Artículos

Recepción: 03 Diciembre 2018
Aprobación: 03 Septiembre 2019
Resumen: Los puntos del underground, como geografías de la invisibilidad, subterráneas y liminoides, suelen relucir por su carácter efímero al tratarse de espacios sesgados y de difícil legislación. Las características políticas, culturales, físicas, sociales, históricas, naturales, demográficas, económicas, así como la infraestructura y los imaginarios que recaen sobre los entornos que les contienen, permiten o no su existencia y los grados relacionales que han de enlazar con la cotidianeidad y vitalidad de cada mancha cultural presente en ellos. El Multiforo “El Clandestino”, en una periferia de la Ciudad de México, es un ejemplo de inserción en un entorno urbano que no impide su posibilidad de emergencia. Por medio de la etnografía urbana se pretende revelar esa articulación que guarda “El Clandestino” con su entorno, a través del uso de diversas categorías analíticas que consideran los cambios de lógica espaciotemporal y la caracterización de esos escenarios partiendo de la vitalidad que éstos tienen, o no, así como la constitución de continuidades y discontinuidades en el espacio urbano a través del uso y la apropiación del espacio como componentes que posibilitan la generación de prácticas socioculturales puntuales, la territorialización de experiencias y vivencias muy específicas, así como la consecuente modelación de identidades urbanas.
Palabras clave: Tocada punk, Underground, Etnografía urbana, Liminoide, Vitalidad urbana.
Abstract: The points of the underground, like geographies of invisibility, subterraneans and liminoids, usually shine for their ephemeral character as they are biased spaces and difficult legislation. The political, cultural, physical, social, historical, natural, demographic, economic characteristics, as well as the infrastructure and the imaginaries that fall on the environments that contain them, allow or not their existence and the relational degrees that have to link with everyday life and vitality of every cultural stain present in them. The Multiforo “El Clandestino”, on a periphery of Mexico City, is an example of insertion in an urban environment that does not prevent its possibility of emergency. Through urban ethnography, it is intended to reveal that articulation that “El Clandestino” has with its surroundings, through the use of various analytical categories that consider the changes of spacetime logic and the characterization of these scenarios based on the vitality they have, or not, as well as the constitution of continuities and discontinuities in the urban space through the use and appropriation of space as components that enable the generation of specific sociocultural practices, the territorialization of very specific experiences and experiences and the consequent modeling of urban identities
Keywords: Punk Gig, Underground, Urban Ethnography, Liminoid, Urban Vitality.
La reconstrucción etnográfica1 presentada en este artículo busca atender la necesidad de abordar a través de una serie de inscripciones –descripciones densas (Geertz, 1973): registros, escritos, fotografías, dibujos, planos, mapas, croquis, tablas– los discursos sociales en la relación que guardan los lugares del underground2con los entornos urbanos en los que han llegado a poder localizarse. Por lo tanto, las descripciones en torno a los escenarios de “El Clandestino”, un multiforo inaugurado en el año 2004 por varios amigos punks, en el municipio de Ecatepec de Morelos, Estado de México, oscilan desde el exterior hasta el interior; ambos, el referente empírico, sin embargo, con diferentes prácticas y temporalidades, por lo que resulta imperante en el ámbito de la cultura urbana cuestionarse: ¿se aceptan, se complementan, coexisten? ¿O no? Las respuestas se presentan divididas en tres partes, dos a lo largo del apartado nombrado “Dirección Ecatepunk” y la restante en aquel denominado “Escenarios urbanos”.
El exterior (primera parte) es conformado por el entorno –ciertas cuadras a la redonda del multiforo– al que está incorporado aquello interior, el punto –el inmueble de “El Clandestino” –, en una lógica espaciotemporal3 diurno-vespertina, laboral (entre semana), preliminar y posliminar; en cambio, el punto liminoide (segunda parte) se identifica sumergido en el cambio de lógica, vespertino-nocturna, la liminaridad, el ocio, tiempo libre, convivencia, sociabilidad y entretenimiento (fin de semana). Dichos escenarios son reconstruidos por escenas virtuales captadas durante los recorridos y percepciones durante el flâneur, en los entornos y puntos urbanos de análisis, posibilitando captar, registrar y describir las prácticas más significativas de la cotidianeidad, así como, también, los grados de vitalidad urbana (tercera parte) que engloban al underground4como inserción espacial en determinado entorno.
Dirección Ecatepunk:etnografiando al Clande periférico
El Distrito Federal5 es una ciudad que se extiende más allá de sus fronteras. Entonces, difícil es responder: ¿dónde comienza? ¿Dónde termina? Porque la ciudad –ésta– se caracteriza por su voracidad y fragmentación. Es una sola y una aglomeración de tantas. Otras. Vecinas. Ajenas. Hermanas. Etcétera. El Estado de México conforma la colindante más amplia del D. F. y, además, la extensión más importante de éste. Al norte de la ciudad, en la yuxtaposición entre el D. F. con (los municipios de) Nezahualcóyotl y Texcoco, se encuentra Ecatepec6. “Ecatepunk” ora la polifónica voz punk, en sentido a la larga tradición ad-hoc que caracteriza a este territorio. Es ahí, en esa frontera difuminada y a veces desdibujada por los beneficios de la interconexión –por el STC7 Metro– de la ciudad con sus ciudades, donde se inserta El Clande, como le dice la banda.
Los Orígenes de los punks en las colonias del norte de la ciudad de México se remontan a la segunda mitad de la década de los ochenta, con jóvenes de clase popular. Unfenómeno de jodidos, le nombró José Agustín (Ramírez, 1996:103-104), en un hábitat contextualizado por un equipamiento urbano precario conformado principalmente por un paisaje de lo que originalmente fueron terrenos ejidales en los que, desde las décadas de los cincuenta y sesenta, se establecieron en gran medida, de manera ilegal e informal, distintas familias provenientes de diversos lugares, aprovechando los intersticios en la vigilia de las leyes y reformas agrarias y que para los ochenta todavía seguía presentando múltiples deficiencias en infraestructura, equipamiento, transporte urbano y en servicios, con ingresos económicos bajos y oportunidades educativas, laborales y recreativas lejanas a su contexto.
Esos jóvenes punks prontamente recrearon medios intertextuales(Angenot, 1997) de expresión a través de fanzines, bandas musicales o tocadas: “hicieron de la necesidad una virtud” (Hebdige, 1979:151). En esa misma línea, la tocada punk –o toquín punk– define a una especie de recital o concierto de lo más informal: montar un show con lo más elemental, en cualquier lugar (casas, bares, bodegas, calles…), sin importar en demasía temas de acústica, permisos o remuneraciones. También presentaron las facetas de la violencia inducidas por pandillas con arraigo territorial, las hubo con tintes punk: los chavos banda. Los más famosos eran Los Mierdas Punk, Los Rotos, Los PND (Punk Not Death), el MPN (Movimiento Punk de Neza) y las BUN (Bandas Unidas de Neza). Incubadora de distintas subculturas y tendencias underground. Los problemas de transportación y los largos traslados a zonas centrales de la ciudad provocaron el resguardo en el barrio y la necesidad de lugares fijos y accesibles para las tocadas en Ecatepec y el resto del norte de la ciudad. De este modo, desde 2003-2004, es que ha surgido el Clande.
Pero de esa historia hace casi tres décadas y hoy, en la tercera sección de Valle de Aragón, una de esas colonias a las que se ha remitido, está comenzando el fin de semana. Sin embargo, cierto es que el horario matutino dista el deseo con la realidad, la cual es trazada por la dinámica propia que tienen las jornadas con la dicotomía trabajo-descanso o fiesta-trabajo/fiesta-descanso. A una gran mayoría de la población incluso no le queda más que soportar una jornada (extra) sabatina laboral y prolongar su abordaje en el cambio de lógica: el ritual de la circunstancia (M. Foucault, 1970), tiempo libre (R. Tena & J. García Ayala, 2007) o la anti/proto-estructura, communitas, liminaridad-liminoide como modo subjuntivo de la vida social en un tiempo-espacio posible (V. Turner, 1989; I. Geist, 2002; F. Heredia, 2009). Esa oscilación entre las jornadas define trayectos: Casa-lugar de trabajo-fonda/casa/restaurante/lugar de trabajo-lugar de trabajo-casa, lugar de trabajo-fonda/casa/restaurante/lugar de trabajo-bar/lugar de fiesta-casa o casa-escuela-casa-cuadra/esquina/parque-casa, etcétera, variadísimos. Las diferentes líneas que unen a estos parajes se dan a partir de la caminata, el uso de la bicicleta y/o de diferentes medios de transporte. Se fundamentan en actividades (trabajo, educación, mandado [compras], traslado) de los principales actores (habitantes, empleados, estudiantes, transeúntes) del entorno local, conformado por distintos lugares cercanos al punto, como escenario interior.
El entorno, o escenario exterior (véase el plano 1),8 está consolidado por negocios tales como: venta de pisos, baños, materiales, acabados; servicio automotriz y mecánico; carpinterías; tiendas, minisúper y vinícola; bodega de plásticos; impresiones, transportes de uso público; gasolineras; ambulantaje diverso; contadores; análisis clínicos, etc. Así como de ocios, que pueden ser las propias viviendas, un modulo deportivo, una zona de bancas y una cancha de basquetbol; o bien, para su disfrute, bares, multiforos, table dance, salón de fiestas, etc. Esto es lo que presenta grosso modo este fragmento de Avenida Central, pero… ¿y cómo es que se ha arribado hasta aquí? Con un trayecto iniciado en algún punto del D. F., el STC Metro (la línea B) se convierte en la línea conectora con el siguiente paraje: el entorno inmediato al punto: “El Clandestino”. Una distancia representada en un sinfín de kilómetros y situada desde una zona central del D. F. (Buena Vista, Garibaldi o Lagunilla) hasta este punto de Ecatepec, en el Estado de México, no abarca más de treinta minutos. Después del sombrío traslado subterráneo, a partir de la estación Morelos, las ventanillas ofrecen una vista hacia el exterior y el vagón de tren (del STC Metro) un cálido y confortable viaje. Asientos vacíos a la vista. A mitad del recorrido entre San Lázaro-Ricardo Flores Magón, esta línea se sitúa ya en la Avenida Central, la cual surge de una liga de carreteras entre el Eje Tres Oriente y el Eje Uno Norte. Por las ventanillas a la derecha del vagón, los rayos del sol pasan de lo confortable a lo insoportable; adormita y noquea, mientras broncea la piel morena de los instalados en esa zona. Estaciones: “Villa de Aragón”, “Netzahualcóyotl”, “Impulsora” y ¡al fin! “Río de los Remedios”. La llegada y boca a este entorno y al inframundo (underground): el pórtico al punto clandestino.

El entorno y sus escenas virtualespreliminares y posliminares
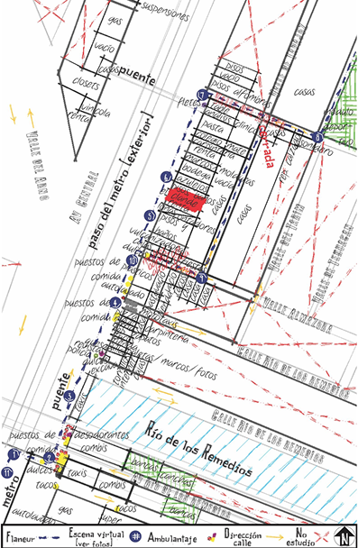
El ejercicio del flaneur trata del acercamiento al entorno urbano como si fuera la primera vez: recorrerlo, observarlo, olerlo, escucharlo y sentirlo con el fin de conocerle de cerca y por dentro, en posibilidad de encontrar, registrar y caracterizar las prácticas más significativas, repetitivas y representativas en la cotidianeidad del entorno. La importancia de la primera impresión, de donde surgen una serie de escenas virtuales en una lógica pre y posliminar, de lo cotidiano. Es en la estación del STC Metro “Río de los Remedios” donde comienza el recorrido local de este escenario, conformado por un total de once momentos/imágenes urbanas retratadas en escenas virtuales que se presenta a continuación (véase el Mapa 1, donde cada círculo enumerado corresponde a alguna de ellas; y ver serie fotográfica 1, entiéndase ahí “ev” por escena virtual).

La salida de la estación del STC Metro (escena virtual 1) se da a través de un puente peatonal, contiguo a uno para automóviles, que sitúa en las aceras de Avenida Central. Al descender por la escalera de este puente de 6-7 metros de altura se distinguen, principalmente, por un lado, las distintas ofertas de transporte: paraderos de combis y peseras y un sitio de taxis; también puestos de ambulantes (revistas, dulces, palomitas, frutas, gelatinas y de accesorios, además de seis estructuras aún vacías); y, por el otro, una gasolinera con un minisúper, vecinos a un autolavado y a dos taquerías ambulantes. Un último peldaño en la escalera para situarse en la banqueta de Avenida Central (escena virtual 2), la cual se muestra repleta de más ambulantaje (flanes, golosinas, desodorantes y perfumes, más cinco estructuras por el momento vacías), teléfonos públicos y personas vendiendo, comprando, marcando-llamando-hablando, andando e instaurándose en ese subibaja de escalones. Debajo de los puentes para tránsito automovilístico se halla otro paradero de combis, choferes resguardados bajo la sombra de éste; al fondo, grúas a la renta y una zona de bancas cercana a una cancha de básquetbol, por el momento ambas desocupadas.
El cruce del río de los Remedios (escena virtual 3) es a partir de un puente donde se encuentra otro sitio de taxis (blancos). Es por la cercanía al río que tanto una avenida (a su derecha) como dos calles, una muy polvorienta (a su izquierda), llevan su nombre. Aquí comienza a verse un paisaje más claro, sin grandes obstáculos (puentes), así como un gran flujo de personas en las banquetas y de automóviles en la avenida. Se percibe el pestilente aroma que emerge de las aguas del río, el cual es distanciado, de este cruce peatonal, por un muro pintado de amarillo que evita caer en las fauces de su cauce verdoso. En calle Río de los Remedios (Escena virtual 4), se sitúa un paradero de Mototaxis, se observan seis de estos transportes, los choferes esperan. Mientras: platican, hacen bromas, fuman, hasta que alguien se acerca y exclama Cuánto me cobras a… Los que caminan son principalmente gente de la tercera edad o al menos de cincuenta años, ambos sexos. En la esquina formada con Av. Central –la que va hacía el STC Metro– está una casa, apenas enjarrada (en planta alta), que en planta baja tiene cuatro locales, esos sí pintados y con letreros de Pizzas, Paletas, Birria y Aquí: Reparadora de calzado. De este lado llega un olor mezclado de salsa de tomate con humo de tubo de escape. La otra esquina –la que va hacía el Clande– presenta un autolavado cerrado, un negocio de materiales, una tienda y, detrás de estos, una extensa bodega de artículos de plástico, muy bien surtida y con mucha clientela, de ella entran y salen cargadores que desde una camioneta descargan mercancía afín.
Las siguientes tres escenas virtuales (5-7) pertenecen a la manzana delimitada por las calles Valle del Amur (al norte) y Valle de Almanzora (al sur). Es aquí donde se sitúa el Clande. Esta primera división, de sur a norte (Escena virtual 5), presenta negocios relacionados con la reparación de automóviles y principalmente con la venta de cerámicos y materiales de acabados (pisos, azulejos, muebles de baños, tinacos, calentadores, pastas). Son estos últimos locales los que en la manzana se encuentran en mejor estado en su arquitectura. Huelen un poco a polvo, a pesar de su limpieza y se perciben fríos a diferencia de los demás. Un edifico azul de cinco pisos –vecino al predio graffiteado colindante al Clande– con un rostro mitad cristal y mitad concreto, ofrece, en planta baja, impresión inmediata en lona y, en plantas altas, servicio de contaduría pública y auditoría. El frente de su banqueta es utilizado por momentos como estacionamiento, aprovechando su anchura. ¿Las personas? En la acera: tránsito sencillamente nulo. En los locales: a la espera, que momentáneamente no atienen a nadie, bodegueros acomodando.
Unos pasos adelante (ya al centro de la manzana, Escena virtual 6), esquivando automóviles, postes de luz, lonas con letreros, soportes para toldos, muestras de pisos y azulejos, tinacos y hasta jacuzzis, pero ninguna persona, y se está frente al Clande: arquitectónicamente es una nave industrial, con fachada desgastada al por mayor pintada de negro y un letrero que dice El Clandestino Multiforo, en su pretil. Camuflado como ahora, seguro que cualquier despistado en su búsqueda no daría con él. Ésta es una de sus escenas cuando se encuentra cerrado. Es bastante notable cómo el local de pisos a su izquierda se extiende encima de él, sus paredes han sido infestadas de más muestras que hacen las veces de lambrín. Pero no basta, en el frente de su banqueta se ubican más. Acercándose a dicho local, se descubre que la banqueta también es aprovechada para mostrar los productos y se encuentra completamente tapizada. Ahí, una chica se halla pensativa frente a un cuadernillo, seguramente haciendo cuentas, hasta que escucha una voz que le pregunta “¿Conoces al ‘Topo’ –el dueño del Clande–?” Sí, pero no está, salió por unas cosas. Más tarde tienen tocada.
Los puentes peatonales se vuelven fundamentales, pues esta avenida además de tener un tránsito automovilístico intenso, el paso exterior del STC Metro inhibe poder trasladarse libremente de una acera a otra. En esquina de Avenida Central y Valle del Amur (Escena virtual 7) se localiza uno, comunica con una acera donde sobresale otra gasolinera y una vinícola. También están negocios de suspensiones y de fabricación de closets. Acá (división de norte a sur), en la acera del Clande, en esa esquina, se erige el “Golden”, un table dance obviamente cerrado por el horario; recargados en sus cortinas metálicas están un niño con mochila y su madre, aguardando por minutos bajo la sombra de las paredes del recinto de dos pisos, hasta abordar una pesera. Dos somnolientos cargadores ofrecen servicio de fletes con su camioneta estacionada sobre la avenida; al puente suben dos cincuentonas cargadas de marcos; dos mujeres platican y toman el lugar del niño y la madre hasta que se despiden del “Golden” con la llegada de la combi. Quieto es el paso de los transeúntes, son muy pocos los que en este punto y en este horario dedican a la andanza. De esos pocos, es característico que se trata de mayores de cincuenta años. ¿Los negocios? Bajo la supremacía de los dedicados a la venta de pisos, azulejos y pastas, está uno de análisis clínicos y la relativa dinámica de los trabajadores de una carpintería; un local en renta y, por último, otro niño que, con su perro, figura de guardián de una tienda de marcos y molduras.
En la esquina conformada por Valle de Tarim y Valle del Amur (Escena virtual 8) se localiza el módulo deportivo “Valle de Tarim”, se encuentra demasiado maltrecho para haber sido construido apenas hace poco más de una década por el gobierno en turno –1997-2000 recuenta una placa anclada en el acceso. Enrejado en todo su perímetro, tiene un solo acceso, ahí, se encuentra un guardia que, además, cobra una moneda de un peso a cambio de entrar. Adentro (en orden) hay una cancha de fútbol rápido, una de basquetbol, una pista de atletismo, bancas, juegos infantiles y otras más de basquetbol. Tan sólo hay tres personas, incluyendo al guardia. Afuera, a su alrededor, dominan las viviendas; no muy lejos, un sonidero con un letrero ofrece sus servicios para amenizar fiestas y otra reparadora de calzado: Cambio tapas y suelas –se lee mientras llega un ligero olor a pegamento amarillo y a cuero. La calle Valle de Tapajoz (Escena virtual 9) se encuentra tras la manzana del Clande. Se accede y sale por Valle de Almanzora, pues es una cerrada del lado de Valle del Amur. Está constituida casi completamente por viviendas a excepción de un colegio de matemáticas, al fondo. El pavimento, tanto en baquetas como en el arroyo, está muy parchado, ahí, se hallan estacionados automóviles de modelos no pasados al 2005. Algunas paredes en fachadas se encuentran despellejadas en su pintura, esto nunca rebasa el metro de altura –¿las marcas del desbordamiento del rio?–, otras están en muy buen estado. Bajo una escena desolada –niños en escuela, padres y madres laborando y amas de casa– resaltan la imagen de varios árboles que contrastan con el paisaje totalmente raso en vegetación de Avenida Central.
El sol se ha situado cuasi perpendicular y de sus rayos es difícil ocultarse (Escena virtual 10). Este regreso sitúa en las esquinas de Valle de Almanzora con Avenida Central y, de nueva cuenta, a esquivar obstáculos en la banqueta, todo bajo un intenso olor a grasa: llantas, motocicletas, postes de luz, tambos, mangueras y a un perro que toma la siesta. En Valle de Almanzora se encuentran, por un lado, varados algunos automóviles en reparación, el taller se ha extendido al espacio público, y, por otro, un paradero de combis más. Hay locales de: vulcanizadora, servicio automotriz, mofles, barnices y un salón de fiestas. Esta calle con doble sentido (tránsito vehicular) está dividida, en el centro, por un camellón donde se levantó un altar a la virgen de Guadalupe. Los trabajadores no quieren broncearse y se escabullen a sus locales. Mecánicos: adentro. Bodegueros: ocultos. Empleados: resguardados. ¿Afuera? Regresó el tránsito peatonal. Continúan los de la tercera edad, seguidos de técnicos de cablevisión, señoras con sacas cargando el mandado o en su búsqueda, novios que esperan la combi, y se revela una leve multitud de jóvenes con mochila en la espalda: estudiantes; de todas edades, pequeños tomados de la mano de su madre, de secundaria y bachillerato, echando desmadre o de novios, y otros muy serios, medio-universitarios y siempre de prisa.
Las calles de las últimas cuadras de retorno al STC Metro son las más pobladas. Tres cuadras para encontrarse con la estación y en el paisaje seco, de concreto, están: un tortero, una señora que juega con su hijo, un joven portando una playera de su amarillento equipo de fútbol, un señor leyendo el periódico, señoras cazando el mandado, mecánicos, estudiantes, señora vendiendo quesadillas –sin queso–, los choferes de mototaxis y otro altar a la virgen –en la pared de la pizzería en calle Río de los Remedios. Dos cuadras para encontrarse con el STC Metro y se observan: estudiantes, un pizzero, los viejos. Que las mujeres son las que atienden en su mayoría los negocios: cocteles de frutas, helados, birria, tacos. Más estudiantes, novios en escalones, neverías y dulcerías (tiendas) atiborradas de niños golosos, y sus madres; un policía en lo suyo (tomando la siesta) y más mamás con carriolas y bebés a bordo. Al final de la última calle, Río de los Remedios, una caseta con dulces, su especialidad: garapiñados y periódicos amarillistas.

Última cuadra para llegar al STC Metro. El pavimento del puente para cruzar el río es tan candente que sobrepasa la suela de los zapatos, en tanto se observan taxistas y el vaivén de multitudes de gente (adultos, viejos, estudiantes, mamás, bebés); la preciada sombra bajo los puentes, ahí, cuatro combis y seis taxis esperando, mujeres atendiendo los puestos ambulantes, peseros a los que les hacen la parada, automóviles a gran velocidad, como depredadores tras de su presa, con origen: Avenida Río de los Remedios y buscando tomar a la derecha, hacia Avenida Central, es difícil cruzar. Familias, jóvenes, viejos, personas en bicicleta, un niño enfermizo empujado en su silla de ruedas, un padre e hijo bajando de la combi, se manifiesta una imagen de grandes grupos de trabajadores transportándose y, por último, antes de subir por la escalera del Metro, el sitio de taxis “Impulsora base periférica”.
Subir escalones, ascender en compañía de una veintena de personas donde sobresalen de nueva cuenta los viejos. En el puente, dos puestos ambulantes: uno de libritos y juguetes para los infantes y otro de papas “Sabritas” y chocolates. Una vez en la estación, el paisaje de sujetos comienza a equilibrarse, normalizarse, ahora los viejos parecen ser minoría. Los noviecitos siguen siendo notorios. A la espera del STC Metro con dirección Buenavista (Escena virtual 11). Una vez abordado el tren, ahora sin asientos disponibles, pero tampoco de pie apretujados, los viajeros acompañantes más evidentes son jóvenes con mochilones como si se fuesen de camping (aunque sólo se trate de libros) y vendedores ambulantes de lo más gritones: Chicle americano sabor menta, ¡llévelo! El paisaje urbano tapizado de cerámicos persiste en semejanza al del caso de estudio por un par de estaciones más hasta que, paulatinamente, se esfuma ante el recibimiento del smog del Distrito Federal.
El punto liminoide y sus escenas virtuales liminares
El Clande –“El Clandestino” Multiforo dice el letrero en su fachada– está hospedado en un bodegón de aproximadamente ciento sesenta metros cuadrados (véase la Imagen I: “Boceto tridimensional del Clande”). Para describirlo, inicialmente físicamente, es preciso indicar que se trata de una nave industrial con elementos constructivos típicos en estas arquitecturas: columnas, trabes, armaduras metálicas, largueros, techumbre de lámina, muros secundarios y de contención. Con lo que es posible salvar grandes claros, tener al menos una doble altura, en este caso de siete a ocho metros, y utilizar una planta libre.

Este Multiforo posiciona los espacios más necesarios para entablar las actividades de uso fundamental (véase la Imagen 2: “Transparencia tridimensional del Clande…”), principalmente para tocadas y conciertos: acceso/salida, vestíbulo, pista de baile y/o zona de estar (el público), baños (para ambos sexos), tarima (escenario), barra y, en planta alta, en lo que es una especie de mezzanine, una sala de usos múltiples (oficina, biblioteca, dormitorio, camerino, etc.). La descripción física (elementos arquitectónicos y urbanos) y la caracterización social y cultural del espacio (pautas) se muestran en las siguientes seis escenas virtuales (véase guía: Imagen 2), registradas durante una tocada punk (véase Imagen 3), en un underground de mediodía dominical, en que se presentaba el disco de una agrupación proveniente de Guadalajara y donde tocaron otras diez bandas (locales) más.
No se puede comenzar en otro lugar sino en el STC Metro (Escena virtual 1, ver serie fotográfica 2). Desde la estación “Guerrero”, cuatro intrépidos punks lo abordan y, en “Oceanía”, se les suma una pequeña familia punkie. Los primeros, platican, beben con disimulo y se burlan del sonido del ambulantaje: salsa, cumbia. Ellos: teces morenas, botas, mechones pintados, gorras, chamarras negras de piel, crestas mohicanas, chalecos decorados con cierres, parches, remaches y estoperoles, ropajes aleopardados, entre otros referentes identitarios. Restan un par de horas para el atardecer y en la periferia del norte se siente un clima de -0° que empeora, entretanto se arriba a la estación “Río de los Remedios”, con la caída de una pequeña y constante lluvia helada.

La calle como prólogo escénico. La acera se encuentra henchida de punks: jóvenes y veteranos (Escena virtual 2). Como fondo está la fachada negra del Multiforo, posters y todavía las muestras de pisos y azulejos de los locales comerciales vecinos recaen sobre sus paredes; delante de él: las caguamas van de mano en mano, sorbo en sorbo. Pláticas, alguien de la escena vendiendo CDs piratas. La música distorsionada se escucha hasta el exterior. Atuendos punks y un par de ignotos que se hacen notar al pedir un descuento en el cóver: “Déjanoslos en $100”. Sí –responde el que cobra. Obteniendo incluso un mejor precio que el de preventa. Entre la puerta metálica y una rejilla que se coloca en la banqueta, se ordena y guía el acceso.

Una vez adentro (Escena virtual 3), en un reducido sitio de interacción que funciona como vínculo entre el interior y el exterior, cuando la multitud por fin lo permite, y caminando cuasi a ciegas, lo primero que se puede percibir es la barra a la derecha, las láminas metálicas y las translúcidas del techo, el equipo de luces (apagado) que cuelga de las armaduras, el piso de concreto y las tres paredes decoradas que fungen como escenografía para los actores, en su mayoría punks: jóvenes, adultos y niños, hasta familias completas; músicos y demás asistentes. En las paredes negras laterales se observan los murales: La Polla Records, The Clash, The Cramps y The Adicts –son la inspiración–, además de posters de eventos pasados y futuros, fotografías, recortes de periódicos y distintos letreros –evacuación, sismos, salidas de emergencia, extinguidores.
Unos pasos adelante (Escena virtual 4), hacia el horizonte, se observa el fondo del bodegón, es una imagen estilizada con crestas agitadas que se anteponen a un muro anaranjado donde sobresale un gigantesco cráneo de cartón; ahí: la tarima (escenario), el equipo de sonido y al costado derecho los baños –dos, individuales para mujeres y hombres. Es una atmósfera oscura construida para emular la noche, apenas hay cuatro focos, dos en cada una de las paredes laterales, que iluminan el espacio de una forma tenue, rojiza y amarillenta.
Bajo un intenso olor a mona (estopa/esponja empapada de thinner u otro solvente), cerveza y mota, cánticos que acompañan las versiones que las bandas –con nombres como Excluded, Bacteria o Convulsiones– interpretan: La Polla Records, Sin Dios, Kortatu, Eskorbuto, como: …Los que trabajan/ se olvidan de los parados/ y los que están libres/ de los encarcelados/ No hay amigos, ni enemigos/ lucha necia, todos contra todos… El slam comienza a absorber a los más cercanos y a crecer desquiciadamente de tamaño; olvidarse de ir al baño hasta que termine esa que dice: …Ya estoy harto, no quiero salir más/ Siempre lo mismo, mierda de ciudad… Existe una interesante comunicación entre los músicos y el público: mentadas de madre, todos parecen saberse las letras de las canciones y conocen el común denominador del estilo punk: los códigos, entre otros, representados en palabras, gestos, movimientos e indumentarias.
El vocalista, entre canción y canción, no quiere dejar de aprovechar su posibilidad, como sujeto emisor del discurso (Foucault, 1970), lanzando lemas como Puño arriba, frente en alto, Seguimos aquí, de pie, Hay que meternos en la cabeza que somos el motor de la ciudad, Orgullo proletario o un Pónganse a bailar hijos de puta. Y cien, de los ciento cincuenta presentes, lo hacen. Entre banda y banda, de fondo, música grabada: Non Servium o Cock Sparrer. Las bandas son de tres, máximo 4 integrantes, de entre veinte y treinta años.
Además del escenario, también la barra se convierte en un lugar central de atención (Escena virtual 5), sitio comercial, de encuentro y precursor de sociabilidad. Es una barra en “L” que limita un espacio de unos doce metros cuadrados. Es una pequeña zona que cuenta con una puerta exclusiva al exterior, cartones de cerveza, una hielera, dos refrigeradores (uno sin puerta), cerveza9, tortas, dulcecillos y, hasta, atriles y pedaleras. Es un lugar constante de “pedir y otorgar”, murmullos y pláticas de por medio.
El espacio más privado del Clande se sitúa en el único sitio que refiere a un primer nivel (Escena virtual 6), una especie de mezzanine cerrado de aproximadamente veinte metros cuadrados. Para ascender existe una escalera en caracol ubicada en la esquina conformada por el muro lateral derecho y la barra. Los escalones son aprovechados por los más pequeños, durante las tocadas, como butacas distinguidas para presenciar mejor el show. Arriba, se encuentran sillones, dos focos, paredes repletas de cráneos (stencil), stickers, recortes de revistas y periódicos, fotografías, lockers y otros muebles. Es una sala de usos múltiples que ha alojado obra artística (fotografía, pintura), asimismo como ha fungido como galería, también lo ha hecho como sala de lectura, oficina y, a veces, como dormitorio.

Escenarios urbanos:vitalidad, recortes y modulacionessocioespaciales en el entorno y el punto
El entorno urbano que rodea a “El Clandestino”, como escenario diurno-vespertino en una lógica preliminar y posliminar (tiempo-espacio estructurado), muestra pocas diferencias respecto al paisaje previo o posterior a su delimitación espacial; que es, principalmente, Avenida Central: con márgenes al norte con Valle del Amur, al sur con Avenida Río de los Remedios y la propia estación del STC Metro, al oriente con Valle de Tapajoz y al poniente el paso del STC Metro por la misma Avenida Central. Se habla de una continuidad de actividades comerciales, muy similares, relacionadas con la venta de materiales para la construcción. A finales del 2000 se culminó el paso del STC Metro por esta zona (Desde Nezahualcóyotl hasta Ciudad Azteca, segunda parte de esta línea que un año antes fue inaugurada y que iba sólo desde Buenavista hasta Villa de Aragón), marcando criterios en el diseño arquitectónico y empírico de la zona: bodegas, algunas viviendas (las más de las veces con locales en su parte baja) y plazas y locales comerciales que corren, como vitrinas infinitas ante el paso del STC Metro, a lo largo de Avenida Central.
Esto se ve aunado a la imposición (perceptiva) de un borde “perenne” guiado por el paso superficial del STC Metro en las estaciones del Estado de México (municipios de Nezahualcóyotl y Ecatepec). No existe la libertad en el peatón para cruzar la Avenida Central sino a través de los puentes que se ubican en cada estación del STC Metro y los intermedios entre cada una de éstas, aproximadamente entre 500 a 800 metros de distancia. Por lo que el paisaje urbano se torna, transversalmente, cuasi impenetrable y, en sentido longitudinal, monótono en los parajes cercanos a cada estación. Sin embargo, al alejarse de éstas, surge una arritmia que disloca la dinámica en las actividades ancladas y ligadas a la transportación, desolando al escenario. Según Ian Bentley et al (1999) los grados de vitalidad en un entorno pueden caracterizarse con las siguientes categorías analíticas –aquí aplicadas al referente empírico:
1. Permeabilidad. Al localizarse en la zona periférica norte de la ciudad de México, su capacidad para ser accesible, fácilmente, está sujeta al tiempo requerido para llegar ahí. Se vuelve poco permeable para aquellos que viven al oriente, pero aun más para los habitantes del poniente y sur de la ciudad: incluso con los municipios del estado de México contiguos a estas zonas, Ixtapaluca, por ejemplo. Sin embargo, el STC Metro se vuelve fundamental para penetrar en este escenario complejo que fluye social y territorialmente entre el norte del D. F., Nezahualcóyotl y Ecatepec. El exterior de la superficial estación del STC Metro se distingue por funcionar, además, como conglomerado de medios de transporte diversos –que van desde paraderos de taxis, combis, microbuses y mototaxis– que interconectan este nodo con otros parajes y conforman trayectos, volviéndolo fundamental y, entonces, permeable para los habitantes de estos municipios y del norte del D. F.. Situación promovida por la conexión entre el Bulevar Río de los Remedios o Anillo Periférico Oriente con la Avenida Central (Carlos Hank González); la primera, comunica vialmente (el sur de) Ecatepec con la Delegación Gustavo A. Madero y con el resto del D. F. y, la segunda, es parte del Eje troncal metropolitano que lleva hasta el sur de la ciudad (Xochimilco). Cabe recalcar que el recorrido, en el STC Metro, desde una zona central del D. F., como lo es Buenavista, a (estación del STC Metro) Río de los Remedios no se da en más de 30 minutos. Por su parte, en la zona se ubican dos puentes que permiten cruzar de un lado a otro la Avenida Central, utilizado en gran medida el que conecta, también, hacia la misma estación del STC Metro.
2. Variedad. El escenario gira en torno a la estación del STC Metro Río de los Remedios, es un nodo donde se interceptan multitudes que van del Estado de México al Distrito Federal, o viceversa, a desarrollar sus actividades cotidianas; forma parte de una ruta o trayecto para llegar a un destino: hogar, centro de trabajo o estudio. Este nodo ofrece variedad en cuestión de movilidad con distintas ofertas para transportarse: STC Metro, taxi, combi, microbús y mototaxi. En las vías peatonales de acceso se sitúan puestos ambulantes que ofrecen gran variedad de productos que van desde comida, higiene e información hasta establecimientos y sitios para beber, comer, descansar y, primordialmente, comprar/vender muebles de baño y pisos. Y, aunque a primera vista, en el escenario destacan las manchas culturales: De la comunicación y el transporte y De los acabados, decoración y baños; éstas se entretejen, para dar variedad y vitalidad, con las De la comida y la bebida, De la mecánica, Del disfrute nocturno, Del abasto y servicios para el hogar y la Del deporte.
3. Legibilidad. El entorno tiene una primera lectura que le relaciona con el movimiento, la velocidad, el tránsito y lo dinámico. Avenida Central se presenta como comprensible al tratarse de una recta donde, sin embargo, mueren y nacen nuevas vialidades –éstas sí, sin esa cualidad que clarifica a una senda vital, volviéndolas peligrosas e inseguras (aunque sea sólo como percepción). Una lectura más a profundidad muestra los sucesos en el entorno, los acontecimientos y funcionamiento que penden, como ya se ha mencionado, de la actividad de la transportación, la compraventa de muebles de baño, pisos, materiales y acabados, sumando también, aquí, la fuerte presencia de la Mancha de la mecánica, por supuesto, también anclada a la transportación. A diferencia, por la presencia del borde creado por el paso del STC Metro y la amplia distancia entre los puentes, la acera opuesta y la polvorienta calle de Río de los Remedios –senda que colinda con la fealdad del cauce del río del mismo nombre– se presentan, a excepción de la gasolinera (en esa acera opuesta), como incógnitas: recorridos inusuales o evadidos por los peatones que frecuentan este entorno.
4. Versatilidad. Esta zona es resultado del diseño de obras viales de gran magnitud. Los puentes vehiculares del Anillo Periférico para cruzar Av. Central y la superficial estación del STC Metro Río de los Remedios, como la mayoría de estas obras en la ciudad, van de la mano con la imposición de vacíos urbanos: sobrantes, residuos, sin diseño y sin función alguna. Para una de las partes bajas de los puentes viales de esta zona del Periférico, fueron diseñadas unas canchas de básquetbol con bancas, paradójicamente vacías y en pésimas condiciones. Empero, aquí –o como en las terminales de las líneas del STC Metro–, la mayor parte baja de las trabes de éstos, o las mismas pilas, es adaptada para usos comerciales, paraderos (para otros medios de transporte), sitios de descanso e incluso vivienda (indigencia). Atiende más a la personalización por necesidad que a una verdadera versatilidad. Las banquetas se vuelven mercados por el ambulantaje, las calles en sitios de taxis, mototaxis o combis. ¿Y las arquitecturas del entorno? Son bodegas o locales comerciales que al ser plantas libres pueden albergar cualquier actividad, no obstante, no son utilizados para diferentes propósitos: esto es decisión de quienes les alquilan y el paisaje actual es retratado en la emergencia de las ya dichas manchas culturales.
5. Imagen visual apropiada. Las principales imágenes que los ciudadanos tienen de este escenario lo llevan a la fugacidad (Avenida Central como vía automovilística rápida), a la movilidad (transportación), a la desintegración (división por el paso del STC Metro), al miedo (incógnitas en las sendas perpendiculares a Av. Central), al aspecto mercantil (construcción, acabados y decoración) y a otras con una fuerte carga significativa, bien podrían ser resultado del ocio, la liminaridad y el goce (El Clandestino o el table). En cambio, también, dentro de la obra brutalista de los puentes y la estación del STC Metro, o en las desarboladas calles, los trayectos (o las esperas) pueden estar impregnados de semiosis. No se trata de no lugares, pues las vivencias y la experiencia pueden unir imágenes en el pasado-presente-futuro: la ruta diaria –con el fétido aroma del río, la asoleada calle, el bullicio de la gente, el anonimato de las personas (que luego se vuelve precisamente lo contrario) y el ruido del paso de los automóviles– para el trabajo, comprar el mandado, salir de la secundaria y el noviazgo camino al STC Metro, por ejemplo.
6. Riqueza perceptiva. Relacionado con el punto anterior, la riqueza perceptiva, en sentido del disfrute del que habla Bentley et al (1999), resulta nulificada: por razones naturales como el mismo río u otras como el diseño urbano-arquitectónico. El uso, para disfrutar del entorno, que le otorga el habitante no es motivado por este diseño, que desde un inicio se desinteresó por incorporar al río. Las actuales experiencias sensoriales refuerzan el imaginario del lugar como zona de tránsito: no existe vegetación, ni un solo árbol en el casi medio kilómetro estudiado (no es sino hasta el impermeable modulo deportivo, en Valle del Tarím, a dos cuadras de Av. Central); predomina auditivamente el ruido de los vehículos en Av. Central, el estrés y prisa de la gente al caminar (salvo los vendedores y trabajadores de la zona), la mala orientación en las edificaciones, las aplanadas fachadas de los bodegones (cajas de zapato) y los destexturizados concretos en aceras. Rescatable es el aroma que emerge de las fondas, restaurantes y puestos de comida que, sin embargo, se entremezcla con el del smog, el polvo, la grasa, el aceite y, por sobretodo, con el de la podredumbre del río de los Remedios, nunca incorporado a un diseño integral de este escenario, visto sólo como peligroso (a menudo se desborda provocando inundaciones) y como el canal más importante para el desagüe de la ciudad.
7. Personalización. Sin duda se trata de un entorno desplegado a partir del residuo y el vacío urbano; tanto por la imposición de la estación del STC Metro como por la localización del río, el segundo tiene efectos, además, de peligro real (viviendas situadas cerca del cauce). El escenario ha sido personalizado, se ha convertido a la estación del STC Metro y a las zonas protegidas por los plafones de los puentes en una central de centrales de transporte, un punto de flujo del que dependen el ambulantaje y los locales estables de comida, bebida y mecánica. Por su parte, los negocios relacionados con la venta de muebles de baño, acabados, pisos y azulejos han personalizado banquetas y fachadastapizándolas con muestras de sus productos y anuncios con ofertas. La personalización atiende a la necesidad por vender, impulsándola a ser también, además de zona de tránsito y transportación, una importante zona comercial en el ramo de la construcción.
En efecto, es un entorno con un grado medio de vitalidad motivado por la gran cantidad de gente que transita sobre él y no por un diseño urbano/arquitectónico responsable e integral. Lo que ha sido aprovechado para desarrollar una importante zona comercial y de transportación que, pese a todo, desde la quinta/sexta cuadra de distancia del STC Metro (más o menos a la altura de “El Clandestino”) va perdiendo afluencia, volviendo al entorno en un escenario muerto, desolado, en decadencia e inseguro. Lo que no es cuestionable es la accesibilidad hacia el escenario, la estación Río de los Remedios, de la línea B del Sistema de Transporte Colectivo Metro (andenes, torniquetes, puente, escaleras), hace las veces de pórtico para ingresar, procediendo desde muchos lugares del Distrito Federal y el Estado de México, y ser parte de su dinámica cultural.
La primera mancha cultural en importancia es la De la comunicación y el transporte, pues es de donde se desprenden todas las actividades similares o distintas en el escenario. Está conjuntada por un nodo/pórtico que emerge del STC Metro y se expande contiguamente con las estaciones, sitios, paraderos de taxis, microbuses y combis en la parte baja de los puentes del Periférico. En el puente para cruzar el cauce del río de los Remedios se encuentra un sitio de taxis más; en la calle Río de los Remedios están los mototaxis y en la de Valle de Almanzora las combis. En el recorrido de estas cinco cuadras, desde la estación del STC Metro, usuarios y operadores de estos medios de transporte y comunicación, encuentran una variada gama de ofertas en puestos ambulantes y locales fijos, principalmente referida a la alimentación y bebida (tacos, fondas, pizzerías, aguas frescas, refrescos, dulces, etc.) pero también a otro tipo de comunicación (revistas, periódicos, tienda de celulares y un cibercafé) o la higiene (desodorantes y perfumes). Está integrada por actividad de similitud complementaria con las dos gasolineras, una ubicada frente a la estación del STC Metro y la otra en la acera frontal (a la altura de la calle Valle del Amur, al final del puente peatonal intermedio), y con los dos autolavados (uno colindante a la primera gasolinera y el otro en la esquina de calle Río de los Remedios).
La segunda mancha en importancia es la De los acabados, decoración y baños. Es esta mancha cultural la que se acerca más a un funcionamiento independiente (de las demás), aprovechando el uso comercial que caracteriza a la zona en este ramo de la construcción, principalmente, relacionado con los acabados arquitectónicos y que se esparce por el norte de la ciudad (Impulsora, Muzquiz, etc.). Siendo parte fundamental del circuito de la compraventa de acabados para obras arquitectónicas de la ciudad de México. Se extiende a partir de la cuarta cuadra (distanciada del STC Metro), especialmente en la cuadra delimitada por Valle del Amur y Valle de Almanzora, está conformada por tiendas de pisos, pastas, muebles de baño, barnices, marcos, molduras, carpinterías e incluso negocios de impresión de lonas y fotos, como servicios complementarios. La siguiente mancha es la De la mecánica, interrelacionada con la mancha De la comunicación y el transporte, pero también motivada por frecuentadores independientes (locales y foráneos). Aquí se encuentran talleres mecánicos, vulcanizadoras, servicio y tiendas de baterías, tornillos, refacciones, aceite, las gasolineras y los autolavados, explayados en toda la zona.
Lo que se define como la mancha cultural Del disfrute nocturno está constituida por “El Clandestino”, en una visión que lo sitúa como bar (bebidas alcohólicas) y Multiforo (difusión artística), y el table dance, de nombre “El Golden”, así como por un salón de fiestas localizado en Valle de Almanzora, el servicio para amenizar fiestas de un sonidero y las diferentes tiendas y vinícolas para la compra de bebidas, primordialmente alcohólicas, que acompañen la noche y la fiesta. Si bien, el Clandestino abre las puertas cuando inicia o termina la tarde, es por la noche donde desenvuelve casi toda su dinámica. Ésta es la única mancha cultural, junto con (de cierta medida) la De la comunicación y el transporte y la De la comida y la bebida, que tiene vida nocturna, las demás atienden a lo diurno, a las horas laborales. La mancha Del deporte está formada en gran modo por el módulo deportivo “Valle del Tarim” (a un par de vías paralelas de Av. Central). Aun cuando su infraestructura es usada por frecuentadores mayoritariamente locales, no impone necesariamente encuentros previstos. Esta mancha se extiende hasta las actividades (por ejemplo, además de ejercitarse, descansar) que surgen en las canchas y bancas situadas en la parte baja del puente vehicular del Periférico.
La mancha Del abasto y servicios para la vivienda está constituida para ofrecer servicios distintos pero complementarios tanto a los residentes locales como para algunos transeúntes y usuarios del transporte. Así, las tiendas de abarrotes, de conveniencia y vinícolas, las reparadoras de calzado, la carpintería, las tiendas de barnices, marcos, molduras, el ciber café, los puestos de revistas, periódicos y desodorantes (ambulantes), o una bodega de plásticos (donde venden muchos artículos, incluidos para el hogar, como cubetas, escobas, trapeadores, etc.) se vuelven espacios de encuentro no previsto muy frecuentados por los residentes y algunos forasteros que requieren esos productos. La última mancha, De la comida y la bebida, se conjuga con todas las anteriores y es representada por espacios como bares, taquerías, birrierías, fondas, pizzerías, comida de ambulantaje, neverías, dulcerías, vinícolas, tiendas de abarrotes y de conveniencia e inclusive, dependiendo la temporalidad y los frecuentadores, también con el table “El Golden” y con el Multiforo “El Clandestino”. Está anclada a las seis manchas culturales previas, pues brota precisamente para satisfacer el paladar de los actores conforme a espacios similares (comida y bebida) que ofrecen distintos platillos y brebajes. Se trata de cocina popular, la mayoría de las veces económica y express.
Las connotaciones de las manchas culturales Del disfrute nocturno y De la comida y la bebida, explícitamente sumergen en su dinámica al punto (véase el Plano 2), la arquitectura donde se desenvuelve “El Clandestino”, una bodega, como escenario vespertino-nocturno liminoide en una lógica liminar (tiempo-espacio posible), que en la topología social estructurada se desvanece o se camufla por su contigüidad espacial con la mancha De los acabados, decoración y baños, mostrándose, al final, invisible. Sin embargo, cuando se acerca (principalmente) la noche y el fin de semana, parece inminente una separación/disolución en el continuum de las pautas sociales estables, el ritual en que abre sus puertas y surge “El Clandestino”, como espacio liminoide, posible, alternativo, sagrado –que se entreteje en un circuito (y sus trayectos) underground que involucra, por ejemplo: casa-Metro-El Clandestino-Casa o casa-tianguis del Chopo-Metro-El Clandestino-fiesta (en otra lugar)/Garibaldi-tianguis de la San Felipe-casa. El punto del que se habla, como escenario arquitectónico, se encuentra delimitado (véase el Plano 2) por Av. Central y las calles Valle del Amur y Valle de Almanzora (la sexta cuadra [desde el Metro] del entorno urbano analizado previamente), sus modulaciones y grados de vitalidad se presentan en siguientes líneas.

1. Permeabilidad. En el tiempo laboral y la cotidianeidad, el escenario pasa como obsoleto, impenetrable; es invisible, una extensión de los locales vecinos que venden pisos. Sin embargo, una vez iniciado el tiempo liminar se le puede ver a lo lejos desde distintos pórticos: la infraestructura del STC Metro o el puente para cruzar el río de los Remedios. En el último trayecto y a un par de cuadras, en calle Río de los Remedios, antes de llegar al punto, o sea la bodega de “El Clandestino”, sobresale el pedazo y el inicio de la quebrada –marcando el territorio con presencia física además de simbólica con personajes locales-afines y sus recorridos más recurrentes– (véase el Plano 2), esto es revelado por la multitud de actores del underground que prevalecen en el frente del punto. El punto es una arquitectura plana que en su fachada presenta poca accesibilidad: dos ventanales con cristales oscuros en planta alta, una puerta exclusiva para el acceso a la barra y un portón que cuando se abre muestra dos amplios vanos que, sin embargo, disminuyen visualmente sus dimensiones cuando en la acera se monta una rejilla que sirve para ordenar y limitar el acceso general por el pórtico físico; para entrar se tiene que pagar un <que depende del evento y de los organizadores.10 Es resaltable el juego público-privado que se surge en el frente, la banqueta inmediata, porque sin situarse en el interior del punto, los actores ya se encuentran dentro del pedazo, como extensión del primero al espacio público. Aspecto liminoide que le brinda un fuerte grado simbólico de permeabilidad al punto-pedazo, pues desde ahí se puede platicar, beber, escuchar música y verse con los amigos sin haber pagado un solo peso.
2. Variedad. Parte de la gestión de “El Clandestino” es la de ofrecer variedad en el aspecto sonoro, es un lugar underground que, a pesar de su rostro punk, no es exclusivo de un solo estilo musical, sino que profesa precisamente lo contrario. Espacialmente, el punto, que arquitectónicamente es una bodega con planta libre y un mezzanine en planta alta, no ofrece más que lo elemental para poner en marcha las actividades relacionadas con un concierto o un toquín: escenario, barra, pista de baile, acceso, baños, espacio para audio, camerino (que también funciona como bodega, librería, oficina y dormitorio). La zonificación interna permite experimentar un roce variado de vivencias no planeadas, como el esquivar el slam para ir al baño, a la barra por una cerveza o acercarse al escenario; o darles segundo uso a escalones, tarimas o el propio piso para sentarse, todo bajo una atmósfera oscura. El punto más conflictivo sucede en los baños, al contar sólo con dos retretes que resultan insuficientes y al poco tiempo terminan en pésimas condiciones, se obliga a los actores a buscar opciones en el exterior; también están las altas temperaturas por la falta de ventilación en toda la bodega; menos problemático es el mobiliario (del que carece totalmente) y en cierto modo la poca iluminación, aspectos que al final caracterizan al lugar.
3. Legibilidad. El punto pasa de la invisibilidad a la visibilidad por un proceso ritual que incluye la participación de los actores en su tiempo libre, un tiempo que nos habla de ruptura y goce. La fachada del punto está totalmente pintada de negro y en la parte alta (aprox. a 6 mts. de altura), en el pretil, se localiza un letrero que dice: El Clandestino Multiforo. A pesar de todo, es difícil encontrarlo y si no es por la difusión underground –en la que participan el habitus, los circuitos y las escenas– y por la multitud de actores en su frente, que lo delatan, seguiría invisible. Una vez dentro, con un horizonte encapsulado por los altos y oscurecidos muros del bodegón, no es tan complicado comprender la distribución del lugar y lo que sucede allí. Encontrar oportunidades y limitantes; participación y riesgos. Variedad en recorridos y lugares para estar.
4. Versatilidad. La acera del frente, es decir, el espacio público más próximo, lejano del uso común de tránsito y vitrina comercial que tiene en la cotidianeidad, funciona como primer receptáculo y preámbulo que resume gratuitamente lo que ofrecen las entrañas del punto, de forma disimulada o no11. El interior del punto trata de una planta libre cuya distribución espacial y propósitos representan un buen ejemplo de minimalismo puro: el escenario se puede extender hasta un par de veces más su tamaño original (valiéndose de tarimas, escalonadas), puede ser para un concierto, toquín e incluso debates (charlas temáticas), para una obra de teatro o pantalla de proyección de alguna película; la pista de baile es, además de eso, un lugar para estar, observar y escuchar de cerca, una zona de espectadores (y hasta un ring cuando las cosas se salen de control); el acceso y la barra también pueden llegar a estar repletos y pasan de ser lugares de flujo a estancias para beber, fumar (en Ecatepec no existe –existía– la Ley de protección a la salud de los no fumadores, del D. F.) y/o platicar; y, el mezzanine, en planta alta, que es el lugar más versátil pues pasa por ser oficina, biblioteca, dormitorio, camerino, etc. La precariedad se presenta con la mejor intención de “hacer más con menos”.
5. Imagen visual apropiada. Como Multiforo underground periférico la tiene: un lugar invisible a los ojos de los otros, que no sobresale por su belleza arquitectónica ni por la ornamentación. Tiene una imagen que podría implantar temor para algunos, causar peligro. Pero para los actores que lo frecuentan, estas imágenes, ligadas a las de oscuridad, caos, precariedad y fealdad están sujetas a un imaginario urbano-arquitectónico (y underground) adecuado que permite apropiarse temporalmente del espacio (y volver), por medio de prácticas y participación en él: disfrutando experiencias y personalizándolo –situaciones poco presentes en espacios oficiales de cultura, que se manejan de modo ex profeso.
6. Riqueza perceptiva. Tampoco es que la fealdad arquitectónica sea exclusividad en estos espacios y siempre disfrutable, pero, al menos, en “El Clandestino”, el terror simbólico, tácitamente violeto, que expresan sus altos muros y oxidada armadura, son exprimidos disponiéndolo como contenedor de actividades y prácticas que promueven sonidos, imágenes, formas y olores, en el mayor grado, disfrutables. La percepción puede someterse a la clase, pero también a la habitualidad, un goce internalizado producto del baile, cantar, gritar, beber, golpear, hacinarse, acalorarse, sudar, etcétera, acompañado de actores semejantes en un escenario levemente decorado para parecerse a ellos, o viceversa.
7. Personalización. Una bodega al más estilo punk, una fachada negra y desgastada que muestra el color del concreto, las más de las veces, con infinidad de stickers, pintas y posters (de eventos) tatuados en ella, y el ya mencionado letrero que dice El Clandestino Multiforo acompañado del logotipo de un cráneo. Tanto el exterior como el interior del punto manifiestan “sellos y valores colectivos propios” (Bentley, 1999) que personalizan al escenario a partir del gusto de los actores: administradores y asistentes. Paredes fondeadas de color negro, rojo y naranja de las que sobresalen murales de bandas emblemáticas como The Cramps o The Casualties; pintas, tags, bombas, graffitis, lonas y posters de eventos pasados y futuros; fotos y recortes de periódicos y revistas; letreros de precios, salida de emergencia, extinguidores, botiquín; imágenes que se complementan con la parafernalia de los asistentes. Es un escenario aparentemente decadente pero, al contrario, con más vitalidad y futuro que muchos de los promovidos por el gobierno como de cultura y para jóvenes. Autogestión inducida por el hazlo tú mismo, con buenos resultados: filosofía punk acorde a quienes administran y frecuentan al lugar.
Conclusión
El microentorno contiene elementos urbano-arquitectónicos formales e informales que promueven prácticas ancladas a la transportación, así como por actividades comerciales, muy similares, y otras ligadas al ocio. Las principales imágenes urbanas surgen bajo un fondo de tránsito vehicular intenso sobre Avenida Central. El entorno se ha diagnosticado con una vitalidad media promovida por los grandes flujos de personas que circulan en él y no por su diseño urbano-arquitectónico carente de integridad. En lo que respecta al escenario interior, el punto, “El Clandestino”, oscila entre las manchas culturales del disfrute nocturno y de la comida y la bebida, definido así por la temporalidad vespertino-nocturna en que opera y a su lógica liminoide apta para el disfrute del tiempo libre, la sociabilidad, el entretenimiento y la música. “El Clandestino”, como punto del underground, ha sido diagnosticado con una vitalidad alta resultante no de un análisis de belleza arquitectónica sino por las posibilidades que motiva esta bodega punk: punto de encuentro, sociabilidad, entretenimiento, convivencia y cultura underground. La descripción física y caracterización sociocultural del espacio en una tocada punk, así como el diagnóstico parcial de cada escena virtual, se muestran en la Tabla I.

*a) Permeabilidad, b) variedad, c) legibilidad, d) versatilidad,e) imagen visual apropiada, f) riqueza perceptiva y g) personalización.En negritas el diagnóstico parcial.
Elaboración propiaFinalmente, se puede decir que “El Clandestino” es una inserción espacial en un contexto que no le es ajeno, sino que coexiste y se complementa con éste. Por lo tanto, se posibilita la emergencia de este punto del underground y se determinan, en gran medida, sus prácticas y potencialidad simbólica, es decir, mantiene relación estrecha con las características físico-socioculturales y la vitalidad del entorno urbano que le contiene. La tocada punk posibilita claves alternativas en la elección del quehacer metropolitano que emana de entre el ocio, el tiempo libre y el entretenimiento a través de las músicas underground, propiciando prácticas tales como la fiesta, la sociabilización o la convivencia, en un torbellino de emociones, vivencias y experiencias altamente significativas. Lo underground atiende a formas culturales adaptadas en arquitecturas preexistentes. Son lugares marginales marcados como sórdidos o inexistentes, inoperantes, no obstante, autoconstruidos (personalizados) por grupos sociales con necesidades espaciales y que, a menudo, sino establecen niveles relacionales con el entorno (habitacional, laboral) que les contiene, sufren descalificación moral, ambigüedad y recaen en lo efímero.
Bibliografía
Angenot, M. (1997). “La intertextualidad: pesquisa sobre la aparición y difusión de un campo nocional”, en: Desiderio Navarro, Julia Kristeva et al. Intertextualité Francia en el origen de un término y el desarrollo de un concepto, La Habana: Unión de Escritores y Artistas de Cuba Casa de las Américas Embajada de Francia en Cuba.
Bentley, I. et al. (1985). Entornos vitales. Hacia un diseño urbano y arquitectónico más humano. España: Gustavo Gili.
Delgado Aguiñaga, L. E. (2013). Urbanización sociocultural, música y underground en la Ciudad de México: el discurso de “El Clandestino” y “El Real Under”. México: IPN, Tesis de Maestría en Ciencias en Arquitectura y Urbanismo.
Foucault, M. (1992 [1970]). El orden del discurso. Argentina: Tusquets Editores.
Geertz, C. (1973 [2003]). La interpretación de las culturas. España: Gedisa.
Geist, I. (2002). Antropología del ritual. Victor Turner. México: INAH/ENAH.
Hebdige, D. (1979). Subcultura. El significado del estilo. España: Ediciones Paidós Ibérica.
Heredia Alba, F. (Julio-diciembre de 2009). “La ciudad y el circo”. Esencia y Espacio (29), 66-75.
Lynch, K. (1960 [1974]). La imagen de la ciudad. España: Gustavo Gili,.
Magnani, J., & Mantese, B. (2007). Jovens na metrópole: entografías de circuitos de lazer, encontro e sociabilidade. Brasil : Editora Terceiro Nome.
Ramírez, J. A. (1996). La contracultura en México. México: Grijalbo.
Tena, R., & García Ayala, J. A. (Enero-junio de 2007). “Urbanización sociocultural en México. Formas urbanas del tiempo libre”. Esencia y Espacio(25).
Turner, V. (1986). “Dewey, Dilthey y drama. Un ensayo en torno a la antropología de la experiencia”, en: I. Geist, Antropología del ritual. Victor Turner. México: INAH/ENAH, 89-102.
Turner, V. (1989). “Del ritual al teatro”, en: I. Geist (Ed.), Antropología del ritual. Victor Turner, México: INAH/ENAH, 71-88
Vínculos de videos
Acidez - Mi Odio Y Mi Rabia:
https://www.youtube.com/watch?v=ox001BX4cmc
Xenofobia en El Clandestino
https://www.youtube.com/watch?v=p20DUTnJUVQ
Convulsiones en El Clandestino
https://www.youtube.com/watch?v=y0nrD7gi8rs
Excluded - Hey Compañero!
https://www.youtube.com/watch?v=rapCkHRjq6M
Bacteria Punk en El Clandestino
https://www.youtube.com/watch?v=pa5A1qLzNBo
Antes Delincuentes - Circo del 3er mundo
https://www.youtube.com/watch?v=ZW_dTV6Ua3s
Desertor – Ellos dicen mierda, nosotros amen
https://www.youtube.com/watch?v=pFw3nD3Sv8s
Akorvus en El Clandestino
https://www.youtube.com/watch?v=vHo8BzxqUqg
Escoria After Death en “El Clandestino”
https://www.youtube.com/watch?v=FyepBtx5vG4
Escuadrón del vicio en El Clandestino
https://www.youtube.com/watch?v=WFT675AdInI
Plaga Punk- Maltrato Animal
https://www.youtube.com/watch?v=0aiZK0jXvqI
EsKorbuto, Antitodo
https://www.youtube.com/watch?v=2mE7IwLprC4
Kortatu - Mierda de ciudad
Notas
Notas de autor