Articulos originales
Received: 30 January 2017
Accepted: 04 July 2017
DOI: 10.7705/biomedica.v38i0.3761
Abstract
Introduction: Alzheimer’s disease is the most common form of dementia. It is characterized by histopathological hallmarks such as senile plaques and neurofibrillary tangles, as well as a concomitant activation of microglial cells and astrocytes that release pro-inflammatory mediators such as IL-1β, iNOS, and COX-2, leading to neuronal dysfunction and death.
Objective: To evaluate the effect of quercetin on the inflammatory response in the CA1 area of the hippocampus in a 3xTg-AD male and female mice model.
Materials and methods: Animals were injected intraperitoneally with quercetin every 48 hours during three months, and we conducted histological and biochemical studies.
Results: We found that in quercetin-treated 3xTg-AD mice, reactive microglia and fluorescence intensity of Aβ aggregates significantly decreased. GFAP, iNOS, and COX-2 immunoreactivity also decreased and we observed a clear tendency in the reduction of IL-1β in hippocampal lysates.
Conclusion: Our work suggests an anti-inflammatory effect of quercetin in the CA1 hippocampal region of aged triple transgenic Alzheimer’s disease mice.
Key words: Alzheimer disease, quercetin, microglia, astrocytes.
Resumen
Introducción.: La enfermedad de Alzheimer es la forma más común de demencia; se caracteriza por la presencia de marcadores histopatológicos, como las placas seniles y los ovillos neurofibrilares, así como por una activación concomitante de células microgliales y astrocitos que liberan mediadores proinflamatorios, como IL-1β, iNOS y COX-2, lo cual conduce a la disfunción y la muerte neuronal.
Objetivo.: Evaluar el efecto de la quercetina sobre la reacción inflamatoria en el área CA1 del hipocampo en un modelo de ratones 3xTg-AD.
Materiales y métodos.: Los animales se inyectaron intraperitonealmente con quercetina cada 48 horas durante tres meses, y se hicieron estudios histológicos y bioquímicos.
Resultados.: Se encontró que en los animales 3xTg-AD tratados con quercetina, la microglía reactiva y la intensidad de fluorescencia de los agregados Aβ disminuyeron significativamente, y que hubo una menor reacción de GFAP, iNOS y COX-2, así como una clara tendencia a la reducción de la IL-1 β en lisados de hipocampo.
Conclusión.: Los resultados del estudio sugieren un efecto antiinflamatorio de la quercetina en la región CA1 del hipocampo en un modelo en ratón triple trasgénico para la enfermedad de Alzheimer.
Palabras clave: enESenfermedad de Alzheimer, quercetina, microglía, astrocitos.
Alzheimer ́s disease is the most common form of dementia, which is characterized by a progressive loss of memory and other cognitive functions. Its main histopathological hallmarks are extracellular beta-amyloid (βA) accumulation in senile plaques and intracellular hyperphosphorylated tau protein forming neurofibrillary tangles1. These aggregates induce an inflammatory response by the microglia and astrocytes that allow a gradual activation and subsequentproduction of pro-inflammatory mediators leading to neurodegeneration2.
Microglial cells and astrocytes are involved in the inflammatory response in the central nervous system (CNS). Microglia remain in a resting state exhibiting a branched morphology; once they are activated by the presence of βA the size of the soma in the cell increases and the number of processes decreases acquiring an amoeboid form with absence or presence of shorter branches3. Their ability to engulf βA peptides reduces while the production of pro-inflammatory mediators increases3,4. Astrocytes also have a ramified morphology when they are in resting state, but after the onset of the Alzheimer’s disease, they acquire a hypertrophic morphology with a reduction of branches and processes, and an increased cell soma5. As is the case for microglia, astrocytes increase the production of pro-inflammatory media-tors when they are activated6.
Among the most important inflammatory mediators produced by microglial cells and astrocytes in Alzheimer’s disease are the interleukin 1β (IL-1β), the inducible nitric oxide synthase (iNOS) and the cyclooxygenase 2 (COX-2). IL-1β is produced by those cells surrounding βA plaques (7, and it can modulate tau hyperphosphorylation through activated microglia and p38-MAPK activation7,8. The other inflammatory mediator involved in neuroinflammation in the disease is iNOS. This enzyme is expressed in response to immunological challenges or by damaged tissue producing nitric oxide (NO)9, which causes DNA damage and induces the production of peroxynitrites that destroy the mitochondria and reduce ATP formation10. High levels of βA increase iNOS expression and NO production in microglia and astrocytes9,11. COX-2 is an inducible enzyme in pathological conditions and it catalyzes the synthesis of prostaglandins, many of which are neurotoxic, such as prostaglandin E2 (PGE2), which is the mainproduced inflammatory prostaglandin12. βA peptides induce the activation of PGE2 in astrocytes and microglia6,12, which can produce an increase in astrocyte proliferation in vivo and diminish the ability of microglia to phagocytose βA peptides13,14.
Quercetin is a molecule with neuroprotective properties which may increase the neuronal resistance against oxidative stress by βA15,16. In our previous studies, we have demonstrated that quercetin reduces histopathological hallmarks improving cognitive and emotional skills in a 3xTg-AD mice model17. Given that the hippocampus CA1 region is a vulnerable area for excitotoxicity and neuronal death in Alzheimer’s disease18, in this study we evaluated the effect of quercetin on the pro-inflammatory response.
Materials and methods
Animals
Male and female homozygous 3xTg-AD for APP (Swe), tau (P301L), PS1 (M146V), and knocking-PS1 mice (Non-3xTg) (M146V)19 from our in-house colony were maintained at the specific pathogen-free vivarium of the Sede de Investigación Universitaria at the Universidad de Antioquia in Medellín. We assigned animals of 18 to 21 months of age randomly to the vehicles (DMSO) or quercetin groups regardless of their transgenic or non-transgenic condition (non-Tg). 3xTg-AD mice had a homogenous β-amyloidosis and tauopathy penetrance.
The animals were handled according to Colombian standards and guidelines (Law 84/1989 and Resolution 8430/1993); the protocol was approved by the Ethics Committee of the Universidad de Antioquia for animal experimentation. Special care was taken to minimize animal suffering and to reduce the number of animals used.
Administration of drugs
The 3xTg-AD and non-Tg mice received 25 mg/kg intraperitoneal injections of quercetin or 0.1% DMSO every 48 hoursfor three consecutive months, as previously described17.
Histology and immunohistochemistry
Animals were intracardially perfused using 4% paraformaldehyde, and 50 µm coronal sections were used for Nissl (toluidine blue) staining and immunohistochemistry evaluation as previously described17. We assessed the CA1 region at bregma -1.82 and -2.06 mm. Anti-GFAP (1:1000, Sigma # G3893), anti-iNOS (1:250, C-11, Santa Cruz Biotechnology, Sc # 7271) (permeabilizing tissues 10 mM Tris pH 6, overnight at 4°C) were the mouse primary antibodies used together with the Iba1 anti-rabbit primary antibody (1:500, Wako # 019-19741) as microglia and COX-2 markers (1:500, # AB15191, Abcam).
To determine immunoreactivity (IR) densitometry we used a 10X objective and we analyzed it with the Fiji ImageJ 1.45 software (NIH, USA) based on staining intensity. The number of animals per group was three in non-Tg quercetin animals and four in the other groups.
Immunofluorescence
We rinsed 50 µm coronal sections at bregma -1.82 and -2.06 mm in 0.1 M PBS following a previously published protocol20. Sections were incubated with β-amyloid anti-mouse primary antibody (1:500, β amyloid 1-16 (6E10) # SIG-39320, Covance), and Iba1 anti-rabbit primary antibody (1:500, # 019-19741, Wako). We analyzed the sections by using a motorized spinning disk confocal microscope (Olympus IX81-DSU). The omission of the primary antibodies resulted in no staining. Camera exposure time and gain were adjusted so that no pixel saturation was present in any channel, and identical camera settings were used for all images in each experiment.
Immunofluorescence (IF) was determined using a 10X objective and analyzed by Fiji ImageJ 1.45 software (NIH, USA) based on staining intensity. We processed all experimental groups at the same time for minimizing variability. The number of animals per group was three for non-Tg quercetin animals and four for the other groups.
ELISA IL-1b
We measured IL-1β using the Quantikine ELISA Mouse IL-1β kit™ (Cat. # MLB00C, RyD Systems, Minneapolis, USA) following the manufacturer’s protocol with a peptide concentration of 50 µg/ml. The number of animals per group was two for 3xTg-DMSO animals and four for the other groups.
Western blotting
The procedure was performed as described previously17. Briefly, anti-NOS2, anti-COX2, and anti-Tubulin (1:10000, monoclonal anti-βIII tubulin, # G712A, Promega, AB_430874) were used as loading control, and CW IRDye 680 goat anti- mouse or rabbit 800 (LI-COR, diluted 1: 10000) were used as secondary antibodies. Fluorescence intensity was analyzed using the Odyssey Infrared Imaging SystemTM application software, version 3.0 (LI-COR, ODY-1735). We used four animals in each group.
Statistical analysis
We randomly processed the data collected. We used at least three mice in each group for histological evaluation and four in each group for bio-chemical analyses. We evaluated data with a normal distribution using analysis of variance (ANOVA) to compare the four experimental groups, and then Tukey’s test as post-hoc multiple comparison when appropriate. When the conditions of normality of the data distribution and variances were not normal we used the nonparametric Kruskal-Wallis test. The statistical analysis was performed using GraphPad Prism software (version 6.0), and results were considered to be significant at p≤0.05. The values were expressed as the mean ± SEM.
Results
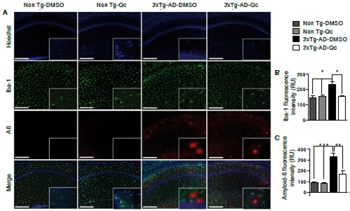
Quercetin reduces β -amyloid aggregation and microglial immunoreactivity in aged 3xTgAD mice
We confirmed an increased fluorescence intensity (FI) of the microglial population and βA plaques in 3xTg-AD mice compared to non-Tg animals (figure 1A). Interestingly, quercetin treatment reduced significantly the Iba-1 (34%) and βA (48%) FI in the CA1 region of aged 3xTg-AD mice compared to untreated 3xTg-AD mice (figure 1B,C). Microglia showed increased cell body size similar to amoe-boid shape in untreated 3xTgAD mice, which was blocked by the quercetin treatment in aged animals (figure 1A).

Quercetin ameliorates astrogliosis in aged 3xTgAD mice
We qualitatively assessed pyramidal layer of the CA1 area in relation to the cell cytoarchitecture and the presence of microglial cells using a Nissl-Iba1 IR counterstaining. We detected an increased cellular condensation and irregular morphology in aged 3xTgAD mice surrounded by Iba1+ cells (figure 2A). These observations were supported by hypertrophied astrocytes, which showed a significant increase in the GFAP immunoreactivity (33%), compared with untreated and treated control groups (figure 2B). However, with the quercetin treatment mice recovered a similar morphological shape and reactivity in the CA1 area to those of control groups (figure 2 A, B).

Inflammatory mediators are down-regulated by quercetin in the CA1 area of 3xTgAD mice hippocampus
The hippocampus CA1 area of 3xTgAD mice showed a significant increase of iNOS immunoreactivity with a diffuse distribution in the parenchyma (figure 3A, B). COX-2 reactivity also showed a vessel-like elongated pattern, which significantly increased in the Alzheimer’s disease model (figure 3A, C). Quercetin-treated mice presented a significant reduction in immunostaining in the CA1 area (figure 3A,B,C), supported by normal IL-1β levels in comparison to the untreated 3xTg-AD group and similar to the control groups (figure 3 D). However, hippocampal total lysates did not show significant changes in the iNOS and COX-2 protein levels (figure 3 E).

Discussion
Findings suggested a reduction of the pro-inflammatory response in the CA1 hippocampal region of aged 3xTg-AD mice with the use of quercetin, confirming our recent results where quercetin reversed β-amyloidosis and tauopathy associated to cognitive and emotional behavioral improvement17.
In a pathological context, βA aggregates can activate microglia cells and astrocytes generating local inflammation and amplifying neuronal death signaling21. In our study, the CA1 hippocampal area of aged 3xTgAD mice presented a pro-inflammatory environment marked by β-amyloid plaques surrounded by microgliosis associated to hypertrophied astrocytes and condensed pyramidal layer. These changes were accompanied by the up-regulation of IL-1β, COX-2, and iNOS, which could be specific for the CA1 area, as they were not detected in the total hippocampal lysates.
Human Alzheimer’s disease and models are characterizedby a high microglial hyperreactivity1,3, which increasesthe release of proinflammatory cytokines and decreases βA clearance4,22. For this reason, IL-1β stimulates theproduction of COX-2 by microglial cells in brains affected by Alzheimer’s disease23, which favors the expression of iNOS through PGE2 production24, although IL-1β also directly activates before iNOS7. In a positive feedback, PGE2 also induces microgliosis and this promotes astrocyte proliferation13. Recently, it was found that microglial-specific deletion of PGE2 restores microglial chemotaxis and βA clearance suppresses toxicity of the exacerbated pro-inflammatory response and microglial activation25,26. On the other hand, astrocytes reactivated by their interaction with βA release IL-1β, iNOS, and COX-2 amplifying the immune response5,6,12. This exacerbated reactivity causes astrocyte atrophy, which may also result in a reduced proteolytic clearance of βA and contribute to the extracellular βA accumulation and the decrease of neuronal support27-29.
Our findings suggest that the quercetin treatment induced an anti-inflammatory response confirming previous studies where the compound decreases the production of inflammatory mediators such as iNOS, NO, COX-2, PGE2, and IL-1β and reduces the activation of microglia and astrocytes30-33. Furthermore, quercetin contributes to the reduction of oxidative stress, since it increases the production of antioxidant enzymes in astrocytes, microglia and neurons34,35. Thus, quercetin might help to inhibit the feedback among proinflammatory mediators and glial cells avoiding the spreading of neuronal damage.
Interestingly, our results showed that the quercetin treatment also reverses the immune response in an advanced stage of the disease in the model under study. This suggests that the induction of βA phagocytosis4,36 and the decrease in the release of neurotoxic cytokines2 are mediating the protective action of quercetin, because in our previous observations quercetin did not regulate typical tauopathy mediator enzymes, such as CDK5 and GSK3-beta17. However, quercetin might reduce tauopathy by the regulation of IL-1 β/p38 MAPK activation8 and, thus, improve cognitive performance17. Other protective effects have been described for quercetin in restoring the expression of genes perturbed by βA accumulation including DNA replication, cell cycle proteins, hypoxia response, de novo pyrimidine deoxyri-bonucleotide biosynthesis, p53 pathway and βA metabolism regulation and in decreasing βA40 and βA42 species by the stabilization of astrocytes-derived apolipoprotein E37,38.
Our work suggests an anti-inflammatory effect of quercetin in hippocampal CA1 region in a model for Alzheimer’s disease of triple transgenic aged mice by reducing β-amyloid plaques aggregation and microglial and astroglial reactivity as reflected in the decrease of IL-1β/ COX-2/ iNOS pro-inflammatory signaling, which could be closely related to previous findings on the reversal of tauopathy, as well as emotional and cognitive impairment.
Acknowledgements
The authors would like to thank the Grupo de Neurociencias de Antioquia, Facultad de Medicina, Universidad de Antioquia, and the Group of Bio-active Substances for their scientific and technical support during the experiments.
References
1. QuerfurthHW, LaFerlaFM.Alzheimer’s disease. N Engl J Med. 2010;362:329-44. https://doi.org/10.1056/NEJMra0909142
2. MoralesI, Guzmán-MartínezL, Cerda-TroncosoC, FaríasGA, MaccioniRB.Neuroinflammation in the pathogenesis of Alzheimer’s disease. A rational framework for the search of novel therapeutic approaches. Front Cell Neurosci. 2014;8:1-9https://doi.org/10.3389/fncel.2014.00112
3. BaronR, BabcockAA, NemirovskyA, FinsenB, MonsonegoA.Accelerated microglial pathology is associated with Aβ plaques in mouse models of Alzheimer’s disease. Aging Cell. 2014;13:584-95. https://.doi.org/10.1111/acel.12210
4. HickmanSE, AllisonEK, El KhouryJ.Microglial dysfunction and defective beta-amyloid clearance pathways in aging Alzheimer’s disease mice. J Neurosci. 2008;28:8354-60. https://doi.org/10.1523/JNEUROSCI.0616-08.2008
5. RodríguezJJ, OlabarriaM, ChvatalA, VerkhratskyA.Astroglia in dementia and Alzheimer’s disease. Cell Death Differ. 2008;16:378-85.https://doi.org/10.1038/cdd.2008.172
6. CarreroI, GonzaloMR, MartínB, Sanz-AnquelaJM, Arévalo-SerranoJ, Gonzalo-RuizA.Oligomers of beta-amyloid protein (Aβ 1-42) induce the activation of cyclooxygenase-2 in astrocytes via an interaction with interleukin-1beta, tumour necrosis factor-alpha, and a nuclear factor kappa-B mechanism in the rat brain. Exp Neurol. 2012;236:215-27. https://doi.org/10.1016/j.expneurol.2012.05.004
7. Rubio-PérezJM, Morillas-RuizJM.A review: Inflammatory process in Alzheimer’s disease, role of cytokines. Sci World J. 2012;2012:1-15. https://doi.org/10.1100/2012/756357
8. LiY, LiuL, BargerSW, GriffinWS.Interleukin-1 mediates pathological effects of microglia on tau phosphorylation and on synaptophysin synthesis in cortical neurons through a p38-MAPK pathway. J Neurosci. 2003;23:1605-11.
9. PacherP, BeckmanJS, LiaudetL.Nitric oxide and peroxynitrite in health and disease. Physiol Rev. 2007;87:315-424. https://doi.org/10.1152/physrev.00029.2006
10. SchopferF.NO-dependent protein nitration: A cell signaling event or an oxidative inflammatory response?Trends Biochem Sci. 2003;28:646-54. https://doi.org/10.1016/j.tibs.2003.10.006
11. KlegerisA, WalkerDG, McgeerPL.Activation of macrophages by Alzheimer β amyloid peptide. Biochem Biophys Res Commun. 1994;199:984-91. https://doi.org/10.1006/bbrc.1994.1326
12. HenekaMT, O’BanionMK, TerwelD, KummerMP.Neuroinflammatory processes in Alzheimer’s disease. J Neural Transm. 2010;117:919-47. https://doi.org/10.1007/s00702-010-0438-z
13. ZhangD, HuX, QianL, WilsonB, LeeC, FloodP, et al. Prostaglandin E2 released from activated microglia enhances astrocyte proliferation in vitro. Toxicol Appl Pharmacol. 2009;238:64-70. https://doi.org/10.1016/j.taap.2009.04.015
14. NaganoT, KimuraSH, TakemuraM.Prostaglandin E2 reduces amyloid β -induced phagocytosis in cultured rat microglia. Brain Res. 2010;1323:11-7. https://doi.org/10.1016/j.brainres.2010.01.086
15. KanterM, UnsalC, AktasC, ErbogaM.Neuroprotective effect of quercetin against oxidative damage and neuronal apoptosis caused by cadmium in hippocampus. Toxicol Ind Health. 2013;32:541-50. https://doi.org/10.1177/0748233713504810
16. AnsariMA, AbdulHM, JoshiG, OpiiWO, ButterfieldDA.Protective effect of quercetin in primary neurons against A β (1-42): Relevance to Alzheimer’s disease. J Nutr Biochem. 2009;20:269-75. https://doi.org/10.1016/j.jnutbio.2008.03.002
17. Sabogal-GuáquetaAM, Muñoz-MancoJI, Ramírez-PinedaJR, Lamprea-RodríguezM, OsorioE, Cardona-GómezGP.The flavonoid quercetin ameliorates Alzheimer’s disease pathology and protects cognitive and emotional function in aged triple transgenic Alzheimer’s disease model mice. Neuropharmacology. 2015;93:134-45. https://doi.org/10.1016/j.neuropharm.2015.01.027
18. AronicaE, DicksonD, KressY, MorrisonJ, ZukinR.Non-plaque dystrophic dendrites in Alzheimer hippocampus: A new pathologicalstructure revealed by glutamate receptor immunocytochemistry. Neuroscience. 1998;82:979-91. https://doi.org/10.1016/S0306-4522(97)00260-1
19. OddoS, CaccamoA, ShepherdJD, MurphyMP, GoldeTE, KayedR, et al.Triple-transgenic model of Alzheimer’s disease with plaques and tangles. Neuron. 2003;39:409-21. https://doi.org/10.1016/S0896-6273(03)00434-3
20. Gutiérrez-VargasJ, Castro-ÁlvarezJF, Velásquez-CarvajalD, Montañez-VelásquezMN, Céspedes-RubioÁ, Cardona-GómezGP.Rac1 activity changes are associated with neuronal pathology and spatial memory long-term recovery after global cerebral ischemia. Neurochem Int. 2010;57:762-73. https://doi.org/10.1016/j.neuint.2010.08.014
21. GlassCK, SaijoK, WinnerB, MarchettoMC, GageFH.Mechanisms underlying inflammation in neurodegeneration. Cell. 2010;140:918-34. https://doi.org/10.1016/j.cell.2010.02.016
22. von BernhardiR, RamírezG, ToroR, EugenínJ.Pro-inflammatory conditions promote neuronal damage mediated by Amyloid Precursor Protein and decrease its phagocytosis and degradation by microglial cells in culture. Neurobiol Dis. 2007;26:153-64. https://doi.org/10.1016/j.nbd.2006.12.006
23. WangP, GuanP-P, WangT, YuX, GuoJ-J, WangZ-Y.Aggravation of Alzheimer’s disease due to the COX-2-mediated reciprocal regulation of IL-1 β and A β between glial and neuron cells. Aging Cell. 2014;13:605-15. https://doi.org/10.1111/acel.12209
24. QuanY, JiangJ, DingledineR.EP2 receptor signaling pathways regulate classical activation of microglia. J Biol Chem. 2013;288:9293-302. https://doi.org/10.1074/jbc.M113.455816
25. JohanssonJU, WoodlingNS, WangQ, PanchalM, LiangX, Trueba-SaizA, et al.Prostaglandin signaling suppresses beneficial microglialfunction in Alzheimer’s disease models. J Clin Invest. 2015;125:350-64. https://doi.org/10.1172/JCI77487
26. Dá MesquitaS, FerreiraAC, SousaJC, Correia-NevesM, SousaN, MarquesF.Insights on the pathophysiology of Alzheimer’s disease: The crosstalk between amyloid pathology, neuroinflammation and the peripheral immune system. Neurosci Biobehav Rev. 2016;68:547-62. https://doi.org/10.1016/j.neubiorev.2016.06.014
27. HeppnerFL, RansohoffRM, BecherB.Immune attack: The role of inflammation in Alzheimer disease. Nat Rev Neurosci. 2015;16:358-72. https://doi.org/10.1038/nrn3880
28. SteeleML, RobinsonSR.Reactive astrocytes give neurons less support: Implications for Alzheimer’s disease. Neurobiol Aging. 2012;33:423. https://doi.org/10.1016/j.neurobiolaging.2010.09.018
29. OrreM, KamphuisW, OsbornLM, JansenAH, KooijmanL, BossersK, et al.Isolation of glia from Alzheimer’s mice reveals inflammation and dysfunction. Neurobiol Aging. 2014;35:2746-60. https://doi.org/10.1016/j.neurobiolaging. 2014.06.004
30. KangC-H, ChoiYH, MoonS-K, KimW-J, KimG-Y.Quercetin inhibits lipopolysaccharide-induced nitric oxide production in BV2 microglial cells by suppressing the NF- β B pathway and activating the Nrf2-dependent HO-1 pathway. Int Immunopharmacol. 2013;17:808-13. https://doi.org/10.1016/j.intimp.2013.09.009
31. SharmaV, MishraM, GhoshS, TewariR, BasuA, SethP, et al. Modulation of interleukin-1 β mediated inflammatory response in human astrocytes by flavonoids: Implications in neuroprotection. Brain ResBull. 2007;73:55-63. https://doi.org/10.1016/j.brainresbull.2007.01.016
32. LuJ, WuD, ZhengY, HuB, ZhangZ, ShanQ, et al.Quercetin activates AMP-activated protein kinase by reducing PP2C expression protecting old mouse brain against high cholesterol-induced neurotoxicity. J Pathol. 2010;222:199-212. https://doi.org/10.1002/path.2754
33. SungM-S, LeeE-G, JeonH-S, ChaeH-J, ParkSJ, LeeYC, et al. Quercetin inhibits IL-1 β -induced proliferation and production of MMPs, COX-2, and PGE2 by rheumatoid synovial fibroblast. Inflammation. 2012;35:1585-94. https://doi.org/10.1007/s10753-012-9473-2
34. LavoieS, ChenY, DaltonTP, GysinR, CuénodM, SteulletP, et al.Curcumin, quercetin, and tBHQ modulate glutathione levels in astrocytes and neurons: Importance of the glutamate cysteine ligase modifier subunit. J Neurochem. 2009;108:1410-22.https://doi.org/10.1111/j.1471-4159.2009.05908.x
35. ChenJC, HoFM, Pei-DawnLC, ChenC-P, JengK-CG, HsuHB, et al.Inhibition of iNOS gene expression by quercetin is mediated by the inhibition of I β B kinase, nuclear factor-kappa B and STAT1, and depends on heme oxygenase-1 induction in mouse BV-2 microglia. Eur J Pharmacol. 2005;521:9-20. https://doi.org/10.1016/j.ejphar.2005.08.005
36. KrabbeG, HalleA, MatyashV, RinnenthalJL, EomGD, BernhardtU, et al.Functional impairment of microglia coincides with beta-amyloiddeposition in mice with Alzheimer-like pathology. PLoS One. 2013;8:e60921. https://doi.org/10.1371/journal.pone.0060921
37. ZhangX, HuJ, ZhongL, WangN, YangL, LiuC-C, et al.Quercetin stabilizes apolipoprotein E and reduces brain A β levels in amyloid model mice. Neuropharmacology. 2016;108:179-92. https://doi.org/10.1016/j.neuropharm.2016.04.032
38. KongY, LiK, FuT, WanC, ZhangD, SongH, et al.Quercetin ameliorates A β toxicity in dosophila AD model by modulating cell cycle-related protein expression. Oncotarget. 2016;7:67716-31.https://doi.org/10.18632/oncotarget.11963
Notes
Author notes
*Corresponding author: Gloria Patricia Cardona-Gómez, Sede de InvestigaciónUniversitaria (SIU), Universidad de Antioquia, Calle 62 N° 52-59, torre 1, piso 4, laboratorio 412, Medellín, Colombia Telephone: (574) 219 6458; fax: (574) 219 6444 patricia.cardonag@udea.edu.co
Conflict of interest declaration