Artículo
Hallazgo, excursión y museo: derivas de la casa natal de William Henry Hudson en la revista El hornero
Finding, Excursion and Museum: William Henry Hudson’s birthplace transformations in El Hornero Journal
Hallazgo, excursión y museo: derivas de la casa natal de William Henry Hudson en la revista El hornero
Káñina, vol. 47, núm. 2, pp. 61-80, 2023
Universidad de Costa Rica
Recepción: 20 Diciembre 2022
Aprobación: 17 Febrero 2023
Resumen: En el marco de la recepción argentina de la obra del escritor y naturalista William Henry Hudson, retomada desde sectores estética e ideológicamente divergentes, se indaga en el presente artículo la temprana recuperación de su figura en la revista ornitológica El hornero (1917). Como se verá, uno de los modos de su reinserción como naturalista «nacional» y escritor universal se produce a partir del descubrimiento y restauración patrimonial de su topografía afectiva, en particular de la mítica casa natal en la estancia Los veinticinco ombúes. Las tareas de gestión y difusión operadas por El hornero no se producen sobre el espacio natal como territorio cristalizado, sino sobre las derivas temporales que experimenta: la casa natal es, en primer lugar, ruina que pudo ser identificada gracias a la formidable «memoria topográfica» de Hudson y a los esfuerzos de su principal difusor, Fernando Pozzo; luego, destino de excursiones científicas y, finalmente, proyecto de casa-museo. Cada una de estas formas por las que se declina, a la vez, el hogar y la biografía de Hudson aglutina los intereses científicos, literarios y patrimoniales de la revista, y ofrece formas diversas de colaboración, intercambio y disputa entre figuras políticas y científicas nacionales y extranjeras.
Palabras clave: W. H. Hudson, El hornero, memoria topográfica, patrimonio, casa natal..
Abstract: Within the framework of the Argentinian reception of the work of writer and naturalist William Henry Hudson, read from aesthetically and ideologically divergent sectors, this paper investigates the early recovery of his figure in the ornithological journal El hornero. As it will be seen, one of the ways of reinserting him as a “national” naturalist and universal writer is produced from the patrimonial discovery and restoration of his affective topography, particularly his mythical birthplace in Los veinticinco ombúes ranch. The management and visibility operations carried out by El hornero do not take place on the native space as a crystallized territory, but rather on the temporary transformations that it experiences: the house where he was born is, first of all, a ruin that could be identified thanks to Hudson’s formidable “topographical memory” and the efforts of his main promoter, Fernando Pozzo; then, the house becomes a destination for scientific excursions and, finally, a house-museum project. Each of these forms by which Hudson's home and biography are declined at the same time condenses the journal's scientific, literary and patrimonial interests, and offers different forms of collaboration and dispute between national and foreign political and scientific figures.
Keywords: W.H. Hudson, El hornero, topographic memory, heritage, birthplace..
1. Hudson vuelve
La casa en que yo nací, en la pampa sudamericana, era llamada, curiosamente, Los veinticinco ombúes porque había allí exactamente veinticinco de esos árboles indígenas de tamaño gigantesco. […] Nuestra casa era una construcción larga y baja, de ladrillos, y, siendo muy vieja, tenía naturalmente la reputación de estar embrujada (Hudson, 1980, pp. 197-198).
En Far Away and Long Ago. History of My Early Life (1918), el escritor y naturalista William Henry Hudson evoca su infancia y juventud en las pampas sudamericanas mientras se recupera de una larga enfermedad. La «visión maravillosamente clara y continua del pasado» (Hudson, 1980, p. 196) que asegura haber experimentado le permite a la vez restablecerse en el Convento de Cornwall (Inglaterra), pero también estar «a miles de leguas de distancia, al aire libre, al sol y al viento» (Hudson, 1980, p. 197). El encantamiento de la casa, que Hudson recupera a partir de una historia de fantasmas (el espíritu de un antiguo sirviente negro castigado injustamente por el propietario de la heredad), abre una pregunta sobre la espectralidad del espacio natal y sobre la figura del mismo Hudson, cuyo «regreso» al escenario cultural y científico nacional reaparece como consigna en la extensa y compleja escena de su recepción.
A pesar de haber escrito su obra ensayística y ficcional enteramente en inglés después de mudarse definitivamente a Inglaterra en 1874, buena parte de la producción de Hudson evoca la naturaleza sudamericana que el escritor supo contemplar y describir como nadie lo había hecho antes, combinando la sensibilidad animista que compartía con su madre, la clasificación científica aprendida en El origen de las especies de Darwin y los saberes populares de gauchos y colonos. Sus colaboraciones, levemente anacrónicas con respecto a los parámetros de producción y validación científica metropolitana, participaron de algunas publicaciones como Argentine Ornithology. A Descriptive Catalogue of the Birds of the Argentine Republic (junto al ornitólogo inglés P. L. Sclater), pero se difundieron sobre todo, según advierte Fernández Bravo (2012), en revistas que no contaban con un público especializado (Longman’; The Gentleman’s Magazine; The Nineteenth Century; entre otras). En las Cartas de W. H. Hudson a Cunninghame Graham (1890-1922)Hudson (1942) refiere la ambigua y conflictiva relación que estableció con la prensa inglesa, la que, si bien muchas veces rechazaba sus artículos o demoraba su publicación, contribuyó a la difusión de sus ensayos, cuentos y poemas.
También en Argentina la prensa jugó un papel destacado en la temprana recepción de su obra y se convirtió en un escenario central de disputa ideológica y estética en el que se dirimió la apropiación diferenciada del escritor. Durante la década del veinte circularon las primeras traducciones al español de Far Away and Long Ago (1918), El Ombú (1902) y The Purple Land (1885), así como las primeras reseñas críticas a cargo de Jorge Luis Borges y Horacio Quiroga. Según advierte Lencina (2019), durante la década del treinta se acentuó la dicotomía que había comenzado a dibujarse unos años antes, entre la canonización más liberal del grupo vinculado a Sur (representado por Borges y luego por Martínez Estrada) y la «canonización contraofensiva» (párr. 26) del grupo nucleado alrededor de Samuel Glusberg, el cual, siguiendo tendencias socialistas y americanistas, alertó desde diferentes publicaciones sobre la necesidad de «reconquistar» al escritor.1 Paralelamente a la difusión en revistas y suplementos culturales, Hudson fue tempranamente traducido en revistas científicas y ornitológicas, principalmente en Physis2 y El hornero, cuyos colaboradores también contribuyeron a visibilizar su figura, parte de su obra naturalista y la topografía afectiva de su infancia.
El hornero, publicada por primera vez en 1917 por la Sociedad Ornitológica del Plata (fundada en 1916, hoy Aves Argentinas, y desde ahora en el artículo: S.O.P.), continúa hasta la actualidad dedicada al estudio de las aves. Según se detalla en el número inaugural, los principales objetivos perseguidos por la S.O.P. fueron el estudio sistemático, biológico y económico de las aves, la protección y conservación de las especies útiles de la República Argentina y países vecinos, y la divulgación de dichos conocimientos. La publicación se destacó además por su carácter pionero y su perfil nacional, este último condensado en el título y desarrollado a lo largo de los años a partir de la divulgación de un listado sistemático de aves argentinas, ordenadas según especies, subespecies y distribución geográfica.3 Una de las operaciones clave en este sentido fue la recuperación de Hudson como ornitólogo nacional y la profundización de la apuesta traductora emprendida en Physis. Efectivamente, en El hornero se publicaron cinco artículos de Hudson: «Los ñandúes en Argentina» (1927), «Las perdices en Argentina» (1928) y «Las palomas de la Argentina» (1929), traducidos de Argentine Ornithology y anotados por Alfredo B. Steullet y Enrique A. Deautier −ornitólogos colaboradores de la revista y discípulos de su fundador, Roberto Dabbene−; «Cardenal: historia de mi primer pájaro enjaulado», traducido por Jorge Casares del libro Adventures among Birds (1938), y «Lechucita de las vizcacheras» (1941), vertido al español por Irene Bernasconi de Birds of La Plata. El interés más estrictamente ornitológico de las traducciones de Steullet y Deautier se amplía a medida que la figura de Hudson va cobrando notoriedad en la escena cultural, para dar lugar, como se verá a continuación, a la reconquista patrimonial y afectiva de la memoria natal del escritor y naturalista de prestigio «universal».
2. La casa natal
Guillermo Enrique Hudson acostumbraba sentarse aquí. (Cunninghame Graham, 1955, p. 14)4
Además de figurar como un prestigioso naturalista de campo al que es fundamental traducir y referir a la hora de describir la avifauna argentina, Hudson cumple otras funciones en El hornero y congrega a su alrededor diversos agentes de la cultura que exceden la actividad ornitológica. En «William Henry Hudson y su amor a los pájaros»5 Jorge Casares -ornitólogo, coleccionista y difusor de su obra- reconstruye el itinerario científico del escritor y culmina su exposición con una sugerente puesta en abismo del sentido de representatividad nacional que condensa El hornero, deteniéndose en la acuarela de un hornero que pendía sobre la chimenea de la habitación en Penzance en la que Hudson pasó sus últimos inviernos: «nuestra ave nacional, de la cual, a cincuenta años de distancia, describía el canto con la mayor realidad» (Casares, 1929, p. 287). Esa disputa geográfica indicada en la persistencia del canto y en la imagen del pájaro nacional en el espacio privado, inglés, y en la memoria del escritor será la doble coordenada a partir de la cual podrán comprenderse los actos de difusión y homenaje a Hudson aglutinados o visibilizados desde las páginas de la revista: por un lado, la reinserción «nacional» de Hudson a partir del descubrimiento y restauración patrimonial de la topografía afectiva del escritor (en particular de su mítica casa natal en la estancia Los veinticinco ombúes); por el otro, la posibilidad de negociar los diferentes intereses de la S.O.P., entre su afán de representación nacional-regional y la intensificación de los vínculos con colegas europeos y norteamericanos a través de la figura «universal» de Hudson.
Es significativo señalar, en este sentido, que esa «topografía personal» que Hudson había evocado a lo largo de su obra autobiográfica y ornitológica ya aparecía, desde sus mismos escritos, como un espacio perdido y disuelto en los ritmos del progreso capitalista de la industrialización y el avance de la inmigración.6 Como se verá, entonces, esa doble operación producida sobre la figura de Hudson que El hornero gestiona y/o visibiliza no se produce sobre el espacio natal como territorio cristalizado, sino sobre las derivas temporales que experimenta: la casa natal es, en primer lugar, ruina que pudo ser identificada gracias a la formidable «memoria topográfica» de Hudson;7 luego destino de excursiones científicas y, finalmente, proyecto de casa-museo. Cada una de estas formas por las que se declina, a la vez, el hogar y la biografía de Hudson, aglutina, según se anticipó, intereses científicos, literarios y patrimoniales y ofrece formas diversas de colaboración, intercambio y disputa entre figuras políticas y científicas nacionales y extranjeras.
En primer lugar, como se mencionó anteriormente, la operación consiste en transformar la vida de Hudson -tantas veces cifrada a partir del nomadismo, la extraterritorialidad y el exilio (cfr. Gómez, 2012)- en un lugar y de ponderar, por sobre su experiencia inglesa y su muerte inglesa (condensada, como veremos, en el famoso epitafio de su sepulcro), el espacio argentino que lo vio nacer y fue el escenario de la plenitud de su infancia y juventud. Por eso, los homenajes y actos de restauración de su figura y de su obra operan un efecto aurático que convoca los valores de lo original, lo documental y lo fidedigno. Se trata de demostrar que Hudson «estuvo ahí» y que su presencia cambió sustancialmente la percepción del lugar, sedimentando en la memoria nacional, a través de una escritura certera y precisa, una singularidad que de otro modo no habríamos podido apreciar, desde la descripción de la naturaleza en sus detalles infinitesimales hasta la idiosincrasia de los habitantes de la pampa (cfr. Gamerro 2015).
Según se describe en Far Away and Long Ago, Hudson y su familia vivieron primero en la mítica estancia Los veinticinco ombúes, ubicada en Quilmes (actualmente Florencia Varela) sobre una tierra ondulada en la margen izquierda del arroyo Conchitas, hasta que se vieron obligados a mudarse por motivos económicos a Chascomús, a la estancia Las Acacias, cuando Hudson tenía cinco años. Allí permanecieron durante una década, rodeados de un monte de álamos, paraísos y frutales, hasta que regresaron a la casa natal. Ambas propiedades condensan las tensiones y la heterogeneidad cultural y lingüística de la nación en ciernes. Contiguas a la naturaleza todavía no del todo domesticada y a los trabajos del campo, formarán parte de una difusa red de estancias de colonos ingleses, galeses e irlandeses, aunque Hudson también recorra y pondere las antiguas casas de los patriarcas, propietarios descendientes de viejas familias españolas. Los padres de Hudson fomentarán una lábil educación anglosajona en sus hijos, pero tanto Hudson como sus hermanos también participarán de los juegos y costumbres gauchas.
El carácter abierto y disponible de la casa familiar, integrada al escenario natural y a la sociabilidad anglosajona y criolla, se «restaura» y perfecciona bajo las iniciativas de los principales difusores de la figura y la obra de Hudson. La estancia Los veinticinco ombúes fue localizada por el doctor Fernando Pozzo en 1929. Algunos años más tarde, Jorge Casares ubica la segunda vivienda de los Hudson en la estancia Las Acacias. El hornero (de 1937 y de 1938) reproduce la carta que Casares envió a La Nación, publicada bajo el título «Donde transcurrió la niñez de Hudson», en la que refiere su descubrimiento a partir del cotejo del lugar con las descripciones de Hudson y la entrevista a vecinos de la zona y a la familia Gándara, primeros dueños de la estancia que la recuperaron luego de su destierro durante el rosismo. En ambos casos, Pozzo y Casares destacan la prodigiosa memoria de Hudson que pudo reconstruir, después de tantos años y en un texto de su madurez, el paisaje de su infancia y juventud, lo que les habría permitido a ambos la confrontación maravillada de las memorias con su referente empírico: «Puede, pues, observarse el foso que circundaba la “plantación” −como él dice− en casi todo su perímetro, borroso, por cierto, y en muchas partes acentuado con un leve pero continuo movimiento de tierra» (Casares, 1938, p. 76).
Ese gesto de reinscripción nacional de la figura y la obra de Hudson que se puede leer allí a partir de la reapropiación de su territorio afectivo (y que opera también, en otras instancias, a partir de la castellanización de su nombre, la traducción por momentos «agauchada» y excesivamente regionalista de su obra y la asunción −errónea− de que Hudson pensaba en español aunque escribiera para un público inglés) atraviesa las diferentes instancias de recepción que comienzan a producirse de manera temprana -aunque discontinua- a partir de las traducciones de su obra y se radicalizan alrededor de los homenajes por el centenario de su nacimiento.
Como se dijo, el carácter complejo de su adscripción nacional y la figura huidiza que configuran sus textos permitió que diversos sectores del escenario nacional y latinoamericano buscaran reapropiarse de su obra desde órbitas culturales e ideológicas estética y políticamente divergentes. Escritores como Jorge Luis Borges y Ezequiel Martínez Estrada resaltan la diferencia cualitativa que la obra de Hudson traza en la literatura argentina, precisamente como efecto de su mirada inglesa. Según advierte Laura Cilento (1999), entre 1941 y 1960 se producen los procesos de nacionalización, canonización y culto de Hudson. En este marco, la introyección del escritor en el sistema literario de la gauchesca (a partir de la comparación con José Hernández) habría servido para canonizar a la literatura argentina entre otras tradiciones culturales y literarias, sirviéndose del prestigio anglosajón de Hudson. El año del centenario se publica la famosa Antología de Guillermo E. Hudson (Losada, 1941) con textos de Pozzo, Borges, Martínez Estrada, Casares, Prittchet, Massingham y Manning: una combinación de firmas nacionales y extranjeras que permitía acentuar la importancia local de Hudson a partir de su valoración entre críticos, editores y prestigiosos escritores ingleses (Lencina, 2019).
Por otro lado, y si bien desde posicionamientos ideológicos opuestos (sobre todo por las tendencias socialistas de Samuel Glusberg y Luis Franco), las estrategias de difusión de Hudson de los escritores vinculados a Babel no fueron tan diferentes, pero adquirieron un sesgo más americanista y popular, y en algunos casos (como en la lectura producida por el traductor chileno de Hudson, Ernesto Montenegro) se rescató la filiación norteamericana del escritor para leerlo en consonancia con un panamericanismo alternativo. Como explica Concha Ferreccio (2021), también los colaboradores de Babel proyectaron la deseada universalidad del escritor a partir del modo en que Hudson habría interpretado «el espíritu criollo» (p. 4) desde un entre-lugar que le permitió recrear la experiencia de la pampa a partir de la mirada excéntrica de la metrópolis. Esa universalidad, subrayada sobre el carácter estético renovador de su escritura y la importancia de la naturaleza en su obra, redundaría en un reposicionamiento de Latinoamérica en el reparto mundial.
Por tanto, ¿qué lugar ocupa El hornero en esta recepción literaria y cultural?, ¿qué tipo de universalismo proyecta sobre la figura y la obra de Hudson y cómo va administrando sus propios intereses científicos? En principio, como se verá a continuación, si bien la revista no estaba directamente vinculada al grupo Sur, colaboradores activos en la difusión de Hudson como Casares y Pozzo eran más cercanos a él. La publicación también celebra la conferencia «Hudson escritor», dictada por Martínez Estrada como cierre de los homenajes por el centenario del nacimiento del escritor, y reseña de manera detallada la Antología de Guillermo Enrique Hudson (Losada, 1941) preparada por el Dr. Pozzo (cfr. El hornero, 1941).8 A su vez, también aquí se verifica esa difusión combinada, importada y local, a partir de la presencia de Robert Cunninghame Graham, escritor escocés amigo de Hudson que también vivió varios años en Argentina. Pero además, la universalidad del escritor y naturalista, basada en sus trabajos ornitológicos y subrayada por sus dotes de escritor, no solo le permite a El hornero afianzar lazos con Inglaterra, sino también con la política conservacionista norteamericana (Silvestri, 2011, p. 357), y entablar así diálogos con los ornitólogos promotores del panamericanismo.
Como se adelantó, a continuación se intentará observar cómo esa recepción singular se trama a partir de la apropiación patrimonialista de la casa natal del escritor y de las diferentes funciones que fue adquiriendo hasta convertirse en museo histórico cultural y parque evocativo.
3. La casa como destino de excursiones científicas
Después de haber sido identificada por Pozzo en 1929, la estanzuela Los veinticinco ombúes se transformará en destino de excursiones ornitológicas, una ocasión para la divulgación del conocimiento sobre las aves que El hornero venía practicando desde 1932 y a través de las cuales se fomentaba el intercambio entre ornitólogos locales y extranjeros, así como la participación de aficionados y lectores de la revista. En el marco de la colaboración y participación de la S.O.P. en los congresos, actividades y convenciones de la Unión Panamericana,9 se destaca la visita del Dr. T. Gilbert Pearson, presidente del Grupo Panamericano del Comité Internacional para la Defensa de las Aves, quien permaneció varios meses en el país para estudiar la avifauna y conocer la legislación argentina referente a su protección. Entre otras fotos en las que Pearson aparece recorriendo las casas de campo de Pedro Casal y Martín Doello-Jurado, se vuelve a reproducir la de la casa natal de Hudson, esta vez tomada por el mismo Pearson (Figura 1). De este modo, la heredad hudsoniana comienza a integrar el circuito de estancias de reconocidos naturalistas argentinos y, al evocar el origen norteamericano de su familia, confirma la cooperación científica internacional: «La visita del Dr. Pearson ha sido muy grata para los ornitólogos argentinos, y ha venido a sellar una amistad más franca entre los estudiosos de su patria, Estados Unidos, y los de nuestro país» (El hornero, 1940, p. 415).

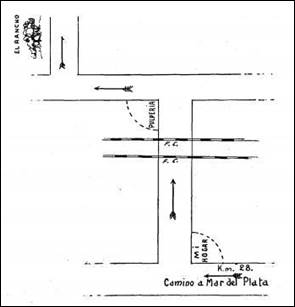
En 1942 se realiza una segunda excursión al rancho natal guiada por Fernando Pozzo. La revista ofrece una crónica sobre la excursión y vuelve a publicar imágenes de la casa centenaria, del presidente y de los miembros de la comitiva de la S. O. P. que estuvieron presentes (Figura 2), pero además ofrece las instrucciones suministradas por la Asociación Amigos de Hudson para llegar al solar natal e incorpora un mapa dibujado a mano para que los consocios de El hornero puedan repetir la visita (Figura 3). Para difundir la visibilización de Hudson y de su labor ornitológica era preciso garantizar también el acceso al origen «mítico» de su formación como escritor y naturalista.


La casa se convierte de este modo en lo que siempre estuvo destinada a ser: escenario capaz de vehiculizar los variados intereses científicos, educativos y de divulgación que El hornero había postulado desde su número inaugural. Las fotografías y mapas animan y refuerzan precisamente la sociabilidad deseada por los miembros de la S.O.P.: hacia adentro, entre sus lectores y observadores aficionados, y hacia afuera, en el intercambio científico con pares y socios internacionales.
4. Una casa-museo
Vivienda de quien fue, para mantener un diálogo con quien todavía (o ya) no está. (…) Por definición voraz, el museo nace de la colección privada que, a su vez, nace del botín de guerra (Negroni, 2021, p. 193).
En la semblanza que escribe para la edición homenaje del centenario del nacimiento de Hudson, Pozzo (1989) vuelve a narrar el descubrimiento del solar natal y retoma una imagen del pasado significativa para el futuro de ese espacio. Según el recuerdo del vecino que lo ayuda a identificar el rancho y que había conocido a la familia Hudson, la habitación del escritor había quedado tal como él la había dejado, «y aparecía entonces casi totalmente ocupada por una colección de los más variados pájaros rioplatenses, embalsamados por el mismo Hudson. Mary la llamaba El museo, y en pequeño lo era, de nuestra ornitología» (p. 13).10 Destinada a convertirse en un museo, y a asumir la forma y la función que Hudson ya previamente parecía haberle asignado, la casa natal del escritor-naturalista terminará siendo, varios años después, el Museo Guillermo Enrique Hudson. Ese proceso culminará recién en 1957 a partir de la colaboración de Masao Tsuda, el embajador del Japón en Argentina y presidente de la Asociación Hudsoniana de Tokio y la Asociación Amigos de Hudson, cuando el gobierno de la provincia de Buenos Aires crea el museo histórico y parque evocativo Guillermo Enrique Hudson, que terminará de extender sus límites en dirección al arroyo Las Conchitas a partir de las donaciones recibidas de distintas empresas y de la Asociación de Amigos y lectores de Guillermo E. Hudson del Japón recién en 1991. Finalmente fue declarado Reserva Natural de Uso Múltiple en diciembre del 2000 y enmarcado dentro de las llamadas «reservas urbanas».11
En consonancia con la filosofía conservacionista que Argentina importó de Estados Unidos, avocada a convertir vastas áreas del territorio nacional en «patrimonio cultural» (Silvestri, 2011, p. 357), El hornero publica en 1941 los fundamentos del proyecto de homenaje que el Ingeniero José María Bustillo (nieto) presentó a la Comisión Directiva de la S.O. P. para restaurar la estanzuela y convertirla en un espacio de museo con un santuario para pájaros.12 En ese momento, la antigua estancia de la familia pertenecía al vizconde Davidson, un propietario inglés del que se esperaba que pudiera donar las hectáreas suficientes para llevar adelante el proyecto (lo que efectivamente sucedió en 1949), o, en su defecto, se planeaba comprarlas contando con la colaboración de fondos británicos y argentinos: «Es para Gran Bretaña y la Argentina, una obligación moral destacar imperecederamente el recuerdo de ese eminente escritor cuya vida es, para ambos países, un vínculo de indestructible espiritualidad» (Bustillo, 1941, p. 129).
Esa «espiritualidad» invocada por Bustillo sublima las relaciones políticas y económicas mantenidas entre ambos países. El trazado de estancias inglesas entre las que se encuentra la antigua heredad de la familia Hudson permite recomponer la historia de esos sujetos europeos, colonizadores blancos que, a diferencia de sus antecesores (los viajeros ingleses como Francis Bon Head, William Mac Cann y Charles Darwin que estuvieron «de paso» por Sudamérica), se instalaron en la llanura y recalibraron el incipiente mapa estatal que todavía estaba fijando sus límites, dinamizando el funcionamiento económico de la región a partir de la cría de ovejas y la producción agrícola y poniendo en marcha una máquina de disciplinamiento, aceleración comercial y extracción de materias primas del Río de La Plata, que volvían al país como manufacturas producidas en las fábricas de Liverpool (Rodríguez, 2010b).
Foguelman y Brailovsky (2009) examinan el impacto socioambiental de esta paulatina incorporación de Argentina en la división internacional del trabajo como productora de lanas, carnes y cereales. El nuevo modelo supuso racionalizar aún más el uso de la tierra, mejorar la calidad de las carnes y acelerar el engorde, para lo cual se mestizaron razas nativas con inglesas y se parceló la tierra para controlar los cruzamientos y rebaños.13 Los autores advierten algunas de las consecuencias de semejante transformación: «El sobrepastoreo deterioró el suelo, facilitó la expansión de las malezas, aceleró los procesos erosivos, agravó la colmatación de las lagunas y alteró el régimen de los ríos» (p. 161). La agricultura fue un nuevo factor desencadenante de erosión y la escasez de maderas y de combustible capaz de sostener el proceso de industrialización llevó a deforestar extensiones inmensas de árboles, primero en las inmediaciones de Buenos Aires y el Litoral y de forma mucho más agudizada en las zonas del monte chaqueño y santiagueño.
En medio de estas aceleradas transformaciones, el proyecto de Bustillo subraya la reconstrucción tanto de la propiedad, las arboledas, las instalaciones rurales y el mobiliario, como del ambiente natural tal cual fuera descrito por Hudson: «se establecería un santuario que se repoblaría de pájaros que fueran de la zona y que Hudson estudió» (Bustillo, 1941, p. 129). A contrapelo de la infeliz certidumbre que atraviesa la escritura de Hudson sobre la pérdida irremediable del espacio de su infancia y la gradual extinción de las especies naturales de la pampa, el homenaje se legitima a partir de este pliegue temporal de la naturaleza entendido como «poético rincón» (Bustillo, 1941, p. 129), capaz de ofrecer a los turistas y ornitólogos aficionados un paréntesis sagrado y natural a pocos kilómetros de la capital urbana. Con la realización de ese programa «se ofrecería al país un nuevo centro de educación tradicionalista; se crearía un atractivo más al turismo; se formaría un rincón naturalista y, por encima de todo, se establecería un vínculo más de amistad entre Argentina e Inglaterra, utilizando un antecedente histórico simpático por lo pacífico, sencillo y natural» (Bustillo, 1941, p. 130).14
El futuro refugio parece evocar algunos de los atributos del mitema del mundo edénico que persiste contemporáneamente en la idea de wilderness: espacios que «que dan testimonio de un pasado que habría logrado sobrevivir “intocado” desde tiempos primigenios hasta el presente, pero que hoy son ciegamente predatoria de la civilización occidental» (Danowski y Viveiros de Castro, 2019, p. 58), una sacralización de la wilderness que emergió después del siglo XVIII asociada al imaginario norteamericano del sublime y de la «última frontera», cuyo reverso ecotópico (ese exterior antiedénico del que fueron expulsados Adán y Eva) cabría leer en el marco de las iniciativas legales impulsadas por J. M. Bustillo en pos de aumentar la productividad de la industria agroganadera, y rediseñar a futuro un modelo de crecimiento económico basado en el campo.
Por el carácter anómalo de Hudson como «sujeto bicultural» (Gómez, 2012), «primitivo en Londres» y protocientífico en las pampas, y por el posicionamiento excéntrico que mantuvo con respecto a las determinaciones nacionales, disciplinares y lingüísticas, el escritor es capaz de convocar diferentes tiempos: desde las lecturas más tradicionalistas que circunscriben su importancia al pasado rural del país, hasta aquellas que lo reconocen como temprano promotor de problemáticas ambientales y como cartógrafo de las fuerzas vivientes de una naturaleza que excede las jurisdicciones nacionales y las taxonomías fijas. Considerando estas coordenadas, es posible indagar el proyecto patrimonialista que comienza a dibujarse en las páginas de El hornero y que terminará concretándose varios años después.
Ahora, ¿qué temporalidad privilegia Bustillo y confirman otros colaboradores de la revista en los actos de difusión de la vida de Hudson? Como sostiene Fernández Bravo (2017), a pesar de que el «patrimonio cultural» se forme a partir de bienes del pasado, «el debate por su inscripción y propiedad lo vuelve siempre contemporáneo» (p. 4). En este sentido, la monumentalización del rancho natal y de los valores a él asociados (sencillez, rusticidad, precariedad) es sintomática por dos motivos. En primer lugar, y a diferencia de otras experiencias de casas-museo de escritores (Cámara, 2019) en las que el hogar es el sitio de la escritura, Hudson se convirtió en escritor cuando abandonó Los veinticinco ombúes. El efecto «autoral» es posterior y deliberadamente construido a partir de la creación de una biblioteca con sus obras originales y traducciones, libros de temáticas afines y otros materiales.15 En los museos de escritores, la «indicialidad» se ofrece a partir de objetos clave: la pluma, el trazo de escritura sobre la hoja o el escritorio de trabajo, que convierten el espacio íntimo «en una prosopopeya, [que] se puebla del espectro del escritor que allí vivió» (Cámara, 2019, p. 3). En el caso de Hudson, la indicialidad se disuelve en el afuera y se desarma en flujos de naturaleza que era preciso recomponer, volviendo a conquistar para la memoria nacional los límites de la estanzuela y, sobre todo, la avifauna original que habitó ese territorio en los tiempos de Hudson. La experiencia que esa casa produce no responde tanto a la memoria de los objetos «capaz de encapsular el tiempo, inscribirlo en la superficie de las cosas y reflejar en ella propiedades intangibles» (Fernández Bravo, 2017, p. 12), sino a su emplazamiento y localización (Cámara, 2019, p. 2) en la estanzuela, por su contigüidad con una porción de naturaleza convertida en patrimonio cultural, entendida como reserva utópica que encuentra en el pasado su mejor expresión.
Si, como afirma Doreen Massey (2005) en For space , la imaginación espacial debe desarticular la idea de «lugar» como superficie cristalizada y pensarla en cambio como «evento espacio-temporal» de carácter intrínsecamente relacional y dinámico, el proyecto de Bustillo se inscribe en una red de intereses económicos, políticos y legislativos que exceden los valores pacíficos y sencillos (naturales y estéticos) del solar natal de Hudson, relativos en cambio a las tensiones y desequilibrios entre el desarrollo urbano, la racionalización de la actividad rural y la injerencia del campo en los mercados internacionales (fundamentalmente ingleses). Esta fantasía de restauración del pasado rural pliega el tiempo de la naturaleza y abre una serie de inscripciones a futuro: la casa-museo no solo como centro de educación, divulgación y turismo, sino también como ocasión para afirmar, en los vínculos entre científicos, actores culturales y políticos británicos y argentinos, la centralidad de la impronta rural en el desarrollo de la identidad social y económica del presente nacional, impronta que los textos de Hudson contribuyeron a delinear en la tradición de la literatura argentina.
5. Completar el ciclo: del pino inglés al ombú argentino16
He loved birds and green places and the wind on the heath, and saw the brightness of the skirt of God. [Epitafio del sepulcro de Hudson en Worthing, Inglaterra].
Guillermo Enrique Hudson. Escritor y naturalista. Nació en Los veinticinco ombúes cerca del arroyo de Conchitas, partido de Quilmes el 4 de agosto de 1841. Lo despertó la luz y el canto. [Placa esculpida por Santiago Parodi en los festejos por el centenario de su natalicio].
Según advierte Sylvia Molloy (2001), muchas de las ficciones a las que recurre el autobiógrafo para contar su vida serían las del pasado familiar y la infancia, «respaldada por la más elemental y segura de las legalidades, la del certificado de nacimiento» (p. 109). Sin embargo, como ella misma sostiene, el recurso de la infancia fue relativamente tardío en Hispanoamérica, en donde el relato (auto)biográfico se legitimó, por el contrario, como historia, y como tal se justificó por su carácter documental y público, lo que subordinó ese período inicial de la vida al desarrollo acabado del adulto cuya genealogía familiar se encontraba generalmente vinculada al pasado heroico de la nación, al que contribuía a encauzar en una forma moderna. Por el contrario, Allá lejos y hace tiempo y muchísimas otras obras de Hudson evalúan el por momentos desencantado presente inglés de la escritura a partir de la vida intensa de la infancia y juventud experimentadas en las pampas sudamericanas, etapa de plenitud no exenta de desconcierto, pero clave en la formulación del singular naturalismo ensayado por el escritor. En la biografía que escribe sobre Hudson, Alicia Jurado critica el desequilibrio que adquieren los recuentos biográficos y las operaciones de selección para el armado de antologías nacionales llevadas a cabo por los principales ensayistas y difusores de su obra que buscan renacionalizarlo como argentino, y que no solo privilegian la etapa sudamericana de su vida soslayando y «olvidando» los largos años que vivió en Inglaterra, sino que incluso niegan la importancia de su filiación anglosajona, así como la tradición literaria inglesa en la que efectivamente se formó como escritor y a la que fue incorporado. La S.O.P., interesada en la formación de hábitos naturalistas en los niños y niñas, también contribuirá a este relato,17 legitimando en la «legalidad del nacimiento» el vínculo entre Hudson y la naturaleza que conoció durante su infancia en las llanuras.
Entre el epitafio escrito en su tumba inglesa y la placa argentina de Santiago Parodi que destaca la casa natal y el «despertar» a la vida,18El hornero continúa su tarea de reconquistar la topografía de Hudson, para lo cual se vuelve fundamental atender a una red de imágenes y monumentos en los que se dirimen las tensiones y colaboraciones entre los difusores locales y extranjeros. La revista incorpora una breve crónica de la visita que hizo Jorge Casares al cementerio de Broadwater, en Worthing (Inglaterra) en la que se ofrece la ubicación de la tumba, se incluye una fotografía (Figura 4) de Casares de pie junto al sepulcro, y se reproduce la inscripción funeraria, en su idioma original y en traducción:
En memoria de Guillermo Enrique Hudson. Nació el 4 de Agosto de 1841 en Buenos Aires. Falleció el 18 de Agosto de 1922 en Londres. (…) Amó las aves y los sitios verdes y los vientos de los matorrales y vio el resplandor de la presencia Divina. (citado en El hornero, 1935, pp. 126-7).
Ese homenaje póstumo es replicado un año más tarde por el peregrinaje que hace Robert Cunninghame Graham a la casa de Los veinticinco ombúes, acompañado por Pozzo. El hornero (1936) menciona esta visita y agradece el entusiasmo y la colaboración económica que el escritor y amigo de Hudson les había prestado, en 1927, para erigirle un monumento en la capital de Buenos Aires (cfr. El hornero, 1927).19 Estos lazos de colaboración entre la S.O.P. y el escritor escocés se sellan cuando fallece en Argentina y varias delegaciones de entidades científicas, artísticas y literarias (entre las cuales se cuentan numerosos miembros de la S. O. P.) acompañan sus restos al buque Almeda Star que los llevó de regreso a Inglaterra. Según anota Jurado (2007), en 1938 la Sociedad Amigos de Hudson envió una placa de bronce que fue colocada en Tower House, residencia en la que Hudson murió, con un dibujo de la casa natal: «en las paredes que lo vieron morir queda la efigie de aquellas que lo vieron nacer, cerrando así el ciclo de su vida» (p. 290).

Finalmente, esa diplomática y cordial disputa por el «lugar» de Hudson se perfecciona en los actos de homenaje por el centenario de su natalicio, de los que participan, además de los representantes argentinos, los embajadores de Gran Bretaña y Estados Unidos, una nómina significativa para pensar la triple pertenencia nacional adjudicada a Hudson. La toponimia «Guillermo Enrique Hudson» se expandirá posteriormente a otras calles, nombres de centros educativos, monumentos escultóricos y estaciones ferroviarias de la provincia de Buenos Aires, ampliando todavía más esa conquista «topográfica» que había comenzado en su casa natal.
5. Consideraciones finales
Al terminar su visita a la estancia Los veinticinco ombúes, Robert Cunninghame Graham le escribe desde allí mismo una carta a Morley Roberts:
Hice muchas peregrinaciones en mi vida (…) Nunca me sentí tan impresionado en ninguno de estos sitios, como lo estoy en este humilde rancho con su techo de madera, sus pisos de ladrillo, sus puertas primitivas y su aire alejado de cuanto sea moderno (gracias a Dios). (…) Las mismas bandadas de pájaros, tijeretas, viuditas, bien-teveos y horneros, habitan todavía los árboles que han crecido en la chacra desierta, (citado en Jurado, 2007, p. 289).
La casa natal de Hudson participa de las características que Gastón Bachelard (2012) advierte para la casa-nido, vinculada a la primitividad del refugio animal, a la sencillez y al retorno: «El nido (…) se asocia inmediatamente a la imagen de la casa sencilla. (…) Se vuelve a ella, se sueña en volver como el pájaro vuelve al nido (…)» (pp. 132-134). A diferencia de las grandes casonas familiares que ostentaban los autobiógrafos hispanoamericanos, a la vez como sitios de la memoria y posesión de clase (cfr. Molloy, 2001), la casa sencilla de Hudson, perdida entre las propiedades de un poderoso heredero británico y recuperada muchos años después, pliega una forma tenue de la rememoración, marcada por el signo de la desposesión y la pérdida. Una forma recurrente, continúa advirtiendo Molloy (2001), en la escritura autobiográfica, les hacía pensar a los escritores autobiógrafos que eran los últimos testigos de un determinado momento histórico y cifrar, por ende, esa certidumbre catastrófica en la fórmula «alcancé a ver». La casa natal de Hudson -y el espacio natural a su alrededor- se convierte por momentos en la atalaya desde la cual su escritura registra las últimas derrotas de la política de Rosas, el avance efectivo sobre las fronteras, y fundamentalmente, la modificación de las políticas vinculadas a la gestión de la tierra, con la consecuente extinción de especies naturales, la introducción de fauna y flora exótica y la incorporación de nuevas formas de trabajo y explotación de la naturaleza.20
Como se vio, la serie de refuncionalizaciones que la S.O.P. y, en particular, la Sociedad de Amigos de Hudson ensayaron alrededor de la casa natal y de la figura de Hudson permiten comprender la doble vía de su recuperación en las páginas de El hornero: por un lado la restauración patrimonial del legado de Hudson y la extensión de una toponimia que buscaba suturar el vacío del cuerpo (aquel que sí yace en la tumba inglesa y canta en inglés su despedida); y, por el otro, la reformulación de la cartografía ornitológica que el naturalista alcanzó a bocetar, huella tanto espacial de sus recorridos por Sudamérica, como temporal, porque testimonia la gradual desaparición de especies y alerta sobre la imprescindible legislación a favor de la conservación de los animales en peligro.
Si bien la presencia de Hudson comienza a menguar a partir del número en que se conmemora el centenario de su nacimiento, se siguen citando sus observaciones sobre aves, generalmente tomadas de Birds of La Plata y Argentine Ornithology. Ocasionalmente, se mencionan obras que se dedican a su figura, como en el caso de la biografía de Pozzo, «La vida y obra de Guillermo E. Hudson» (revista Duperial, 1944) o la de Alicia Jurado (cfr. El hornero, 1973). Se reseñan también las nuevas traducciones de sus obras, como en el caso de la edición de Aves del Plata (Libros de Hispanoamérica, 1974), importante porque se trató de la primera traducción al español (a cargo de Herminia C. Mangonnet de Gollán y José Santos Gollán) y su publicación se efectuó con el auspicio de la Asociación Amigos del Museo y Parque Evocativo Guillermo E. Hudson. La S.O.P continuó acrecentando la colección de Hudson con diversas donaciones y siguió realizando excursiones ornitológicas a la casa natal del escritor (cfr. El hornero, 1975).
Este derrotero trazado entre las primeras traducciones de Physis y El hornero, y la centralidad que adquieren los festejos alrededor del centenario de su natalicio culmina, en el presente, en la publicación de Guillermo Enrique Hudson: 1922-2022, una compilación de textos ya clásicos sobre la figura y la obra del escritor, reunidos por Carlos Fernández Balboa para el catálogo de la exposición organizada por la Biblioteca Nacional Mariano Moreno y el Museo Hudson para el centenario de su muerte.21 Después de evocar la participación de Hudson como director de la Real Sociedad para la Protección de las Aves de Londres y su impacto directo sobre la creación de la Asociación Ornitológica del Plata (Aves Argentinas), el actual director del Museo, Rubén Ravera (2022), señala el centenario de la muerte (1922-2022) como un punto de inflexión para
transformar [la obra de Hudson] en una reflexión que nos dé pistas sobre el derrotero que la humanidad debe seguir para preservar y restaurar la biosfera planetaria (…) [Y advierte que] debemos revalorizar la figura de Hudson (…) en consonancia con el cambio climático y las consecuencias que traerá aparejado si no se toman las decisiones correctas en materia de política ambiental. (p. 9)
Una vez más, las políticas culturales, científicas, museísticas y ambientales insisten sobre la necesaria «vuelta» de Hudson, pero a diferencia del proyecto patrimonial conservador y fuertemente «rural» de Bustillo, abren en espiral las inquietantes preguntas de Hudson sobre el futuro de las especies y el cuidado de la naturaleza.
Referencias
Andermann, J. (2018). Tierras en trance. Arte y naturaleza después del paisaje. Ediciones Metales Pesados.
Bachelard, G. (2012). La poética del espacio. Fondo de Cultura Económica.
Brailovsky, A. y Foguelman, D. (2009). Memoria verde. Historia ecológica de la Argentina. Debolsillo.
Bustillo, J. M. (1941). Proyecto de Homenaje a don Guillermo Hudson de la S.O.P. El hornero. Revista de ornitología neotropical, 8(1), 129-130.
Cámara, M. (2019). De la casa al museo portátil: el escritor frente al espejo. Remate de Males, 39(1). http://dx.doi.org/10.20396/remate.v39i1.8654450
Casares, J. (1929). William Henry Hudson y su amor a los pájaros. El hornero. Revista de ornitología neotropical , 4(3), 277-289.
Casares, J. (1938). Donde transcurrió la niñez de Hudson. El hornero. Revista de ornitología neotropical , 7(1), 76-77.
Cilento, L. (1999). Hacia un cronotopo rioplatense en Borges: su lectura de La tierra purpúrea de Guillermo E. Hudson. Letras. Revista de la Facultad de Filosofía y Letras de la Pontificia Universidad Católica Argentina, 38-39, 49-57.
Concha Ferreccio, P. (2021). G. E. Hudson en la revista Babel: reconversiones universalistas desde América Latina. Cuadernos LIRICO, 23, 1-16. https://doi.org/10.4000/lirico.11132
Cunninghame Graham, R. (1955). Prólogo. En G. E. Hudson, Allá lejos y hace tiempo (pp. 11-14). Peuser.
El hornero (1917). Sociedad ornitológica del Plata. Carácter y fines de la asociación. El hornero. Revista de ornitología neotropical , 1(1), 1-3.
El hornero (1927). Suscripción pro monumento a Hudson. El hornero. Revista de ornitología neotropical , 4(1), 109.
El hornero (1935). El sepulcro de Hudson. Informaciones. El hornero. Revista de ornitología neotropical , 6(1), 126-7.
El hornero (1936). R. B. Cunninghame Graham. El hornero. Revista de ornitología neotropical , 6(2), 321-322.
El hornero (1937). Donde transcurrió la niñez de Hudson. El hornero. Revista de ornitología neotropical , 6(3), 518-519.
El hornero (1938). Donde transcurrió la niñez de Hudson. Ha sido posible determinar la ubicación de Las Acacias. El hornero. Revista de ornitología neotropical , 7(3), 76-77.
El hornero (1940). Visita del Dr. T. Gilbert Pearson. El hornero. Revista de ornitología neotropical , 7(3), 415-419.
El hornero (1941). Recordación del 1er. Centenario del Nacimiento de Guillermo Enrique Hudson. El hornero. Revista de ornitología neotropical, 8(1), 126-128.
El hornero (1942). Excursión al rancho de Hudson. El hornero. Revista de ornitología neotropical, 8(2), 281-285.
El hornero (1965). Donación de la biblioteca del Dr. Jorge Casares. Informaciones. El hornero, Revista de ornitología neotropical, 10(3), 287.
El hornero (1973). Tras los pasos de un naturalista. El hornero. Revista de ornitología neotropical, 11(3), 234-235.
El hornero (1975). Excursiones ornitológicas. El hornero. Revista de ornitología neotropical , 11(4), 333-334.
Danowski, D. y Viveiros de Castro, E. (2019). ¿Hay un mundo por venir? Ensayo sobre los miedos y los fines. Caja Negra.
Fernández Balboa, C. (2022). Hudson vuelve. En C. Fernández Balboa (Comp.), Guillermo Enrique Hudson: 1922-2022 (pp.10-12). Biblioteca Nacional.
Fernández Bravo, Á. (2012). La atracción de lo distante: la obra de Hudson como catálogo y museo. En S. Castro-Klarén and L. Gómez (Eds.), Entre Borges y Conrad: Estética y territorio en W. H. Hudson. Iberoamericana Vervuert.
Fernández Bravo, Á. (2017). El museo vacío. Acumulación primitiva, patrimonio cultural e identidades colectivas. Argentina y Brasil: 1880-1945. Eudeba.
Hudson, W. H. (1942). Cartas de W. H. Hudson a Cunninghame Graham y a la señora de Bontine (1890-1922). Editorial Bajel.
Hudson, W. H. (1980). La tierra purpúrea. Allá lejos y hace tiempo. Biblioteca Ayacucho.
Gamerro, C. (2015). Facundo o Martín Fierro. Los libros que inventaron la Argentina. Sudamericana.
Glusberg, S. (1934). La reconquista de Hudson. Repertorio Americano, 15, 233-234.
Gómez, L. (2012). Imperio y canon en William Henry Hudson. En S. Castro-Klarén and L. Gómez (Eds.), Entre Borges y Conrad: Estética y territorio en W. H. Hudson. Iberoamericana Vervuert.
Ibarbia, D. (1975). Bustillo, José María Ing. Agr. Anales de la Academia Nacional de Agronomía y Veterinaria, 30(1), 26-40. http://anav.org.ar/bustillo-jose-maria-ing-agronomo/
Jurado, A. (2007). Vida y obra de W.H. Hudson. Letemendia Casa Editora.
Lencina, E. (2019). Canon y nacionalización: la edición y difusión de la obra de W. H. Hudson a través de la «época de oro» de la industria editorial. Revista Latinoamericana De Estudios Editoriales 1(8), 1-13. https://redeseditoriales.org/OJS/index.php/Releed/article/view/releed-1-2-lencina
Massey, D. (2005). For Space. Sage.
Molloy, S. (2001). Acto de presencia. La escritura autobiográfica en Hispanoamérica. Fondo de cultura económica.
Negroni, M. (2021). Pequeño mundo ilustrado. Caja Negra.
Silvestri, G. (2011). El lugar común: Una historia de las figuras de paisaje en el Río de la Plata. Edhasa.
Pozzo, F. (1989). Semblanza de Hudson. En G. H. Hudson, Guillermo Enrique Hudson. Páginas escogidas (pp. 9-33). Losada.
Ravera, R. (2022). Centenario de la muerte de Guillermo Enrique Hudson. En C. Fernández Balboa (Comp.), Guillermo Enrique Hudson: 1922-2022 (pp.8-9). Biblioteca Nacional.
Rodríguez, F. (2010a). Perder el tiempo. La literatura de William H. Hudson. En A. Laera (Dir.), El brote de los géneros; N. Jitrik (Dir.), Historia crítica de la literatura argentina (pp. 325-350). Emecé.
Rodríguez, F. (2010b). Un desierto para la nación. La escritura del vacío. Eterna Cadencia.
Szurmuk, M. y Holmes, A. (2012). Espacios de la identidad: escritura, paisaje, lenguaje. En S. Castro-Klarén and L. Gómez (Eds.), Entre Borges y Conrad: Estética y territorio en W. H. Hudson (s/p). Iberoamericana Vervuert.
Notas