García A.; 1♀, Monterrey, 20-III-1976, P. Patton; 1♀, municipio de Santiago, El Yerbaniz, 22-XI-1986, A. Contreras; Oaxaca: 1♂, El Charquito, 19-VI-1982, A. Ibarra; 1♀, km 41 carretera Puerto Escondido-Sola de Vega, 4-VII-1990, 855 m snm, E. Barrera, A. Cadena; 1♂, municipio Valle Nacional, 10-III-1978, H. Brailovsky; 3♂♂2♀♀, municipio Valle Nacional, San Mateo Yetla, 12-X-1990, E. Ramírez, E. Barrera, A. Cadena; 1♀, Piedra de Lumbre, 3-VI-1985, E. Mariño; 1♂2♀♀, Pluma Hidalgo, 16-X-1985, E. Barrera; 1♂, Pluma Hidalgo, 11-XI-1987, E. Barrera; 1♀, Pluma Hidalgo, desviación a Pluma Hidalgo, 10-X-2005, 15¿57’38” N, 96¿27’31” O, 1,000 m snm, L. Cervantes, E. Elizalde, R. Carranza; 1♀, Pluma Hidalgo, Azulillo, 10-X-2005, 15¿53’27” N, 96¿29’32” O, 343 m snm, L. Cervantes, E. Elizalde, R. Carranza; 2♂♂, Portillo del Rayo, 7, 8-III-1995, 15¿58’822” N, 96¿30’982” O, 4,500 m snm, G. Ortega, E. Barrera; 1♀, Portillo del Rayo, 19-IV-1983, A. Ibarra; 1♀, Candelaria Loxicha, Portillo del Rayo, Finca El Encanto, 25-XI-2012, 15¿58’41” N, 96¿31’43” O, 1,600 m snm, L. Cervantes; 1♂, Puerto Escondido, 23-XI-1985, E. Barrera; 1♂, Putla de Guerrero, 17-VI-2010, 17¿02’58” N, 97¿57’09” O, 761 m snm, L. Cervantes, D. Brzoska; 1♂3♀♀, San Mateo Yetla, 23-IX-1989, A. Cadena; 1♀, Sierra de Juárez, Metates, 16-IX-1982, 1,600 m snm, A. Ibarra; Puebla: 1♂, Esperanza, 24-III-1977, H. Brailovsky; 1♂, km 5 Pahuatlán, La Cruz, 5-VIII-1995, H. Brailovsky; 1♂, Pahuatlán, 24-IX-1994, H. Brailovsky, J. Chemazak; 1♂, Pahuatlán, km 7 Pahuatlán-Honey (bosque mesófilo), 22-V-2008, 20¿16’25” N, 98¿10’34” O, 1,402 m snm, L. Cervantes, H. Brailovsky, E. Barrera; 1♂2♀♀, Pahuatlán, microondas Monte Llano (bosque mesófilo), 21-V-2008, 20¿18’21” N, 98¿08’07” O, 1,537 m snm, L. Cervantes, H. Brailovsky, E. Barrera; 1♀, Xicotepec de Juárez, La Unión, 14-XI-2008, H. Brailovsky; Quintana Roo: 1♂, Felipe Carrillo Puerto, 26-XII-1982, W. Canul; 1♀, Felipe Carrillo Puerto, Buenavista, 22-VI-1989, A. Cadena, L. Cervantes; San Luis Potosí: 1♀, Chapulhuacán en Tamazunchale, 10-IV-1980, H. Brailovsky; 1♀, Matlapa, 25-VI-2010, 21¿19.8’ N, 98¿49.3’ O, 167 m snm, D. Brzoska; 1♂, Micos, Ciudad Valles, 7-XI-1980, G. Figueroa; 1♂, Tamazunchale, 21-V-1975, H. Brailovsky; 4♂♂, Tamazunchale, 27-V-1975, H. Brailovsky; 1♀, Tamazunchale, 4-V-1976, J. Butze; 1♂, Vega Larga, 6 km antes de Tamazunchale, 21-V-1975, E. Barrera; Tamaulipas: 1♂, Adolfo López Mateos «El Chamalito», 14-IX-2003, L. Cervantes, Q. Santiago; 1♀, Ejido La Libertad, 7-X-1985, F. Arias; 2♀♀, Gómez Farías, 4-X-1985, M. García, F. Arias; 1♂1♀, Gómez Farías, km 20, Joya de Manantiales-Ocampo, 19-IX-2001, A. Sánchez, I. Pacheco, L. Cervantes; 1♂, Gómez Farías km 5 a Julilo, 13-IV-2003, 23¿08’05” N, 99¿10’35” O, I. Pacheco, L. Cervantes; 1♂, Gómez Farías camino a Julilo, 9-X-2002, L. Cervantes, L. Delgado; 1♂, Gómez Farías, Guadalupe Victoria, 11-X-2002, L. Cervantes, L. Delgado; 1♀, Gómez Farías, La Libertad-Julilo, 27-III-2001, 310 m snm, L. Cervantes, N. Peñaloza; 1♀, km 22 carretera Soto La Marina, La Presa, 8-X-1985, F. Arias; 1♂, río Los Troncones, Ciudad Victoria, Tamaulipas, 25-IV-2004, Gamaliel Guevara; Veracruz: 2♂♂1♀, 2 km al norte de San Isidro, carretera Xalapa-Palmasola, 29-IV-2000, E. Barrera, A. Ibarra, 1♀, El Tajín, 19-XII-1979, H. Brailovsky; 1♀, San Andrés Tuxtla, 12-IV-1975, H. Pérez; 1♀, Los Tuxtlas, 22-VII-1972, H. Brailovsky.

Esta especie guarda similitud con L. bipustulatus Stål; ambas poseen un par de manchas negras en los hemiélitros. Las manchas en L. bipustulatus están ubicadas entre el corium y el clavus, son mayores y, generalmente esféricas u ovales; mientras que en L. maculatus Schmidt las manchas son de la mitad del tamaño de las de L. bipustulatus, son alargadas o rectangulares y siempre en la misma posición del cuerpo. Los parámeros difieren de igual manera (figs. 26 y 32). La variación cromática de L. maculatus es conspicua como se aprecia en la sección de variación y en las fotografías que acompañan al texto, sin embargo, el par de manchas negras en el tercio medio del corium permite reconocer a esta especie junto con la forma de los parámeros.
Largus maculiventris Schmidt
Largus maculiventris Schmidt, 1931:25
Redescripción macho. Coloración dorsal. Cabeza, incluyendo los artejos antenales I-IV, un par de manchas en el lóbulo anterior del pronoto, escutelo y los puntos del pronoto, clavus y corium de color negro y con las siguientes áreas amarillas: tubérculos anteníferos, unión basal del artejo antenal I, ápice del tylus, collar, márgenes anterior, anterolaterales, posterolaterales y posterior del pronoto, y clavus y corium; lóbulos del pronoto de color anaranjado oscuro y ápice del escutelo anaranjado brillante; conexivo con la mitad inferior negra y la superior amarilla; segmentos dorsales del abdomen negros; membrana del hemiélitro parda con las venas de color negro (fig. 34). Coloración ventral. Cabeza, incluyendo los artejos rostrales, tórax, porción basal del peritremo osteolar y patas de color negro y con las siguientes áreas anaranjadas: buccula, collar, margen posterior de la metapleura, tercio apical del peritremo osteolar; borde inferior de los acetábulos, coxas, trocánteres, tercio basal y borde apical de los fémures y la unión basal de las tibias de color amarillo con reflejos parduzcos; pro-, meso- y metatórax con manchas anaranjadas de gran tamaño que cubren casi por completo cada pleurito; segmentos abdominales anaranjados; pigóforo pardo con 2 manchas elipsoidales centrales amarillas y 2 pequeños puntos negros (fig. 35).


Estructura. Ojos pedunculados; rostro alcanzando el borde posterior de la mesocoxa; lóbulo anterior del pronoto suavemente convexo y ligeramente más elevado que el lóbulo posterior. Hemiélitro, alcanzando el ápice del abdomen, sin rebasarlo. Parámeros de 0.6 mm de longitud y 0.2 mm de ancho en su parte media; gancho superior curvo y corto, midiendo aproximadamente 0.25 mm en ambos parámeros; forma general estilizada con un lóbulo hacia el lado izquierdo; internamente con 2 espinas que convergen en forma de «U»; canal intermedio no uniforme, ensanchándose de derecha a izquierda; lóbulo del lado derecho, debajo del gancho superior; costilla derecha normalmente pronunciada (fig. 36).

Redescripción hembra. Coloración semejante al macho, con los segmentos conexivales VIII y IX y los segmentos dorsales del abdomen VIII y IX negros; esternito abdominal VII anaranjado rojizo oscuro, con el margen pleural amarillo; segmentos abdominales anaranjado-rojizos; placas genitales incluyendo los paraterguitos, anaranjado oscuro.
Variación. 1. Ápice del tylus anaranjado oscuro. 2. Tubérculos anteníferos, unión basal del artejo antenal I, ápice del tylus, collar, márgenes anterior y anterolaterales, buccula, acetábulos, coxas, trocánteres, tercio basal y borde apical de los fémures y la unión basal de las tibias, esternitos abdominales, placas genitales de la hembra y pigóforo del macho, al igual que las manchas presentes en los pleuritos del pro-, meso- y metatórax, de color rojo oscuro o anaranjado rojizo brillante. 3. Lóbulo anterior del pronoto con las 2 manchas negras características y el espacio entre ellas rojizo oscuro que asemeja un pronoto enteramente negro. 4. Lóbulos anterior y posterior del pronoto, clavus y corium color pardo oscuro o anaranjado, o bien anaranjado rojizo brillante. 5. Escutelo enteramente anaranjado con puntos negros.
Tegumento. Cabeza y lóbulo anterior del pronoto densamente pilosos; lóbulo posterior con pocas sedas plateadas adosadas a la superficie en la parte lateral y posterior; escutelo con muy pocas sedas; clavus y corium cubiertos por finas sedas plateadas espaciadas entre sí; artejo antenal I cubierto por sedas plateadas adosadas a la superficie y pocas sedas negras erectas dirigidas hacia arriba y hacia afuera; artejos antenales II y III cubiertos por sedas plateadas y negras; artejo antenal IV cubierto por finísimas sedas plateadas; ventralmente, la cabeza densamente pilosa; tórax y abdomen cubierto por sedas plateadas; patas incluyendo las coxas, trocánteres, fémures, tibias y artejos tarsales, cubiertos por sedas plateadas adosadas a la superficie y, además, por sedas negras y plateadas largas y erectas dirigidas hacia afuera; artejos rostrales I-IV con sedas plateadas; cabeza, tórax y abdomen sin puntos; lóbulos anterior y posterior del pronoto, escutelo, clavus y corium, punteados.
Medidas. Macho (N = 3). Longitud total del cuerpo 11.08 ± 0.14; longitud de la cabeza 1.12 ± 0.09; distancia preocular 1.98 ± 0.05; distancia interocular 1.24 ± 0.03; artejos antenales I 2.41 ± 0.06, II 1.35 ± 0.11, III 0.87 ± 0.05, IV 2.04 ± 0.09; artejos rostrales I 0.96 ± 0.05, II 0.96 ± 0.07, III 0.84 ± 0.1, IV 0.57 ± 0.1; longitud total del pronoto 2.58 ± 0.08; anchura a través de los ángulos frontales 1.11 ± 0.07; anchura a través de los ángulos humerales 3.65 ± 0.13; escutelo, longitud total 1.46 ± 0.14, anchura 2.18 ± 0.31; longitud del fémur anterior 3.13 ± 0.2; tibia anterior 2.72 ± 0.06; longitud del fémur posterior 3.67 ± 0.04; tibia posterior 3.93 ± 0.09; tarsos I 0.91 ± 0.09, II 0.33 ± 0.03, III 0.53 ± 0.01.
Medidas. Hembra (N = 3). Longitud total del cuerpo 13.96 ± 1.61; longitud de la cabeza 1.29 ± 0.19; distancia preocular 2.25 ± 0.08; distancia interocular 1.42 ± 0.13; artejos antenales I 2.73 ± 0.23, II 1.47 ± 0.06, III 0.96 ± 0.06, IV 2.11 ± 0.03; artejos rostrales I 1.09 ± 0.12, II 1.08 ± 0.2, III 1.02 ± 0.1, IV 0.58 ± 0.05; longitud total del pronoto 3.22 ± 0.38; anchura a través de los ángulos frontales 1.20 ± 0.02; anchura a través de los ángulos humerales 4.70 ± 0.48; escutelo, longitud total 1.64 ± 0.21, anchura 2.46 ± 0.25; longitud del fémur anterior 3.22 ± 0.2; tibia anterior 3.18 ± 0.06; longitud del fémur posterior 4.36 ± 0.22; tibia posterior 4.64 ± 0.2; tarsos I 0.94 ± 0.08, II 0.31 ± 0.02, III 0.48 ± 0.03.
Distribución conocida. México (Chiapas). Costa Rica (San Carlos, Turrialba) (Schmidt, 1931).
Material examinado. Nuevos registros (IBUNAM, INECOL) (fig. 37). México: Campeche: 2♂♂1♀, Calakmul, 17-XI-2001, 200 m snm, E. Barrera, L. Cervantes, H. Brailovsky; 2♀♀, Escárcega, 28-V-2001, C. Mayorga, L. Cervantes; 1♀, poblado de Zoh-Laguna, 17-II-1998, 18°35’21.3” N, 89°25’7” O, A. Casasola, T. Martínez, R. López; 1♀, Xpujil 30 km rumbo a Guatemala, 20-III-1982, A. Ibarra; Chiapas: 1♀, Huitiupán, 18-II-1987, M. García; 1♀, Ixhuatán km 3 carretera Pozo Rosarito, 12-XII-1985, F. Arias, R. Barba, L. Cervantes; 1♀, km 43 carretera Bochil-Simojovel, 17-II-1987, V. Hernández; 2♂♂1♀, km 45 carretera Chiapas-San Cristóbal; 5-IV-1979, E. Barrera; 1♂, La Trinitaria, 20-II-1987, V. Hernández; 1♀, Reserva El Ocote, 2-10-XII-1993, G. Ortega, E. Barrera, A. Casasola; Estado de México: 1♀, 3 km al este de Tonatico, 11-XI-2000, H. Brailovsky, E. Barrera; 2♀♀1♂, Bejucos, desviación a Acamuchitlán, 16-XI-2006, 18°51’31” N, 100°16’42” O, 928 m snm, G. Ortega, C. Mayorga, L. Cervantes; 1♀, Chalma, 29-XI-1980, H. Brailovsky; 1♂, Grutas de la Estrella, 21-XI-2003, 18°44’8” N, 99°37’2” O, 1,630 m snm, L. Cervantes, T. J. Henry, H. Brailovsky; 1♀, Malinalco, 9-XII-1978, G. Ortega; 1♀, San Diego Alcalá, 7-XI-2000, H. Brailovsky, E. Barrera; 1♀, Toluca, 15-VII-1973, H. Brailovsky; 1♀, Valle de Bravo, 27-XI-1969, H. Brailovsky; 1♂, Valle de Bravo, 30-I-2005, W. Sohn; Guerrero: 2♀♀2♂♂, 4 km al norte de Acuitlapan, 22-XI-2005, 18°36’18” N, 99°32’02” O, 1,405 m snm, H. Brailovsky, E. Barrera; 24♂♂24♀♀, 5 km al sur de Pilcaya, 8-10-XI-2000, 1,250 m snm, E. Barrera, H. Brailovsky; 2♀♀, 5 km al sur de El Mogote, 20-XI-2003, 18°49.6’ N, 99°42.7’ O, 1,550 m snm, H. Brailovsky, T. Henry; 4♀♀1♂, 5 km al sureste de Pilcaya, 10-XI-2000, 1,300 m snm, E. Barrera, H. Brailovsky; 9♀♀5♂♂, Acatempan, 4-II-1989, E. Barrera, L. Cervantes, A. Cadena; 1♀1♂, Apaxtla, 5-III-1987, L. Cervantes; 3♂♂1♀, Atlixtac, km 39 Chilapa-Tlapa, 11-XII-2006, 17°35’47” N, 99°01’06” O, 1,425 m snm, L. Cervantes, C. Mayorga; 3♀♀1♂, Cacahuamilpa, 7-X-2000, H. Brailovsky; 1♀, Chichihualco, km 22 a Filo de Caballo, 5-IV-2013, 17°46’35” N, 99°42’21” O, 1,753 m snm, L. Cervantes, C. Mayorga; 1♀1♂, Chichihualco km 29 a Filo de Caballo, 5-IV-2013, 17°44’24” N, 99°44’00” O, 1,907 m snm, L. Cervantes, C. Mayorga; 1♀1♂, Chilapa km 18.5 Chilapa-Ahuacoatzingo, 10-XII-2006, 17°41’03” N, 99°03’49” O, 1,623 m snm, L. Cervantes, C. Mayorga; 5♀♀4♂♂, Chilapa, km 4 Chilapa-Tejapa, 9-XII-2006, 17°37’19” N, 99°09’59” O, 1,375 m snm, L. Cervantes, C. Mayorga; 1♀, Chilpancingo km 1.5 a Alquitrán, 6-IV-2013, 17°26’43” N, 99°29’06” O, 1,407 m snm, L. Cervantes, C. Mayorga; 1♀1♂, Chilpancingo km 10 Chilpancingo-Tixtla, 9-XII-2006, 17°32’51” N, 99°26’51” O, 1,638 m snm, L. Cervantes, C. Mayorga, 2♀♀1♂, Chilpancingo, El Ocotito, km 5 a Zoyatepec, 20-XI-2006, 17°16’17” N, 99°32’58” O, 697 m snm, L. Cervantes, C. Mayorga; 1♀, Eduardo Neri km 5 Mezcala-Mazapa, 11-XI-2005, 17°53’52” N, 99°39’33” O, 114 m snm, L. Cervantes; 1♀, estación de microondas, Tuxpan, 4-II-1989, 1,750 m snm, E. Barrera, L. Cervantes, A. Cadena; 1♀, Iguala Tiuribe, estación de microondas, 24-XI-1984, H. Brailovsky; 1♀, Iguala, estación de microondas, Tuxpan, 14-XII-1986, E. Barrera; 4♀♀4♂♂, Iguala, estación de microondas, Tuxpan, 8-XII-2006, 18°23’29” N, 99°28’22” O, 1,697 m snm, L. Cervantes, C. Mayorga; 1♀, Iguala, San Juan de la Unión, 12-XI-2005, 18°25’25” N, 99°36’48” O, 1,115 m snm, L. Cervantes; 1♂, Iguala, Teucizapan, 6-III-1987, H. Brailovsky; 1♀, km 10 carretera Taxco-Ixcateopan la Cascada, 28-II-2008, H. Brailovsky, E. Barrera; 6♂♂1♀, km 109 carretera Taxco-Iguala, 3-II-1989, E. Barrera, L. Cervantes, A. Cadena; 2♀♀, km 13 al sur de La Concepción (Pilcaya), 20-XI-2003, 18°59’ N, 99°40’ O, 1,400 m snm, H. Brailovsky, T. Henry; 1♀, km 14 Huitzuco-Atenango del Río, 14-X-2006, 18°15’24” N, 99°14’55” O, 1,292 m snm, L. Cervantes, C. Mayorga; 7♂♂5♀♀, km 67 carretera Taxco-Alpuyeca, 20-XI-1984, H. Velasco, F. Arias, M. Vértiz, H. Brailovsky; 3♀♀, km 93 Iguala, Ciudad Altamirano, 23-IX-1984, M. García, M. Vértiz; 3♀♀, San Luis Acatlán km 58 Tlapa-San Luis Acatlán, 12-XII-2006, 17°12’46” N, 98°38’48” O, 2,160 m snm, L. Cervantes, C. Mayorga; 1♂, San Luis Acatlán km 79 Tlapa-San Luis Acatlán, 12-XII-2006, 17°06’09” N, 98°43’59” O, 2,038 m snm, L. Cervantes, C. Mayorga; 1♂, Taxco, El Huixteco, III-1989, L. Cervantes; 1♀, Tecalpulco, 10-XII-1988, J. Bueno, E. Barrera, H. Brailovsky; 2♀♀1♂, Teloloapan, 22-X-1983, E. Barrera; 2♂♂1♀, Teucizapan, 3-II-1989, L. Cervantes; 1♀, Tlalixtaquilla, km 4 La Luz de Juárez-Alcozauca, 16-X-2006, 17°31’30” N, 98°22’04” O, 1,418 m snm, L. Cervantes, C. Mayorga; 3♀♀, Tlapa km 15 carretera Tlapa-Chilapa, 11-XII-2006, 17°32’48” N, 98°40’17” O, 1,471 m snm, L. Cervantes, C. Mayorga; 1♀, Tlapa km 29 Tlapa-San Luis Acatlán, 12-XII-2006, 17°23’39” N, 98°37’52” O, 1,897 m snm, L. Cervantes, C. Mayorga; 1♀, Zumpango del Río km 5 a Huitziltepec, 11-XI-2005, 17°43’09” N, 99°29’56” O, 1,437 m snm, L. Cervantes; Hidalgo: 3♀♀, km 8 desviación Huejutla de Reyes Atlapexco, 10-III-1999, 21°04’25” N, 98°22’819” O, 440 m snm, H. Brailovsky, E. Barrera; 1♂1♀, km 9 desviación Huejutla de Reyes Atlapexco, 28-VIII-1999, 21°03’84” N, 98°22’88” O, E. Barrera; Jalisco: 2♀♀, Chapala, 20-22-XII-1988, H. Brailovsky; 4♀♀, Estación de Biología Chamela, 3-XII-1976, H. Brailovsky; 1♂, río Cuitzmala, 20-I-1989, E. Ramírez; Michoacán: 1♀, Aputzio de Juárez, 12-13-II-1984, E. Barrera; Morelos: 1♀, Atotonilco, IX-2010, A. Reyes; 1♀1♂, Cacahuamilpa, 18-XII-2005, H. Brailovsky; 1♀1♂, Chalcatzingo, 11-XII-1986, H. Brailovsky; 1♀1♂, Cuautla, 2-XII-1973, H. Brailovsky; 2♀♀, Cuernavaca, 16-III-1974, H. Brailovsky; 1♀1♂, Huaxtla, 27-IX-2008, 1,188 m snm, J. G. Martínez, 1♀, Oaxtepec, 21-I-1979, H. Brailovsky; 3♀♀, Tepozteco, 13-II-1978, G. Ortega; 1♀, Tepozteco, 7-I-1940, D. Peláez, 4♀♀4♂♂, Tepoztlán, 26-III-1974, H. Brailovsky; 1♀1♂, Tepoztlán, 3-IV-1981, H. Brailovsky; 1♀1♂, Tepoztlán 20-II-1977, E. Barrera; 2♀♀, Tlaquiltenango, 31-X-2008, 716 m snm, J. G. Martínez, J. Viveros, V. Reza; 1♀, Xochicalco, 1-XII-1989, H. Brailovsky; Nuevo León: 1♀, Campo Apodaca, 19 km al noreste de Monterrey, 1-X-1984, R. Anaya; Oaxaca: 1♀, 3 km al suroeste de San Carlos Yautepec, 3-III-2000, E. Barrera; 1♀, 40 km al sur de Pinotepa, 22-X-1982, 65 m snm, H. Brailovsky; 3♂♂, Oaxaca, Candelaria Loxicha, Portillo del Rayo, El Encanto, 25-XI-2012, 15°58’41” N, 96°31’43” O, 1,600 m snm, L. Cervantes, 4♀♀1♂, km 116 carretera Tuxtepec-Palomares, 22-XI-1990, E. Barrera, A. Cadena; 1♀, km 15 carretera Tehuantepec-El Camarón, 14-VII-2000, E. Barrera, C. Mayorga; 2♀♀1♂, Monte Albán, 29-I-1988, E. Barrera, A. Cadena, E. Ramírez; 1♀, Monte Albán, 25-X-2007, 17°03’03.7” N, 96°45’49.8” O, 1,898 m snm, R. Mariño; 1♂1♀, Pluma Hidalgo, 22-XI-1985, E. Barrera; 2♂♂, Portillo del Rayo, 10-II-1982, M. García; 1♀, Portillo del Rayo, 31-I-1988, E. Barrera, A. Cadena, E. Ramírez; 1♀, Portillo del Rayo, 5 km al sur de Jalatengo. carretera 175 Oaxaca-Puerto Ángel, 21-X-1982, E. Barrera; 1♂, San José Pacífico, 31-XI-1987, E. Barrera; 1♂, Temascal, 30-I-1976, H. Brailovsky; 2♂♂, Teotilalpam, río Santo Domingo, 17-III-1988, 100 m snm, L. Cervantes; 1♀, Totolapan km 90 Oaxaca-Tehuantepec, 8-X-2005, 16°40’38” N, 96°13’51” O, 1,251 m snm, L. Cervantes, E. Elizalde, R. Carranza; 1♀, Tuxtepec, 10-XI-1974, 60 m snm, H. Brailovsky; Puebla: 3♀♀, 2 km al sur de la Trinidad, Atlixco, 28-I-1995, E. Barrera, G. Ortega; 1♀, Atlixco, 11-XI-2009, H. Brailovsky, E. Barrera; 2♀♀1♂, Chiautla kms 8 y 16 Chiautla-Chila de la Sal, Agua Dorada, 15-X-2006, 18°13’42” N, 98°33’59” O, C. Mayorga, L. Cervantes; 1♂, km 1 límite Morelos-Puebla, carretera Cuautla-Izúcar de Matamoros, 26-I-1995, E. Barrera, G. Ortega; 1♂1♀, km 15 carretera Tehuacán-La Esperanza, 16-XI-2003, E. Barrera; 1♂, km 78 Cuautla-Oaxaca, 30-X-1987, F. Arias, R. Barba, E. Barrera; 1♂1♀, La Trinidad, Atlixco, 5-II-1994, 1,680 m snm, E. Barrera, C. Mayorga; 4♂♂, Yohualichan, 7-II-1986, H. Brailovsky, E. Barrera; Querétaro: 1♀, Zona Arqueológica Las Ranas, 7-XI-1997, E. Barrera, G. Ortega; Quintana Roo: 2♀♀, 7 km al oeste de Vigía Chico, 20-II-1984, A. Ibarra; 1♀, Chetumal, XII-1979, J. Aguilar; 1♂1♀, Felipe Carrillo Puerto, 27-XII-1982; W. Canul; 1♂1♀, Tulum, 31-XI-1981, E. Pech; San Luis Potosí: 1♂, río Micos, 13-IV-1980, H. Brailovsky; 4♂♂, Tamazunchale, 21-27-V-1975, H. Brailovsky; SONORA: 1♀, antena microondas, Nahuila, cerca de San Javier, 14-X-2004, 28°36’41.56” N, 109°45’23.1” O, 1,318 m snm, E. González; 2♂♂2♀♀, Rosario de Tesopaco, kms 31, 33 y 60, 4-V-2005, 28°05’38” N, 109°19’22” O, 447 m snm, L. Cervantes, M. Schwartz, C. Weirauch; 7♂♂5♀♀, Santa Ana, 2-XI-1986, 650 m snm, E. Mariño, F. Arias; 6♀♀2♂♂, Yécora, kms 22, 30 y 39, 1-4-V-2005, 28°22’04” N, 109°03’45” O, 950 m snm, L. Cervantes, M. Schwartz, C. Weirauch; Tamaulipas: 1♂, Gómez Farías, 4-X-1985, L. Cervantes; Veracruz: 1♀, Atoyac, microondas, La Esperanza, 24-XII-2006, 18°52’24” N, 96°45’30” O, 548 m snm, L. Cervantes; 1♀, Gutiérrez Zamora, El Coco, 28-I-2007, 20°26’48” N, 97°08’ 57” O, 50 m snm, E. Barrera, L. Cervantes; 1♂, Llano Grande, III-1999, M. López; 2♀♀1♂, Los Tuxtlas, 27-X-1985, C. Mayorga; 2♀♀1♂, Metlac, 31-I-1976, H. Brailovsky; 1♂, playa Vicente, 29-I-1976, H. Brailovsky; 1♂, Tempoal, 28-VIII-1975, H. Brailovsky; 1♀, Xico, 1-I-1982, John W. Wenzel.

Largus maculiventris Schmidt guarda similitudes con L. cinctus Herrich-Schaeffer, ya que ambas especies presentan una coloración amarillo brillante o amarillo pardo en el escutelo, el clavus y el corium y con los puntos negros, la variación cromática de los lóbulos pronotales es conspicua; y las patas son negras, con el borde inferior de los acetábulos, así como las coxas, trocánteres, tercio basal y borde apical de los fémures anaranjados. Los parámeros de ambas especies difieren. Finalmente, en L. maculiventris siempre se presenta un par de manchas negras en el lóbulo anterior del pronoto y tanto el pro-, meso- y metatórax poseen manchas anaranjadas de gran tamaño que cubren casi por completo cada pleurito.
Largus varians Stål
Largus varians Stål, 1870:94.
Stål (1870) describe a esta especie de Colombia —Antioquia, Bogotá y Nueva Granada—,y posteriormente Van Duzee (1923) la cita para México —Sinaloa y sur de México—, señalando que puede tratarse de una raza geográfica o de una subespecie de L. succinctus (Linnaeus). En el extenso material mexicano examinado, no fue factible encontrar ejemplares mexicanos de esta especie, por lo que consideramos que la determinación ofrecida por Van Duzee (1923) haya sido una confusión con L. cinctus Herrich-Schaeffer de amplia distribución en México y donde se incluye una larga serie de individuos capturados en el estado de Sinaloa. Se muestran fotografías en vista dorsal de los ejemplares colombianos (fig. 38), así como de los respectivos parámeros del macho (fig. 39).


| Clave para separar las especies mexicanas conocidas de Largus Hahn. | |
|---|---|
| 1. Tercio medio del corium con un par de manchas negras, discoidales o rectangulares, o una franja transversal perceptible color marrón u oscura | 2 |
| 1’ Tercio medio del corium sin manchas o franjas de ningún tipo | 4 |
| 2. Tercio medio del corium con una franja perceptible pardo clara u oscura; cuerpo alargado y dorsalmente de color negro, anaranjado, pardo o rojizo; pronoto claramente dividido en 2 lóbulos con los bordes redondeados y con el lóbulo anterior de menor anchura que el posterior, por lo que el pronoto adquiere un contorno campanuliforme | Largus longulus Stål (fig. 28). |
| 2’. Tercio medio del corium con un par de manchas discoidales o rectangulares negras; cuerpo robusto y dorsalmente de coloración variable; pronoto trapezoidal, sin los bordes redondeados | 3 |
| 3. Tercio medio del corium con un par de manchas negras discoidales de gran diámetro; cuerpo dorsalmente de color pardo oscuro, amarillo-anaranjado, amarillo o blanquecino | L. bipustulatus Stål (fig. 25). |
| 3’. Tercio medio del corium con un par de manchas pequeñas rectangulares transversales de color negro o amarillo, o anaranjado brillante o anaranjado rojizo brillante o rojo oscuro o pardo rojizo | L. maculatus Schmidt (fig. 31). |
| 4. Superficie dorsal y ventral con una coloración predominantemente negra | 5 |
| 4’. Superficie dorsal y ventral con una coloración predominantemente amarilla o amarilla oscura | 7 |
| 5. Membrana del hemiélitro blanquecina brillante u opaca; cuerpo densamente piloso; patas enteramente negras | L. subligatus Distant (fig. 22). |
| 5’. Membrana del hemiélitro parda clara u oscura, pero nunca blanquecina; superficie dorsal y ventral con sedas espaciadas; patas de coloración variable | 6 |
| 6. Membrana del hemiélitro, incluyendo las venas, pardo oscuro; superficie dorsal y ventral con sedas espaciadas; patas enteramente negras, con los acetábulos de color rojo o anaranjado rojizo brillante | L. convivus Stål (figs. 17 y 18). |
| 6’. Membrana del hemiélitro parda y las venas pardo oscuro; superficie dorsal y ventral con sedas espaciadas; patas negras, excepto las coxas, trocánteres, tercio basal y borde apical de los fémures que son anaranjados o anaranjados rojizo brillante | L. sculptilis Bliven (fig. 8). |
| 7. Lóbulo anterior del pronoto negro; pro-, meso- y metatórax enteramente negros; clavus y corium amarillo brillante o parduzco, con puntos negros | L. cinctus Herrich-Schaeffer (fig. 13). |
| 7’. Lóbulo anterior del pronoto con un par de manchas negras; pro-, meso- y metatórax con manchas anaranjadas de gran tamaño que cubren casi por completo cada pleurito excepto los bordes de cada pleurito que permanecen negros; clavus y corium amarillo brillante o parduzco, con puntos negros | L. maculiventris Schmidt (figs. 34 y 35). |
Comentarios taxonómicos
Las especies mexicanas de Largus se distribuyen a lo largo de la República Mexicana, en los estados de Aguascalientes, Baja California, Baja California Sur, Campeche, Coahuila, Chiapas, Chihuahua, Ciudad de México, Durango, Estado de México, Guanajuato, Guerrero, Hidalgo, Jalisco, Michoacán, Morelos, Nayarit, Nuevo León, Oaxaca, Puebla, Querétaro, Quintana Roo, San Luis Potosí, Sinaloa, Sonora, Tamaulipas, Tlaxcala, Veracruz y Yucatán. Tres especies que en un principio se pensaba podían encontrarse en México (L. semipunctatus, L. semipletus y L. succinctus) al distribuirse al sur de los Estados Unidos de América no fueron identificadas en este estudio. Las especies mexicanas con amplia distribución fueron: Largus sculptilis, L. cinctus, L. convivus, L. maculatus y L. maculiventris. Mientras tanto, las especies con menores localidades fueron L. subligatus, L. bipustulatus y L. longulus; sin embargo, con los datos obtenidos, aparentemente L. longulus y L. subligatus se encuentran restringidas al sur de la república y L. bipustulatus al golfo del país.
En este estudio se analizaron los argumentos de los autores previos y se concluyó que ninguna de las especies sinonimizadas son válidas al encontrar patrones de coloración que, aunque tienen cierta variación, son específicos para cada taxa, donde los parámeros del macho muestran notables diferencias que corroboran estos resultados. Por lo tanto, en el presente trabajo, se propone que L. sculptilis Bliven, L. cinctus Herrich-Schaeffer, L. convivus Stål, L. longulus Stål y L. semipunctatus Halstead son especies válidas, refutando las sinonimias planteadas por Halstead (1972b) y Bliven (1973). Finalmente, Largus brunki Schmidt es considerado sinónimo junior de Largus subligatus Distant.
Agradecimientos
Agradecemos a Luis Cervantes-Peredo (INECOL) el haber facilitado en calidad de préstamo parte del material aquí estudiado. Especial agradecimiento a Ernesto Barrera y a Susana Guzmán (UNAM) por la asesoría en la toma fotográfica de ejemplares, así como a Cristina Mayorga (UNAM) por el apoyo brindado en el manejo de la colección. A Petr Kment (Museo Nacional de Praga, República Checa) por la revisión del texto y los comentarios vertidos. Finalmente, a Guillermo Castillo por su ayuda en la construcción y arreglo de figuras contenidas en este trabajo.
Referencias
Bliven B.P. New Hemiptera from the western states with illustrations of previously described species and new synonymy in the Psyllidae. B. P. Bliven. 1956; 98:1-27
Bliven B.P. New Pyrrhocoridae and Miridae from the western United States (Hemiptera). The Occidental Entomologist. A Journal of Systematic Entomology, I. 1959; 25-9
Bliven B.P. A third paper on Hemiptera associated with the Pyrrhocoridae. The Occidental Entomologist. 1973; 1:123-33
Blöte H.C. Catalogue of the Pyrrhocoridae in ‘S Rijksmuseum van Natuurlijke Histoire. Zoologische Mededelingen. 1931; 14:97-136
Distant W.L. Insecta. Rhynchota. Hemiptera-Heteroptera (Vol. I) London: Biología Centrali-Americana; 1880-1893.
Doesburg, P. H. van. (1966). Heteroptera of Suriname I. Largidae and Pyrrhocoridae. Studies on Fauna of Suriname and other Guyanas, 9, 1-60.
Halstead T.F. A new species of the genus Largus Hahn with a key to the species of the genus in the southwestern United States (Hemiptera: Largidae). Pan-Pacific Entomologist. 1970; 46:45-6
Halstead T.F. A new species of Largus (Hemiptera: Largidae). Canadian Entomologist. 1972a; 104:959
Halstead T.F. Notes and synonymy in Largus Hahn with a key to United States species (Hemiptera: Largidae). Pan-Pacific Entomologist. 1972b; 46:246-8
Henry T.J. Family Largidae Amyot and Serville, 1843. The Largid bugs. En T. J. Henry y R. C. Froeschner (Eds.), Catalog of the Heteroptera, or true bugs, of Canada and the Continental United States. Leiden, Nueva York, Copenhague, Colonia: E. J. Brill; 1988. 159-65
Hussey R.F. General catalogue of the Hemiptera. Fasc. III, Pyrrhocoridae. Smith College: Northhampton; 1929.
Hussey R.F, Sherman E. Pyrrhocoridae. En G. Horváth y H. M. Parshley (Eds.), General catalogue of the Hemiptera, III. Smith College: Northampton; 1929.
Schaefer C.W, Stehlík J.L. Caribbean sea region Pyrrhocoroidea (Hemiptera: Pyrrhocoridae, Largidae). Neotropical Entomology. 2013; 42:372-83
Schmidt E. Zur Kenntnis der Familie Pyrrhocoridae Fieber. (Hemiptera-Heteroptera). Stettiner Entomologische Zeitung. 1931; 92:1-51
Schuh R.T, Slater J.A. True bugs of the world (Hemiptera: Heteroptera). Classification and Natural History. Ithaca: Cornell University Press; 1995.
Stål C. Bidrag till Hemipterernas Systematik. Öfversigt af Kongliga Svenska Vetenskaps-Akademiens Förhandlingar. 1861; 18:195-212
Stål C. Enumeratio Hemipterorum. Kongliga Svenska Vetenskaps-Akademiens Handlingar. 1870; 9:1-232
Stehlík J.L. Review and reclassification of the Old World genus Physopelta (Hemiptera: Heteroptera: Largidae). Acta Entomologica Musei Nationalis Pragae. 2013; 53:505-84
Stehlík J.L, Kment P. Largus giganteus sp. nov. from Brazil and notes on hybridization within Largus (Hemiptera: Heteroptera: Largidae). Acta Entomologica Musei Nationalis Pragae. 2010; 50:53-8
Torre-Bueno, J. R. de la (1912). Records of Heteroptera from Brownsville, Texas. Entomological News, 23, 120-122.
Van Duzee E.P. A new subspecies of Euryophthalmus cinctus (Hemiptera). Canadian Entomologist. 1923; 55:270
Notas
Notas de autor
* Autor para correspondencia. Correo electrónico: coreidae@ib.unam.mx (H. Brailovsky).